Benvenuto Ospite

Forum Entomologi Italiani

www.entomologiitaliani.net/forum
 
Oggi è 08/04/2026, 16:08

Tutti gli orari sono UTC + 1 ora [ ora legale ]

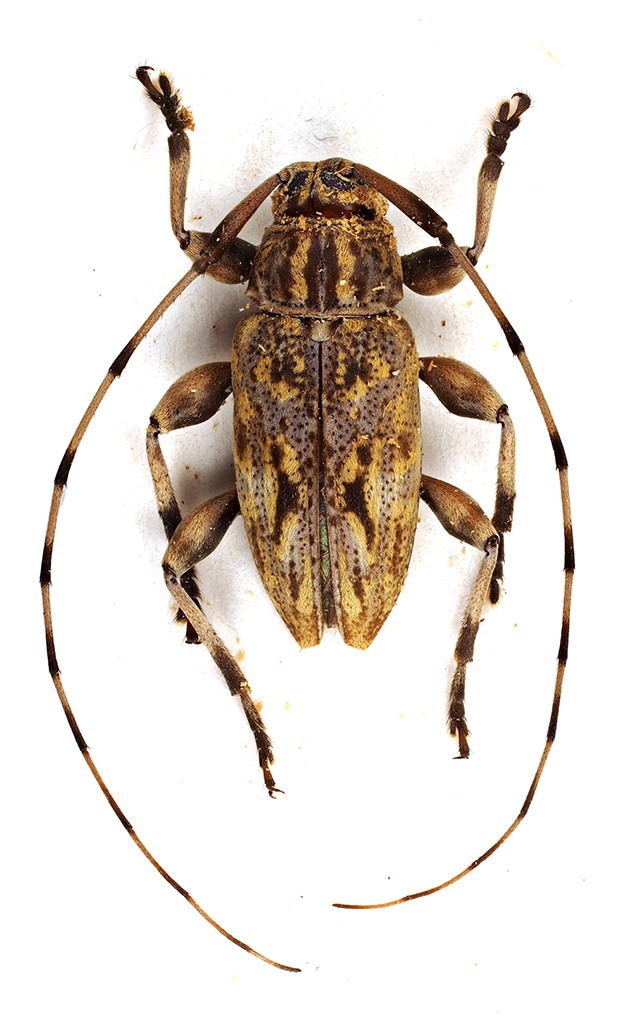
Atrypanius haldemani (LeConte, 1852) cf. - Cerambycidae

15.II.1996 - MESSICO - EE, Loc. Akumal Quintana Roo


nuovo argomento
rispondi
Pagina 1 di 1 [ 3 messaggi ]
Autore Messaggio
MessaggioInviato: 22/01/2022, 23:22 
Avatar utente

Iscritto il: 10/05/2009, 15:30
Messaggi: 7183
Località: Ancona
Nome: Giacomo Giovagnoli
Cerambycidae... :roll:

Loc. Akumal Quintana Roo (Messico); 15.II.1996; lg. A. Pergolini

[grazie zio per le foto!!! :birra: ]

Esemplare 1; dimensioni: 8mm
Comb3535cr-16zL6.jpg


Comb3536cr-25zL6.jpg



Esemplare 2; dimensioni: 8mm
Comb3537cr-18zL6.jpg


Comb3538cr-25zL6.jpg



Ciao :)

_________________
Immagine Giacomo


Top
profilo
 Oggetto del messaggio: Re: Cerambycidae da ID
MessaggioInviato: 24/01/2022, 0:36 
 

Iscritto il: 01/05/2020, 0:49
Messaggi: 53
Nome: Maxim Smirnov
In my view it is some species of Atrypanius. Maybe this is form of Atrypanius haldemani (LeConte, 1852)
(here: http://bezbycids.com/byciddb/wdetails.asp?id=11516&w=n), but I don`t know about variability of this species so hard to say more for me.. :hi:


Top
profilo
 Oggetto del messaggio: Re: Cerambycidae da ID
MessaggioInviato: 24/01/2022, 7:11 
Avatar utente

Iscritto il: 10/05/2009, 15:30
Messaggi: 7183
Località: Ancona
Nome: Giacomo Giovagnoli
Grazie mille :)

_________________
Immagine Giacomo


Top
profilo
Visualizza ultimi messaggi:  Ordina per  
nuovo argomento
rispondi
Pagina 1 di 1 [ 3 messaggi ]

Tutti gli orari sono UTC + 1 ora [ ora legale ]


Chi c’è in linea

Visitano il forum: Nessuno e 10 ospiti


Non puoi aprire nuovi argomenti
Non puoi rispondere negli argomenti
Non puoi modificare i tuoi messaggi
Non puoi cancellare i tuoi messaggi
Non puoi inviare allegati

Cerca per:
Vai a: