Benvenuto Ospite

Forum Entomologi Italiani

www.entomologiitaliani.net/forum
 
Oggi è 18/02/2026, 6:35

Tutti gli orari sono UTC + 1 ora [ ora legale ]

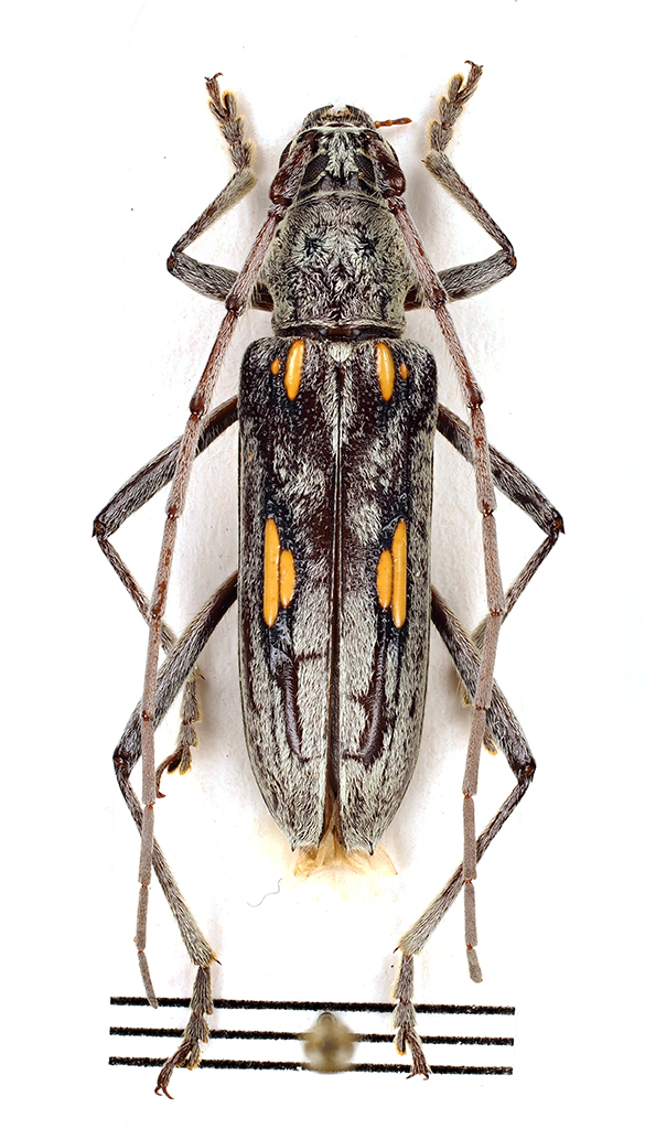
Eburia lanigera Linell, 1898 - Cerambycidae Cerambycinae

6.II.2016 - ECUADOR - EE, Isla Isabela, Galapagos


nuovo argomento
rispondi
Pagina 1 di 1 [ 3 messaggi ]
Autore Messaggio
MessaggioInviato: 21/01/2022, 23:22 
Avatar utente

Iscritto il: 10/05/2009, 15:30
Messaggi: 7182
Località: Ancona
Nome: Giacomo Giovagnoli
Cerambycidae... :roll:

Isla Isabela, Galapagos (Ecuador); 06.II.2016; lg. A. Pergolini

[grazie zio per le foto!!! :birra: ]

Dimensioni: 19mm
Comb3547cr-11zL6.jpg


Comb3548cr-36zL6.jpg



Ciao :)

_________________
Immagine Giacomo


Top
profilo
 Oggetto del messaggio: Re: Cerambycidae da ID - Galapagos
MessaggioInviato: 21/01/2022, 23:28 
 

Iscritto il: 01/05/2020, 0:49
Messaggi: 53
Nome: Maxim Smirnov
I would say Eburia lanigera Linell, 1898 :hi:


Top
profilo
 Oggetto del messaggio: Re: Cerambycidae da ID - Galapagos
MessaggioInviato: 22/01/2022, 0:12 
Avatar utente

Iscritto il: 10/05/2009, 15:30
Messaggi: 7182
Località: Ancona
Nome: Giacomo Giovagnoli
:ok:
https://www.darwinfoundation.org/en/dat ... ecies=5808

Grazie mille! :birra:

_________________
Immagine Giacomo


Top
profilo
Visualizza ultimi messaggi:  Ordina per  
nuovo argomento
rispondi
Pagina 1 di 1 [ 3 messaggi ]

Tutti gli orari sono UTC + 1 ora [ ora legale ]


Chi c’è in linea

Visitano il forum: Nessuno e 5 ospiti


Non puoi aprire nuovi argomenti
Non puoi rispondere negli argomenti
Non puoi modificare i tuoi messaggi
Non puoi cancellare i tuoi messaggi
Non puoi inviare allegati

Cerca per:
Vai a:  
cron