Benvenuto Ospite

Forum Entomologi Italiani

www.entomologiitaliani.net/forum
 
Oggi è 06/02/2026, 23:50

Tutti gli orari sono UTC + 1 ora [ ora legale ]

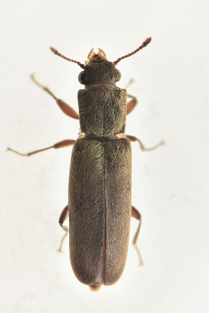
Trogoxylon parallelipipedum (Melsheimer, 1846) cf. - Bostrichidae

19.VI.2021 - ITALIA - Piemonte - TO, Avigliana


nuovo argomento
rispondi
Pagina 1 di 1 [ 11 messaggi ]
Autore Messaggio
MessaggioInviato: 04/02/2022, 20:45 
 

Iscritto il: 06/03/2016, 0:02
Messaggi: 237
Nome: Vincenzo Di Taddeo
Trovato contro un tronco tagliato di Quercia rossa, mi sembra un Bostrichidae, ma quale non ho idea.
Lungo circa 4,5 MM. quale potrebbe essere?
Grazie.

:hi: Vincenzo
1 trogoxylon impressum bostrichidae sentiero della palude.jpg


2 trogoxylon impressum bostrichidae sentiero della palude.jpg



Top
profilo
 Oggetto del messaggio: Re: Bostrichidae?
MessaggioInviato: 04/02/2022, 22:16 
Avatar utente

Iscritto il: 05/05/2016, 11:22
Messaggi: 2983
Località: Santa Maria delle mole, Marino, Rm
Nome: Roberto Vanzini
Credo sia Trogoxylon impressum. Dovrebbe essere l'unica specie presente in Italia.

_________________
Roberto Vanzini


Top
profilo
 Oggetto del messaggio: Re: Bostrichidae?
MessaggioInviato: 04/02/2022, 23:44 
 

Iscritto il: 06/03/2016, 0:02
Messaggi: 237
Nome: Vincenzo Di Taddeo
wgliinsetti ha scritto:
Credo sia Trogoxylon impressum. Dovrebbe essere l'unica specie presente in Italia.

Infatti, leggendo le discussioni qui su FEI. anche io pensavo che potesse essere lui. Però Giorgio Chalybion
mi faceva notare giustamente, la pubescenza troppo abbondante rispetto agli altri, potrei dire che essendo più a Nord
sia più attrezzato per il freddo! :D ma questo soggetto ha anche le antenne più esili.

Il fatto è che se non è lui, cosa potrebbe essere? :roll:

:hi: Vincenzo


Top
profilo
 Oggetto del messaggio: Re: Bostrichidae?
MessaggioInviato: 05/02/2022, 8:59 
Avatar utente

Iscritto il: 05/05/2016, 11:22
Messaggi: 2983
Località: Santa Maria delle mole, Marino, Rm
Nome: Roberto Vanzini
Ce n'è un'altra specie in Europa data per l'Italia di dubbia presenza.
Non l'ho mai vista. Potrebbe essere lei oppure non saprei.

_________________
Roberto Vanzini


Top
profilo
 Oggetto del messaggio: Re: Bostrichidae?
MessaggioInviato: 05/02/2022, 9:40 
 

Iscritto il: 02/11/2010, 22:33
Messaggi: 991
Nome: Aleksei Kovalev
As for me, this beetle more resembles Nearctic Trogoxylon parallelipipedum :roll:
:hi:


Top
profilo
 Oggetto del messaggio: Re: Bostrichidae?
MessaggioInviato: 05/02/2022, 10:34 
 

Iscritto il: 06/03/2016, 0:02
Messaggi: 237
Nome: Vincenzo Di Taddeo
AetherisIgnis ha scritto:
As for me, this beetle more resembles Nearctic Trogoxylon parallelipipedum :roll:
:hi:

Sarebbe la stessa specie ipotizzata da Giorgio, Chalybion di cui però mi sembra che la presenza in Italia sia molto dubbia. :roll:

Sarà la specie dubbia che ipotizzavi anche tu, Roberto?

Io sinceramente non so cosa possa essere, posso solo aggiungere qualche foto (non limpidissima :oops: ) sperando
che possa servire ad identificarlo.

:hi: Vincenzo
3 trogoxylon parallelipipedum bostrichidae sentiero della palude.jpg


4 trogoxylon parallelipipedum bostrichidae sentiero della palude.JPG


5 trogoxylon parallelipipedum bostrichidae sentiero della palude.jpg



Top
profilo
 Oggetto del messaggio: Re: Bostrichidae?
MessaggioInviato: 05/02/2022, 11:17 
 

Iscritto il: 02/11/2010, 22:33
Messaggi: 991
Nome: Aleksei Kovalev
T. impressum has a distinctive tubercle over the eyes, lacking in your specimen as far as I can see.
:hi:


Top
profilo
 Oggetto del messaggio: Re: Bostrichidae?
MessaggioInviato: 05/02/2022, 11:38 
 

Iscritto il: 06/03/2016, 0:02
Messaggi: 237
Nome: Vincenzo Di Taddeo
AetherisIgnis ha scritto:
T. impressum has a distinctive tubercle over the eyes, lacking in your specimen as far as I can see.
:hi:

I tried to make a comparison with the Trogoxylon impressum, and it seems to me that there is a bit of a difference.
But I am unable to establish to what extent. :oops:
I insert a slightly lateral view in which the antenna is also better seen. if it can help!

:hi: Vincenzo

6 trogoxylon parallelipipedum bostrichidae sentiero della palude.jpg



Top
profilo
 Oggetto del messaggio: Re: Bostrichidae?
MessaggioInviato: 05/02/2022, 12:21 
Avatar utente

Iscritto il: 05/05/2016, 11:22
Messaggi: 2983
Località: Santa Maria delle mole, Marino, Rm
Nome: Roberto Vanzini
DTVD ha scritto:
AetherisIgnis ha scritto:
As for me, this beetle more resembles Nearctic Trogoxylon parallelipipedum :roll:
:hi:

Sarebbe la stessa specie ipotizzata da Giorgio, Chalybion di cui però mi sembra che la presenza in Italia sia molto dubbia. :roll:

Sarà la specie dubbia che ipotizzavi anche tu, Roberto?

Io sinceramente non so cosa possa essere, posso solo aggiungere qualche foto (non limpidissima :oops: ) sperando
che possa servire ad identificarlo.

:hi: Vincenzo
3 trogoxylon parallelipipedum bostrichidae sentiero della palude.jpg

4 trogoxylon parallelipipedum bostrichidae sentiero della palude.JPG

5 trogoxylon parallelipipedum bostrichidae sentiero della palude.jpg

Esattamente. In Europa ci sono solo queste due specie.

_________________
Roberto Vanzini


Top
profilo
 Oggetto del messaggio: Re: Bostrichidae?
MessaggioInviato: 05/02/2022, 15:34 
 

Iscritto il: 06/03/2016, 0:02
Messaggi: 237
Nome: Vincenzo Di Taddeo
Quindi dovrebbero esserci buone probabilità che non sia un Trogoxylon impressum, ma l'altro! :D

:hi: Vincenzo


Top
profilo
MessaggioInviato: 06/02/2022, 0:38 
 

Iscritto il: 06/03/2016, 0:02
Messaggi: 237
Nome: Vincenzo Di Taddeo
Vedo che è stato cambiato il titolo. :) Grazie mille Aleksei e Roberto, per questa
insperata(anche se con il CF.) Determinazione. :hp: :hp:

:birra:

:hi: Vincenzo


Top
profilo
Visualizza ultimi messaggi:  Ordina per  
nuovo argomento
rispondi
Pagina 1 di 1 [ 11 messaggi ]

Tutti gli orari sono UTC + 1 ora [ ora legale ]


Chi c’è in linea

Visitano il forum: Nessuno e 1 ospite


Non puoi aprire nuovi argomenti
Non puoi rispondere negli argomenti
Non puoi modificare i tuoi messaggi
Non puoi cancellare i tuoi messaggi
Non puoi inviare allegati

Cerca per:
Vai a: