Benvenuto Ospite

Forum Entomologi Italiani

www.entomologiitaliani.net/forum
 
Oggi è 10/02/2026, 9:31

Tutti gli orari sono UTC + 1 ora [ ora legale ]

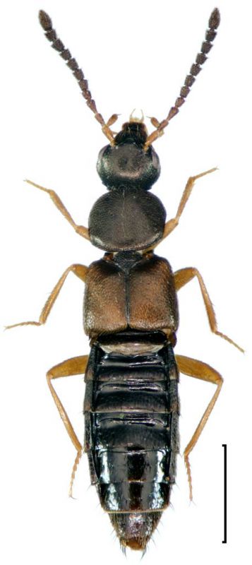
Atheta (Atheta) sp. - Staphylinidae

16.IX.2023 - ITALIA - Lazio - FR, Filettino, località Fiumata, 950 m


nuovo argomento
rispondi
Pagina 1 di 1 [ 15 messaggi ]
Autore Messaggio
 Oggetto del messaggio: Atheta (Atheta) sp. - Staphylinidae
MessaggioInviato: 18/09/2023, 19:04 
Avatar utente

Iscritto il: 05/05/2016, 11:22
Messaggi: 2983
Località: Santa Maria delle mole, Marino, Rm
Nome: Roberto Vanzini
Dim. 2,80 mm senza ultimo sternite.

Se non ho sbagliato qualche punto siamo nella tribù degli Aleocharini.
Se così fosse per me il genere corretto è Ocalea sp.
Per la specie sarei molto in difficoltà perché con questa spermateca non c'è nulla di simile.
Scusate la foto della spermateca ma siamo oltre i 20x e faccio fatica.
Ultimo segmento dei palpi a punta. Formula tarsale 4-5-5
Riuscite ad aiutarmi?


2023-09-18 18-58-41 (C,S3)1.jpg

2023-09-18 18-42-31 (C,S3)1.jpg


_________________
Roberto Vanzini
Top
profilo
 Oggetto del messaggio: Re: Staphylinidae da ID
MessaggioInviato: 18/09/2023, 23:40 
 

Iscritto il: 02/11/2010, 22:33
Messaggi: 991
Nome: Aleksei Kovalev
Dear Roberto, this is Atheta in the nominative subgenus, I suppose. The spermatheca is probably broken (it's quite complex and fragile), you could try to look for the rest part in the abdomen.
:hi:


Top
profilo
 Oggetto del messaggio: Re: Staphylinidae da ID
MessaggioInviato: 19/09/2023, 7:46 
Avatar utente

Iscritto il: 05/05/2016, 11:22
Messaggi: 2983
Località: Santa Maria delle mole, Marino, Rm
Nome: Roberto Vanzini
Grazie Aleksei, controllerò i caratteri. Ho staccato l'addome e resteranno in acqua. L'unica cosa che era attaccata alla spermateca era tutto un reticolo. La spermateca è intera, ma per scrupolo ricontrollerò.
:birra:

_________________
Roberto Vanzini


Top
profilo
 Oggetto del messaggio: Re: Staphylinidae da ID
MessaggioInviato: 19/09/2023, 10:27 
Avatar utente

Iscritto il: 09/11/2009, 14:12
Messaggi: 5189
Località: Hradec Kralove,Czech republik
Nome: Jan Matějíček
:?: Atheta aeneicollis (Sharp, 1869)


Atheta aeneicollis
aeneicol.jpg

resized75-Atheta_aeneicollis_g_5x_AB-1831323130362625815.jpg

Atheta aeneicollis (Sharp, 1869).jpg


_________________
Research Fields
Taxonomy, ecology, biomonitoring , faunistic of Staphylinidae
Top
profilo
 Oggetto del messaggio: Re: Staphylinidae da ID
MessaggioInviato: 19/09/2023, 13:27 
Avatar utente

Iscritto il: 05/05/2016, 11:22
Messaggi: 2983
Località: Santa Maria delle mole, Marino, Rm
Nome: Roberto Vanzini
Grazie Jan, oggi pomeriggio controllo i caratteri

_________________
Roberto Vanzini


Top
profilo
 Oggetto del messaggio: Re: Staphylinidae da ID
MessaggioInviato: 19/09/2023, 16:12 
Avatar utente

Iscritto il: 05/05/2016, 11:22
Messaggi: 2983
Località: Santa Maria delle mole, Marino, Rm
Nome: Roberto Vanzini
A quanto osservo la sutura delle elitre è lunga quanto il pronoto. La massima larghezza del pronoto è spostata in avanti rispetto al centro.
Non potrebbe essere Atheta aquatilis?

_________________
Roberto Vanzini


Top
profilo
 Oggetto del messaggio: Re: Staphylinidae da ID
MessaggioInviato: 20/09/2023, 11:05 
Avatar utente

Iscritto il: 09/11/2009, 14:12
Messaggi: 5189
Località: Hradec Kralove,Czech republik
Nome: Jan Matějíček
Questo è Atheta aquatilis(Thomson, 1867)


Atheta aquatilis(Thomson, 1867)
resized75-Atheta_aquatilis_g_5x_AB-329491733272758987.jpg

Atheta aquatilis(Thomson, 1867)
Atheta aquatilis(Thomson, 1867).jpg


_________________
Research Fields
Taxonomy, ecology, biomonitoring , faunistic of Staphylinidae
Top
profilo
 Oggetto del messaggio: Re: Staphylinidae da ID
MessaggioInviato: 20/09/2023, 11:27 
Avatar utente

Iscritto il: 05/05/2016, 11:22
Messaggi: 2983
Località: Santa Maria delle mole, Marino, Rm
Nome: Roberto Vanzini
Si l'ho confrontato con questo. L'immagine l'hai presa dal sito danese vero?
Con la chiave arrivo li.
Mi rimane comunque il dubbio per la forma degli articoli antennali.

_________________
Roberto Vanzini


Top
profilo
 Oggetto del messaggio: Re: Staphylinidae da ID
MessaggioInviato: 20/09/2023, 12:32 
Avatar utente

Iscritto il: 09/11/2009, 14:12
Messaggi: 5189
Località: Hradec Kralove,Czech republik
Nome: Jan Matějíček
sì, è da questa pagina (aedeagus)

https://www.danbiller.dk/key/genus/Atheta

determinare Atheto da un'immagine è molto e difficile

_________________
Research Fields
Taxonomy, ecology, biomonitoring , faunistic of Staphylinidae


Top
profilo
 Oggetto del messaggio: Re: Staphylinidae da ID
MessaggioInviato: 20/09/2023, 12:50 
Avatar utente

Iscritto il: 05/05/2016, 11:22
Messaggi: 2983
Località: Santa Maria delle mole, Marino, Rm
Nome: Roberto Vanzini
Un sito bellissimo :birra:

_________________
Roberto Vanzini


Top
profilo
MessaggioInviato: 20/09/2023, 16:57 
Avatar utente

Iscritto il: 05/05/2016, 11:22
Messaggi: 2983
Località: Santa Maria delle mole, Marino, Rm
Nome: Roberto Vanzini
Purtroppo non sono convinto. Per aneneicollis la sutura elitrale è troppo corta. Per aquatilis le dimensioni sono troppo piccole e gli articoli antennali sono diversi. Inoltre questa specie è citata solo per il nord Italia.
Non so se hai la possibilità di caricare una foto di Atheta hummleri e Atheta oraria. Non riesco a trovare ne pubblicazioni ne foto.

_________________
Roberto Vanzini


Top
profilo
MessaggioInviato: 20/09/2023, 20:15 
Avatar utente

Iscritto il: 09/11/2009, 14:12
Messaggi: 5189
Località: Hradec Kralove,Czech republik
Nome: Jan Matějíček
Eine in ihrer Stellung unter den Atheten zweifelhafte, aber sehr aus-
gezeichnete und leicht kenntliche Art.
Durch den Habitus, namentlich den in der Mitte etwas erweiterten und
dann nach hinten verengten Hinterleib und die an den Seiten des Halsschildes sehr deutlich sichtlichen Randborsten den Arten der Dimetrota-Gr\i\)^Q sehrähnlich, jedoch meiner Ansicht nach in Folge der Fühlerbildung und der Geschlechtsauszeichnung des cT in die Castanoptera-Gruip\)e zu stellen. Ziemlich glänzend, von ziemlich flacher Gestalt, der Kopf pechschwarz oder pechbraun, der Halsschild gewöhnlich gelbroth, bisweilen bräunlich, die Flügeldecken bräunlichgelb, am Schildchen und in den Hinterecken gewöhnlich angedunkelt, das Abdomen pechbraun, an der Basis in grösserer Ausdehnung und an der Spitze bräunlichgelb, die Fühler bräunlichgelb, gegen die Spitze zu meistens dunkler, die Taster bräunlichgelb, die Beine hellgelb. Kopf, Hinterleib und Flügeldecken äusserst fein chagrinirt, der Kopf äusserst fein und weitläufig punktirt, die Fühler mässig lang, gegen die Spitze nur schwach verdickt; das dritte Glied kaum länger als das zweite, das vierte so lang als breit, die folgenden an Breite zunehmend, die vorletzten deutlich, etwa ^/s breiter als lang, das Endglied sehr gestreckt, beinahe so lange als die drei vorletzten zusammengenommen.Der Halsschild um die Hälfte breiter als lang, schmäler als die Flügeldecken, fein und mässig dicht körnig punktirt, von der Mitte der Basis mit einem Grübchen,am Seitenrande mit einigen deutlichen Wimperhaaren. Flügeldecken etwa um^/s länger als der Halsschild, mässig fein, jedoch deutlich rauher und etwas
weniger dicht punktirt als castanoptera und mässig dicht anliegend behaart. Abdomen stark glänzend, auf den drei ersten freiliegenden Dorsalsegmenten fein und sehr weitläufig, auf den beiden folgenden sehr spärlich oder gar nicht punktirt. Beim ist das achte Dorsalsegment am Hinterrande deutlich ausgerandet, in der Mitte der Ausrandung befindet sich ein kleines stumpfes Zähnchen, zu dessen beiden Seiten sich je drei grössere stumpfe Kerbzähnchen, vondenen die zwei innersten etwas kleiner als die vier äusseren sind, befinden.
Von castanoptera sehr leicht durch die schmälere kleinere Gestalt, die
Färbung und die Auszeichnung des achten Dorsalsegmentes des (maschio) zu unterscheiden.
Länge 3 mm


Atheta.jpg


_________________
Research Fields
Taxonomy, ecology, biomonitoring , faunistic of Staphylinidae
Top
profilo
MessaggioInviato: 20/09/2023, 20:19 
Avatar utente

Iscritto il: 09/11/2009, 14:12
Messaggi: 5189
Località: Hradec Kralove,Czech republik
Nome: Jan Matějíček
Atheta oraria, Kraatz 1856


oraria.jpg


_________________
Research Fields
Taxonomy, ecology, biomonitoring , faunistic of Staphylinidae
Top
profilo
MessaggioInviato: 20/09/2023, 20:32 
Avatar utente

Iscritto il: 09/11/2009, 14:12
Messaggi: 5189
Località: Hradec Kralove,Czech republik
Nome: Jan Matějíček
http://www.kaefer-der-welt.com/staphyli ... nitale.htm
http://www.kaefer-der-welt.com/atheta_genitale.htm

_________________
Research Fields
Taxonomy, ecology, biomonitoring , faunistic of Staphylinidae


Top
profilo
MessaggioInviato: 20/09/2023, 21:08 
Avatar utente

Iscritto il: 05/05/2016, 11:22
Messaggi: 2983
Località: Santa Maria delle mole, Marino, Rm
Nome: Roberto Vanzini
Grazie mille Jan :birra:

_________________
Roberto Vanzini


Top
profilo
Visualizza ultimi messaggi:  Ordina per  
nuovo argomento
rispondi
Pagina 1 di 1 [ 15 messaggi ]

Tutti gli orari sono UTC + 1 ora [ ora legale ]


Chi c’è in linea

Visitano il forum: Nessuno e 0 ospiti


Non puoi aprire nuovi argomenti
Non puoi rispondere negli argomenti
Non puoi modificare i tuoi messaggi
Non puoi cancellare i tuoi messaggi
Non puoi inviare allegati

Cerca per:
Vai a: