Benvenuto Ospite

Forum Entomologi Italiani

www.entomologiitaliani.net/forum
 
Oggi è 02/04/2026, 12:03

Tutti gli orari sono UTC + 1 ora [ ora legale ]

Podabrus sp. - Cantharidae

14.VI.2023 - STATI UNITI - EE, Tompkins County, New York


nuovo argomento
rispondi
Pagina 1 di 1 [ 3 messaggi ]
Autore Messaggio
 Oggetto del messaggio: Podabrus sp. - Cantharidae
MessaggioInviato: 09/01/2024, 2:36 
Avatar utente

Iscritto il: 10/02/2018, 9:53
Messaggi: 277
Località: USA
Nome: Andrea Quaroni
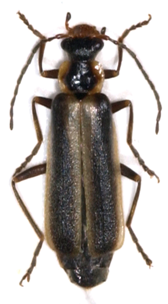
Con l'avvento dell'anno nuovo ho finalmente deciso di mettere ordine nei coleotteri raccolti l'anno scorso, e mi sono imbattuto in un gruppo la cui identificazione mi e' proprio impssibile. Spero questo Illustre Forum possa aiutarmi, anche solo la Famiglia mi sarebbe di molto aiuto! Questo e' il #12: mi sembra un Cantaride, ma non sono riuscito a trovarlo sui testi a mia disposizione. Lunghezza sui 12 mm


cantaridae.jpg

Top
profilo
 Oggetto del messaggio: Re: Coleottero americano #12
MessaggioInviato: 09/01/2024, 4:13 
 

Iscritto il: 13/06/2022, 19:25
Messaggi: 205
Località: Cambiago (MI)
Nome: Lorenzo Locati
Podabrus, forse basillaris


Top
profilo
 Oggetto del messaggio: Re: Coleottero americano #12
MessaggioInviato: 09/01/2024, 20:06 
Avatar utente

Iscritto il: 10/02/2018, 9:53
Messaggi: 277
Località: USA
Nome: Andrea Quaroni
Grazie mille ! :birra: :birra: :birra:

Sul genere non ho dubbi, ma sulla specie non sono del tutto convinto. Mi sembra di notare differenze (non so fino a che punto significative) fra il mio esemplare ed il Podabrus basillaris, includendo un piu' curvo pronoto e l'estensione della banda piu' chiara laterale dell'elitra alla base. Ma non sono riuscito a trovare una specie che piu' assomigli alla mia, quindi e' probabilmente una identificazione del tutto corretta

Grazie ancora


Andrea


Top
profilo
Visualizza ultimi messaggi:  Ordina per  
nuovo argomento
rispondi
Pagina 1 di 1 [ 3 messaggi ]

Tutti gli orari sono UTC + 1 ora [ ora legale ]


Chi c’è in linea

Visitano il forum: Nessuno e 1 ospite


Non puoi aprire nuovi argomenti
Non puoi rispondere negli argomenti
Non puoi modificare i tuoi messaggi
Non puoi cancellare i tuoi messaggi
Non puoi inviare allegati

Cerca per:
Vai a: