Benvenuto Ospite

Forum Entomologi Italiani

www.entomologiitaliani.net/forum
 
Oggi è 10/02/2026, 15:10

Tutti gli orari sono UTC + 1 ora [ ora legale ]

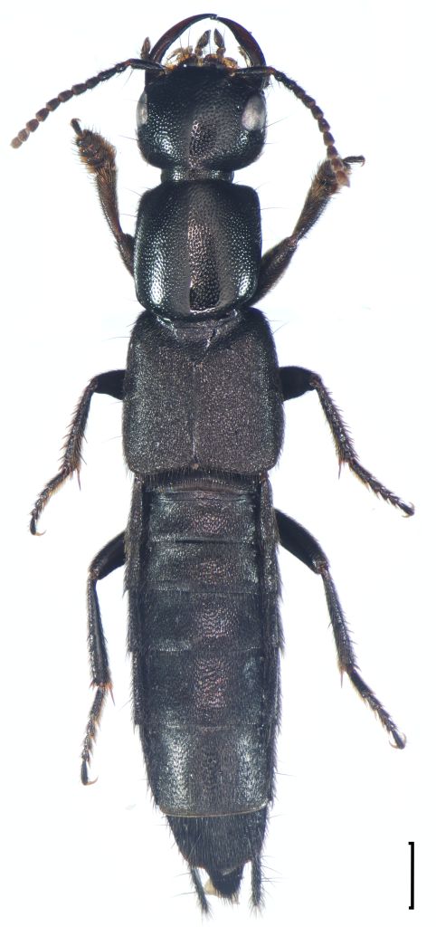
Tasgius globulifer (Geoffroy, 1785) (cf.) - Staphylinidae

18.VII.2020 - ITALIA - Friuli-Venezia Giulia - UD, Feletto Umberto


nuovo argomento
rispondi
Pagina 1 di 1 [ 4 messaggi ]
Autore Messaggio
MessaggioInviato: 24/11/2024, 18:04 
 

Iscritto il: 02/10/2013, 16:28
Messaggi: 48
Località: Pozzuolo del Friuli
Nome: Simone Marcatti
Continuo con gli stafilinidi: 13mm
Grazie in anticipo


Stafilinidae 3.jpg

Top
profilo
 Oggetto del messaggio: Re: Stafilinidae da determinare 3
MessaggioInviato: 25/11/2024, 10:37 
 

Iscritto il: 06/02/2009, 9:09
Messaggi: 530
Località: Milano
Nome: Nicola Pilon
Senza estrazione non si arriva con certezza alla specie. In Friuli ci sono 3 specie molto simili:
Tasgius winkleri
Tasgius globulifer
Tasgius melanarius

Nic


Top
profilo
 Oggetto del messaggio: Re: Stafilinidae da determinare 3
MessaggioInviato: 25/11/2024, 16:43 
Avatar utente

Iscritto il: 09/11/2009, 14:12
Messaggi: 5189
Località: Hradec Kralove,Czech republik
Nome: Jan Matějíček
:?: globulifer Geoffroy, 1785

genus: Tasgius Stephens, 1829
subgenus: Rayacheila Motschulsky, 1845

globulifer Geoffroy, 1785
melanarius Heer, 1839
winkleri Bernhauer, 1906


media_20241115_191504_251103121756246921.jpg

winkleri Bernhauer, 1906
winckler.jpg

melanarius Heer, 1839
melanari.jpg

globulifer Geoffroy, 1785
globulif.jpg

Rayacheila . Tasgius.jpg


_________________
Research Fields
Taxonomy, ecology, biomonitoring , faunistic of Staphylinidae
Top
profilo
 Oggetto del messaggio: Re: Stafilinidae da determinare 3
MessaggioInviato: 26/11/2024, 21:27 
 

Iscritto il: 02/10/2013, 16:28
Messaggi: 48
Località: Pozzuolo del Friuli
Nome: Simone Marcatti
Intanto grazie, proverò a cimentarmi con l'estrazione


Top
profilo
Visualizza ultimi messaggi:  Ordina per  
nuovo argomento
rispondi
Pagina 1 di 1 [ 4 messaggi ]

Tutti gli orari sono UTC + 1 ora [ ora legale ]


Chi c’è in linea

Visitano il forum: Nessuno e 0 ospiti


Non puoi aprire nuovi argomenti
Non puoi rispondere negli argomenti
Non puoi modificare i tuoi messaggi
Non puoi cancellare i tuoi messaggi
Non puoi inviare allegati

Cerca per:
Vai a:  
cron