Benvenuto Ospite

Forum Entomologi Italiani

www.entomologiitaliani.net/forum
 
Oggi è 18/12/2025, 23:43

Tutti gli orari sono UTC + 1 ora [ ora legale ]

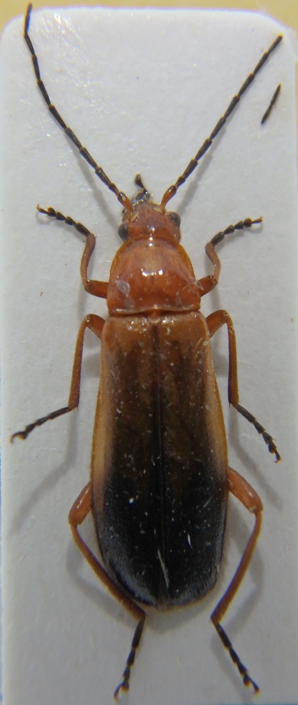
Rhagonycha fulva (Scopoli,1763) - Cantharidae

22.VI.2022 - ITALIA - Toscana - GR, Roccastrada


nuovo argomento
rispondi
Pagina 1 di 1 [ 3 messaggi ]
Autore Messaggio
MessaggioInviato: 05/02/2025, 13:10 
 

Iscritto il: 08/05/2011, 15:36
Messaggi: 363
Nome: Gabriele Stefani
Buongiorno,

cantaride di 10 mm. dalla Maremma toscana, potrebbe essere Rhagonycha fulva (Scop.,1763) con quelle macchie gialle sulla metà elitrale?

Grazie per ogni aiuto.

Gabriele.


P2050002.JPG

Top
profilo
 Oggetto del messaggio: Re: Determinazione Cantharidae
MessaggioInviato: 14/02/2025, 13:50 
Avatar utente

Iscritto il: 08/07/2022, 10:09
Messaggi: 383
Località: Lucca (LU)
Nome: Massimiliano Marchi
Gabriele ha scritto:
... potrebbe essere Rhagonycha fulva (Scop.,1763) ...?

In Toscana con la testa rossa dovrebbe esserci solo lei :ok:


Top
profilo
 Oggetto del messaggio: Re: Determinazione Cantharidae
MessaggioInviato: 14/02/2025, 18:51 
 

Iscritto il: 08/05/2011, 15:36
Messaggi: 363
Nome: Gabriele Stefani
Grazie Massimiliano, avevo diversi dubbi in merito....


Buona serata.
Gabriele :birra:


Top
profilo
Visualizza ultimi messaggi:  Ordina per  
nuovo argomento
rispondi
Pagina 1 di 1 [ 3 messaggi ]

Tutti gli orari sono UTC + 1 ora [ ora legale ]


Chi c’è in linea

Visitano il forum: Nessuno e 1 ospite


Non puoi aprire nuovi argomenti
Non puoi rispondere negli argomenti
Non puoi modificare i tuoi messaggi
Non puoi cancellare i tuoi messaggi
Non puoi inviare allegati

Cerca per:
Vai a: