Benvenuto Ospite

Forum Entomologi Italiani

www.entomologiitaliani.net/forum
 
Oggi è 06/02/2026, 17:27

Tutti gli orari sono UTC + 1 ora [ ora legale ]

Philonthus sp. - Staphylinidae. Lazio

27.VIII.2010 - ITALIA - Lazio - FR, Lago di Canterno


nuovo argomento
rispondi
Pagina 1 di 1 [ 5 messaggi ]
Autore Messaggio
 Oggetto del messaggio: Philonthus sp. - Staphylinidae. Lazio
MessaggioInviato: 31/08/2010, 0:03 
Avatar utente

Iscritto il: 30/12/2009, 22:20
Messaggi: 31564
Località: Roma
Nome: Maurizio Gigli
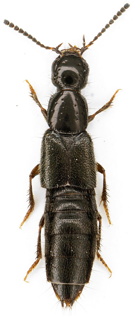
Altro Staphylinidae sulle sponde del lago.

Lazio, Frosinone, Lago di Canterno, 27.VIII.2010, sotto pietra sulle sponde del lago, M. Gigli legit
5,7 mm

Staphylinidae_Lago_di_Canterno_27-VIII-2010_b.jpg


_________________
Maurizio Gigli
http://utenti.romascuola.net/bups
http://bup.xoom.it/


Top
profilo
 Oggetto del messaggio: Re: Staphylinidae - Lazio
MessaggioInviato: 31/08/2010, 8:42 
Avatar utente

Iscritto il: 05/02/2009, 17:25
Messaggi: 4894
Località: Zola Predosa (BO)
Nome: Loris Colacurcio
Così, tanto per discorrere, mi sembra molto vicino ai Quedius sp.
:hi:

_________________
Loris


Top
profilo
 Oggetto del messaggio: Re: Staphylinidae - Lazio
MessaggioInviato: 31/08/2010, 8:56 
Avatar utente

Iscritto il: 30/12/2009, 22:20
Messaggi: 31564
Località: Roma
Nome: Maurizio Gigli
Loriscola ha scritto:
Così, tanto per discorrere, mi sembra molto vicino ai Quedius sp.
:hi:

E' la prima impressione che ho avuto anche io vedendo le fossette su testa e protorace, ma giusto come impressione da profano.

_________________
Maurizio Gigli
http://utenti.romascuola.net/bups
http://bup.xoom.it/


Top
profilo
 Oggetto del messaggio: Re: Staphylinidae - Lazio
MessaggioInviato: 31/08/2010, 13:20 
Avatar utente

Iscritto il: 09/11/2009, 14:12
Messaggi: 5189
Località: Hradec Kralove,Czech republik
Nome: Jan Matějíček
Questo non è Quedius essa Philonthus

_________________
Research Fields
Taxonomy, ecology, biomonitoring , faunistic of Staphylinidae


Top
profilo
 Oggetto del messaggio: Re: Staphylinidae - Lazio
MessaggioInviato: 31/08/2010, 14:30 
Avatar utente

Iscritto il: 30/12/2009, 22:20
Messaggi: 31564
Località: Roma
Nome: Maurizio Gigli
Thank you very much, Jan.

_________________
Maurizio Gigli
http://utenti.romascuola.net/bups
http://bup.xoom.it/


Top
profilo
Visualizza ultimi messaggi:  Ordina per  
nuovo argomento
rispondi
Pagina 1 di 1 [ 5 messaggi ]

Tutti gli orari sono UTC + 1 ora [ ora legale ]


Chi c’è in linea

Visitano il forum: Nessuno e 0 ospiti


Non puoi aprire nuovi argomenti
Non puoi rispondere negli argomenti
Non puoi modificare i tuoi messaggi
Non puoi cancellare i tuoi messaggi
Non puoi inviare allegati

Cerca per:
Vai a: