Benvenuto Ospite

Forum Entomologi Italiani

www.entomologiitaliani.net/forum
 
Oggi è 24/03/2026, 4:13

Tutti gli orari sono UTC + 1 ora [ ora legale ]

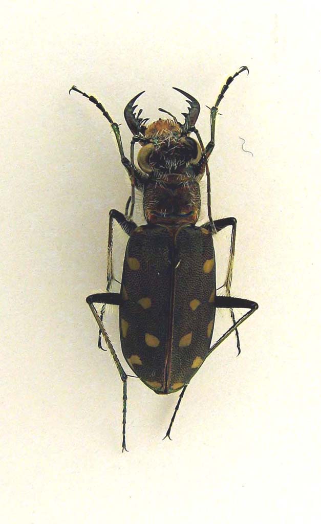
Calomera littoralis fiorii (Grandi, 1906) - Carabidae, Cicindelinae

30.VII.2010 - ITALIA - Sardegna - CA, Sant'Antioco - spiaggia Coaqquaddas


nuovo argomento
rispondi
Pagina 1 di 1 [ 4 messaggi ]
Autore Messaggio
MessaggioInviato: 03/09/2010, 12:02 
Avatar utente

Iscritto il: 31/08/2009, 8:42
Messaggi: 270
Località: Milano
Nome: Giampaolo Bosi
sarà lei? :?

SARDEGNA - Sant'Antioco - spiaggia Coaqquaddas (spero si scriva così!) - 30.VII.2010
15-17 mm
Lophyridia littoralis.jpg


_________________
:hi: Giampaolo


Top
profilo
 Oggetto del messaggio: Re: Lophyridia littoralis ?? Sardegna
MessaggioInviato: 03/09/2010, 12:28 
Avatar utente

Iscritto il: 01/11/2009, 9:51
Messaggi: 2330
Nome: Andrea Rattu
Si, ora si chiama Calomera littoralis fiorii (Grandi, 1906)

_________________
Se gettassi su di un piatto della bilancia tutto ciò che ho imparato a comprendere in quelle ore di meditazione di fronte all'acquario, e sull'altro tutto ciò che ho ricavato dai libri, come rimarrebbe leggero il secondo!
Konrad Lorenz


Top
profilo
 Oggetto del messaggio: Re: Lophyridia littoralis ?? Sardegna
MessaggioInviato: 03/09/2010, 12:31 
Avatar utente

Iscritto il: 31/08/2009, 8:42
Messaggi: 270
Località: Milano
Nome: Giampaolo Bosi
OK :ok: grazie mille Andrea :birra:

_________________
:hi: Giampaolo


Top
profilo
 Oggetto del messaggio: Re: Lophyridia littoralis ?? Sardegna
MessaggioInviato: 03/09/2010, 12:53 
Avatar utente

Iscritto il: 02/09/2009, 20:57
Messaggi: 8703
Località: Cagliari
Nome: Roberto Rattu
Hydropaulus ha scritto:
spiaggia Coaqquaddas (spero si scriva così!)


Il toponimo dovrebbe essere scritto Coa Cuaddus, cioè 'coda (dei) cavalli'!!

:hi:


Top
profilo
Visualizza ultimi messaggi:  Ordina per  
nuovo argomento
rispondi
Pagina 1 di 1 [ 4 messaggi ]

Tutti gli orari sono UTC + 1 ora [ ora legale ]


Chi c’è in linea

Visitano il forum: Nessuno e 22 ospiti


Non puoi aprire nuovi argomenti
Non puoi rispondere negli argomenti
Non puoi modificare i tuoi messaggi
Non puoi cancellare i tuoi messaggi
Non puoi inviare allegati

Cerca per:
Vai a:  
cron