Benvenuto Ospite

Forum Entomologi Italiani

www.entomologiitaliani.net/forum
 
Oggi è 16/02/2026, 14:57

Tutti gli orari sono UTC + 1 ora [ ora legale ]

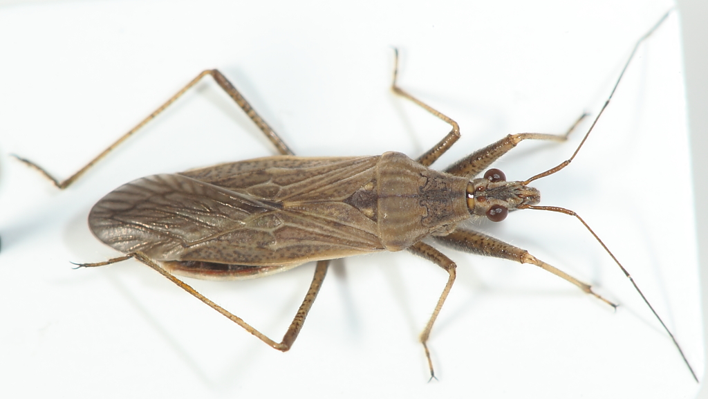
Nabis sp. - Nabidae - Toscana - Isola d'Elba



nuovo argomento
rispondi
Pagina 1 di 1 [ 2 messaggi ]
Autore Messaggio
MessaggioInviato: 24/10/2010, 0:25 
Avatar utente

Iscritto il: 17/02/2009, 0:05
Messaggi: 8524
Località: Isola d'Elba - Arcipelago Toscano
Nome: Leonardo Forbicioni
Portoferraio 22.X.2010

Sono fortemente combattuto tra: Nabis (Nabis) punctatus A. Costa, 1847 e Nabis (Nabis) pseudoferus Remane, 1949........non credo di essere lontano dalla giusta determinazione ma non so andare oltre!!! :msic :msic :pc:

DET12.JPG

DET13.JPG


_________________
"Stay hungry, stay foolish".
Steve Jobs, 2005
___________________
jjuniper8(at)gmail.com
Twitter: @weevil_forbix
cell. 339/5275910
___________________


Top
profilo
MessaggioInviato: 02/11/2010, 15:01 
Avatar utente

Iscritto il: 05/02/2009, 17:36
Messaggi: 780
Nome: Attilio Carapezza
Soltanto l'esame dei genitali potrebbe indicarci la corretta identificazione di questa femmina di Nabis sp.


Top
profilo
Visualizza ultimi messaggi:  Ordina per  
nuovo argomento
rispondi
Pagina 1 di 1 [ 2 messaggi ]

Tutti gli orari sono UTC + 1 ora [ ora legale ]


Chi c’è in linea

Visitano il forum: Nessuno e 0 ospiti


Non puoi aprire nuovi argomenti
Non puoi rispondere negli argomenti
Non puoi modificare i tuoi messaggi
Non puoi cancellare i tuoi messaggi
Non puoi inviare allegati

Cerca per:
Vai a: