Benvenuto Ospite

Forum Entomologi Italiani

www.entomologiitaliani.net/forum
 
Oggi è 31/01/2026, 13:36

Tutti gli orari sono UTC + 1 ora [ ora legale ]

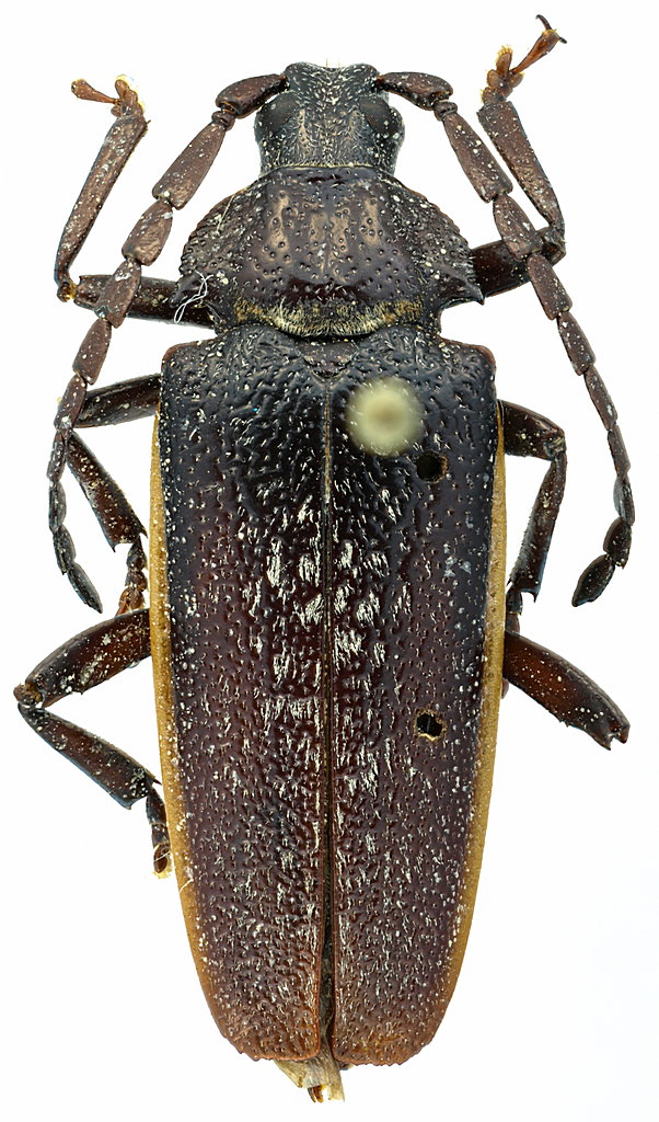
Prosternodes (cf.) - Cerambycidae Prioninae Solenopterini - Puerto Rico

10.III.1983 - PORTO RICO - EE, Puerto Rico, San Sebastian


nuovo argomento
rispondi
Pagina 1 di 1 [ 5 messaggi ]
Autore Messaggio
MessaggioInviato: 02/11/2010, 1:30 
Avatar utente

Iscritto il: 30/12/2009, 22:20
Messaggi: 31564
Località: Roma
Nome: Maurizio Gigli
Dai miei primi scambi con l'estero.

Questo dovrebbe essere un Mallaspino, non so di quale genere, ed anche piuttosto malridotto.

Puerto Rico, San Sebastian, 10.III.1983, L. Perez legit
20 mm
Mallaspini_1_PuertoRico_SanSebastian_10-III-1983_L-Perez_20mm.jpg


_________________
Maurizio Gigli
http://utenti.romascuola.net/bups
http://bup.xoom.it/


Top
profilo
MessaggioInviato: 02/11/2010, 9:00 
Avatar utente

Iscritto il: 05/09/2009, 7:56
Messaggi: 3445
Località: Cesena
Nome: Gianfranco Sama
Cerambycidae Prioninae Solenopterini
Prosternodes sp. ?

_________________
Gianfranco Sama

"Benedetto colui che ti aiuta a correggere i tuoi errori invece di scagliarteli contro"
___________________________________
Gershom Sholem


Top
profilo
MessaggioInviato: 04/11/2010, 23:41 
Avatar utente

Iscritto il: 30/12/2009, 22:20
Messaggi: 31564
Località: Roma
Nome: Maurizio Gigli
Isotomus ha scritto:
Cerambycidae Prioninae Solenopterini
Prosternodes sp. ?

Grazie Gianfranco. Il punto interrogativo è riferito alla specie o al genere?

_________________
Maurizio Gigli
http://utenti.romascuola.net/bups
http://bup.xoom.it/


Top
profilo
MessaggioInviato: 06/11/2010, 17:54 
Avatar utente

Iscritto il: 05/09/2009, 7:56
Messaggi: 3445
Località: Cesena
Nome: Gianfranco Sama
Julodis ha scritto:
Isotomus ha scritto:
Cerambycidae Prioninae Solenopterini
Prosternodes sp. ?

Grazie Gianfranco. Il punto interrogativo è riferito alla specie o al genere?


A entrambi :mrgreen:

_________________
Gianfranco Sama

"Benedetto colui che ti aiuta a correggere i tuoi errori invece di scagliarteli contro"
___________________________________
Gershom Sholem


Top
profilo
MessaggioInviato: 06/11/2010, 19:15 
Avatar utente

Iscritto il: 30/12/2009, 22:20
Messaggi: 31564
Località: Roma
Nome: Maurizio Gigli
Bestia enigmatica, quindi!

_________________
Maurizio Gigli
http://utenti.romascuola.net/bups
http://bup.xoom.it/


Top
profilo
Visualizza ultimi messaggi:  Ordina per  
nuovo argomento
rispondi
Pagina 1 di 1 [ 5 messaggi ]

Tutti gli orari sono UTC + 1 ora [ ora legale ]


Chi c’è in linea

Visitano il forum: Nessuno e 1 ospite


Non puoi aprire nuovi argomenti
Non puoi rispondere negli argomenti
Non puoi modificare i tuoi messaggi
Non puoi cancellare i tuoi messaggi
Non puoi inviare allegati

Cerca per:
Vai a: