Benvenuto Ospite

Forum Entomologi Italiani

www.entomologiitaliani.net/forum
 
Oggi è 16/03/2026, 17:47

Tutti gli orari sono UTC + 1 ora [ ora legale ]

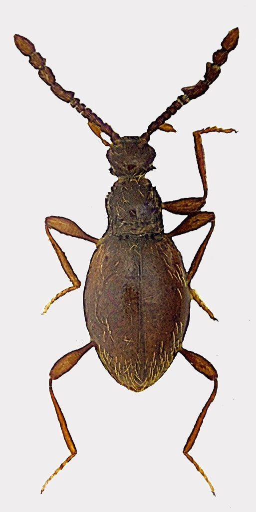
Euconnus (Cladoconnus) kiesenwetteri (Kiesenwetter, 1852) - Staphylinidae Scydmaenini

5.VI.2010 - ITALIA - Veneto - BL, Pedavena:M. Avena Troi della Zecona 46° 2'38"N 11°50'40"E


nuovo argomento
rispondi
Pagina 1 di 1 [ 12 messaggi ]
Autore Messaggio
MessaggioInviato: 08/01/2011, 16:13 
Avatar utente

Iscritto il: 08/06/2009, 0:06
Messaggi: 3415
Località: Feltre(BL)
Nome: Nicola Dal Zotto
Ed ecco qui un' altra di queste bestiole... scusate se vi tedio, ma ormai è na sfida con me stesso far delle foto degne a questi e la strada è mooolto lunga ancora :devil: :devil: :x
coso-ennesima-voltaf.jpg


_________________
Nicola Dal Zotto


Top
profilo
 Oggetto del messaggio: Re: ed un' altro....
MessaggioInviato: 08/01/2011, 16:38 
Avatar utente

Iscritto il: 08/06/2009, 0:06
Messaggi: 3415
Località: Feltre(BL)
Nome: Nicola Dal Zotto
guardando questo trovato nella stessa zona,


forse Euconnus?

Nicola

_________________
Nicola Dal Zotto


Top
profilo
 Oggetto del messaggio: Re: ed un' altro....
MessaggioInviato: 08/01/2011, 16:53 
Avatar utente

Iscritto il: 05/02/2009, 17:28
Messaggi: 3228
Nome: Marco Uliana
Sì, del sottogenere Cladoconnus


Top
profilo
 Oggetto del messaggio: Re: ed un' altro....
MessaggioInviato: 08/01/2011, 17:02 
Avatar utente

Iscritto il: 05/02/2009, 17:28
Messaggi: 3228
Nome: Marco Uliana
PS: Secondo me appiattisci un po' troppo le ombre in postproduzione.
Non è che esageri con lo strumento shadow/highlight? ;)


Top
profilo
 Oggetto del messaggio: Re: ed un' altro....
MessaggioInviato: 08/01/2011, 17:38 
Avatar utente

Iscritto il: 08/06/2009, 0:06
Messaggi: 3415
Località: Feltre(BL)
Nome: Nicola Dal Zotto
Glaphyrus ha scritto:
PS: Secondo me appiattisci un po' troppo le ombre in postproduzione.
Non è che esageri con lo strumento shadow/highlight? ;)


:hp: :hp: :hp:

Ecco una prova senza schiarire ma solo usando la lue di recupero:
coso-ennesima-voltano-ombre.jpg


coso-ennesima-voltaombre-contrasto.jpg


_________________
Nicola Dal Zotto


Top
profilo
 Oggetto del messaggio: Re: ed un' altro....
MessaggioInviato: 08/01/2011, 17:41 
Avatar utente

Iscritto il: 05/02/2009, 17:28
Messaggi: 3228
Nome: Marco Uliana
Moooolto meglio :ok:


Top
profilo
 Oggetto del messaggio: Re: ed un' altro....
MessaggioInviato: 08/01/2011, 19:01 
Avatar utente

Iscritto il: 08/06/2009, 0:06
Messaggi: 3415
Località: Feltre(BL)
Nome: Nicola Dal Zotto
Glaphyrus ha scritto:
Moooolto meglio :ok:

E questa mi piace mooolto di piu delle precedenti, anche se è piu diffusa, ma carta piu fine per evitare il riflesso (ho usato carta velina) non ne ho trovata :cry: :cry:
Pian piano miglioro:) Grazie del consiglio illuminante!!!
ennesimof.jpg


_________________
Nicola Dal Zotto


Top
profilo
 Oggetto del messaggio: Re: ed un' altro....
MessaggioInviato: 08/01/2011, 19:35 
Avatar utente

Iscritto il: 05/02/2009, 17:28
Messaggi: 3228
Nome: Marco Uliana
Maw89 ha scritto:
Grazie del consiglio illuminante!!!


Oscurante vorrai dire :D


Top
profilo
 Oggetto del messaggio: Re: ed un' altro....
MessaggioInviato: 08/01/2011, 19:51 
Avatar utente

Iscritto il: 08/06/2009, 0:06
Messaggi: 3415
Località: Feltre(BL)
Nome: Nicola Dal Zotto
Glaphyrus ha scritto:
Maw89 ha scritto:
Grazie del consiglio illuminante!!!


Oscurante vorrai dire :D


:lol1: :lol1:

Già che ci sono, metto l'eveluzione di questa bestiola per rendere l'idea di perchè sia tutto contento :hp: :hp: :birra:
evof.jpg


_________________
Nicola Dal Zotto


Top
profilo
 Oggetto del messaggio: Re: ed un' altro....
MessaggioInviato: 08/01/2011, 21:02 
Avatar utente

Iscritto il: 09/11/2009, 14:12
Messaggi: 5194
Località: Hradec Kralove,Czech republik
Nome: Jan Matějíček
Euconnus (Cladoconnus) kiesenwetteri (Kiesenwetter, 1852)


Euconnus (Cladoconnus) kiesenwetteri (Kiesenwetter, 1852).jpg


_________________
Research Fields
Taxonomy, ecology, biomonitoring , faunistic of Staphylinidae
Top
profilo
 Oggetto del messaggio: Re: ed un' altro....
MessaggioInviato: 08/01/2011, 22:48 
Avatar utente

Iscritto il: 05/02/2009, 17:25
Messaggi: 4894
Località: Zola Predosa (BO)
Nome: Loris Colacurcio
Splendido...in che ambiente l'hai trovato ? Sempre con trappola o setacciando ?
Sono curioso ....

:hi:

_________________
Loris


Top
profilo
 Oggetto del messaggio: Re: ed un' altro....
MessaggioInviato: 08/01/2011, 23:30 
Avatar utente

Iscritto il: 08/06/2009, 0:06
Messaggi: 3415
Località: Feltre(BL)
Nome: Nicola Dal Zotto
Honza ha scritto:
Euconnus (Cladoconnus) kiesenwetteri (Kiesenwetter, 1852)


Grazie!!! :lov2:

Loriscola ha scritto:
Splendido...in che ambiente l'hai trovato ? Sempre con trappola o setacciando ?
Sono curioso ....

:hi:


A dire il vero mi è piombato sul braccio mentre falciavo e pensavo fosse una mosca o affini... motivo della zampa assente...

Nicola

_________________
Nicola Dal Zotto


Top
profilo
Visualizza ultimi messaggi:  Ordina per  
nuovo argomento
rispondi
Pagina 1 di 1 [ 12 messaggi ]

Tutti gli orari sono UTC + 1 ora [ ora legale ]


Chi c’è in linea

Visitano il forum: Nessuno e 1 ospite


Non puoi aprire nuovi argomenti
Non puoi rispondere negli argomenti
Non puoi modificare i tuoi messaggi
Non puoi cancellare i tuoi messaggi
Non puoi inviare allegati

Cerca per:
Vai a: