Benvenuto Ospite

Forum Entomologi Italiani

www.entomologiitaliani.net/forum
 
Oggi è 22/05/2026, 23:09

Tutti gli orari sono UTC + 1 ora [ ora legale ]

Nabicula (Nabicula) flavomarginata (Scholz, 1847) ♀ (Nabidae). Val di Fassa



nuovo argomento
rispondi
Pagina 1 di 1 [ 5 messaggi ]
Autore Messaggio
MessaggioInviato: 03/09/2009, 0:59 
Avatar utente

Iscritto il: 05/02/2009, 17:25
Messaggi: 4894
Località: Zola Predosa (BO)
Nome: Loris Colacurcio
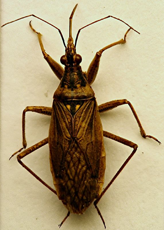
Ed invece questo eterottero si trovava sotto una pietra al Passo Fedaia, ai piedi della Marmolada.

Eterottero 01 (Fedaia).jpg



Loris

_________________
Loris


Top
profilo
 Oggetto del messaggio: Re: Eterottero 2 Val di Fassa
MessaggioInviato: 03/09/2009, 19:33 
Avatar utente

Iscritto il: 05/02/2009, 17:36
Messaggi: 781
Nome: Attilio Carapezza
Femmina di Nabis (s. str.) sp.; la determinazione a livello specifico è possibile soltanto esaminando i genitali.


Top
profilo
MessaggioInviato: 30/09/2009, 13:57 
Avatar utente

Iscritto il: 05/02/2009, 17:34
Messaggi: 894
Località: Sondrio - Lombardia - Italia
Nome: Paride Dioli
A prima vista, mi sembra un esemplare dalle dimensioni ragguardevoli che potrebbe far pensare ad una Nabicula macrottera. Infatti i disegni molto scuri del capo e del lobo anteriore del pronoto, ma anche la larghezza dell'addome di questa femmina, mi lasciano alquanto perplesso. Servirebbero perciò le dimensioni corporee esatte. grazie.

_________________
Link: https://www.ndsu.edu/pubweb/~rider/Pentatomoidea/Researchers/Dioli_Paride.htm
Papers in PDF format: https://www.researchgate.net/profile/Paride_Dioli/?ev=hdr_xprf/


Top
profilo
MessaggioInviato: 30/09/2009, 18:56 
Avatar utente

Iscritto il: 05/07/2009, 12:23
Messaggi: 6957
Località: Anzio (RM)
Nome: Vittorio Risoldi
...ho schiarito un po' la foto in modo che si vedano meglio i disegni ;) ....sperando che Loris non si arrabbi :lov2:
Eterottero%2001%20%28Fedaia%29...jpg


_________________
°°°°°°°°°°°°°°°°°°°°°°°°°°°°°°°°°°°°°°°°
Ciao
Vittorio


Flickr

Phe Immagini

Facebook


Top
profilo
MessaggioInviato: 02/10/2009, 21:36 
Avatar utente

Iscritto il: 05/02/2009, 17:34
Messaggi: 894
Località: Sondrio - Lombardia - Italia
Nome: Paride Dioli
La seconda foto, che appare qui sopra, conferma quanto avevo intuito. Ho quindi avuto la possibilità di esaminare l'esemplare in questione grazie alle indicazioni fornite da Loris, potendo accertare - come ipotizzato - che le dimensioni fossero maggiori rispetto a quelle dei Nabis. Inoltre la larghezza dell'addome di questa femmina, le strie scure del pronoto e la tipica colorazione dello scutello, mi hanno portato a sospettare che si trattasse di qualcosa di più grosso, di una forma macrottera di una specie solitamente brachittera.
Posso dunque confermare che si tratta della forma macrottera di:
Nabicula (Nabicula) flavomarginata (Scholz, 1847)

L'ambiente in cui questo nabide è poi stato trovato (sotto una pietra attorno ai 2000 metri) poteva solo confermare che ci troviamo di fronte ad una specie boreo-alpina che, in Italia è prevalentemente alticola in quanto non scende al di sotto dei 1400 metri (una delle quote più basse è infatti Piangembro, la torbiera vicina ad Aprica, Sondrio). In Finlandia e Svezia e nel Nord della Francia e Germania, la si trova a livello del mare.
Da noi è presente sulle Alpi, più rara nell'Appennino, con una stazione isolata sulla Sila.

_________________
Link: https://www.ndsu.edu/pubweb/~rider/Pentatomoidea/Researchers/Dioli_Paride.htm
Papers in PDF format: https://www.researchgate.net/profile/Paride_Dioli/?ev=hdr_xprf/


Top
profilo
Visualizza ultimi messaggi:  Ordina per  
nuovo argomento
rispondi
Pagina 1 di 1 [ 5 messaggi ]

Tutti gli orari sono UTC + 1 ora [ ora legale ]


Chi c’è in linea

Visitano il forum: Nessuno e 0 ospiti


Non puoi aprire nuovi argomenti
Non puoi rispondere negli argomenti
Non puoi modificare i tuoi messaggi
Non puoi cancellare i tuoi messaggi
Non puoi inviare allegati

Cerca per:
Vai a: