|
Tutti gli orari sono UTC + 1 ora [ ora legale ] |

|
| Autore | Messaggio | ||
|---|---|---|---|
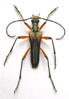
| Giuseppe |
|
||
|
Iscritto il: 05/05/2010, 11:56 Messaggi: 1473 Nome: Giuseppe Mariani |
|
||
| Top |
|
||
| Entomarci |
|
||
|
Iscritto il: 05/08/2009, 18:02 Messaggi: 2264 Nome: Marcello Benelli |
|
||
| Top |
|
||
|
Tutti gli orari sono UTC + 1 ora [ ora legale ] |
Chi c’è in linea |
Visitano il forum: Nessuno e 13 ospiti |
Non puoi aprire nuovi argomenti Non puoi rispondere negli argomenti Non puoi modificare i tuoi messaggi Non puoi cancellare i tuoi messaggi Non puoi inviare allegati |