Benvenuto Ospite

Forum Entomologi Italiani

www.entomologiitaliani.net/forum
 
Oggi è 22/04/2026, 20:47

Tutti gli orari sono UTC + 1 ora [ ora legale ]

Filtro località

Filtro località

In questo pannello è possibile effettuare delle ricerche mirate in base alle località inserite nel forum.

Statistiche

Statistiche
In totale ci sono 90103 taxa:
- 86158 taxa con dati completi
- 2740 taxa con dati parziali, riconducibili ad un paese
- 1205 taxa con dati incompleti


escludi dalla ricerca i subforum
Distribuzione in Europa
Distribuzione in Italia
Filtro applicato: ITALIA - Calabria

Pagina 1 di 6 [ 84 messaggi ]

# A B C D E F G H I J K L M N O P Q R S T U V W X Y Z
 Argomenti   Autore   Risposte   Visite    Ultimo messaggio 
Accanthopus velikensis (Piller & Mitterpacher, 1783) - Tenebrionidae
31.I.2017 - ITALIA - Calabria - CS, Savuto
Allegato(i)
Accanthopus velikensis (Piller & Mitterpacher, 1783) - Tenebrionidae

in Tenebrionidae


Dati di raccolta: 31.I.2017 - ITALIA - Calabria - CS, Savuto

aiello antonio

1

1533

06/02/2017, 22:57

Daniele Maccapani Vedi ultimo messaggio

Accanthopus velikensis (Piller & Mitterpacher, 1783) - Tenebrionidae
12.III.2017 - ITALIA - Calabria - CS, Savuto
Allegato(i)
Accanthopus velikensis (Piller & Mitterpacher, 1783) - Tenebrionidae

in Tenebrionidae


Dati di raccolta: 12.III.2017 - ITALIA - Calabria - CS, Savuto

aiello antonio

1

1447

19/03/2017, 19:53

Fumea crassiorella Vedi ultimo messaggio

Akis trilineata trilineata Herbst, 1799 - Tenebrionidae
2.IX.2013 - ITALIA - Calabria - KR, dint. Cerenzia, loc. Acerentia, 515 m
Allegato(i)
Akis trilineata trilineata Herbst, 1799 - Tenebrionidae

in Tenebrionidae


Dati di raccolta: 2.IX.2013 - ITALIA - Calabria - KR, dint. Cerenzia, loc. Acerentia, 515 m

Valerio

1

1071

13/02/2014, 23:57

Tenebrio Vedi ultimo messaggio

Alphasida (Glabrasida) grossa grossa (Solier, 1836) - Tenebrionidae
IV.1998 - ITALIA - Calabria - RC, Lazzaro
Allegato(i)
Alphasida (Glabrasida) grossa grossa (Solier, 1836) - Tenebrionidae

in Tenebrionidae


Dati di raccolta: IV.1998 - ITALIA - Calabria - RC, Lazzaro

marco paglialunga

3

1520

29/12/2009, 11:39

marco paglialunga Vedi ultimo messaggio

Alphasida (Glabrasida) grossa grossa (Solier, 1836) (cf.) - Tenebrionidae
6.VIII.2002 - ITALIA - Calabria - VV, Capo Vaticano.
Allegato(i)
Alphasida (Glabrasida) grossa grossa (Solier, 1836) (cf.) - Tenebrionidae

in Tenebrionidae


Dati di raccolta: 6.VIII.2002 - ITALIA - Calabria - VV, Capo Vaticano.

Anillus

2

1396

01/11/2011, 18:03

Anillus Vedi ultimo messaggio

Anaspis sp. - Scraptiidae
29.VI.2010 - ITALIA - Calabria - CS, Sila, dint. San Giovanni in Fiore, 1.335 m
Allegato(i)
Anaspis sp. - Scraptiidae

in Scraptiidae


Dati di raccolta: 29.VI.2010 - ITALIA - Calabria - CS, Sila, dint. San Giovanni in Fiore, 1.335 m

Valerio

3

1266

18/11/2014, 23:54

Enrico Ruzzier Vedi ultimo messaggio

Anogcodes ruficollis (Fabricius, 1781) - Oedemeridae
25.VII.2017 - ITALIA - Calabria - CS, Savuto
Allegato(i) Dettagli della specie
Anogcodes ruficollis (Fabricius, 1781) - Oedemeridae

in Oedemeridae


Dati di raccolta: 25.VII.2017 - ITALIA - Calabria - CS, Savuto

aiello antonio

1

948

19/09/2017, 20:31

Chalybion Vedi ultimo messaggio

Anogcodes ruficollis (Fabricius, 1781) - Oedemeridae
12.VI.2023 - ITALIA - Calabria - CZ, Sant' Eufemia Lamezia
Allegato(i)
Anogcodes ruficollis (Fabricius, 1781) - Oedemeridae

in Oedemeridae


Dati di raccolta: 12.VI.2023 - ITALIA - Calabria - CZ, Sant' Eufemia Lamezia

soken

0

753

26/06/2023, 18:40

soken Vedi ultimo messaggio

Anthicus antherinus (Linnaeus, 1761) - Anthicidae
13.VI.2013 - ITALIA - Calabria - CS, Sila, dint. San Giovanni in Fiore, 1.300 m
Allegato(i) Dettagli della specie
Anthicus antherinus (Linnaeus, 1761) - Anthicidae

in Anthicidae


Dati di raccolta: 13.VI.2013 - ITALIA - Calabria - CS, Sila, dint. San Giovanni in Fiore, 1.300 m

Valerio

6

2870

18/11/2014, 9:26

Notoxus59 Vedi ultimo messaggio

Asida (Asida) goryi Solier, 1836 (cf.) - Tenebrionidae
2.VI.2018 - ITALIA - Calabria - RC, località Torre mozza, Marina di Caulonia
Allegato(i)
Asida (Asida) goryi Solier, 1836 (cf.) - Tenebrionidae

in Tenebrionidae


Dati di raccolta: 2.VI.2018 - ITALIA - Calabria - RC, località Torre mozza, Marina di Caulonia

Limonium calabrum

1

988

13/06/2018, 22:47

Lucanus tetraodon Vedi ultimo messaggio

Blaps gibba Laporte de Castelnau, 1840 - Tenebrionidae
23.IV.2012 - ITALIA - Calabria - RC, dint. Cannitello, loc Porticello, 90 m
Allegato(i)
Blaps gibba Laporte de Castelnau, 1840 - Tenebrionidae

in Tenebrionidae


Dati di raccolta: 23.IV.2012 - ITALIA - Calabria - RC, dint. Cannitello, loc Porticello, 90 m

Valerio

4

877

22/02/2014, 22:45

Tenebrio Vedi ultimo messaggio

Blaps gibba Laporte de Castelnau, 1840 - Tenebrionidae
18.V.2016 - ITALIA - Calabria - CS, Caldopiano - comune di Montalto Uffugo
Allegato(i)
Blaps gibba Laporte de Castelnau, 1840 - Tenebrionidae

in Tenebrionidae


Dati di raccolta: 18.V.2016 - ITALIA - Calabria - CS, Caldopiano - comune di Montalto Uffugo

alfredo993

2

1078

23/05/2016, 13:18

alfredo993 Vedi ultimo messaggio

Boromorphus italicus Gardini, 2010 - Tenebrionidae
23.I.2003 - ITALIA - Calabria - RC, Aspromonte, Ferruzzano, 70 m, prato, F. Angelini leg.
Allegato(i)
Boromorphus italicus Gardini, 2010 - Tenebrionidae

in Tenebrionidae


Dati di raccolta: 23.I.2003 - ITALIA - Calabria - RC, Aspromonte, Ferruzzano, 70 m, prato, F. Angelini leg.

Velvet Ant

1

1020

02/03/2014, 0:13

Tenebrio Vedi ultimo messaggio

Catomus rotundicollis (Guérin - Méneville, 1825) - Tenebrionidae
16.IV.2023 - ITALIA - Calabria - CS, Villaggio del Golfo
Allegato(i)
Catomus rotundicollis (Guérin - Méneville, 1825) - Tenebrionidae

in Tenebrionidae


Dati di raccolta: 16.IV.2023 - ITALIA - Calabria - CS, Villaggio del Golfo

StagBeetle

2

710

24/05/2023, 21:20

StagBeetle Vedi ultimo messaggio

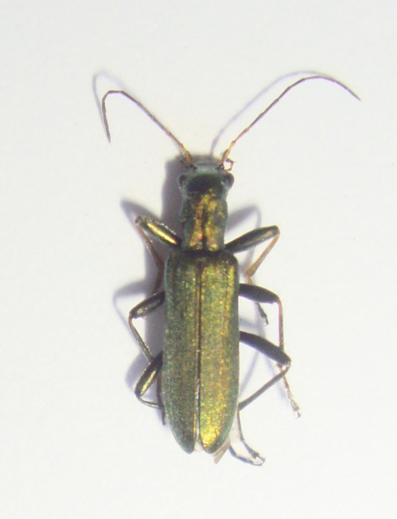
Chrysanthia viridissima (Linnaeus, 1758) - Oedemeridae
23.VI.2013 - ITALIA - Calabria - RC, Monte Scafi
Allegato(i) Dettagli della specie
Chrysanthia viridissima (Linnaeus, 1758) - Oedemeridae

in Oedemeridae


Dati di raccolta: 23.VI.2013 - ITALIA - Calabria - RC, Monte Scafi

Limonium calabrum

0

1026

26/06/2013, 22:45

Limonium calabrum Vedi ultimo messaggio



Inserisci un link per questa ricerca

Inserisci un link per questa ricerca URL
BBCode
HTML
Vai a: