Benvenuto Ospite

Forum Entomologi Italiani

www.entomologiitaliani.net/forum
 
Oggi è 20/04/2026, 23:26

Tutti gli orari sono UTC + 1 ora [ ora legale ]

Scraptiidae


[ AFROTROPICALE ] [ ANTARTICO ] [ AUSTRALASIANO ] [ NEARTICO ] [ NEOTROPICALE ] [ ORIENTALE ] [ PALEARTICO ]


nuovo argomento
Vai alla pagina 1, 2  Prossimo
Pagina 1 di 2 [ 66 argomenti ]
 Argomenti   Ordine   Autore   Risposte   Visite    Ultimo messaggio 
Annunci
Nessun messaggio da leggere
Allegato(i)
Incontri entomologici della Società Entomologica Italiana 2025-2026
 

Velvet Ant

0

49612

17/11/2025, 19:41

Velvet Ant Vedi ultimo messaggio

Nessun messaggio da leggere
Allegato(i)
Incontri entomologici telematici organizzati dalla Società Entomologica Italiana nel 2022 e nel 2023

[ Vai alla paginaVai alla pagina: 1, 2, 3 ]

 

Velvet Ant

44

2007697

03/03/2023, 15:55

Velvet Ant Vedi ultimo messaggio

Nessun messaggio da leggere  
Allegato(i)
Sondaggio sul declino dell'entomofauna in Italia

[ Vai alla paginaVai alla pagina: 1, 2, 3, 4 ]

 

Velvet Ant

52

2680241

22/10/2022, 19:18

Acquarius Vedi ultimo messaggio

Nessun messaggio da leggere  
Allegato(i)
Progetto: Bibliografia ragionata dei lavori entomologici nei quali sono citati reperti apparsi su FEI

[ Vai alla paginaVai alla pagina: 1, 2, 3 ]

 

Velvet Ant

33

1611591

06/07/2023, 18:31

Orotrechus Vedi ultimo messaggio

Nessun messaggio da leggere
Allegato(i)
Mimesi, il primo documentario cinematografico sull’entomologia in Italia: casting
 

mazzeip

1

1137950

28/02/2019, 20:26

mazzeip Vedi ultimo messaggio

Questo argomento è bloccato, non puoi modificare o inviare ulteriori messaggi.
Allegato(i)
ISTRUZIONI PUBBLICAZIONE NUOVI ARGOMENTI E FOTO

 
Altri Ordini di Insetti

Julodis

4

2955282

13/05/2015, 19:37

Julodis Vedi ultimo messaggio

Nessun messaggio da leggere
Allegato(i)
Limitatore giornaliero di messaggi, uno strumento utile e ormai indispensabile

[ Vai alla paginaVai alla pagina: 1 ... 14, 15, 16 ]

 

Velvet Ant

233

13793810

25/09/2014, 14:31

Inachis Vedi ultimo messaggio

Nessun messaggio da leggere  
NORME PER I COLLABORATORI DEL FORUM

 
 

Velvet Ant

0

670747

02/06/2011, 12:05

Velvet Ant Vedi ultimo messaggio

Nessun messaggio da leggere
Allegato(i)
NORME PER GLI UTENTI DEL FORUM

[ Vai alla paginaVai alla pagina: 1, 2, 3 ]



 
 

Velvet Ant

30

3727174

23/09/2014, 23:54

Maurizio Bollino Vedi ultimo messaggio

Nessun messaggio da leggere  
Lista degli utenti del "Forum entomologi italiani" per campi di interesse e specializzazione

 
Altri Ordini di Insetti

Velvet Ant

13

1126018

07/09/2023, 17:14

Roberto-07 Vedi ultimo messaggio

Argomenti
Nessun messaggio da leggere
Allegato(i)
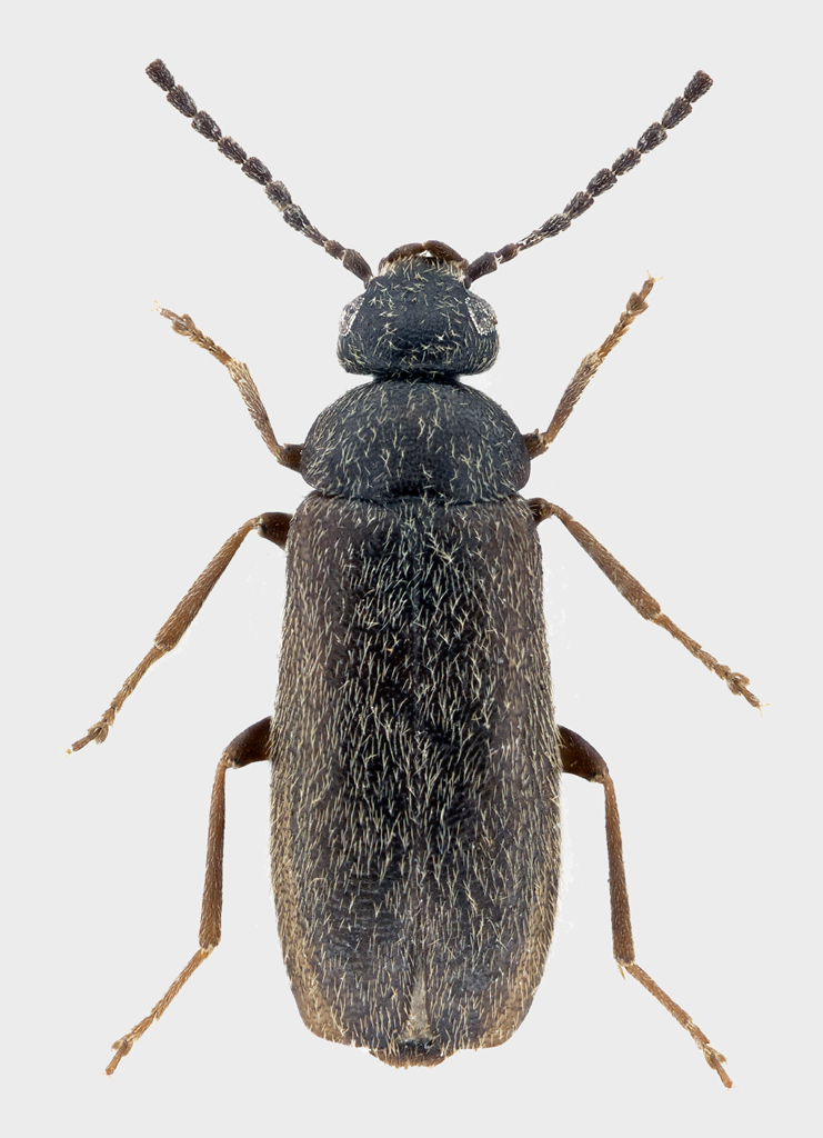
Trotomma (Trotomma) pubescens Kiesenwetter 1851 - Scraptiidae

11.XII.2025 - ITALIA - Lazio - RM
Coleoptera

soken

5

448

18/12/2025, 21:40

soken Vedi ultimo messaggio

Nessun messaggio da leggere
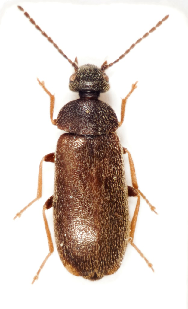
Trotomma (Trotomma) pubescens Kiesenwetter 1851 - Scraptiidae
20.IV.2024 - ITALIA - Toscana - MS
Allegato(i)
Trotomma (Trotomma) pubescens Kiesenwetter 1851 - Scraptiidae

20.IV.2024 - ITALIA - Toscana - MS
Coleoptera

marco paglialunga

2

809

09/05/2024, 14:43

marco paglialunga Vedi ultimo messaggio

Nessun messaggio da leggere
Scraptia dubia (Olivier, 1790) - Scraptiidae
12.VI.2021 - ITALIA - Lazio - RM
Allegato(i)
Scraptia dubia (Olivier, 1790) - Scraptiidae

12.VI.2021 - ITALIA - Lazio - RM
Coleoptera

wgliinsetti

4

890

31/03/2023, 21:53

wgliinsetti Vedi ultimo messaggio

Nessun messaggio da leggere
Allegato(i)
Anaspis (Anaspis) maculata (Geoffroy in Fourcroy, 1785) - Scraptiidae

9.IV.2022 - ITALIA - Sicilia - ME
Coleoptera

Lucanus tetraodon

5

906

23/04/2022, 15:26

Lucanus tetraodon Vedi ultimo messaggio

Nessun messaggio da leggere
Anaspis maculata (Geoffroy in Fourcroy, 1785) - Scraptiidae
28.II.2022 - ITALIA - Toscana - PI
Allegato(i)
Anaspis maculata (Geoffroy in Fourcroy, 1785) - Scraptiidae

28.II.2022 - ITALIA - Toscana - PI
Coleoptera

Stefano79

3

738

15/03/2022, 9:23

Stefano79 Vedi ultimo messaggio

Nessun messaggio da leggere
Scraptia dubia Olivier, 1790 (cf.) - Scraptiidae
13.VI.2010 - ITALIA - Lazio - RM
Allegato(i)
Scraptia dubia Olivier, 1790 (cf.) - Scraptiidae

13.VI.2010 - ITALIA - Lazio - RM
Coleoptera

soken

2

660

19/01/2022, 12:46

soken Vedi ultimo messaggio

Nessun messaggio da leggere
Allegato(i)
Anaspis (Anaspis) maculata (Geoffroy in Fourcroy, 1785) (cf.) - Scraptiidae

10.IV.2021 - ITALIA - Lazio - RM
Coleoptera

soken

2

887

03/06/2021, 7:07

Carlo Monari Vedi ultimo messaggio

Nessun messaggio da leggere
Allegato(i)
Anaspis (Anaspis) maculata (Geoffroy in Fourcroy, 1785) - Scraptiidae

3.V.2021 - ITALIA - Lazio - RI
Coleoptera

wgliinsetti

2

684

28/05/2021, 10:04

wgliinsetti Vedi ultimo messaggio

Nessun messaggio da leggere
Anaspis sp. ♀ - Scraptiidae
3.V.2021 - ITALIA - Lazio - RI
Allegato(i)
Anaspis sp. ♀ - Scraptiidae

3.V.2021 - ITALIA - Lazio - RI
Coleoptera

wgliinsetti

2

616

25/05/2021, 21:00

wgliinsetti Vedi ultimo messaggio

Nessun messaggio da leggere
Anaspis sp. - Scraptiidae Anaspidinae
13.IV.2021 - SPAGNA - EE
Allegato(i)
Anaspis sp. - Scraptiidae Anaspidinae

13.IV.2021 - SPAGNA - EE
Coleoptera

Dicomed

2

675

24/04/2021, 17:32

Dicomed Vedi ultimo messaggio

Nessun messaggio da leggere
Anaspis sp. - Scraptiidae Anaspidinae
18.VI.2020 - BULGARIA - EE
Allegato(i)
Anaspis sp. - Scraptiidae Anaspidinae

18.VI.2020 - BULGARIA - EE
Coleoptera

Joro

2

676

13/04/2021, 10:39

Joro Vedi ultimo messaggio

Nessun messaggio da leggere
Anaspis (Anaspis) lurida Stephens, 1832 - Scraptiidae
26.VII.2018 - ITALIA - Sicilia - ME
Allegato(i)
Anaspis (Anaspis) lurida Stephens, 1832 - Scraptiidae

26.VII.2018 - ITALIA - Sicilia - ME
Coleoptera

Lucanus tetraodon

2

655

28/01/2021, 16:46

Lucanus tetraodon Vedi ultimo messaggio

Nessun messaggio da leggere
Allegato(i)
Anaspis (Silaria) varians Mulsant, 1856 (cf.) - Scraptiidae

5.VII.2020 - ITALIA - Lazio - RM
Coleoptera

soken

3

1022

11/07/2020, 18:16

soken Vedi ultimo messaggio

Nessun messaggio da leggere
Anaspis sp. - Scraptiidae
17.V.2020 - ITALIA - Sardegna - OT
Allegato(i)
Anaspis sp. - Scraptiidae

17.V.2020 - ITALIA - Sardegna - OT
Coleoptera

Mauro

2

1393

19/05/2020, 11:10

Mauro Vedi ultimo messaggio

Nessun messaggio da leggere
Allegato(i)
Anaspis maculata (Geoffroy in Fourcroy, 1785) - Scraptiidae

4.IV.2020 - ITALIA - Veneto - VE
Coleoptera

ghebo

2

1432

05/04/2020, 15:46

ghebo Vedi ultimo messaggio

Nessun messaggio da leggere
Scraptia dubia (Olivier, 1790) (cf.) - Scraptidae
10.VI.2019 - ITALIA - Puglia - LE
Allegato(i)
Scraptia dubia (Olivier, 1790) (cf.) - Scraptidae

10.VI.2019 - ITALIA - Puglia - LE
Coleoptera

Andrea Pergine

2

1349

20/03/2020, 17:53

Andrea Pergine Vedi ultimo messaggio

Nessun messaggio da leggere
Anaspis (Anaspis) fasciata (Forster, 1771) - Scraptiidae
3.V.2019 - ITALIA - Sardegna - NU
Allegato(i)
Anaspis (Anaspis) fasciata (Forster, 1771) - Scraptiidae

3.V.2019 - ITALIA - Sardegna - NU
Coleoptera

Adriana49

2

1329

21/09/2019, 8:05

Adriana49 Vedi ultimo messaggio

Nessun messaggio da leggere
Scraptia dubia Olivier, 1790 - Scraptiidae
30.V.2019 - ITALIA - Puglia - LE
Allegato(i)
Scraptia dubia Olivier, 1790 - Scraptiidae

30.V.2019 - ITALIA - Puglia - LE
Coleoptera

Michael Becker

2

1301

27/07/2019, 20:42

Michael Becker Vedi ultimo messaggio

Nessun messaggio da leggere
Trotommidea sp. - Scraptiidae
1.VI.2008 - GRECIA - EE
Allegato(i)
Trotommidea sp. - Scraptiidae

1.VI.2008 - GRECIA - EE
Coleoptera

strepens

0

889

14/07/2018, 16:01

strepens Vedi ultimo messaggio

Nessun messaggio da leggere
Scraptia dubia (Olivier, 1790) - Scraptiidae
16.V.2018 - ITALIA - Friuli-Venezia Giulia - GO
Allegato(i)
Scraptia dubia (Olivier, 1790) - Scraptiidae

16.V.2018 - ITALIA - Friuli-Venezia Giulia - GO
Coleoptera

Agdistis

2

1150

17/05/2018, 17:51

Agdistis Vedi ultimo messaggio

Nessun messaggio da leggere
Scraptia sp. - Scaptiidae
15.VI.2017 - ITALIA - Lazio - RM
Allegato(i)
Scraptia sp. - Scaptiidae

15.VI.2017 - ITALIA - Lazio - RM
Coleoptera

Michael Becker

2

1119

19/08/2017, 8:26

Carlo Monari Vedi ultimo messaggio

Nessun messaggio da leggere
Scraptia sp. - Scraptiidae
3.VII.2016 - ITALIA - Lazio - RI
Allegato(i)
Scraptia sp. - Scraptiidae

3.VII.2016 - ITALIA - Lazio - RI
Coleoptera

wgliinsetti

3

1250

11/05/2017, 9:16

wgliinsetti Vedi ultimo messaggio

Nessun messaggio da leggere
Anaspis sp. - Scraptiidae Anaspidinae
1.IV.2017 - SPAGNA - EE
Allegato(i)
Anaspis sp. - Scraptiidae Anaspidinae

1.IV.2017 - SPAGNA - EE
Coleoptera

Isidro

3

1177

02/04/2017, 12:16

Isidro Vedi ultimo messaggio

Nessun messaggio da leggere
Scraptia sp. (cf.) - Scraptidae
23.VI.2016 - ITALIA - Emilia-Romagna - BO
Allegato(i)
Scraptia sp. (cf.) - Scraptidae

23.VI.2016 - ITALIA - Emilia-Romagna - BO
Coleoptera

Loriscola

0

749

30/06/2016, 8:43

Loriscola Vedi ultimo messaggio

Nessun messaggio da leggere
Scraptia dubia (Olivier, 1790) cf. - Scraptiidae
VI.2016 - ITALIA - Veneto - BL
Allegato(i)
Scraptia dubia (Olivier, 1790) cf. - Scraptiidae

VI.2016 - ITALIA - Veneto - BL
Coleoptera

Maw89

1

913

18/06/2016, 8:08

Maw89 Vedi ultimo messaggio

Nessun messaggio da leggere
Scraptia dubia (Olivier, 1790) cf. - Scraptiidae
VI.2016 - ITALIA - Veneto - BL
Allegato(i)
Scraptia dubia (Olivier, 1790) cf. - Scraptiidae

VI.2016 - ITALIA - Veneto - BL
Coleoptera

Maw89

4

1137

18/06/2016, 8:06

Maw89 Vedi ultimo messaggio

Nessun messaggio da leggere
Anaspis (Anaspis) lurida Stephens, 1832 - Scraptiidae
4.VI.2016 - ITALIA - Sardegna - CA
Allegato(i)
Anaspis (Anaspis) lurida Stephens, 1832 - Scraptiidae

4.VI.2016 - ITALIA - Sardegna - CA
Coleoptera

Palaemonetes

2

959

06/06/2016, 13:30

Palaemonetes Vedi ultimo messaggio

Nessun messaggio da leggere
Allegato(i)
Anaspis (Anaspis) fasciata (Forster, 1771) (cf.) - Scraptiidae

VIII.2015 - ITALIA - Lazio - RM
Coleoptera

aesalus37

0

715

26/10/2015, 16:51

aesalus37 Vedi ultimo messaggio

Nessun messaggio da leggere
Scraptia sp. (cf.) - Scraptiidae
20.VI.2015 - ITALIA - Marche - MC
Allegato(i)
Scraptia sp. (cf.) - Scraptiidae

20.VI.2015 - ITALIA - Marche - MC
Coleoptera

Andream

2

973

16/10/2015, 23:27

Andream Vedi ultimo messaggio

Nessun messaggio da leggere
Allegato(i)
Anaspella clavicornis (Schilsky in Kuester, 1895) (cf.) - Scraptiidae Pentariini

2.VI.2007 - MAROCCO - EE
Coleoptera

Frantisek

4

1215

03/06/2015, 12:06

Frantisek Vedi ultimo messaggio

Nessun messaggio da leggere
Anaspis pulicaria Costa, A., 1854 (cf.) - Scraptiidae
7.VI.2000 - ITALIA - Lazio - RM
Allegato(i)
Anaspis pulicaria Costa, A., 1854 (cf.) - Scraptiidae

7.VI.2000 - ITALIA - Lazio - RM
Coleoptera

aesalus37

3

1161

21/03/2015, 7:42

aesalus37 Vedi ultimo messaggio

Nessun messaggio da leggere
Anaspis pulicaria Costa, A., 1854 (cf.) - Scraptiidae
11.V.2008 - ITALIA - Lazio - RM
Allegato(i)
Anaspis pulicaria Costa, A., 1854 (cf.) - Scraptiidae

11.V.2008 - ITALIA - Lazio - RM
Coleoptera

Valerio

1

866

19/11/2014, 12:48

Enrico Ruzzier Vedi ultimo messaggio

Nessun messaggio da leggere
Anaspis sp. - Scraptiidae
29.VI.2010 - ITALIA - Calabria - CS
Allegato(i)
Anaspis sp. - Scraptiidae

29.VI.2010 - ITALIA - Calabria - CS
Coleoptera

Valerio

3

1254

18/11/2014, 23:54

Enrico Ruzzier Vedi ultimo messaggio

Nessun messaggio da leggere
Allegato(i)
Anaspis (Anaspis) maculata (Geoffrey in Fourcroy, 1785) - Scraptiidae

25.V.2004 - ITALIA - Lazio - RM
Coleoptera

Valerio

1

947

18/11/2014, 16:01

Enrico Ruzzier Vedi ultimo messaggio

Nessun messaggio da leggere
Scraptia sp. (cf.) - Scraptiidae
2.VIII.2014 - BULGARIA - EE
Allegato(i)
Scraptia sp. (cf.) - Scraptiidae

2.VIII.2014 - BULGARIA - EE
Coleoptera

Joro

3

1146

15/10/2014, 8:56

Joro Vedi ultimo messaggio

Nessun messaggio da leggere
Anaspis (Anaspis) lurida Stephens, 1832 - Scraptiidae
4.V.2014 - ITALIA - Veneto - VE
Allegato(i)
Anaspis (Anaspis) lurida Stephens, 1832 - Scraptiidae

4.V.2014 - ITALIA - Veneto - VE
Coleoptera

ghebo

5

1804

16/09/2014, 10:34

ghebo Vedi ultimo messaggio

Nessun messaggio da leggere
Allegato(i)
Anaspis (Anaspis) maculata (Geoffroy in Fourcroy, 1785) - Scraptiidae

IV.2013 - ITALIA - Lazio - RM
Coleoptera

aesalus37

4

1494

21/06/2014, 21:25

aesalus37 Vedi ultimo messaggio

Nessun messaggio da leggere
Allegato(i)
Anaspis (Anaspis) ruficollis (Fabricius, 1792) - Scraptiidae

17.IV.2014 - ITALIA - Lazio - RM
Coleoptera

Julodis

2

1303

23/04/2014, 6:58

Julodis Vedi ultimo messaggio

Nessun messaggio da leggere
Anaspis (Anaspis) fasciata (Forster, 1771) - Scraptiidae
17.IV.2014 - ITALIA - Lazio - RM
Allegato(i)
Anaspis (Anaspis) fasciata (Forster, 1771) - Scraptiidae

17.IV.2014 - ITALIA - Lazio - RM
Coleoptera

Julodis

3

1091

23/04/2014, 0:49

Daniele Maccapani Vedi ultimo messaggio

Nessun messaggio da leggere
Anaspis (Anaspis) fasciata (Forster, 1771) - Scraptiidae
17.IV.2014 - ITALIA - Lazio - RM
Allegato(i)
Anaspis (Anaspis) fasciata (Forster, 1771) - Scraptiidae

17.IV.2014 - ITALIA - Lazio - RM
Coleoptera

Julodis

1

869

22/04/2014, 17:19

Enrico Ruzzier Vedi ultimo messaggio

Nessun messaggio da leggere
Allegato(i)
Anaspis (Anaspis) fasciata (Forster, 1775) (cf.) - Scraptiidae

II.2010 - ITALIA - Lazio - RM
Coleoptera

aesalus37

2

962

23/03/2014, 8:34

aesalus37 Vedi ultimo messaggio

Nessun messaggio da leggere
Allegato(i)
Anaspis (Anaspis) thoracica (Linnaeus, 1758) (cf.) - Scraptiidae

6.VIII.2013 - ITALIA - Molise - IS
Coleoptera

francescoparisi

5

1190

22/03/2014, 20:48

francescoparisi Vedi ultimo messaggio

Nessun messaggio da leggere
Anaspis (Anaspis) maculata (Fourcroy, 1785) - Scraptiidae
10.III.2014 - ITALIA - Lazio - RM
Allegato(i)
Anaspis (Anaspis) maculata (Fourcroy, 1785) - Scraptiidae

10.III.2014 - ITALIA - Lazio - RM
Coleoptera

Julodis

2

1002

13/03/2014, 15:25

Julodis Vedi ultimo messaggio

Nessun messaggio da leggere
Scraptia dubia Olivier, 1790 - Scraptiidae
25.VI.2013 - ITALIA - Calabria - CS
Allegato(i)
Scraptia dubia Olivier, 1790 - Scraptiidae

25.VI.2013 - ITALIA - Calabria - CS
Coleoptera

Valerio

1

1015

06/01/2014, 12:16

Enrico Ruzzier Vedi ultimo messaggio

Nessun messaggio da leggere
Scraptia ophthalmica Mulsant 1856 - Scraptiidae
17.VIII.2002 - ITALIA - Campania - SA
Allegato(i)
Scraptia ophthalmica Mulsant 1856 - Scraptiidae

17.VIII.2002 - ITALIA - Campania - SA
Coleoptera

giuseppe55

4

1606

14/06/2013, 20:54

giuseppe55 Vedi ultimo messaggio

Nessun messaggio da leggere
Anaspis (Anaspis) fasciata (Forster, 1771) - Scraptiidae
19.IV.2013 - ITALIA - Lombardia - BS
Allegato(i)
Anaspis (Anaspis) fasciata (Forster, 1771) - Scraptiidae

19.IV.2013 - ITALIA - Lombardia - BS
Coleoptera

Livio

2

1173

21/04/2013, 18:02

Livio Vedi ultimo messaggio

Nessun messaggio da leggere
Anaspis (Anaspis) sp. - Scraptiidae
27.IV.2012 - SLOVACCHIA - EE
Allegato(i)
Anaspis (Anaspis) sp. - Scraptiidae

27.IV.2012 - SLOVACCHIA - EE
Coleoptera

Karol Ox

7

2147

16/01/2013, 18:41

Karol Ox Vedi ultimo messaggio

Nessun messaggio da leggere
Allegato(i)
Anaspis (Anaspis) frontalis (Linnaeus, 1758) ♀ - Scraptiidae

5.V.2012 - ITALIA - Veneto - BL
Coleoptera

Herzog

2

1323

15/05/2012, 8:17

Herzog Vedi ultimo messaggio

Nessun messaggio da leggere
Allegato(i)
Trotomma (Trotomma) pubescens Kiesenwetter 1851 - Scraptiidae

5.XII.2011 - ITALIA - Lazio - RM
Coleoptera

Julodis

6

1912

25/12/2011, 19:51

Julodis Vedi ultimo messaggio

Nessun messaggio da leggere
Allegato(i)
Anaspis (Anaspis) maculata (Fourcroy, 1785) - Scraptiidae

 
Coleoptera

marco paglialunga

3

1046

12/12/2011, 10:22

Enrico Ruzzier Vedi ultimo messaggio

Visualizza ultimi argomenti:  Ordina per  Ordine:  
nuovo argomento
Vai alla pagina 1, 2  Prossimo
Pagina 1 di 2 [ 66 argomenti ]

Tutti gli orari sono UTC + 1 ora [ ora legale ]


Chi c’è in linea

Visitano il forum: Nessuno e 1 ospite


Legenda
Messaggi da leggere Messaggi da leggere Nessun messaggio da leggere Nessun messaggio da leggere Annuncio Annuncio
 
Specie indeterminata / discussione generica
Messaggi non letti [ Popolari ] Messaggi non letti [ Popolari ] Nessun messaggio da leggere [ Popolare ] Nessun messaggio da leggere [ Popolare ] Importante Importante
 
Specie determinata fino al genere o cf.
Messaggi non letti [ Bloccati ] Messaggi non letti [ Bloccati ] No messaggi non letti [ Bloccati ] No messaggi non letti [ Bloccati ] Argomento spostato Argomento spostato
 
Specie correttamente determinata
Permessi
Non puoi aprire nuovi argomenti
Non puoi rispondere negli argomenti
Non puoi modificare i tuoi messaggi
Non puoi cancellare i tuoi messaggi
Non puoi inviare allegati

Cerca per:
Vai a: