Benvenuto Ospite

Forum Entomologi Italiani

www.entomologiitaliani.net/forum
 
Oggi è 25/04/2026, 15:30

Tutti gli orari sono UTC + 1 ora [ ora legale ]

Aradidae


[ AFROTROPICALE ] [ ANTARTICO ] [ AUSTRALASIANO ] [ NEARTICO ] [ NEOTROPICALE ] [ ORIENTALE ] [ PALEARTICO ]


nuovo argomento
Pagina 1 di 1 [ 50 argomenti ]
 Argomenti   Ordine   Autore   Risposte   Visite    Ultimo messaggio 
Annunci
Nessun messaggio da leggere
Allegato(i)
Incontri entomologici della Società Entomologica Italiana 2025-2026
 

Velvet Ant

0

51850

17/11/2025, 19:41

Velvet Ant Vedi ultimo messaggio

Nessun messaggio da leggere
Allegato(i)
Incontri entomologici telematici organizzati dalla Società Entomologica Italiana nel 2022 e nel 2023

[ Vai alla paginaVai alla pagina: 1, 2, 3 ]

 

Velvet Ant

44

2026476

03/03/2023, 15:55

Velvet Ant Vedi ultimo messaggio

Nessun messaggio da leggere  
Allegato(i)
Sondaggio sul declino dell'entomofauna in Italia

[ Vai alla paginaVai alla pagina: 1, 2, 3, 4 ]

 

Velvet Ant

52

2700337

22/10/2022, 19:18

Acquarius Vedi ultimo messaggio

Nessun messaggio da leggere  
Allegato(i)
Progetto: Bibliografia ragionata dei lavori entomologici nei quali sono citati reperti apparsi su FEI

[ Vai alla paginaVai alla pagina: 1, 2, 3 ]

 

Velvet Ant

33

1626158

06/07/2023, 18:31

Orotrechus Vedi ultimo messaggio

Nessun messaggio da leggere
Allegato(i)
Mimesi, il primo documentario cinematografico sull’entomologia in Italia: casting
 

mazzeip

1

1141318

28/02/2019, 20:26

mazzeip Vedi ultimo messaggio

Questo argomento è bloccato, non puoi modificare o inviare ulteriori messaggi.
Allegato(i)
ISTRUZIONI PUBBLICAZIONE NUOVI ARGOMENTI E FOTO

 
Altri Ordini di Insetti

Julodis

4

2959785

13/05/2015, 19:37

Julodis Vedi ultimo messaggio

Nessun messaggio da leggere
Allegato(i)
Limitatore giornaliero di messaggi, uno strumento utile e ormai indispensabile

[ Vai alla paginaVai alla pagina: 1 ... 14, 15, 16 ]

 

Velvet Ant

233

13863868

25/09/2014, 14:31

Inachis Vedi ultimo messaggio

Nessun messaggio da leggere  
NORME PER I COLLABORATORI DEL FORUM

 
 

Velvet Ant

0

673529

02/06/2011, 12:05

Velvet Ant Vedi ultimo messaggio

Nessun messaggio da leggere
Allegato(i)
NORME PER GLI UTENTI DEL FORUM

[ Vai alla paginaVai alla pagina: 1, 2, 3 ]



 
 

Velvet Ant

30

3741054

23/09/2014, 23:54

Maurizio Bollino Vedi ultimo messaggio

Nessun messaggio da leggere  
Lista degli utenti del "Forum entomologi italiani" per campi di interesse e specializzazione

 
Altri Ordini di Insetti

Velvet Ant

13

1133886

07/09/2023, 17:14

Roberto-07 Vedi ultimo messaggio

Argomenti
Nessun messaggio da leggere
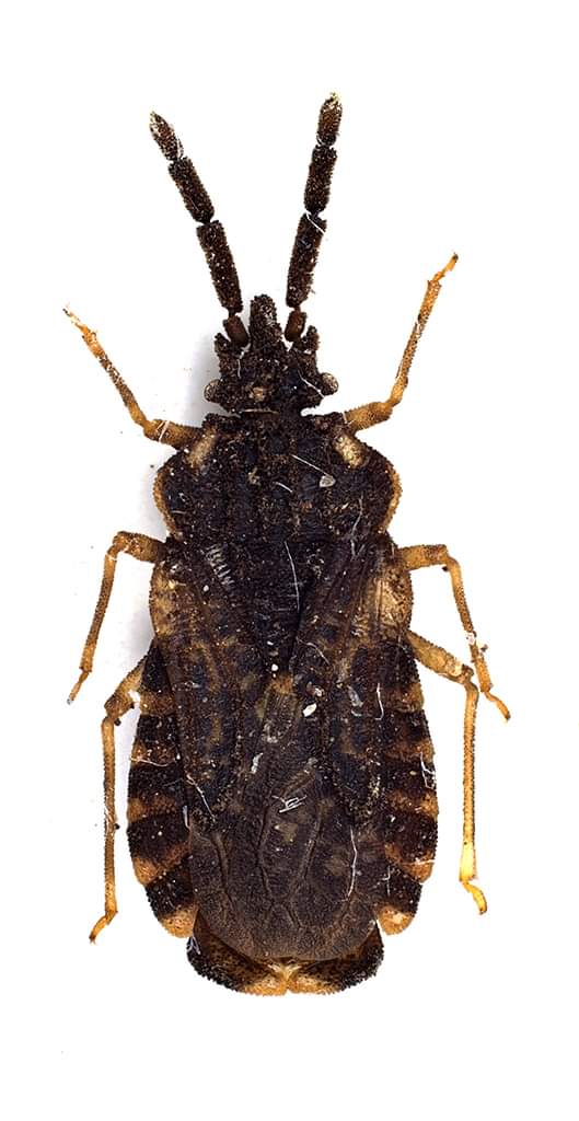
Aradus versicolor Herrich-Schäffer, 1835 - Aradidae
23.VII.2025 - ITALIA - Friuli-Venezia Giulia - PN
Allegato(i)
Aradus versicolor Herrich-Schäffer, 1835 - Aradidae

23.VII.2025 - ITALIA - Friuli-Venezia Giulia - PN
Hemiptera

Gabriele

4

1905

26/07/2025, 21:52

Gabriele Vedi ultimo messaggio

Nessun messaggio da leggere
Aradus betulae (Linnaeus, 1758) - Aradidae
25.IV.2010 - ITALIA - Lazio - RM
Allegato(i)
Aradus betulae (Linnaeus, 1758) - Aradidae

25.IV.2010 - ITALIA - Lazio - RM
Hemiptera

Notoxus59

5

3564

11/08/2023, 19:24

Dioli Vedi ultimo messaggio

Nessun messaggio da leggere
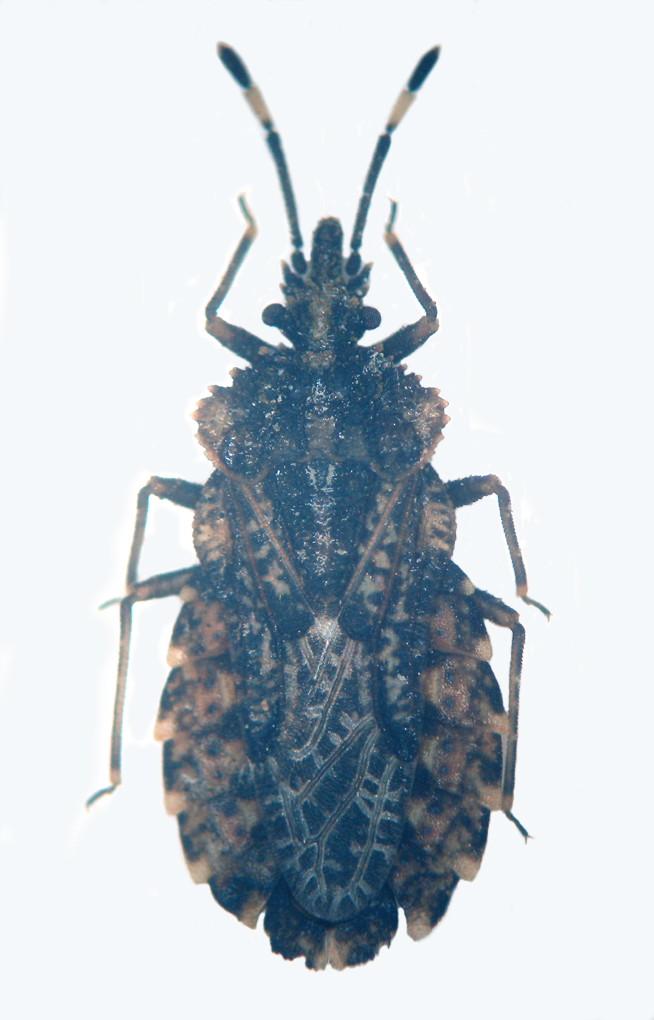
Aradus depressus (Fabricius, 1794) - Aradidae
30.IV.2012 - ITALIA - Emilia-Romagna - BO
Allegato(i)
Aradus depressus (Fabricius, 1794) - Aradidae

30.IV.2012 - ITALIA - Emilia-Romagna - BO
Hemiptera

Loriscola

2

2410

11/08/2023, 19:20

Dioli Vedi ultimo messaggio

Nessun messaggio da leggere
Aradus conspicuus Herrich-Schäffer, 1835 - Aradidae
5.VI.2011 - ITALIA - Marche - MC
Allegato(i)
Aradus conspicuus Herrich-Schäffer, 1835 - Aradidae

5.VI.2011 - ITALIA - Marche - MC
Hemiptera

StagBeetle

4

2816

11/08/2023, 19:04

Dioli Vedi ultimo messaggio

Nessun messaggio da leggere
Aradus betulae (Linnaeus, 1758) (cf.) - Aradidae
V.2016 - ITALIA - Liguria - SV
Allegato(i)
Aradus betulae (Linnaeus, 1758) (cf.) - Aradidae

V.2016 - ITALIA - Liguria - SV
Hemiptera

Giuseppe

3

2525

11/08/2023, 18:54

Dioli Vedi ultimo messaggio

Nessun messaggio da leggere
Aradus somcheticus Kiritshenko, 1913 - Aradidae
17.V.2022 - ITALIA - Marche - MC
Allegato(i)
Aradus somcheticus Kiritshenko, 1913 - Aradidae

17.V.2022 - ITALIA - Marche - MC
Hemiptera

StagBeetle

5

1504

09/10/2022, 11:06

giuseppe55 Vedi ultimo messaggio

Nessun messaggio da leggere
Aneurus laevis laevis (Fabricius, 1775) - Aradidae
15.V.2022 - ITALIA - Sardegna - VS
Allegato(i)
Aneurus laevis laevis (Fabricius, 1775) - Aradidae

15.V.2022 - ITALIA - Sardegna - VS
Hemiptera

Chalybion

2

1119

27/07/2022, 20:07

Chalybion Vedi ultimo messaggio

Nessun messaggio da leggere
Mezira tremulae (Germar, 1822) - Aradidae
21.II.2022 - ROMANIA - EE
Allegato(i)
Mezira tremulae (Germar, 1822) - Aradidae

21.II.2022 - ROMANIA - EE
Hemiptera

cosmln

1

1098

02/03/2022, 23:58

marsal Vedi ultimo messaggio

Nessun messaggio da leggere
emittero amazzonico
7.XI.2014 - PERU - EE
Allegato(i)
emittero amazzonico

7.XI.2014 - PERU - EE
Hemiptera

venturini

5

3791

01/07/2020, 23:22

Dioli Vedi ultimo messaggio

Nessun messaggio da leggere
Aradus ribauti Wagner, 1956 (cf.) - Aradidae
15.II.2020 - ITALIA - Lombardia - CR
Allegato(i)
Aradus ribauti Wagner, 1956 (cf.) - Aradidae

15.II.2020 - ITALIA - Lombardia - CR
Hemiptera

Rothari

1

1785

15/05/2020, 13:41

Agdistis Vedi ultimo messaggio

Nessun messaggio da leggere
Aradus cinnamomeus Panzer, 1806 - Aradidae
27.IX.2019 - ITALIA - Veneto - VE
Allegato(i)
Aradus cinnamomeus Panzer, 1806 - Aradidae

27.IX.2019 - ITALIA - Veneto - VE
Hemiptera

ghebo

2

2132

02/10/2019, 8:30

ghebo Vedi ultimo messaggio

Nessun messaggio da leggere
Aradus sp. - Aradidae
20.II.2018 - ITALIA - Lombardia - MI
Allegato(i)
Aradus sp. - Aradidae

20.II.2018 - ITALIA - Lombardia - MI
Coleoptera

fasmidi

6

3018

28/02/2018, 14:47

fasmidi Vedi ultimo messaggio

Nessun messaggio da leggere
Aradus ribauti Wagner, 1956 - Aradidae
3.III.2017 - POLONIA - EE
Allegato(i)
Aradus ribauti Wagner, 1956 - Aradidae

3.III.2017 - POLONIA - EE
Hemiptera

Milosz A. Mazur

6

3466

04/05/2017, 13:43

marsal Vedi ultimo messaggio

Nessun messaggio da leggere
Aradus flavicornis Dalman, 1823 - Aradidae
18.VII.2016 - ITALIA - Sardegna - CA
Allegato(i)
Aradus flavicornis Dalman, 1823 - Aradidae

18.VII.2016 - ITALIA - Sardegna - CA
Hemiptera

Palaemonetes

3

2848

14/09/2016, 15:41

Dioli Vedi ultimo messaggio

Nessun messaggio da leggere
Aneurus sp. - Aradidae
24.VII.2016 - ROMANIA - EE
Allegato(i)
Aneurus sp. - Aradidae

24.VII.2016 - ROMANIA - EE
Hemiptera

alexaandru

3

2439

11/08/2016, 20:42

alexaandru Vedi ultimo messaggio

Nessun messaggio da leggere
Allegato(i)
Aradus obtectus Vàsàrhelyii, 1988 - Aradidae

27.XII.2015
Hemiptera

GrzegorzG

3

2497

12/03/2016, 21:52

GrzegorzG Vedi ultimo messaggio

Nessun messaggio da leggere
Aradus cinnamomeus Panzer, 1806 - Aradidae
11.III.2016 - ITALIA - Veneto - VE
Allegato(i)
Aradus cinnamomeus Panzer, 1806 - Aradidae

11.III.2016 - ITALIA - Veneto - VE
Hemiptera

ghebo

2

2428

12/03/2016, 21:02

ghebo Vedi ultimo messaggio

Nessun messaggio da leggere
Allegato(i)
Aradus corticalis (Linnaeus, 1758) (cf.) ninfa - Aradidae

8.VI.2015 - POLONIA - EE
Hemiptera

GrzegorzG

1

2192

16/10/2015, 10:58

GrzegorzG Vedi ultimo messaggio

Nessun messaggio da leggere
Aradus corticalis (Linnaeus, 1758) - Aradidae
10.X.2015 - POLONIA - EE
Allegato(i)
Aradus corticalis (Linnaeus, 1758) - Aradidae

10.X.2015 - POLONIA - EE
Hemiptera

GrzegorzG

1

2361

15/10/2015, 12:13

marsal Vedi ultimo messaggio

Nessun messaggio da leggere
Allegato(i)
Aradus corticalis (Linnaeus, 1758) (cf.) - Aradidae

8.VI.2015 - POLONIA - EE
Hemiptera

GrzegorzG

3

2714

20/07/2015, 13:19

GrzegorzG Vedi ultimo messaggio

Nessun messaggio da leggere
Aradus depressus (Fabricius, 1794) (cf.) - Aradidae
11.V.2014 - ITALIA - Marche - AN
Allegato(i)
Aradus depressus (Fabricius, 1794) (cf.) - Aradidae

11.V.2014 - ITALIA - Marche - AN
Hemiptera

StagBeetle

5

2879

11/08/2014, 9:02

Chalybion Vedi ultimo messaggio

Nessun messaggio da leggere
Allegato(i)
Mezira tremulae (Germar, 1822) - Aradidae - Romania

25.III.2014 - ROMANIA - EE
Hemiptera

cosmln

1

2106

31/03/2014, 19:22

giuseppe55 Vedi ultimo messaggio

Nessun messaggio da leggere
Aradidae sp.
23.II.2014 - ITALIA - Veneto - RO
Allegato(i)
Aradidae sp.

23.II.2014 - ITALIA - Veneto - RO
Hemiptera

Umbro

1

2174

27/02/2014, 22:07

Umbro Vedi ultimo messaggio

Nessun messaggio da leggere
Aradus krueperi Ruter, 1884 - Aradidae
15.I.1996 - ITALIA - Lazio - RM
Allegato(i)
Aradus krueperi Ruter, 1884 - Aradidae

15.I.1996 - ITALIA - Lazio - RM
Hemiptera

aesalus37

2

2342

26/11/2013, 7:36

aesalus37 Vedi ultimo messaggio

Nessun messaggio da leggere
Aradus conspicuus Herrich-Schaeffer, 1835 - Aradidae
6.IV.2013 - ITALIA - Sicilia - PA
Allegato(i)
Aradus conspicuus Herrich-Schaeffer, 1835 - Aradidae

6.IV.2013 - ITALIA - Sicilia - PA
Hemiptera

Loriscola

2

2579

08/10/2013, 8:29

Loriscola Vedi ultimo messaggio

Nessun messaggio da leggere
Aradus somchetichus Kiritshenko, 1913 - Aradidae
25.IV.2013 - ITALIA - Lombardia - BS
Allegato(i)
Aradus somchetichus Kiritshenko, 1913 - Aradidae

25.IV.2013 - ITALIA - Lombardia - BS
Hemiptera

Livio

3

2823

30/04/2013, 13:31

Livio Vedi ultimo messaggio

Nessun messaggio da leggere
Aradus cinnamomeus Panzer, 1806 - Aradidae
X.2012 - ITALIA - Marche - AN
Allegato(i)
Aradus cinnamomeus Panzer, 1806 - Aradidae

X.2012 - ITALIA - Marche - AN
Hemiptera

StagBeetle

8

3659

04/12/2012, 17:02

StagBeetle Vedi ultimo messaggio

Nessun messaggio da leggere
Aradus somchetichus Kiritshenko 1913
IV.2010 - ITALIA - Emilia-Romagna - BO
Allegato(i)
Aradus somchetichus Kiritshenko 1913

IV.2010 - ITALIA - Emilia-Romagna - BO
Hemiptera

Loriscola

2

2570

25/11/2012, 2:59

Dioli Vedi ultimo messaggio

Nessun messaggio da leggere
Allegato(i)
Aradus conspicuus Herrich-Schaeffer, 1835 (cf.) - Aradidae

6.V.2012 - ITALIA - Lazio - VT
Hemiptera

Andricus

3

2700

24/10/2012, 14:25

Andricus Vedi ultimo messaggio

Nessun messaggio da leggere
Aradus pallescens frigidus Kiritshenko, 1913 - Aradidae
7.X.2012 - ITALIA - Marche - AP
Allegato(i)
Aradus pallescens frigidus Kiritshenko, 1913 - Aradidae

7.X.2012 - ITALIA - Marche - AP
Hemiptera

StagBeetle

5

3283

16/10/2012, 9:16

eremicus Vedi ultimo messaggio

Nessun messaggio da leggere
Aradus flavicornis Dalman, 1823 - Aradidae
12.VIII.2011 - ITALIA - Sardegna - SS
Allegato(i)
Aradus flavicornis Dalman, 1823 - Aradidae

12.VIII.2011 - ITALIA - Sardegna - SS
Hemiptera

soken

2

2573

11/08/2012, 20:38

soken Vedi ultimo messaggio

Nessun messaggio da leggere
Aradus cinnamomeus Panzer, 1806 - Aradidae
23.IV.2012 - ITALIA - Veneto - VE
Allegato(i)
Aradus cinnamomeus Panzer, 1806 - Aradidae

23.IV.2012 - ITALIA - Veneto - VE
Hemiptera

ghebo

4

3102

02/05/2012, 18:22

ghebo Vedi ultimo messaggio

Nessun messaggio da leggere
Aradus conspicuus Herrich-Schäffer, 1835 - Aradidae
18.III.2012 - ITALIA - Friuli-Venezia Giulia - UD
Allegato(i)
Aradus conspicuus Herrich-Schäffer, 1835 - Aradidae

18.III.2012 - ITALIA - Friuli-Venezia Giulia - UD
Hemiptera

Agdistis

2

2441

22/03/2012, 14:49

Leonidas Vedi ultimo messaggio

Nessun messaggio da leggere
Aneurus (Aneurodes) avenius (Dufour 1833) - Aradidae
18.III.2012 - ITALIA - Friuli-Venezia Giulia - UD
Allegato(i)
Aneurus (Aneurodes) avenius (Dufour 1833) - Aradidae

18.III.2012 - ITALIA - Friuli-Venezia Giulia - UD
Hemiptera

Agdistis

3

2862

22/03/2012, 14:18

marsal Vedi ultimo messaggio

Nessun messaggio da leggere
Aradus serbicus Horvàth, 1888 (cf.) - Aradidae
13.V.2007 - ITALIA - Lazio - RM
Allegato(i)
Aradus serbicus Horvàth, 1888 (cf.) - Aradidae

13.V.2007 - ITALIA - Lazio - RM
Hemiptera

giuseppe55

8

3629

07/12/2011, 20:28

giuseppe55 Vedi ultimo messaggio

Nessun messaggio da leggere
Aradus somcheticus Kiritshenko, 1913
19.XII.1993 - ITALIA - Lazio - RM
Allegato(i)
Aradus somcheticus Kiritshenko, 1913

19.XII.1993 - ITALIA - Lazio - RM
Hemiptera

giuseppe55

2

2344

03/12/2011, 20:43

giuseppe55 Vedi ultimo messaggio

Nessun messaggio da leggere
Allegato(i)
Aradus distinctus Fieber, 1860 - Heteroptera Aradidae (nuovo per l’Italia)

29.I.1989 - ITALIA - Lombardia - PV
Hemiptera

giuseppe55

2

2441

22/11/2011, 19:52

giuseppe55 Vedi ultimo messaggio

Nessun messaggio da leggere
Calisius ghilianii (A. Costa, 1864) - Aradidae
23.V.2010 - ITALIA - Lazio - RM
Allegato(i)
Calisius ghilianii (A. Costa, 1864) - Aradidae

23.V.2010 - ITALIA - Lazio - RM
Hemiptera

giuseppe55

1

2241

12/09/2011, 18:34

giuseppe55 Vedi ultimo messaggio

Nessun messaggio da leggere
Aradus betulae (Linnaeus, 1758) - Aradidae
6.II.2011 - ITALIA - Toscana - LI
Allegato(i)
Aradus betulae (Linnaeus, 1758) - Aradidae

6.II.2011 - ITALIA - Toscana - LI
Hemiptera

hypotyphlus

3

2934

07/09/2011, 23:59

marsal Vedi ultimo messaggio

Nessun messaggio da leggere
Aradus ribauti Wagner, 1956 - Aradidae
17.III.2011 - ITALIA - Friuli-Venezia Giulia - GO
Allegato(i)
Aradus ribauti Wagner, 1956 - Aradidae

17.III.2011 - ITALIA - Friuli-Venezia Giulia - GO
Hemiptera

Agdistis

6

3866

20/03/2011, 20:58

Agdistis Vedi ultimo messaggio

Nessun messaggio da leggere
Aneurus (Aneurodes) avenius (Dufour 1833) - Aradidae
11.III.2007 - ITALIA - Toscana - GR
Allegato(i)
Aneurus (Aneurodes) avenius (Dufour 1833) - Aradidae

11.III.2007 - ITALIA - Toscana - GR
Hemiptera

Julodis

2

2429

10/03/2011, 16:25

Julodis Vedi ultimo messaggio

Nessun messaggio da leggere
Aradus ribauti Wagner, 1956 (Heteroptera, Aradidae)
II.2009 - ITALIA - Emilia-Romagna - BO
Allegato(i)
Aradus ribauti Wagner, 1956 (Heteroptera, Aradidae)

II.2009 - ITALIA - Emilia-Romagna - BO
Hemiptera

Loriscola

7

3763

07/02/2011, 14:51

Loriscola Vedi ultimo messaggio

Nessun messaggio da leggere
Aradus betulae (Linnaeus, 1758) - Aradidae
15.I.2011 - ROMANIA - EE
Allegato(i)
Aradus betulae (Linnaeus, 1758) - Aradidae

15.I.2011 - ROMANIA - EE
Hemiptera

cosmln

5

2929

18/01/2011, 11:55

elleelle Vedi ultimo messaggio

Nessun messaggio da leggere
Aradus cinnamomeus Panzer, 1806 - Aradidae
IX.1996 - ITALIA - Marche - PU
Allegato(i)
Aradus cinnamomeus Panzer, 1806 - Aradidae

IX.1996 - ITALIA - Marche - PU
Hemiptera

marco paglialunga

2

2508

06/11/2010, 22:48

Dioli Vedi ultimo messaggio

Nessun messaggio da leggere
Aradus krueperi Reuter 1884 - Aradidae. Campania
19.VII.2009 - ITALIA - Campania - NA
Allegato(i)
Aradus krueperi Reuter 1884 - Aradidae. Campania

19.VII.2009 - ITALIA - Campania - NA
Hemiptera

clido

5

4009

23/01/2010, 17:58

Ranatra Vedi ultimo messaggio

Nessun messaggio da leggere
Aradus sp. (Aradidae): neanide. Val di Fassa
ITALIA - Trentino-Alto Adige - TN
Allegato(i)
Aradus sp. (Aradidae): neanide. Val di Fassa

ITALIA - Trentino-Alto Adige - TN
Hemiptera

Loriscola

2

2626

05/09/2009, 20:48

Loriscola Vedi ultimo messaggio

Nessun messaggio da leggere
Aneurus (Aneurodes) avenius (Dufour 1833) Aradidae
12.IV.2009 - ITALIA - Emilia-Romagna - BO
Allegato(i)
Aneurus (Aneurodes) avenius (Dufour 1833) Aradidae

12.IV.2009 - ITALIA - Emilia-Romagna - BO
Hemiptera

Loriscola

3

2971

23/04/2009, 22:49

eremicus Vedi ultimo messaggio

Nessun messaggio da leggere
Calisius ghiliani A. Costa 1864 - Aradidae
4.V.2005 - ITALIA - Sardegna - NU
Allegato(i)
Calisius ghiliani A. Costa 1864 - Aradidae

4.V.2005 - ITALIA - Sardegna - NU
Hemiptera

Ranatra

6

3860

05/03/2009, 15:44

Ranatra Vedi ultimo messaggio

Nessun messaggio da leggere
Aradus brenskei Reuter, 1884 Aradidae, Grecia
24.VII.2006 - GRECIA - EE
Allegato(i)
Aradus brenskei Reuter, 1884 Aradidae, Grecia

24.VII.2006 - GRECIA - EE
Hemiptera

Daniele Sechi

2

2513

27/02/2009, 20:43

Daniele Sechi Vedi ultimo messaggio

Nessun messaggio da leggere
Aradus flavicornis Dalman 1823, Aradidae di Sardegna
31.VIII.2008 - ITALIA - Sardegna - CA
Allegato(i)
Aradus flavicornis Dalman 1823, Aradidae di Sardegna

31.VIII.2008 - ITALIA - Sardegna - CA
Hemiptera

Daniele Sechi

0

1838

08/02/2009, 22:13

Daniele Sechi Vedi ultimo messaggio

Visualizza ultimi argomenti:  Ordina per  Ordine:  
nuovo argomento
Pagina 1 di 1 [ 50 argomenti ]

Tutti gli orari sono UTC + 1 ora [ ora legale ]


Chi c’è in linea

Visitano il forum: Nessuno e 2 ospiti


Legenda
Messaggi da leggere Messaggi da leggere Nessun messaggio da leggere Nessun messaggio da leggere Annuncio Annuncio
 
Specie indeterminata / discussione generica
Messaggi non letti [ Popolari ] Messaggi non letti [ Popolari ] Nessun messaggio da leggere [ Popolare ] Nessun messaggio da leggere [ Popolare ] Importante Importante
 
Specie determinata fino al genere o cf.
Messaggi non letti [ Bloccati ] Messaggi non letti [ Bloccati ] No messaggi non letti [ Bloccati ] No messaggi non letti [ Bloccati ] Argomento spostato Argomento spostato
 
Specie correttamente determinata
Permessi
Non puoi aprire nuovi argomenti
Non puoi rispondere negli argomenti
Non puoi modificare i tuoi messaggi
Non puoi cancellare i tuoi messaggi
Non puoi inviare allegati

Cerca per:
Vai a: