Benvenuto Ospite

Forum Entomologi Italiani

www.entomologiitaliani.net/forum
 
Oggi è 26/04/2026, 14:45

Tutti gli orari sono UTC + 1 ora [ ora legale ]

 Forum   Argomenti   Messaggi   Ultimo messaggio 
Nessun messaggio da leggere
Filtro località
Pompilidae indeterminati

52

231

29/09/2024, 16:18

soken Vedi ultimo messaggio



Pompilidae


[ AFROTROPICALE ] [ ANTARTICO ] [ AUSTRALASIANO ] [ NEARTICO ] [ NEOTROPICALE ] [ ORIENTALE ] [ PALEARTICO ]


nuovo argomento
Vai alla pagina 1, 2  Prossimo
Pagina 1 di 2 [ 77 argomenti ]
 Argomenti   Ordine   Autore   Risposte   Visite    Ultimo messaggio 
Annunci
Nessun messaggio da leggere
Allegato(i)
Incontri entomologici della Società Entomologica Italiana 2025-2026
 

Velvet Ant

0

52882

17/11/2025, 19:41

Velvet Ant Vedi ultimo messaggio

Nessun messaggio da leggere
Allegato(i)
Incontri entomologici telematici organizzati dalla Società Entomologica Italiana nel 2022 e nel 2023

[ Vai alla paginaVai alla pagina: 1, 2, 3 ]

 

Velvet Ant

44

2037764

03/03/2023, 15:55

Velvet Ant Vedi ultimo messaggio

Nessun messaggio da leggere  
Allegato(i)
Sondaggio sul declino dell'entomofauna in Italia

[ Vai alla paginaVai alla pagina: 1, 2, 3, 4 ]

 

Velvet Ant

52

2711229

22/10/2022, 19:18

Acquarius Vedi ultimo messaggio

Nessun messaggio da leggere  
Allegato(i)
Progetto: Bibliografia ragionata dei lavori entomologici nei quali sono citati reperti apparsi su FEI

[ Vai alla paginaVai alla pagina: 1, 2, 3 ]

 

Velvet Ant

33

1634038

06/07/2023, 18:31

Orotrechus Vedi ultimo messaggio

Nessun messaggio da leggere
Allegato(i)
Mimesi, il primo documentario cinematografico sull’entomologia in Italia: casting
 

mazzeip

1

1142700

28/02/2019, 20:26

mazzeip Vedi ultimo messaggio

Questo argomento è bloccato, non puoi modificare o inviare ulteriori messaggi.
Allegato(i)
ISTRUZIONI PUBBLICAZIONE NUOVI ARGOMENTI E FOTO

 
Altri Ordini di Insetti

Julodis

4

2961958

13/05/2015, 19:37

Julodis Vedi ultimo messaggio

Nessun messaggio da leggere
Allegato(i)
Limitatore giornaliero di messaggi, uno strumento utile e ormai indispensabile

[ Vai alla paginaVai alla pagina: 1 ... 14, 15, 16 ]

 

Velvet Ant

233

13886300

25/09/2014, 14:31

Inachis Vedi ultimo messaggio

Nessun messaggio da leggere  
NORME PER I COLLABORATORI DEL FORUM

 
 

Velvet Ant

0

674428

02/06/2011, 12:05

Velvet Ant Vedi ultimo messaggio

Nessun messaggio da leggere
Allegato(i)
NORME PER GLI UTENTI DEL FORUM

[ Vai alla paginaVai alla pagina: 1, 2, 3 ]



 
 

Velvet Ant

30

3749998

23/09/2014, 23:54

Maurizio Bollino Vedi ultimo messaggio

Nessun messaggio da leggere  
Lista degli utenti del "Forum entomologi italiani" per campi di interesse e specializzazione

 
Altri Ordini di Insetti

Velvet Ant

13

1137343

07/09/2023, 17:14

Roberto-07 Vedi ultimo messaggio

Argomenti
Nessun messaggio da leggere
Allegato(i)
Dipogon (Deuteragenia) variegatus (Linnaeus, 1758) - Pompilidae

15.IX.2025 - ITALIA - Lazio - RM
Hymenoptera

soken

3

586

05/10/2025, 21:21

soken Vedi ultimo messaggio

Nessun messaggio da leggere
Allegato(i)
Eoferreola rhombica (Christ, 1791) ♂ (aut E. anatolica Priesner, 1973) - Pompilidae Pompilinae

26.VI.2022 - ITALIA - Puglia - FG
Hymenoptera

Chalybion

1

841

21/03/2025, 14:40

Max10 Vedi ultimo messaggio

Nessun messaggio da leggere
Epysiron arrogans (Smith, 1873) ♂ cf. - Pompilidae Pompilinae
28.VII.2022 - ITALIA - Lombardia - MB
Allegato(i)
Epysiron arrogans (Smith, 1873) ♂ cf. - Pompilidae Pompilinae

28.VII.2022 - ITALIA - Lombardia - MB
Hymenoptera

RicPan

1

842

29/10/2024, 17:33

Chalybion Vedi ultimo messaggio

Nessun messaggio da leggere
Allegato(i)
Cryptocheilus (Adonta) versicolor (Scopoli, 1763) ♀ cf. - Pompilidae Pepsinae

12.VIII.2000 - ITALIA - Emilia-Romagna - PR
Hymenoptera

Chalybion

1

798

29/10/2024, 17:07

Chalybion Vedi ultimo messaggio

Nessun messaggio da leggere
Allegato(i)
Cryptocheilus (Adonta) egregius Lepeletier, 1845 ♀ - Pompilidae Pepsinae

24.VI.2005 - ITALIA - Puglia - FG
Hymenoptera

Chalybion

3

663

29/10/2024, 16:48

Chalybion Vedi ultimo messaggio

Nessun messaggio da leggere
Allegato(i)
Cryptocheilus (Adonta) ichneumonoides (A. Costa, 1874) ♀ e ♂ - Pompilidae Pepsinae

20.VI.2005 - GRECIA - EE
Hymenoptera

Chalybion

1

658

29/10/2024, 16:45

Chalybion Vedi ultimo messaggio

Nessun messaggio da leggere
Aporinellus sexmaculatus (Spinola, 1805) ♂ - Pompilidae Pompilinae
8.VI.2023 - ITALIA - Emilia-Romagna - FE
Allegato(i)
Aporinellus sexmaculatus (Spinola, 1805) ♂ - Pompilidae Pompilinae

8.VI.2023 - ITALIA - Emilia-Romagna - FE
Hymenoptera

Chalybion

0

1029

24/10/2024, 15:58

Chalybion Vedi ultimo messaggio

Nessun messaggio da leggere
Episyron rufipes (Linnaeus, 1758) ♂ - Pompilidae Pompilinae
8.VI.2023 - ITALIA - Emilia-Romagna - FE
Allegato(i)
Episyron rufipes (Linnaeus, 1758) ♂ - Pompilidae Pompilinae

8.VI.2023 - ITALIA - Emilia-Romagna - FE
Hymenoptera

Chalybion

0

1005

23/10/2024, 20:45

Chalybion Vedi ultimo messaggio

Nessun messaggio da leggere
Allegato(i)
Cryptocheilus (Adonta) variabilis (Rossi, 1790) ♀ - Pompilidae Pepsinae

6.IX.2024 - ITALIA - Campania - SA
Hymenoptera

Enzo.C

5

774

07/09/2024, 1:20

Enzo.C Vedi ultimo messaggio

Nessun messaggio da leggere
Allegato(i)
Cryptocheilus (Cryptocheilus) discolor (Fabricius, 1793) ♀ - Pompilidae Pepsinae

30.VI.2019 - ITALIA - Sicilia - TP
Hymenoptera

Chalybion

0

762

23/06/2024, 11:07

Chalybion Vedi ultimo messaggio

Nessun messaggio da leggere
Allegato(i)
Cryptocheilus (Adonta) variabilis (Rossi, 1790) ♀ (cf.) - Pompilidae Pepsinae

5.VI.2024 - ITALIA - Emilia-Romagna - BO
Hymenoptera

Chalybion

0

732

13/06/2024, 18:29

Chalybion Vedi ultimo messaggio

Nessun messaggio da leggere
Allegato(i)
Cryptocheilus (Adonta) notatus (Rossi, 1792) ♂ cf. - Pompilidae Pepsinae

1.IX.2016 - ITALIA - Emilia-Romagna - RA
Hymenoptera

Chalybion

0

784

04/05/2024, 10:54

Chalybion Vedi ultimo messaggio

Nessun messaggio da leggere
Anoplius infuscatus (van der Linden, 1827) - Pompilidae Pompilinae
1.VII.1996 - ITALIA - Emilia-Romagna - RA
Allegato(i)
Anoplius infuscatus (van der Linden, 1827) - Pompilidae Pompilinae

1.VII.1996 - ITALIA - Emilia-Romagna - RA
Hymenoptera

Chalybion

0

920

26/04/2024, 20:20

Chalybion Vedi ultimo messaggio

Nessun messaggio da leggere
Allegato(i)
Cryptocheilus (Adonta) fischeri (Spinola, 1838) ♀ cf. - Pompilidae Pepsinae

9.VII.2011 - ITALIA - Emilia-Romagna - RA
Hymenoptera

Chalybion

0

856

26/04/2024, 11:13

Chalybion Vedi ultimo messaggio

Nessun messaggio da leggere
Allegato(i)
Lophopompilus samariensis (Pallas, 1771) - Pompilidae Pompilinae

25.VI.2002 - ITALIA - Puglia - FG
Hymenoptera

Chalybion

2

667

05/03/2024, 21:06

Chalybion Vedi ultimo messaggio

Nessun messaggio da leggere
Allegato(i)
Anoplius nigerrimus (Scopoli, 1763) (cf.) - Pompilidae Pompilinae

7.IX.2023 - ITALIA - Lazio - RM
Hymenoptera

soken

13

1593

09/01/2024, 18:13

soken Vedi ultimo messaggio

Nessun messaggio da leggere
Allegato(i)
Cryptocheilus (Adonta) variabilis (Rossi, 1790) ♂ "longicollis" - Pompilidae Pepsinae

12.VII.2009 - ITALIA - Sardegna - OT
Hymenoptera

Chalybion

0

727

21/09/2023, 18:37

Chalybion Vedi ultimo messaggio

Nessun messaggio da leggere
Episyron arrogans (Smith, 1873) (cf.) - Pompilidae
30.VI.2023 - ITALIA - Sardegna - OR
Allegato(i)
Episyron arrogans (Smith, 1873) (cf.) - Pompilidae

30.VI.2023 - ITALIA - Sardegna - OR
Hymenoptera

Roberto-07

3

629

21/09/2023, 10:28

Roberto-07 Vedi ultimo messaggio

Nessun messaggio da leggere
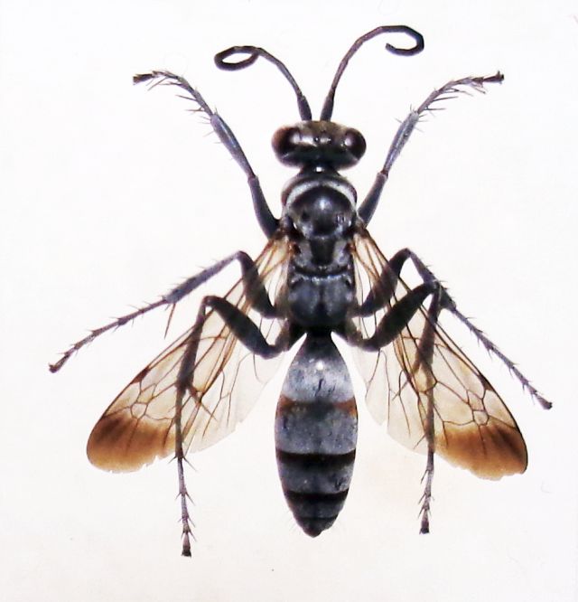
Ceropales albicincta (Rossi 1790) - Pompilidae
21.VIII.2023 - ITALIA - Emilia-Romagna - RA
Allegato(i)
Ceropales albicincta (Rossi 1790) - Pompilidae

21.VIII.2023 - ITALIA - Emilia-Romagna - RA
Hymenoptera

Chalybion

1

467

27/08/2023, 17:13

Chalybion Vedi ultimo messaggio

Nessun messaggio da leggere
Dipogon bifasciatus (Geoffroy, 1785) (cf.) - Pompiliidae
30.IV.2016 - ITALIA - Lazio - RM
Allegato(i)
Dipogon bifasciatus (Geoffroy, 1785) (cf.) - Pompiliidae

30.IV.2016 - ITALIA - Lazio - RM
Hymenoptera

giuseppe55

0

666

01/07/2023, 11:29

giuseppe55 Vedi ultimo messaggio

Nessun messaggio da leggere
Allegato(i)
Dipogon (Deuteragenia) subintermedius (Magretti, 1886) (cf.) - Pompiliidae

14.VIII.2016 - ITALIA - Lazio - RM
Hymenoptera

giuseppe55

2

621

30/06/2023, 19:18

giuseppe55 Vedi ultimo messaggio

Nessun messaggio da leggere
Allegato(i)
Dipogon (Deuteragenia) variegatus (Linnaeus, 1758) (cf.) - Pompiliidae

20.VIII.2015 - ITALIA - Lazio - FR
Hymenoptera

giuseppe55

2

605

30/06/2023, 19:15

giuseppe55 Vedi ultimo messaggio

Nessun messaggio da leggere
Episyron gallicus (Tournier, 1890) - Pompilidae Pompilinae
22.VIII.2014 - ITALIA - Lazio - RM
Allegato(i)
Episyron gallicus (Tournier, 1890) - Pompilidae Pompilinae

22.VIII.2014 - ITALIA - Lazio - RM
Coleoptera

giuseppe55

3

667

24/06/2023, 21:07

Chalybion Vedi ultimo messaggio

Nessun messaggio da leggere
Episyron arrogans (Smith, 1873) - Pompilidae Pompilinae
10.IX.2008 - ITALIA - Emilia-Romagna - RA
Allegato(i)
Episyron arrogans (Smith, 1873) - Pompilidae Pompilinae

10.IX.2008 - ITALIA - Emilia-Romagna - RA
Hymenoptera

Chalybion

1

602

23/06/2023, 11:39

giuseppe55 Vedi ultimo messaggio

Nessun messaggio da leggere
Episyron rufipes (Linnaeus, 1758) - Pompilidae Pompilinae
8.VI.2023 - ITALIA - Emilia-Romagna - FE
Allegato(i)
Episyron rufipes (Linnaeus, 1758) - Pompilidae Pompilinae

8.VI.2023 - ITALIA - Emilia-Romagna - FE
Hymenoptera

Chalybion

1

648

22/06/2023, 14:12

giuseppe55 Vedi ultimo messaggio

Nessun messaggio da leggere
Auplopus albifrons (Dalman, 1823) (cf.) - Pompilidae
27.VI.2020 - ITALIA - Lazio - RM
Allegato(i)
Auplopus albifrons (Dalman, 1823) (cf.) - Pompilidae

[ Vai alla paginaVai alla pagina: 1, 2 ]



27.VI.2020 - ITALIA - Lazio - RM
Hymenoptera

giuseppe55

17

2383

27/10/2022, 22:04

giuseppe55 Vedi ultimo messaggio

Nessun messaggio da leggere
Pompilidae
10.XI.2012 - ITALIA - Sardegna - OT
Allegato(i)
Pompilidae

10.XI.2012 - ITALIA - Sardegna - OT
Hymenoptera

Mauro

11

2360

09/09/2022, 12:56

plumipes Vedi ultimo messaggio

Nessun messaggio da leggere
Allegato(i)
Cryptocheilus (Adonta) variabilis (Rossi, 1790) ♀ - Pompilidae Pepsinae

22.IX.2018 - ITALIA - Sardegna - OG
Hymenoptera

Adriana49

2

624

09/05/2021, 8:57

Adriana49 Vedi ultimo messaggio

Nessun messaggio da leggere
Allegato(i)
Anoplius (Arachnophroctonus) viaticus (Linnaeus, 1758) (cf.) - Pompilidae

5.IV.2021 - ITALIA - Lombardia - VA
Hymenoptera

Lele

1

638

18/04/2021, 22:02

elleelle Vedi ultimo messaggio

Nessun messaggio da leggere
Aporinellus sexmaculatus (Spinola, 1805) - Pompilidae
14.VI.2019 - ITALIA - Sicilia - TP
Allegato(i)
Aporinellus sexmaculatus (Spinola, 1805) - Pompilidae

14.VI.2019 - ITALIA - Sicilia - TP
Hymenoptera

Chalybion

2

700

15/02/2021, 21:00

Chalybion Vedi ultimo messaggio

Nessun messaggio da leggere
Aporus unicolor Spinola 1808 - Pompilidae
29.VII.2018 - ITALIA - Emilia-Romagna - BO
Allegato(i)
Aporus unicolor Spinola 1808 - Pompilidae

29.VII.2018 - ITALIA - Emilia-Romagna - BO
Hymenoptera

Chalybion

1

678

29/01/2021, 21:07

Chalybion Vedi ultimo messaggio

Nessun messaggio da leggere
Aporus (Aporus) bicolor Spinola, 1808 - Pompilidae
14.VI.2019 - ITALIA - Sicilia - TP
Allegato(i)
Aporus (Aporus) bicolor Spinola, 1808 - Pompilidae

14.VI.2019 - ITALIA - Sicilia - TP
Hymenoptera

Chalybion

5

985

29/01/2021, 20:43

Chalybion Vedi ultimo messaggio

Nessun messaggio da leggere
Allegato(i)
Hemipepsis mauritanica (Linnaeus 1767) - Pompilidae

28.VI.2020 - SPAGNA - EE
Hymenoptera

Dicomed

3

768

19/01/2021, 15:38

Dicomed Vedi ultimo messaggio

Nessun messaggio da leggere
Allegato(i)
Cryptocheilus (Cryptocheilus) discolor (Fabricius 1793) ♀ - Pompilidae Pepsinae

13.VIII.2019 - SPAGNA - EE
Hymenoptera

Dicomed

2

726

19/01/2021, 15:37

Dicomed Vedi ultimo messaggio

Nessun messaggio da leggere
Allegato(i)
Cryptocheilus (Cryptocheilus) discolor (Fabricius, 1793) ♂ "longicollis" - Pompilidae Pepsinae

1.VI.2019 - ITALIA - Sicilia - TP
Hymenoptera

Chalybion

1

629

24/11/2020, 20:09

Chalybion Vedi ultimo messaggio

Nessun messaggio da leggere
Cryptocheilus (Adonta) versicolor (Scopoli, 1763) ♀ - Pompilidae Pepsinae
18.VIII.2020 - ITALIA - Emilia-Romagna - RA
Allegato(i)
Cryptocheilus (Adonta) versicolor (Scopoli, 1763) ♀ - Pompilidae Pepsinae

18.VIII.2020 - ITALIA - Emilia-Romagna - RA
Hymenoptera

Chalybion

0

604

28/08/2020, 19:29

Chalybion Vedi ultimo messaggio

Nessun messaggio da leggere
Cryptocheilus (Adonta) notatus (Rossi, 1792) ♀ - Pompilidae Pepsinae
1.VIII.2019 - ITALIA - Valle d'Aosta - AO
Allegato(i)
Cryptocheilus (Adonta) notatus (Rossi, 1792) ♀ - Pompilidae Pepsinae

1.VIII.2019 - ITALIA - Valle d'Aosta - AO
Hymenoptera

Chalybion

7

1467

31/07/2020, 20:14

ruzzpa Vedi ultimo messaggio

Nessun messaggio da leggere
Allegato(i)
Cryptocheilus (Adonta) notatus (Rossi, 1792) cf. ♂ - Pompilidae Pepsinae

10.IX.2018 - ITALIA - Emilia-Romagna - BO
Hymenoptera

Chalybion

0

718

28/07/2020, 17:46

Chalybion Vedi ultimo messaggio

Nessun messaggio da leggere
Allegato(i)
Cryptocheilus (Cryptocheilus) octomaculatus (Rossius, 1790) - Pompilidae

5.VII.2020 - ITALIA - Lazio - RM
Hymenoptera

giuseppe55

2

838

08/07/2020, 19:02

giuseppe55 Vedi ultimo messaggio

Nessun messaggio da leggere
Microphadnus pumilus (Costa, 1882) - Pompilidae
20.IX.2019 - ITALIA - Lazio - RM
Allegato(i)
Microphadnus pumilus (Costa, 1882) - Pompilidae

20.IX.2019 - ITALIA - Lazio - RM
Hymenoptera

giuseppe55

5

1340

23/09/2019, 20:02

giuseppe55 Vedi ultimo messaggio

Nessun messaggio da leggere
Pompilus cinereus (Fabricius, 1775) (cf.) - Pompilidae
21.IX.2015 - ITALIA - Liguria - GE
Allegato(i)
Pompilus cinereus (Fabricius, 1775) (cf.) - Pompilidae

21.IX.2015 - ITALIA - Liguria - GE
Hymenoptera

hectorinus

8

2542

06/05/2019, 20:26

Andrea Volpe Vedi ultimo messaggio

Nessun messaggio da leggere
Aporus unicolor Spinola, 1808 - Pompilidae Pompilinae
6.VIII.2018 - ITALIA - Emilia-Romagna - BO
Allegato(i)
Aporus unicolor Spinola, 1808 - Pompilidae Pompilinae

6.VIII.2018 - ITALIA - Emilia-Romagna - BO
Hymenoptera

Chalybion

1

1064

19/01/2019, 14:01

Pietro Niolu Vedi ultimo messaggio

Nessun messaggio da leggere
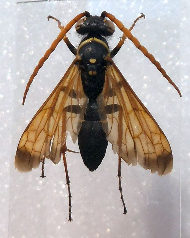
Agenioideus nubecula nubecula (A. Costa, 1874) - Pompilidae
26.VIII.2018 - ITALIA - Emilia-Romagna - BO
Allegato(i)
Agenioideus nubecula nubecula (A. Costa, 1874) - Pompilidae

26.VIII.2018 - ITALIA - Emilia-Romagna - BO
Hymenoptera

Chalybion

0

1022

18/01/2019, 21:15

Chalybion Vedi ultimo messaggio

Nessun messaggio da leggere
Dipogon bifasciatus (Geoffroy, 1785) - Pompilidae Pepsinae
4.IX.2018 - ITALIA - Emilia-Romagna - BO
Allegato(i)
Dipogon bifasciatus (Geoffroy, 1785) - Pompilidae Pepsinae

4.IX.2018 - ITALIA - Emilia-Romagna - BO
Hymenoptera

Chalybion

0

884

18/01/2019, 19:53

Chalybion Vedi ultimo messaggio

Nessun messaggio da leggere
Dicyrtomellus tingitanus (Wolf, 1966) - Pompilidae
29.VII.2018 - ITALIA - Emilia-Romagna - BO
Allegato(i)
Dicyrtomellus tingitanus (Wolf, 1966) - Pompilidae

29.VII.2018 - ITALIA - Emilia-Romagna - BO
Hymenoptera

Chalybion

8

1981

18/01/2019, 19:08

Chalybion Vedi ultimo messaggio

Nessun messaggio da leggere
Batozonellus lacerticida (Pallas, 1771) ♂ - Pompilidae
13.VI.2015 - ITALIA - Friuli-Venezia Giulia - UD
Allegato(i)
Batozonellus lacerticida (Pallas, 1771) ♂ - Pompilidae

13.VI.2015 - ITALIA - Friuli-Venezia Giulia - UD
Hymenoptera

Chalybion

4

1533

12/01/2019, 21:31

Chalybion Vedi ultimo messaggio

Nessun messaggio da leggere
Cryptocheilus variabilis (Rossi, 1790) ♀ - Pompilidae
29.VII.2018 - ITALIA - Emilia-Romagna - BO
Allegato(i)
Cryptocheilus variabilis (Rossi, 1790) ♀ - Pompilidae

29.VII.2018 - ITALIA - Emilia-Romagna - BO
Hymenoptera

Chalybion

11

2674

11/01/2019, 22:10

Chalybion Vedi ultimo messaggio

Nessun messaggio da leggere
Pompilus cinereus (Fabricius, 1775) - Pompilidae
14.X.2018 - ITALIA - Emilia-Romagna - FE
Allegato(i)
Pompilus cinereus (Fabricius, 1775) - Pompilidae

14.X.2018 - ITALIA - Emilia-Romagna - FE
Hymenoptera

Chalybion

5

1876

05/11/2018, 23:42

elleelle Vedi ultimo messaggio

Nessun messaggio da leggere
Pompilidae
14.VII.2012 - ITALIA - Emilia-Romagna - BO
Allegato(i)
Pompilidae

14.VII.2012 - ITALIA - Emilia-Romagna - BO
Hymenoptera

Olaffio

4

2032

01/11/2018, 13:51

Andrea Volpe Vedi ultimo messaggio

Nessun messaggio da leggere
Batozonellus lacerticida (Pallas, 1771) ♂ - Pompilidae
13.VI.2015 - ITALIA - Friuli-Venezia Giulia - UD
Allegato(i)
Batozonellus lacerticida (Pallas, 1771) ♂ - Pompilidae

13.VI.2015 - ITALIA - Friuli-Venezia Giulia - UD
Hymenoptera

Chalybion

1

1207

21/07/2016, 19:49

giuseppe55 Vedi ultimo messaggio

Visualizza ultimi argomenti:  Ordina per  Ordine:  
nuovo argomento
Vai alla pagina 1, 2  Prossimo
Pagina 1 di 2 [ 77 argomenti ]

Tutti gli orari sono UTC + 1 ora [ ora legale ]


Chi c’è in linea

Visitano il forum: Nessuno e 1 ospite


Legenda
Messaggi da leggere Messaggi da leggere Nessun messaggio da leggere Nessun messaggio da leggere Annuncio Annuncio
 
Specie indeterminata / discussione generica
Messaggi non letti [ Popolari ] Messaggi non letti [ Popolari ] Nessun messaggio da leggere [ Popolare ] Nessun messaggio da leggere [ Popolare ] Importante Importante
 
Specie determinata fino al genere o cf.
Messaggi non letti [ Bloccati ] Messaggi non letti [ Bloccati ] No messaggi non letti [ Bloccati ] No messaggi non letti [ Bloccati ] Argomento spostato Argomento spostato
 
Specie correttamente determinata
Permessi
Non puoi aprire nuovi argomenti
Non puoi rispondere negli argomenti
Non puoi modificare i tuoi messaggi
Non puoi cancellare i tuoi messaggi
Non puoi inviare allegati

Cerca per:
Vai a: