Benvenuto Ospite

Forum Entomologi Italiani

www.entomologiitaliani.net/forum
 
Oggi è 26/04/2026, 0:33

Tutti gli orari sono UTC + 1 ora [ ora legale ]

Dermaptera


[ AFROTROPICALE ] [ ANTARTICO ] [ AUSTRALASIANO ] [ NEARTICO ] [ NEOTROPICALE ] [ ORIENTALE ] [ PALEARTICO ]


nuovo argomento
Vai alla pagina 1, 2, 3  Prossimo
Pagina 1 di 3 [ 135 argomenti ]
 Argomenti   Ordine   Autore   Risposte   Visite    Ultimo messaggio 
Annunci
Nessun messaggio da leggere
Allegato(i)
Incontri entomologici della Società Entomologica Italiana 2025-2026
 

Velvet Ant

0

52196

17/11/2025, 19:41

Velvet Ant Vedi ultimo messaggio

Nessun messaggio da leggere
Allegato(i)
Incontri entomologici telematici organizzati dalla Società Entomologica Italiana nel 2022 e nel 2023

[ Vai alla paginaVai alla pagina: 1, 2, 3 ]

 

Velvet Ant

44

2028097

03/03/2023, 15:55

Velvet Ant Vedi ultimo messaggio

Nessun messaggio da leggere  
Allegato(i)
Sondaggio sul declino dell'entomofauna in Italia

[ Vai alla paginaVai alla pagina: 1, 2, 3, 4 ]

 

Velvet Ant

52

2702374

22/10/2022, 19:18

Acquarius Vedi ultimo messaggio

Nessun messaggio da leggere  
Allegato(i)
Progetto: Bibliografia ragionata dei lavori entomologici nei quali sono citati reperti apparsi su FEI

[ Vai alla paginaVai alla pagina: 1, 2, 3 ]

 

Velvet Ant

33

1627610

06/07/2023, 18:31

Orotrechus Vedi ultimo messaggio

Nessun messaggio da leggere
Allegato(i)
Mimesi, il primo documentario cinematografico sull’entomologia in Italia: casting
 

mazzeip

1

1141610

28/02/2019, 20:26

mazzeip Vedi ultimo messaggio

Questo argomento è bloccato, non puoi modificare o inviare ulteriori messaggi.
Allegato(i)
ISTRUZIONI PUBBLICAZIONE NUOVI ARGOMENTI E FOTO

 
Altri Ordini di Insetti

Julodis

4

2960111

13/05/2015, 19:37

Julodis Vedi ultimo messaggio

Nessun messaggio da leggere
Allegato(i)
Limitatore giornaliero di messaggi, uno strumento utile e ormai indispensabile

[ Vai alla paginaVai alla pagina: 1 ... 14, 15, 16 ]

 

Velvet Ant

233

13869517

25/09/2014, 14:31

Inachis Vedi ultimo messaggio

Nessun messaggio da leggere  
NORME PER I COLLABORATORI DEL FORUM

 
 

Velvet Ant

0

673729

02/06/2011, 12:05

Velvet Ant Vedi ultimo messaggio

Nessun messaggio da leggere
Allegato(i)
NORME PER GLI UTENTI DEL FORUM

[ Vai alla paginaVai alla pagina: 1, 2, 3 ]



 
 

Velvet Ant

30

3742360

23/09/2014, 23:54

Maurizio Bollino Vedi ultimo messaggio

Nessun messaggio da leggere  
Lista degli utenti del "Forum entomologi italiani" per campi di interesse e specializzazione

 
Altri Ordini di Insetti

Velvet Ant

13

1134377

07/09/2023, 17:14

Roberto-07 Vedi ultimo messaggio

Argomenti
Nessun messaggio da leggere
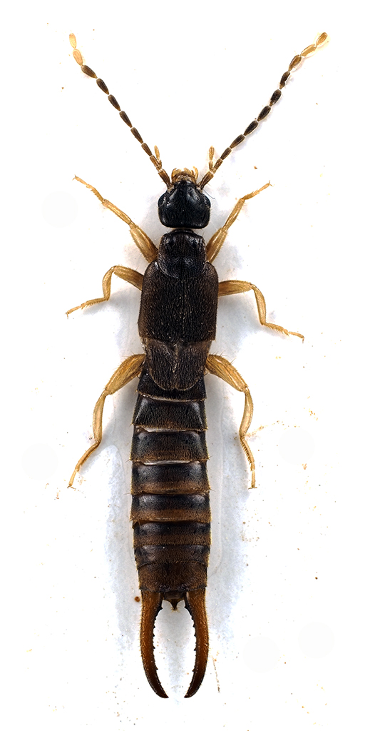
Forficula decipiens Gene, 1832 - Forficulidae
9.II.2026 - ITALIA - Lazio - RM
Allegato(i)
Forficula decipiens Gene, 1832 - Forficulidae

9.II.2026 - ITALIA - Lazio - RM
Altri Ordini di Insetti

soken

0

1205

10/02/2026, 22:42

soken Vedi ultimo messaggio

Nessun messaggio da leggere
Neanide di forficula sp. - Forficulidae
4.I.2026 - ITALIA - Lazio - RM
Allegato(i)
Neanide di forficula sp. - Forficulidae

4.I.2026 - ITALIA - Lazio - RM
Altri Ordini di Insetti

venturini

2

780

07/01/2026, 13:10

venturini Vedi ultimo messaggio

Nessun messaggio da leggere
Forficula auricularia Linnaeus, 1758 (cf.) - Forficulidae
10.V.2025 - ITALIA - Veneto - VI
Allegato(i)
Forficula auricularia Linnaeus, 1758 (cf.) - Forficulidae

10.V.2025 - ITALIA - Veneto - VI
Altri Ordini di Insetti

Syrio

2

807

22/05/2025, 12:29

Syrio Vedi ultimo messaggio

Nessun messaggio da leggere
Guanchia pubescens (Géné, 1837) - Forficulidae
9.VII.2012 - ITALIA - Basilicata - PZ
Allegato(i)
Guanchia pubescens (Géné, 1837) - Forficulidae

9.VII.2012 - ITALIA - Basilicata - PZ
Altri Ordini di Insetti

neurottero

3

6363

04/01/2025, 0:06

Roberto Viviano Vedi ultimo messaggio

Nessun messaggio da leggere
Euborellia sp. - Anisolabididae
20.XII.2023 - ITALIA - Marche - PU
Allegato(i)
Euborellia sp. - Anisolabididae

20.XII.2023 - ITALIA - Marche - PU
Altri Ordini di Insetti

plumipes

2

2398

23/12/2023, 10:08

plumipes Vedi ultimo messaggio

Nessun messaggio da leggere
Labia minor (Linnaeus, 1758) - Spongiphoridae
15.VII.2023 - ITALIA - Friuli-Venezia Giulia - PN
Allegato(i)
Labia minor (Linnaeus, 1758) - Spongiphoridae

15.VII.2023 - ITALIA - Friuli-Venezia Giulia - PN
Coleoptera

Gabriele

5

1233

24/11/2023, 20:01

Gabriele Vedi ultimo messaggio

Nessun messaggio da leggere
Nala lividipes (Dufour, 1828) - Labiduridae
7.VIII.2023 - ITALIA - Lazio - RM
Allegato(i)
Nala lividipes (Dufour, 1828) - Labiduridae

7.VIII.2023 - ITALIA - Lazio - RM
Altri Ordini di Insetti

soken

0

992

08/08/2023, 12:45

soken Vedi ultimo messaggio

Nessun messaggio da leggere
Chelidurella vignai Galvagni, 1995 - Forficulidae
16.VI.2023 - ITALIA - Trentino-Alto Adige - TN
Allegato(i)
Chelidurella vignai Galvagni, 1995 - Forficulidae

16.VI.2023 - ITALIA - Trentino-Alto Adige - TN
Altri Ordini di Insetti

Chalybion

0

1017

25/07/2023, 20:41

Chalybion Vedi ultimo messaggio

Nessun messaggio da leggere
Forficula auricularia Linnaeus, 1758 - Forficulidae
26.I.2023 - ITALIA - Lazio - RM
Allegato(i)
Forficula auricularia Linnaeus, 1758 - Forficulidae

26.I.2023 - ITALIA - Lazio - RM
Altri Ordini di Insetti

soken

0

1286

19/02/2023, 0:10

soken Vedi ultimo messaggio

Nessun messaggio da leggere
Allegato(i)
Forficula auricularia Linnaeus, 1758 - Forficulidae - immaturo

24.IX.2022 - ITALIA - Sicilia - CT
Altri Ordini di Insetti

Lucanus tetraodon

5

1719

21/12/2022, 12:09

Lucanus tetraodon Vedi ultimo messaggio

Nessun messaggio da leggere
Dermaptera sp.
23.IV.2015 - MALTA - EE
Allegato(i)
Dermaptera sp.

23.IV.2015 - MALTA - EE
Altri Ordini di Insetti

Fumea crassiorella

1

2176

07/11/2022, 20:33

Lucanus tetraodon Vedi ultimo messaggio

Nessun messaggio da leggere
Forficula sp. - Forficulidae
2019 - ITALIA - Liguria
Allegato(i)
Forficula sp. - Forficulidae

2019 - ITALIA - Liguria
Altri Ordini di Insetti

Antonio Pareto

2

1138

12/10/2022, 13:36

Antonio Pareto Vedi ultimo messaggio

Nessun messaggio da leggere
Forficula auricularia Linnaeus, 1758 - Forficulidae
19.VI.2022 - ITALIA - Lombardia - CR
Allegato(i)
Forficula auricularia Linnaeus, 1758 - Forficulidae

19.VI.2022 - ITALIA - Lombardia - CR
Altri Ordini di Insetti

Lolapip

2

1151

03/07/2022, 21:38

Lolapip Vedi ultimo messaggio

Nessun messaggio da leggere
Forficula auricularia Linnaeus, 1758 - Forficulidae
30.IV.2022 - ITALIA - Friuli-Venezia Giulia - UD
Allegato(i)
Forficula auricularia Linnaeus, 1758 - Forficulidae

30.IV.2022 - ITALIA - Friuli-Venezia Giulia - UD
Altri Ordini di Insetti

Michele A

2

977

06/06/2022, 11:47

Michele A Vedi ultimo messaggio

Nessun messaggio da leggere
Forficula auricularia Linnaeus, 1758 - Forficulidae
28.V.2022 - ITALIA - Trentino-Alto Adige - TN
Allegato(i)
Forficula auricularia Linnaeus, 1758 - Forficulidae

28.V.2022 - ITALIA - Trentino-Alto Adige - TN
Altri Ordini di Insetti

Syrio

2

1026

30/05/2022, 18:27

Syrio Vedi ultimo messaggio

Nessun messaggio da leggere
Forficula smyrnensis Serville, 1839 - Forficulidae
28.III.2022 - ITALIA - Friuli-Venezia Giulia - GO
Allegato(i)
Forficula smyrnensis Serville, 1839 - Forficulidae

28.III.2022 - ITALIA - Friuli-Venezia Giulia - GO
Altri Ordini di Insetti

Agdistis

3

1231

29/03/2022, 23:22

Clickie Vedi ultimo messaggio

Nessun messaggio da leggere
Guanchia pubescens (Géné, 1837) - Forficulidae
10.III.2022 - ITALIA - Lazio - RM
Allegato(i)
Guanchia pubescens (Géné, 1837) - Forficulidae

10.III.2022 - ITALIA - Lazio - RM
Altri Ordini di Insetti

soken

5

1402

12/03/2022, 12:56

marco villa Vedi ultimo messaggio

Nessun messaggio da leggere
Chelidura aptera (Megerle, 1825) - Forficulidae
2.VIII.2021 - ITALIA - Piemonte - BI
Allegato(i)
Chelidura aptera (Megerle, 1825) - Forficulidae

2.VIII.2021 - ITALIA - Piemonte - BI
Altri Ordini di Insetti

StagBeetle

1

1220

08/10/2021, 13:03

Alessio89 Vedi ultimo messaggio

Nessun messaggio da leggere
Allegato(i)
Forficula auricularia Linnaeus, 1758 - Dermaptera, Forficulidae, Forficulinae

14.VII.2021 - ITALIA - Marche - AN
Altri Ordini di Insetti

dorbodervus

6

1903

17/07/2021, 12:03

Chalybion Vedi ultimo messaggio

Nessun messaggio da leggere
Forficula decipiens Gené, 1832 - Forficulidae
26.X.2013 - ITALIA - Sicilia - ME
Allegato(i)
Forficula decipiens Gené, 1832 - Forficulidae

26.X.2013 - ITALIA - Sicilia - ME
Altri Ordini di Insetti

Lucanus tetraodon

2

1297

24/04/2021, 19:47

Lucanus tetraodon Vedi ultimo messaggio

Nessun messaggio da leggere
Forficulidae sp.
28.VII.2015 - ITALIA - Sicilia - ME
Allegato(i)
Forficulidae sp.

28.VII.2015 - ITALIA - Sicilia - ME
Altri Ordini di Insetti

Lucanus tetraodon

4

1571

23/04/2021, 14:43

Lucanus tetraodon Vedi ultimo messaggio

Nessun messaggio da leggere
Forficula silana (Costa, 1881) - Forficulidae
23.IV.2017 - ITALIA - Sicilia - ME
Allegato(i)
Forficula silana (Costa, 1881) - Forficulidae

23.IV.2017 - ITALIA - Sicilia - ME
Altri Ordini di Insetti

Lucanus tetraodon

2

1287

22/04/2021, 10:07

Lucanus tetraodon Vedi ultimo messaggio

Nessun messaggio da leggere
Forficula silana (Costa, 1881) - Forficulidae
27.VII.2014 - ITALIA - Sicilia - ME
Allegato(i)
Forficula silana (Costa, 1881) - Forficulidae

27.VII.2014 - ITALIA - Sicilia - ME
Altri Ordini di Insetti

Lucanus tetraodon

2

1311

22/04/2021, 10:06

Lucanus tetraodon Vedi ultimo messaggio

Nessun messaggio da leggere
Forficulidae sp.
18.I.2018 - ITALIA - Lazio - RM
Allegato(i)
Forficulidae sp.

18.I.2018 - ITALIA - Lazio - RM
Altri Artropodi

soken

4

1556

20/01/2021, 18:31

soken Vedi ultimo messaggio

Nessun messaggio da leggere
Euborellia annulipes (Dohrn, 1864) (cf.) - Anisolabididae
23.VIII.2020 - ITALIA - Lazio - RM
Allegato(i)
Euborellia annulipes (Dohrn, 1864) (cf.) - Anisolabididae

23.VIII.2020 - ITALIA - Lazio - RM
Altri Artropodi

soken

0

969

03/01/2021, 21:27

soken Vedi ultimo messaggio

Nessun messaggio da leggere
Anechura bipunctata (Fabricius, 1781) - Forficulidae
14.VII.2020 - ITALIA - Valle d'Aosta - AO
Allegato(i)
Anechura bipunctata (Fabricius, 1781) - Forficulidae

14.VII.2020 - ITALIA - Valle d'Aosta - AO
Altri Ordini di Insetti

StagBeetle

3

1269

28/12/2020, 19:20

Chalybion Vedi ultimo messaggio

Nessun messaggio da leggere
Forficula auricolaria Linnaeus, 1758 - Forficulidae
8.XI.2020 - ITALIA - Friuli-Venezia Giulia - UD
Allegato(i)
Forficula auricolaria Linnaeus, 1758 - Forficulidae

8.XI.2020 - ITALIA - Friuli-Venezia Giulia - UD
Altri Ordini di Insetti

Michele A

2

1150

14/12/2020, 18:30

Michele A Vedi ultimo messaggio

Nessun messaggio da leggere
Forficula smyrnensis Serville, 1839 - Forficulidae
21.XI.2020 - ITALIA - Emilia-Romagna - BO
Allegato(i)
Forficula smyrnensis Serville, 1839 - Forficulidae

21.XI.2020 - ITALIA - Emilia-Romagna - BO
Altri Ordini di Insetti

Loriscola

1

1193

22/11/2020, 23:40

marco villa Vedi ultimo messaggio

Nessun messaggio da leggere
Forficula auricularia Linnaeus, 1758 - Forficulidae
26.IX.2020 - ITALIA - Trentino-Alto Adige - TN
Allegato(i)
Forficula auricularia Linnaeus, 1758 - Forficulidae

26.IX.2020 - ITALIA - Trentino-Alto Adige - TN
Altri Ordini di Insetti

Syrio

8

3409

04/10/2020, 11:01

Syrio Vedi ultimo messaggio

Nessun messaggio da leggere
Labia minor (Linnaeus, 1758) (cf.) - Spongiphoridae
1.VII.2020 - ITALIA - Marche - AN
Allegato(i)
Labia minor (Linnaeus, 1758) (cf.) - Spongiphoridae

1.VII.2020 - ITALIA - Marche - AN
Altri Ordini di Insetti

StagBeetle

0

1604

20/09/2020, 22:01

StagBeetle Vedi ultimo messaggio

Nessun messaggio da leggere
Apterygida media (Hagenbach, 1822) - Forficulidae
12.IX.2020 - ITALIA - Trentino-Alto Adige - TN
Allegato(i)
Apterygida media (Hagenbach, 1822) - Forficulidae

12.IX.2020 - ITALIA - Trentino-Alto Adige - TN
Altri Ordini di Insetti

Syrio

2

1633

13/09/2020, 19:14

Syrio Vedi ultimo messaggio

Nessun messaggio da leggere
Apterygida albipennis (Magerle, 1825) - Forficulidae
13.VI.2007 - ITALIA - Emilia-Romagna - FC
Allegato(i)
Apterygida albipennis (Magerle, 1825) - Forficulidae

13.VI.2007 - ITALIA - Emilia-Romagna - FC
Altri Ordini di Insetti

Chalybion

6

2407

03/07/2020, 19:12

marco villa Vedi ultimo messaggio

Nessun messaggio da leggere
Forficula auricularia Linnaeus, 1758 - Forficulidae Forficulidae
28.VI.2020 - ITALIA - Trentino-Alto Adige - TN
Allegato(i)
Forficula auricularia Linnaeus, 1758 - Forficulidae Forficulidae

28.VI.2020 - ITALIA - Trentino-Alto Adige - TN
Altri Ordini di Insetti

Syrio

2

1638

01/07/2020, 23:04

Syrio Vedi ultimo messaggio

Nessun messaggio da leggere
Forficula decipiens Gené, 1832 - Forficulidae
7.I.2013 - ITALIA - Veneto - VE
Allegato(i)
Forficula decipiens Gené, 1832 - Forficulidae

7.I.2013 - ITALIA - Veneto - VE
Altri Ordini di Insetti

ghebo

5

3338

23/05/2020, 10:59

ghebo Vedi ultimo messaggio

Nessun messaggio da leggere
Allegato(i)
Forcipula gariazzi Borelli, 1900 (cf.) - Labidirinae

XI.2019 - GABON - EE
Altri Ordini di Insetti

Apoderus

2

2102

21/12/2019, 0:33

Apoderus Vedi ultimo messaggio

Nessun messaggio da leggere
Allegato(i)
Labidura riparia (Pallas, 1773) (cf.) - Labiduridae

14.VII.2018 - TURCHIA - EE
Coleoptera

ozgur70

2

2285

22/09/2018, 9:33

Baris99 Vedi ultimo messaggio

Nessun messaggio da leggere
Forficula auricularia Linnaeus, 1758 - Dermaptera - Forficulidae - Forficulinae
26.VI.2017 - ITALIA - Trentino-Alto Adige - TN
Allegato(i)
Forficula auricularia Linnaeus, 1758 - Dermaptera - Forficulidae - Forficulinae

26.VI.2017 - ITALIA - Trentino-Alto Adige - TN
Altri Ordini di Insetti

Syrio

3

2531

01/07/2017, 17:11

Syrio Vedi ultimo messaggio

Nessun messaggio da leggere
Allegato(i)
Forficula auricularia Linnaeus, 1758 - Forficulidae Forficulinae

14.IV.2017 - ITALIA - Lazio - RM
Altri Ordini di Insetti

Broc

2

2073

01/07/2017, 13:36

marco villa Vedi ultimo messaggio

Nessun messaggio da leggere
Forficula auricularia Linnaeus, 1758 - Forficulidae
23.VII.2016 - ITALIA - Lazio - RM
Allegato(i)
Forficula auricularia Linnaeus, 1758 - Forficulidae

23.VII.2016 - ITALIA - Lazio - RM
Altri Ordini di Insetti

wgliinsetti

2

2114

29/05/2017, 14:38

wgliinsetti Vedi ultimo messaggio

Nessun messaggio da leggere
Forficula decipiens Gene, 1832 - Forficulidae
26.III.2017 - ITALIA - Lazio - RM
Allegato(i)
Forficula decipiens Gene, 1832 - Forficulidae

26.III.2017 - ITALIA - Lazio - RM
Altri Ordini di Insetti

Edo

2

2407

04/04/2017, 21:32

Edo Vedi ultimo messaggio

Nessun messaggio da leggere
Guanchia sp. - Dermaptera Forficulidae
26.XII.2016 - ITALIA - Toscana - AR
Allegato(i)
Guanchia sp. - Dermaptera Forficulidae

26.XII.2016 - ITALIA - Toscana - AR
Altri Ordini di Insetti

MattiaMen

2

2680

10/01/2017, 0:26

MattiaMen Vedi ultimo messaggio

Nessun messaggio da leggere
Pseudochelidura orsinii (Gene, 1833) - Forficulidae
20.VIII.2016 - ITALIA - Lazio - RI
Allegato(i)
Pseudochelidura orsinii (Gene, 1833) - Forficulidae

20.VIII.2016 - ITALIA - Lazio - RI
Altri Ordini di Insetti

Palaemonetes

3

2965

28/08/2016, 19:38

Palaemonetes Vedi ultimo messaggio

Nessun messaggio da leggere
Allegato(i)
Labidura riparia (Pallas, 1773) - Labiduridae Labidurinae

27.IV.2016 - SPAGNA - EE
Altri Ordini di Insetti

Antonio Verdugo

2

2619

03/05/2016, 12:32

Antonio Verdugo Vedi ultimo messaggio

Nessun messaggio da leggere
Nala lividipes (Dufour, 1828) - Labiduridae
25.X.2015 - ITALIA - Lazio - RM
Allegato(i)
Nala lividipes (Dufour, 1828) - Labiduridae

25.X.2015 - ITALIA - Lazio - RM
Altri Ordini di Insetti

Broc

6

3166

06/12/2015, 13:53

elleelle Vedi ultimo messaggio

Nessun messaggio da leggere
Nala lividipes (Dufour, 1828) - Labiduridae
5.XI.2015 - ITALIA - Lazio - RM
Allegato(i)
Nala lividipes (Dufour, 1828) - Labiduridae

5.XI.2015 - ITALIA - Lazio - RM
Altri Ordini di Insetti

elleelle

0

2109

06/12/2015, 13:36

elleelle Vedi ultimo messaggio

Nessun messaggio da leggere
Allegato(i)
Canarilabis maxima (Brullé, 1838) - Anisolabididae

17.XI.2015 - SPAGNA - EE
Altri Ordini di Insetti

ruzzpa

2

2475

24/11/2015, 18:34

Tenebrio Vedi ultimo messaggio

Nessun messaggio da leggere
Apterygida media (Hagenbach, 1822)(cf.) - Forficulidae
4.X.2014 - ITALIA - Lombardia - MN
Allegato(i)
Apterygida media (Hagenbach, 1822)(cf.) - Forficulidae

4.X.2014 - ITALIA - Lombardia - MN
Altri Ordini di Insetti

Magma

7

3876

22/11/2015, 18:50

marco89 Vedi ultimo messaggio

Nessun messaggio da leggere
Guanchia pubescens (Gene, 1837) - Forficulidae
15.VII.2015 - ITALIA - Marche - MC
Allegato(i)
Guanchia pubescens (Gene, 1837) - Forficulidae

15.VII.2015 - ITALIA - Marche - MC
Altri Ordini di Insetti

Magma

2

2709

22/11/2015, 18:25

Magma Vedi ultimo messaggio

Nessun messaggio da leggere
Allegato(i)
Labidura riparia (Pallas, 1773) - Labiduriidae

25.IV.2015 - MALTA - EE
Altri Ordini di Insetti

Fumea crassiorella

1

2148

17/07/2015, 15:16

Andricus Vedi ultimo messaggio

Nessun messaggio da leggere
Labidura riparia (Pallas, 1773) - Labiduridae
2.V.2015 - ITALIA - Lombardia - CR
Allegato(i)
Labidura riparia (Pallas, 1773) - Labiduridae

2.V.2015 - ITALIA - Lombardia - CR
Altri Ordini di Insetti

betelges

4

3070

03/05/2015, 10:31

betelges Vedi ultimo messaggio

Visualizza ultimi argomenti:  Ordina per  Ordine:  
nuovo argomento
Vai alla pagina 1, 2, 3  Prossimo
Pagina 1 di 3 [ 135 argomenti ]

Tutti gli orari sono UTC + 1 ora [ ora legale ]


Chi c’è in linea

Visitano il forum: Nessuno e 1 ospite


Legenda
Messaggi da leggere Messaggi da leggere Nessun messaggio da leggere Nessun messaggio da leggere Annuncio Annuncio
 
Specie indeterminata / discussione generica
Messaggi non letti [ Popolari ] Messaggi non letti [ Popolari ] Nessun messaggio da leggere [ Popolare ] Nessun messaggio da leggere [ Popolare ] Importante Importante
 
Specie determinata fino al genere o cf.
Messaggi non letti [ Bloccati ] Messaggi non letti [ Bloccati ] No messaggi non letti [ Bloccati ] No messaggi non letti [ Bloccati ] Argomento spostato Argomento spostato
 
Specie correttamente determinata
Permessi
Non puoi aprire nuovi argomenti
Non puoi rispondere negli argomenti
Non puoi modificare i tuoi messaggi
Non puoi cancellare i tuoi messaggi
Non puoi inviare allegati

Cerca per:
Vai a: