Benvenuto Ospite

Forum Entomologi Italiani

www.entomologiitaliani.net/forum
 
Oggi è 24/01/2026, 0:33

Tutti gli orari sono UTC + 1 ora [ ora legale ]

Dermaptera


[ AFROTROPICALE ] [ ANTARTICO ] [ AUSTRALASIANO ] [ NEARTICO ] [ NEOTROPICALE ] [ ORIENTALE ] [ PALEARTICO ]


nuovo argomento
Vai alla pagina Precedente  1, 2, 3  Prossimo
Pagina 2 di 3 [ 133 argomenti ]
 Argomenti   Ordine   Autore   Risposte   Visite    Ultimo messaggio 
Annunci
Nessun messaggio da leggere
Allegato(i)
Incontri entomologici della Società Entomologica Italiana 2025-2026
 

Velvet Ant

0

19491

17/11/2025, 19:41

Velvet Ant Vedi ultimo messaggio

Nessun messaggio da leggere
Allegato(i)
Incontri entomologici telematici organizzati dalla Società Entomologica Italiana nel 2022 e nel 2023

[ Vai alla paginaVai alla pagina: 1, 2, 3 ]

 

Velvet Ant

44

1749336

03/03/2023, 15:55

Velvet Ant Vedi ultimo messaggio

Nessun messaggio da leggere  
Allegato(i)
Sondaggio sul declino dell'entomofauna in Italia

[ Vai alla paginaVai alla pagina: 1, 2, 3, 4 ]

 

Velvet Ant

52

2381170

22/10/2022, 19:18

Acquarius Vedi ultimo messaggio

Nessun messaggio da leggere  
Allegato(i)
Progetto: Bibliografia ragionata dei lavori entomologici nei quali sono citati reperti apparsi su FEI

[ Vai alla paginaVai alla pagina: 1, 2, 3 ]

 

Velvet Ant

33

1405354

06/07/2023, 18:31

Orotrechus Vedi ultimo messaggio

Nessun messaggio da leggere
Allegato(i)
Mimesi, il primo documentario cinematografico sull’entomologia in Italia: casting
 

mazzeip

1

1096472

28/02/2019, 20:26

mazzeip Vedi ultimo messaggio

Questo argomento è bloccato, non puoi modificare o inviare ulteriori messaggi.
Allegato(i)
ISTRUZIONI PUBBLICAZIONE NUOVI ARGOMENTI E FOTO

 
Altri Ordini di Insetti

Julodis

4

2897802

13/05/2015, 19:37

Julodis Vedi ultimo messaggio

Nessun messaggio da leggere
Allegato(i)
Limitatore giornaliero di messaggi, uno strumento utile e ormai indispensabile

[ Vai alla paginaVai alla pagina: 1 ... 14, 15, 16 ]

 

Velvet Ant

233

12652212

25/09/2014, 14:31

Inachis Vedi ultimo messaggio

Nessun messaggio da leggere  
NORME PER I COLLABORATORI DEL FORUM

 
 

Velvet Ant

0

639193

02/06/2011, 12:05

Velvet Ant Vedi ultimo messaggio

Nessun messaggio da leggere
Allegato(i)
NORME PER GLI UTENTI DEL FORUM

[ Vai alla paginaVai alla pagina: 1, 2, 3 ]



 
 

Velvet Ant

30

3520409

23/09/2014, 23:54

Maurizio Bollino Vedi ultimo messaggio

Nessun messaggio da leggere  
Lista degli utenti del "Forum entomologi italiani" per campi di interesse e specializzazione

 
Altri Ordini di Insetti

Velvet Ant

13

1028805

07/09/2023, 17:14

Roberto-07 Vedi ultimo messaggio

Argomenti
Nessun messaggio da leggere
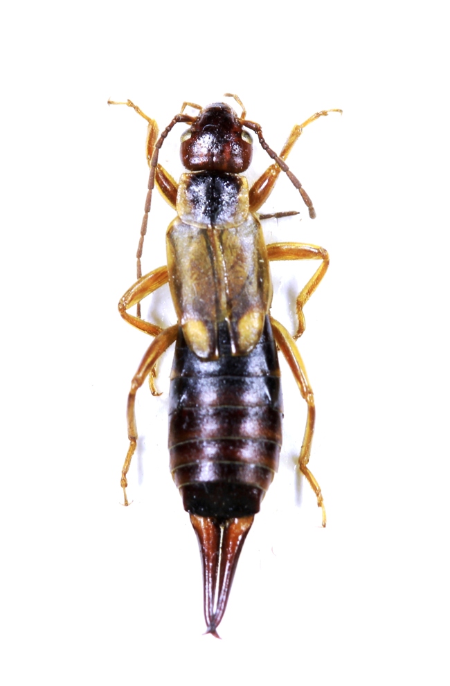
Euborellia moesta (Gené, 1837) - Anisolabididae
21.VII.2014 - ITALIA - Lazio - RM
Allegato(i)
Euborellia moesta (Gené, 1837) - Anisolabididae

21.VII.2014 - ITALIA - Lazio - RM
Altri Ordini di Insetti

Broc

2

2343

24/12/2014, 0:30

marco89 Vedi ultimo messaggio

Nessun messaggio da leggere
Anisolabis maritima (Bonelli, 1832) - Anisolabididae
30.VI.2014 - ITALIA - Toscana - LI
Allegato(i)
Anisolabis maritima (Bonelli, 1832) - Anisolabididae

30.VI.2014 - ITALIA - Toscana - LI
Altri Ordini di Insetti

Magma

5

2935

23/12/2014, 23:40

marco89 Vedi ultimo messaggio

Nessun messaggio da leggere
Labia minor (Linnaeus, 1758) - Spongiphoridae
26.VIII.2014 - ITALIA - Marche - AN
Allegato(i)
Labia minor (Linnaeus, 1758) - Spongiphoridae

26.VIII.2014 - ITALIA - Marche - AN
Altri Ordini di Insetti

StagBeetle

1

1753

23/12/2014, 18:10

marco89 Vedi ultimo messaggio

Nessun messaggio da leggere
Forficula auricularia Linnaeus, 1758 - Forficulidae
IV.2014 - ITALIA - Lazio - RM
Allegato(i)
Forficula auricularia Linnaeus, 1758 - Forficulidae

IV.2014 - ITALIA - Lazio - RM
Altri Ordini di Insetti

Broc

1

1706

13/12/2014, 15:30

megalottero Vedi ultimo messaggio

Nessun messaggio da leggere
Forficula auricularia Linnaeus, 1758 - Forficulidae
12.VI.2010 - ITALIA - Sicilia - PA
Allegato(i)
Forficula auricularia Linnaeus, 1758 - Forficulidae

12.VI.2010 - ITALIA - Sicilia - PA
Altri Ordini di Insetti

Gregorio

3

2248

12/10/2014, 23:28

Gregorio Vedi ultimo messaggio

Nessun messaggio da leggere
Pseudochelidura orsinii (Gené, 1833) - Forficulidae
27.VIII.2014 - ITALIA - Abruzzo - AQ
Allegato(i)
Pseudochelidura orsinii (Gené, 1833) - Forficulidae

27.VIII.2014 - ITALIA - Abruzzo - AQ
Altri Ordini di Insetti

Andricus

1

1910

08/09/2014, 21:52

Tenebrio Vedi ultimo messaggio

Nessun messaggio da leggere
Euborellia moesta (Gene, 1839) - Anisolabididae
III.2014 - ITALIA - Lazio - RM
Allegato(i)
Euborellia moesta (Gene, 1839) - Anisolabididae

III.2014 - ITALIA - Lazio - RM
Altri Ordini di Insetti

aesalus37

2

2059

12/04/2014, 16:33

aesalus37 Vedi ultimo messaggio

Nessun messaggio da leggere
Euborellia moesta (Gené, 1839) - Dermaptera
6.II.2014 - ITALIA - Sardegna - CA
Allegato(i)
Euborellia moesta (Gené, 1839) - Dermaptera

6.II.2014 - ITALIA - Sardegna - CA
Altri Ordini di Insetti

Fumea crassiorella

2

1997

09/02/2014, 9:50

Fumea crassiorella Vedi ultimo messaggio

Nessun messaggio da leggere
Forficula auricularia Linnaeus, 1758 - Forficulidae
25.III.2012 - ITALIA - Sicilia - ME
Allegato(i)
Forficula auricularia Linnaeus, 1758 - Forficulidae

25.III.2012 - ITALIA - Sicilia - ME
Altri Ordini di Insetti

Lucanus tetraodon

3

2305

16/12/2013, 18:42

Lucanus tetraodon Vedi ultimo messaggio

Nessun messaggio da leggere
Labidura riparia (Pallas, 1773) - Labiduridae
26.IX.2012 - ITALIA - Piemonte - TO
Allegato(i)
Labidura riparia (Pallas, 1773) - Labiduridae

26.IX.2012 - ITALIA - Piemonte - TO
Altri Ordini di Insetti

umskiptar

3

2329

09/08/2013, 11:16

marco89 Vedi ultimo messaggio

Nessun messaggio da leggere
Allegato(i)
Forficula auricularia Linnaeus, 1758 - Forficulidae

17.V.2013 - DANIMARCA - EE
Altri Ordini di Insetti

Marco Ferrante

2

2064

21/05/2013, 12:41

Marco Ferrante Vedi ultimo messaggio

Nessun messaggio da leggere
Forficula auricularia Linnaeus, 1758 - Forficulidae
22.XI.2012 - ITALIA - Lazio - VT
Allegato(i)
Forficula auricularia Linnaeus, 1758 - Forficulidae

22.XI.2012 - ITALIA - Lazio - VT
Altri Ordini di Insetti

Andricus

4

2661

22/11/2012, 20:07

Andricus Vedi ultimo messaggio

Nessun messaggio da leggere
Labidura riparia (Pallas, 1773) - Labiduridae
5.VIII.2012 - ITALIA - Sicilia - AG
Allegato(i)
Labidura riparia (Pallas, 1773) - Labiduridae

5.VIII.2012 - ITALIA - Sicilia - AG
Altri Ordini di Insetti

Marco Ferrante

6

3156

19/11/2012, 18:11

Marco Ferrante Vedi ultimo messaggio

Nessun messaggio da leggere
Apterygida albipennis Megerle, 1825 (cf) - Forficulidae
1.III.2012 - ITALIA - Veneto - VR
Allegato(i)
Apterygida albipennis Megerle, 1825 (cf) - Forficulidae

1.III.2012 - ITALIA - Veneto - VR
Altri Ordini di Insetti

Umbro

7

3707

04/11/2012, 19:09

Umbro Vedi ultimo messaggio

Nessun messaggio da leggere
Pseudochelidura orsinii (Gene, 1833) - Forficulidae
7.X.2012 - ITALIA - Marche - AP
Allegato(i)
Pseudochelidura orsinii (Gene, 1833) - Forficulidae

7.X.2012 - ITALIA - Marche - AP
Altri Ordini di Insetti

StagBeetle

3

2232

20/10/2012, 11:07

Maura Vedi ultimo messaggio

Nessun messaggio da leggere
Allegato(i)
Carcinophora americana (Palisot de Beauvois 1817) - Anisolabididae

IV.2009 - ECUADOR - EE
Altri Ordini di Insetti

ruzzpa

7

4346

13/10/2012, 16:01

Christophe_G Vedi ultimo messaggio

Nessun messaggio da leggere
Dermaptera: Forficula auricularia?
30.IV.2010 - ITALIA - Toscana - AR
Allegato(i)
Dermaptera: Forficula auricularia?

30.IV.2010 - ITALIA - Toscana - AR
Altri Ordini di Insetti

ff57

2

2452

03/10/2012, 18:12

Limax Vedi ultimo messaggio

Nessun messaggio da leggere
Forficula silana (Costa, 1881) - Forficulidae
X.2010 - ITALIA - Calabria - CS
Allegato(i)
Forficula silana (Costa, 1881) - Forficulidae

X.2010 - ITALIA - Calabria - CS
Altri Ordini di Insetti

Valerio

6

4236

02/10/2012, 8:01

Limax Vedi ultimo messaggio

Nessun messaggio da leggere
Chelidura sp. (cf.) - Forficulidae Anechurinae
15.XI.2011 - REPUBBLICA CECA - EE
Allegato(i)
Chelidura sp. (cf.) - Forficulidae Anechurinae

15.XI.2011 - REPUBBLICA CECA - EE
Altri Ordini di Insetti

Honza

7

4433

16/09/2012, 1:16

Maura Vedi ultimo messaggio

Nessun messaggio da leggere
Dermaptera Forficulidae
13.VI.2011 - ITALIA - Umbria - PG
Allegato(i)
Dermaptera Forficulidae

13.VI.2011 - ITALIA - Umbria - PG
Altri Ordini di Insetti

Maura

2

2030

14/09/2012, 18:34

Maura Vedi ultimo messaggio

Nessun messaggio da leggere
Forficula ruficollis (Fabricius, 1798) - Forficulidae
14.VII.1996 - PORTOGALLO - EE
Allegato(i)
Forficula ruficollis (Fabricius, 1798) - Forficulidae

14.VII.1996 - PORTOGALLO - EE
Altri Ordini di Insetti

Daniele Sechi

4

2753

11/09/2012, 21:59

Daniele Sechi Vedi ultimo messaggio

Nessun messaggio da leggere
Allegato(i)
Forficula riffensis (Burr, 1909) - Forficulidae

22.I.2000 - MAROCCO - EE
Altri Ordini di Insetti

Daniele Sechi

5

3266

11/09/2012, 19:55

f.izzillo Vedi ultimo messaggio

Nessun messaggio da leggere
Labidura riparia (Pallas 1773) - Labiduridae
3.IX.2012 - ITALIA - Veneto - VE
Allegato(i)
Labidura riparia (Pallas 1773) - Labiduridae

3.IX.2012 - ITALIA - Veneto - VE
Altri Ordini di Insetti

ghebo

0

2002

06/09/2012, 16:11

ghebo Vedi ultimo messaggio

Nessun messaggio da leggere
Labidura riparia (Pallas, 1773) - Labiduridae
26.X.2010 - ITALIA - Lazio - RM
Allegato(i)
Labidura riparia (Pallas, 1773) - Labiduridae

26.X.2010 - ITALIA - Lazio - RM
Altri Ordini di Insetti

soken

7

2801

05/09/2012, 19:27

soken Vedi ultimo messaggio

Nessun messaggio da leggere
Forficula obtusangola (Krauss, 1904) - Forficulidae
13.VI.2011 - ITALIA - Umbria - PG
Allegato(i)
Forficula obtusangola (Krauss, 1904) - Forficulidae

13.VI.2011 - ITALIA - Umbria - PG
Altri Ordini di Insetti

Maura

14

6123

26/06/2012, 22:09

Limax Vedi ultimo messaggio

Nessun messaggio da leggere
Euborellia moesta (Gené, 1839) - Anisolabididae
24.V.2012 - ITALIA - Lazio - VT
Allegato(i)
Euborellia moesta (Gené, 1839) - Anisolabididae

24.V.2012 - ITALIA - Lazio - VT
Altri Ordini di Insetti

Andricus

0

1739

04/06/2012, 23:05

Andricus Vedi ultimo messaggio

Nessun messaggio da leggere
Allegato(i)
Pseudochelidura galvagnii (Vigna Taglianti, 1999) - Forficulidae

6.VI.2010 - ITALIA - Marche - AP
Altri Ordini di Insetti

StagBeetle

11

4749

15/05/2012, 22:34

Limax Vedi ultimo messaggio

Nessun messaggio da leggere
Chelidurella acanthopygia (Géné, 1832) - Forficulidae
23.III.2012 - ITALIA - Emilia-Romagna - BO
Allegato(i)
Chelidurella acanthopygia (Géné, 1832) - Forficulidae

23.III.2012 - ITALIA - Emilia-Romagna - BO
Altri Ordini di Insetti

Loriscola

1

1757

18/04/2012, 11:14

marco89 Vedi ultimo messaggio

Nessun messaggio da leggere
Dermaptera sp.
23.III.2012 - ITALIA - Emilia-Romagna - BO
Allegato(i)
Dermaptera sp.

23.III.2012 - ITALIA - Emilia-Romagna - BO
Altri Ordini di Insetti

Loriscola

0

1404

28/03/2012, 22:58

Loriscola Vedi ultimo messaggio

Nessun messaggio da leggere
Pseudochelidura orsinii (Gene, 1833) - Forficulidae
13.VI.2009 - ITALIA - Lazio - RI
Allegato(i)
Pseudochelidura orsinii (Gene, 1833) - Forficulidae

13.VI.2009 - ITALIA - Lazio - RI
Altri Ordini di Insetti

Valerio

2

2300

17/02/2012, 22:39

Valerio Vedi ultimo messaggio

Nessun messaggio da leggere
Allegato(i)
Anisolabis maritima (Bonelli in Gené, 1832) - Dermaptera, Anisolabididae

22.V.2010 - ITALIA - Marche - MC
Altri Ordini di Insetti

StagBeetle

3

2648

09/02/2012, 18:08

marco89 Vedi ultimo messaggio

Nessun messaggio da leggere
Forficula smyrnensis Serville, 1839 - Forficulidae
12.II.2011 - ITALIA - Marche - AN
Allegato(i)
Forficula smyrnensis Serville, 1839 - Forficulidae

12.II.2011 - ITALIA - Marche - AN
Altri Ordini di Insetti

StagBeetle

13

3726

26/01/2012, 10:18

marco paglialunga Vedi ultimo messaggio

Nessun messaggio da leggere
Dermatteri - Lazio
9.I.2012 - ITALIA - Lazio - RM
Allegato(i)
Dermatteri - Lazio

9.I.2012 - ITALIA - Lazio - RM
Altri Ordini di Insetti

Julodis

2

1284

12/01/2012, 11:13

Livio Vedi ultimo messaggio

Nessun messaggio da leggere
Forficula auricolaria Linnaeus, 1758 ♂ - Forficulidae
26.XII.2011 - ITALIA - Veneto - RO
Allegato(i)
Forficula auricolaria Linnaeus, 1758 ♂ - Forficulidae

26.XII.2011 - ITALIA - Veneto - RO
Altri Ordini di Insetti

Umbro

2

1122

11/01/2012, 16:05

Umbro Vedi ultimo messaggio

Nessun messaggio da leggere
Forficula auricularia Linnaeus, 1758 - Forficulidae
28.VI.2011 - ITALIA - Umbria - PG
Allegato(i)
Forficula auricularia Linnaeus, 1758 - Forficulidae

28.VI.2011 - ITALIA - Umbria - PG
Altri Ordini di Insetti

Maura

3

1404

24/12/2011, 12:58

Maura Vedi ultimo messaggio

Nessun messaggio da leggere
Forficula auricularia Linnaeus, 1758 - Forficulidae
28.X.2011 - ITALIA - Veneto - RO
Allegato(i)
Forficula auricularia Linnaeus, 1758 - Forficulidae

28.X.2011 - ITALIA - Veneto - RO
Altri Ordini di Insetti

Umbro

5

1591

05/12/2011, 19:46

Umbro Vedi ultimo messaggio

Nessun messaggio da leggere
Forficula auricolaria Linnaeus, 1758 ♂ - Forficulidae
25.XI.2011 - ITALIA - Lazio - VT
Allegato(i)
Forficula auricolaria Linnaeus, 1758 ♂ - Forficulidae

25.XI.2011 - ITALIA - Lazio - VT
Altri Ordini di Insetti

Andricus

1

1012

30/11/2011, 1:16

Claude54 Vedi ultimo messaggio

Nessun messaggio da leggere
Forficula auricolaria Linnaeus, 1758 ♂ - Forficulidae
23.VIII.2011 - ITALIA - Abruzzo - AQ
Allegato(i)
Forficula auricolaria Linnaeus, 1758 ♂ - Forficulidae

23.VIII.2011 - ITALIA - Abruzzo - AQ
Altri Ordini di Insetti

andreah

4

1405

07/11/2011, 17:17

andreah Vedi ultimo messaggio

Nessun messaggio da leggere
Labia minor (Linnaeus, 1758) - Spongiphoridae
5.IX.2011 - ITALIA - Marche - PU
Allegato(i)
Labia minor (Linnaeus, 1758) - Spongiphoridae

5.IX.2011 - ITALIA - Marche - PU
Altri Ordini di Insetti

marco paglialunga

1

1028

21/10/2011, 10:03

elleelle Vedi ultimo messaggio

Nessun messaggio da leggere
Allegato(i)
Forficula cf. auricularia Linnaeus, 1758 - Forficulidae

V.2010 - MAROCCO - EE
Altri Ordini di Insetti

Valerio

0

744

07/10/2011, 18:14

Valerio Vedi ultimo messaggio

Nessun messaggio da leggere
Labidura riparia Pallas 1773 - Labiduridae
6.III.1994 - ITALIA - Marche - AN
Allegato(i)
Labidura riparia Pallas 1773 - Labiduridae

6.III.1994 - ITALIA - Marche - AN
Altri Ordini di Insetti

dorbodervus

3

1370

14/09/2011, 9:31

storm Vedi ultimo messaggio

Nessun messaggio da leggere
Forficula spp. - Forficulidae
23.V.2010 - ITALIA - Sardegna - SS
Allegato(i)
Forficula spp. - Forficulidae

23.V.2010 - ITALIA - Sardegna - SS
Altri Ordini di Insetti

Pietro Niolu

4

1377

25/04/2011, 9:16

hutia Vedi ultimo messaggio

Nessun messaggio da leggere
Forficula auricularia Linnaeus, 1758 - Forficulidae
23.X.2006 - ITALIA - Sardegna - SS
Allegato(i)
Forficula auricularia Linnaeus, 1758 - Forficulidae

23.X.2006 - ITALIA - Sardegna - SS
Altri Ordini di Insetti

Pietro Niolu

2

1116

24/04/2011, 0:30

Mikiphasmide Vedi ultimo messaggio

Nessun messaggio da leggere
Euborellia moesta (Gené, 1839) - Anisolabididae
31.XII.2007 - ITALIA - Sardegna - SS
Allegato(i)
Euborellia moesta (Gené, 1839) - Anisolabididae

31.XII.2007 - ITALIA - Sardegna - SS
Altri Ordini di Insetti

Pietro Niolu

1

911

24/04/2011, 0:29

Mikiphasmide Vedi ultimo messaggio

Nessun messaggio da leggere
Labidura riparia (Pallas 1773) - Labiduridae
6.IV.2011 - ITALIA - Lazio - LT
Allegato(i)
Labidura riparia (Pallas 1773) - Labiduridae

6.IV.2011 - ITALIA - Lazio - LT
Altri Ordini di Insetti

elleelle

1

943

07/04/2011, 16:55

Raubmilbe Vedi ultimo messaggio

Nessun messaggio da leggere
Forficula auricularia Linnaeus 1758 - Forficulidae
7.III.2011 - ITALIA - Veneto - VE
Allegato(i)
Forficula auricularia Linnaeus 1758 - Forficulidae

7.III.2011 - ITALIA - Veneto - VE
Altri Ordini di Insetti

Effe Esse

0

882

17/03/2011, 23:11

Effe Esse Vedi ultimo messaggio

Nessun messaggio da leggere
Forficula auricularia Linnaeus 1758 - M - Forficulidae
5.III.2011 - ITALIA - Emilia-Romagna - RE
Allegato(i)
Forficula auricularia Linnaeus 1758 - M - Forficulidae

5.III.2011 - ITALIA - Emilia-Romagna - RE
Altri Ordini di Insetti

Mikiphasmide

3

1270

09/03/2011, 9:56

hutia Vedi ultimo messaggio

Nessun messaggio da leggere
Forficula auricularia Linnaeus 1758 - M - Forficulidae
5.III.2011 - ITALIA - Emilia-Romagna - RE
Allegato(i)
Forficula auricularia Linnaeus 1758 - M - Forficulidae

5.III.2011 - ITALIA - Emilia-Romagna - RE
Altri Ordini di Insetti

Mikiphasmide

1

1040

09/03/2011, 9:54

hutia Vedi ultimo messaggio

Nessun messaggio da leggere
Forficula auricularia
1.III.2011 - ITALIA - Emilia-Romagna - RE
Allegato(i)
Forficula auricularia

1.III.2011 - ITALIA - Emilia-Romagna - RE
Altri Ordini di Insetti

Mikiphasmide

3

1511

03/03/2011, 21:28

Andricus Vedi ultimo messaggio

Nessun messaggio da leggere
Chelidurella sp. - Dermatteri
1.III.2011 - ITALIA - Lombardia - SO
Allegato(i)
Chelidurella sp. - Dermatteri

1.III.2011 - ITALIA - Lombardia - SO
Altri Ordini di Insetti

Luciano Menghi

1

1176

01/03/2011, 19:55

Davide Cillo Vedi ultimo messaggio

Visualizza ultimi argomenti:  Ordina per  Ordine:  
nuovo argomento
Vai alla pagina Precedente  1, 2, 3  Prossimo
Pagina 2 di 3 [ 133 argomenti ]

Tutti gli orari sono UTC + 1 ora [ ora legale ]


Chi c’è in linea

Visitano il forum: Nessuno e 1 ospite


Legenda
Messaggi da leggere Messaggi da leggere Nessun messaggio da leggere Nessun messaggio da leggere Annuncio Annuncio
 
Specie indeterminata / discussione generica
Messaggi non letti [ Popolari ] Messaggi non letti [ Popolari ] Nessun messaggio da leggere [ Popolare ] Nessun messaggio da leggere [ Popolare ] Importante Importante
 
Specie determinata fino al genere o cf.
Messaggi non letti [ Bloccati ] Messaggi non letti [ Bloccati ] No messaggi non letti [ Bloccati ] No messaggi non letti [ Bloccati ] Argomento spostato Argomento spostato
 
Specie correttamente determinata
Permessi
Non puoi aprire nuovi argomenti
Non puoi rispondere negli argomenti
Non puoi modificare i tuoi messaggi
Non puoi cancellare i tuoi messaggi
Non puoi inviare allegati

Cerca per:
Vai a: