Benvenuto Ospite

Forum Entomologi Italiani

www.entomologiitaliani.net/forum
 
Oggi è 14/02/2026, 23:58

Tutti gli orari sono UTC + 1 ora [ ora legale ]

Delphacidae


[ AFROTROPICALE ] [ ANTARTICO ] [ AUSTRALASIANO ] [ NEARTICO ] [ NEOTROPICALE ] [ ORIENTALE ] [ PALEARTICO ]


nuovo argomento
Pagina 1 di 1 [ 37 argomenti ]
 Argomenti   Ordine   Autore   Risposte   Visite    Ultimo messaggio 
Annunci
Nessun messaggio da leggere
Allegato(i)
Incontri entomologici della Società Entomologica Italiana 2025-2026
 

Velvet Ant

0

25022

17/11/2025, 19:41

Velvet Ant Vedi ultimo messaggio

Nessun messaggio da leggere
Allegato(i)
Incontri entomologici telematici organizzati dalla Società Entomologica Italiana nel 2022 e nel 2023

[ Vai alla paginaVai alla pagina: 1, 2, 3 ]

 

Velvet Ant

44

1794127

03/03/2023, 15:55

Velvet Ant Vedi ultimo messaggio

Nessun messaggio da leggere  
Allegato(i)
Sondaggio sul declino dell'entomofauna in Italia

[ Vai alla paginaVai alla pagina: 1, 2, 3, 4 ]

 

Velvet Ant

52

2430445

22/10/2022, 19:18

Acquarius Vedi ultimo messaggio

Nessun messaggio da leggere  
Allegato(i)
Progetto: Bibliografia ragionata dei lavori entomologici nei quali sono citati reperti apparsi su FEI

[ Vai alla paginaVai alla pagina: 1, 2, 3 ]

 

Velvet Ant

33

1440713

06/07/2023, 18:31

Orotrechus Vedi ultimo messaggio

Nessun messaggio da leggere
Allegato(i)
Mimesi, il primo documentario cinematografico sull’entomologia in Italia: casting
 

mazzeip

1

1104803

28/02/2019, 20:26

mazzeip Vedi ultimo messaggio

Questo argomento è bloccato, non puoi modificare o inviare ulteriori messaggi.
Allegato(i)
ISTRUZIONI PUBBLICAZIONE NUOVI ARGOMENTI E FOTO

 
Altri Ordini di Insetti

Julodis

4

2909292

13/05/2015, 19:37

Julodis Vedi ultimo messaggio

Nessun messaggio da leggere
Allegato(i)
Limitatore giornaliero di messaggi, uno strumento utile e ormai indispensabile

[ Vai alla paginaVai alla pagina: 1 ... 14, 15, 16 ]

 

Velvet Ant

233

12823767

25/09/2014, 14:31

Inachis Vedi ultimo messaggio

Nessun messaggio da leggere  
NORME PER I COLLABORATORI DEL FORUM

 
 

Velvet Ant

0

645824

02/06/2011, 12:05

Velvet Ant Vedi ultimo messaggio

Nessun messaggio da leggere
Allegato(i)
NORME PER GLI UTENTI DEL FORUM

[ Vai alla paginaVai alla pagina: 1, 2, 3 ]



 
 

Velvet Ant

30

3558242

23/09/2014, 23:54

Maurizio Bollino Vedi ultimo messaggio

Nessun messaggio da leggere  
Lista degli utenti del "Forum entomologi italiani" per campi di interesse e specializzazione

 
Altri Ordini di Insetti

Velvet Ant

13

1047490

07/09/2023, 17:14

Roberto-07 Vedi ultimo messaggio

Argomenti
Nessun messaggio da leggere
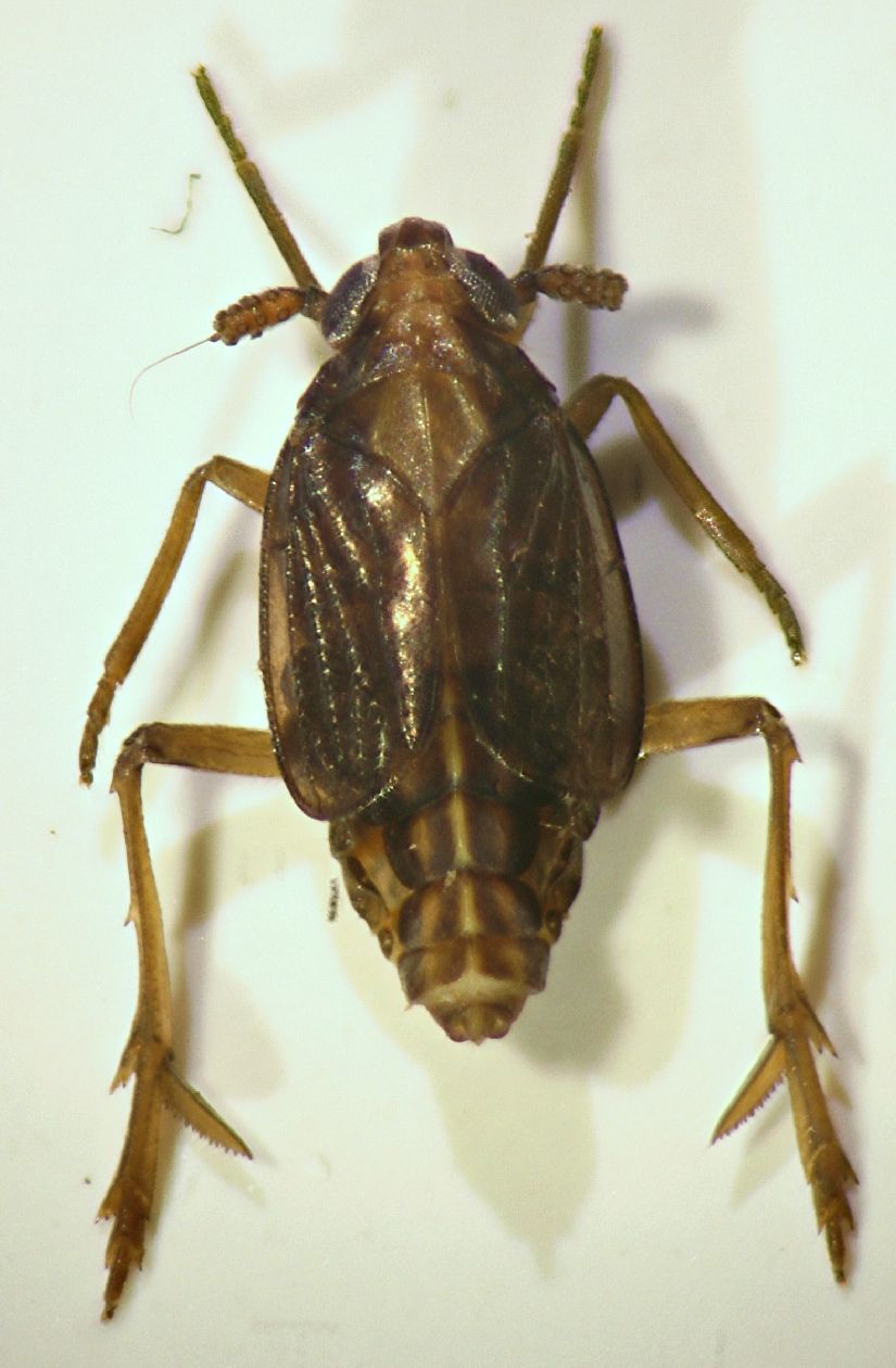
Metropis sp. - Delphacidae
24.IV.2011 - ITALIA - Lazio - RM
Allegato(i)
Metropis sp. - Delphacidae

24.IV.2011 - ITALIA - Lazio - RM
Hemiptera

soken

6

1713

01/06/2021, 19:04

soken Vedi ultimo messaggio

Nessun messaggio da leggere
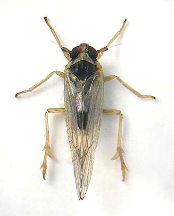
Ditropis pteridis (cf.) - Delphacidae
5.VIII.2020 - ITALIA - Sardegna - OT
Allegato(i)
Ditropis pteridis (cf.) - Delphacidae

5.VIII.2020 - ITALIA - Sardegna - OT
Hemiptera

elleelle

0

2119

28/09/2020, 17:44

elleelle Vedi ultimo messaggio

Nessun messaggio da leggere
Asiraca clavicornis (Fabricius, 1794) - Delphacidae
2.V.2020 - ITALIA - Trentino-Alto Adige - TN
Allegato(i)
Asiraca clavicornis (Fabricius, 1794) - Delphacidae

2.V.2020 - ITALIA - Trentino-Alto Adige - TN
Hemiptera

Syrio

0

1413

06/06/2020, 19:18

Syrio Vedi ultimo messaggio

Nessun messaggio da leggere
Asiraca clavicornis (Fabricius, 1794) - Delphacidae.
29.IV.2020 - ITALIA - Trentino-Alto Adige - TN
Allegato(i)
Asiraca clavicornis (Fabricius, 1794) - Delphacidae.

29.IV.2020 - ITALIA - Trentino-Alto Adige - TN
Hemiptera

Syrio

2

1954

30/04/2020, 12:05

Syrio Vedi ultimo messaggio

Nessun messaggio da leggere
Delphax sp. - Delphacidae
5.VIII.2011 - ITALIA - Emilia-Romagna - RA
Allegato(i)
Delphax sp. - Delphacidae

5.VIII.2011 - ITALIA - Emilia-Romagna - RA
Hemiptera

Chalybion

2

2171

19/02/2020, 19:34

Chalybion Vedi ultimo messaggio

Nessun messaggio da leggere
Delphacidae sp.
7.XI.2019 - ITALIA - Veneto - VE
Allegato(i)
Delphacidae sp.

7.XI.2019 - ITALIA - Veneto - VE
Hemiptera

ghebo

1

1728

12/11/2019, 19:58

ghebo Vedi ultimo messaggio

Nessun messaggio da leggere
Stenocranus sp. - Delphacidae
26.III.2016 - SPAGNA - EE
Allegato(i)
Stenocranus sp. - Delphacidae

26.III.2016 - SPAGNA - EE
Hemiptera

Isidro

0

1503

04/11/2019, 18:21

Isidro Vedi ultimo messaggio

Nessun messaggio da leggere
Delphax pulchellus (Curtis, 1833) ♂ - Delphacidae
6.VIII.2019 - ITALIA - Piemonte - AT
Allegato(i)
Delphax pulchellus (Curtis, 1833) ♂ - Delphacidae

6.VIII.2019 - ITALIA - Piemonte - AT
Hemiptera

Pandaproject

3

1923

07/08/2019, 18:26

halobates Vedi ultimo messaggio

Nessun messaggio da leggere
Asiraca clavicornis (Fabricius, 1794) - Delphacidae
25.V.2019 - ITALIA - Lombardia - MN
Allegato(i)
Asiraca clavicornis (Fabricius, 1794) - Delphacidae

25.V.2019 - ITALIA - Lombardia - MN
Hemiptera

Magma

2

1929

26/05/2019, 23:05

Magma Vedi ultimo messaggio

Nessun messaggio da leggere
Laodelphax striatella (Fallén, 1826) ♂ - Delphacidae
24.VI.2018 - ITALIA - Piemonte - NO
Allegato(i)
Laodelphax striatella (Fallén, 1826) ♂ - Delphacidae

24.VI.2018 - ITALIA - Piemonte - NO
Hemiptera

Magma

3

2026

26/05/2019, 15:03

halobates Vedi ultimo messaggio

Nessun messaggio da leggere
Delphacidae sp.
4.VIII.2018 - ROMANIA - EE
Allegato(i)
Delphacidae sp.

4.VIII.2018 - ROMANIA - EE
Hemiptera

cosmln

0

1586

09/08/2018, 10:17

cosmln Vedi ultimo messaggio

Nessun messaggio da leggere
Ditropis pteridis (Spinola, 1839) - Delphacidae
4.VI.2017 - ITALIA - Emilia-Romagna - BO
Allegato(i)
Ditropis pteridis (Spinola, 1839) - Delphacidae

4.VI.2017 - ITALIA - Emilia-Romagna - BO
Hemiptera

Loriscola

2

2112

13/01/2018, 14:59

Erythria Vedi ultimo messaggio

Nessun messaggio da leggere
Delphacidae sp.
3.VIII.2016 - ROMANIA - EE
Allegato(i)
Delphacidae sp.

3.VIII.2016 - ROMANIA - EE
Hemiptera

alexaandru

2

2037

03/08/2016, 21:58

alexaandru Vedi ultimo messaggio

Nessun messaggio da leggere
Asiraca clavicornis (Fabricius, 1794) - Delphacidae Asiracinae
14.IV.2014 - ITALIA - Lombardia - CR
Allegato(i)
Asiraca clavicornis (Fabricius, 1794) - Delphacidae Asiracinae

14.IV.2014 - ITALIA - Lombardia - CR
Hemiptera

betelges

2

2339

14/05/2015, 22:47

betelges Vedi ultimo messaggio

Nessun messaggio da leggere
Allegato(i)
Stenocranus major (Kirschbaum, 1868) (cf.) - Delphacidae

20.V.2014 - POLONIA - EE
Hemiptera

GrzegorzG

2

2467

16/11/2014, 19:02

halobates Vedi ultimo messaggio

Nessun messaggio da leggere
Laodelphax striatella (Fallén, 1826) ♂ - Delphacidae
19.VII.2014 - ITALIA - Abruzzo - PE
Allegato(i)
Laodelphax striatella (Fallén, 1826) ♂ - Delphacidae

19.VII.2014 - ITALIA - Abruzzo - PE
Hemiptera

Alessio89

2

2669

15/08/2014, 16:20

Alessio89 Vedi ultimo messaggio

Nessun messaggio da leggere
Delphacidae sp.
25.V.2014 - DANIMARCA - EE
Allegato(i)
Delphacidae sp.

25.V.2014 - DANIMARCA - EE
Hemiptera

Marco Ferrante

2

2231

12/06/2014, 8:46

Marco Ferrante Vedi ultimo messaggio

Nessun messaggio da leggere
Delphacidae sp. (paludi ravennati)
6.I.2014 - ITALIA - Emilia-Romagna - RA
Allegato(i)
Delphacidae sp. (paludi ravennati)

6.I.2014 - ITALIA - Emilia-Romagna - RA
Hemiptera

Loriscola

5

3067

16/02/2014, 20:22

halobates Vedi ultimo messaggio

Nessun messaggio da leggere
Delphacidae sp.
10.X.2012 - ITALIA - Marche - PU
Allegato(i)
Delphacidae sp.

10.X.2012 - ITALIA - Marche - PU
Hemiptera

marco paglialunga

1

2200

02/01/2014, 16:52

halobates Vedi ultimo messaggio

Nessun messaggio da leggere
Ribautodelphax sp. - Delphacidae
22.IV.2010 - SLOVACCHIA - EE
Allegato(i)
Ribautodelphax sp. - Delphacidae

22.IV.2010 - SLOVACCHIA - EE
Hemiptera

Karol Ox

2

2267

30/12/2013, 20:05

Karol Ox Vedi ultimo messaggio

Nessun messaggio da leggere
Allegato(i)
Laodelphax striatella (Fallén, 1826) ♂ forma macrottera - Delphacidae Delphacinae Delphacini

7.IX.2013 - ITALIA - Lombardia - BG
Hemiptera

nicoletta

0

1844

24/09/2013, 18:48

nicoletta Vedi ultimo messaggio

Nessun messaggio da leggere
Delphacidae sp.
2.II.2013 - ITALIA - Emilia-Romagna - RA
Allegato(i)
Delphacidae sp.

2.II.2013 - ITALIA - Emilia-Romagna - RA
Hemiptera

Loriscola

1

1986

08/02/2013, 0:34

halobates Vedi ultimo messaggio

Nessun messaggio da leggere
Delphacidae sp.
8.XI.2012 - ITALIA - Veneto - VE
Allegato(i)
Delphacidae sp.

8.XI.2012 - ITALIA - Veneto - VE
Hemiptera

ghebo

2

2342

14/11/2012, 15:24

ghebo Vedi ultimo messaggio

Nessun messaggio da leggere
Delphacidae sp.
4.IX.2010 - SLOVACCHIA - EE
Allegato(i)
Delphacidae sp.

4.IX.2010 - SLOVACCHIA - EE
Hemiptera

Karol Ox

5

3010

13/11/2012, 23:50

halobates Vedi ultimo messaggio

Nessun messaggio da leggere
Allegato(i)
Laodelphax striatella (Fallén, 1826) ♂ forma macrottera - Delphacidae Delphacinae Delphacini

25.III.2012 - ITALIA - Lazio - RM
Hemiptera

soken

2

2260

19/09/2012, 0:00

soken Vedi ultimo messaggio

Nessun messaggio da leggere
Asiraca clavicornis (Fabricius, 1794) - Delphacidae ninfa
10.VII.2012 - ITALIA - Marche - PU
Allegato(i)
Asiraca clavicornis (Fabricius, 1794) - Delphacidae ninfa

10.VII.2012 - ITALIA - Marche - PU
Altri Ordini di Insetti

marco paglialunga

2

2285

13/07/2012, 22:20

marco paglialunga Vedi ultimo messaggio

Nessun messaggio da leggere
Allegato(i)
Laodelphax striatella (Fallén, 1826) (cf.) - Delphacidae

21.VI.2012 - SPAGNA - EE
Hemiptera

Isidro

2

2321

27/06/2012, 5:51

Isidro Vedi ultimo messaggio

Nessun messaggio da leggere
Hemiptera Delphacidae Delphacinae sp. - Valtellina SO
14.IV.2011 - ITALIA - Lombardia - SO
Allegato(i)
Hemiptera Delphacidae Delphacinae sp. - Valtellina SO

14.IV.2011 - ITALIA - Lombardia - SO
Hemiptera

marsal

7

3638

10/05/2011, 11:40

marsal Vedi ultimo messaggio

Nessun messaggio da leggere
Allegato(i)
Asiraca clavicornis (Fabricius, 1794) - Delphacidae - Cicaline di vigneti valtellinesi

14.IV.2011 - ITALIA - Lombardia - SO
Hemiptera

marsal

3

2646

16/04/2011, 1:08

marsal Vedi ultimo messaggio

Nessun messaggio da leggere
Allegato(i)
Asiraca clavicornis (Fabricius, 1794) - Delphacidae Asiracinae

5.IV.2011 - ITALIA - Marche - AN
Hemiptera

StagBeetle

3

2797

07/04/2011, 20:46

FrS Vedi ultimo messaggio

Nessun messaggio da leggere
Allegato(i)
Asiraca clavicornis (Fabricius, 1794) - Delphacidae Asiracinae

12.VI.2010 - ITALIA - Lazio - RM
Hemiptera

soken

2

2371

08/02/2011, 13:52

soken Vedi ultimo messaggio

Nessun messaggio da leggere
Delphacidae, Delphacinae - Toscana, Isola d'Elba
22.X.2010 - ITALIA - Toscana - LI
Allegato(i)
Delphacidae, Delphacinae - Toscana, Isola d'Elba

22.X.2010 - ITALIA - Toscana - LI
Hemiptera

FORBIX

8

3675

15/11/2010, 23:23

halobates Vedi ultimo messaggio

Nessun messaggio da leggere
Allegato(i)
Delphax sp. - Delphacidae Delphacinae Delphacini - Toscana, Isola d'Elba

6.XI.2010 - ITALIA - Toscana - LI
Hemiptera

FORBIX

4

2641

13/11/2010, 0:05

FORBIX Vedi ultimo messaggio

Nessun messaggio da leggere
Allegato(i)
Asiraca clavicornis (Fabricius, 1794) - Delphacidae Asiracinae Asiracini - Toscana, Isola d'Elba

6.XI.2010 - ITALIA - Toscana - LI
Hemiptera

FORBIX

2

2265

09/11/2010, 22:00

halobates Vedi ultimo messaggio

Nessun messaggio da leggere
Allegato(i)
Delphacidae (Delphacinae) spp. - Homoptera - Toscana, Isola d'Elba

7.IX.2010 - ITALIA - Toscana - LI
Hemiptera

FORBIX

2

2251

11/09/2010, 7:49

FORBIX Vedi ultimo messaggio

Nessun messaggio da leggere
Delphacidae sp. - Friuli Venezia Giulia, Monfalcone (GO)
29.VIII.2010 - ITALIA - Friuli-Venezia Giulia - GO
Allegato(i)
Delphacidae sp. - Friuli Venezia Giulia, Monfalcone (GO)

29.VIII.2010 - ITALIA - Friuli-Venezia Giulia - GO
Hemiptera

Agdistis

3

2540

06/09/2010, 22:56

halobates Vedi ultimo messaggio

Nessun messaggio da leggere
Allegato(i)
Asiraca clavicornis (Fabricius, 1794) - Hemiptera Fulgoromorpha Delphacidae. Puglia

2.IV.2010 - ITALIA - Puglia - FG
Hemiptera

Eopteryx

7

2994

16/04/2010, 0:14

Eopteryx Vedi ultimo messaggio

Visualizza ultimi argomenti:  Ordina per  Ordine:  
nuovo argomento
Pagina 1 di 1 [ 37 argomenti ]

Tutti gli orari sono UTC + 1 ora [ ora legale ]


Chi c’è in linea

Visitano il forum: Nessuno e 1 ospite


Legenda
Messaggi da leggere Messaggi da leggere Nessun messaggio da leggere Nessun messaggio da leggere Annuncio Annuncio
 
Specie indeterminata / discussione generica
Messaggi non letti [ Popolari ] Messaggi non letti [ Popolari ] Nessun messaggio da leggere [ Popolare ] Nessun messaggio da leggere [ Popolare ] Importante Importante
 
Specie determinata fino al genere o cf.
Messaggi non letti [ Bloccati ] Messaggi non letti [ Bloccati ] No messaggi non letti [ Bloccati ] No messaggi non letti [ Bloccati ] Argomento spostato Argomento spostato
 
Specie correttamente determinata
Permessi
Non puoi aprire nuovi argomenti
Non puoi rispondere negli argomenti
Non puoi modificare i tuoi messaggi
Non puoi cancellare i tuoi messaggi
Non puoi inviare allegati

Cerca per:
Vai a: