Benvenuto Ospite

Forum Entomologi Italiani

www.entomologiitaliani.net/forum
 
Oggi è 23/01/2026, 16:35

Tutti gli orari sono UTC + 1 ora [ ora legale ]

Raphidioptera


[ AFROTROPICALE ] [ ANTARTICO ] [ AUSTRALASIANO ] [ NEARTICO ] [ NEOTROPICALE ] [ ORIENTALE ] [ PALEARTICO ]


nuovo argomento
Vai alla pagina 1, 2  Prossimo
Pagina 1 di 2 [ 86 argomenti ]
 Argomenti   Ordine   Autore   Risposte   Visite    Ultimo messaggio 
Annunci
Nessun messaggio da leggere
Allegato(i)
Incontri entomologici della Società Entomologica Italiana 2025-2026
 

Velvet Ant

0

19341

17/11/2025, 19:41

Velvet Ant Vedi ultimo messaggio

Nessun messaggio da leggere
Allegato(i)
Incontri entomologici telematici organizzati dalla Società Entomologica Italiana nel 2022 e nel 2023

[ Vai alla paginaVai alla pagina: 1, 2, 3 ]

 

Velvet Ant

44

1748646

03/03/2023, 15:55

Velvet Ant Vedi ultimo messaggio

Nessun messaggio da leggere  
Allegato(i)
Sondaggio sul declino dell'entomofauna in Italia

[ Vai alla paginaVai alla pagina: 1, 2, 3, 4 ]

 

Velvet Ant

52

2380495

22/10/2022, 19:18

Acquarius Vedi ultimo messaggio

Nessun messaggio da leggere  
Allegato(i)
Progetto: Bibliografia ragionata dei lavori entomologici nei quali sono citati reperti apparsi su FEI

[ Vai alla paginaVai alla pagina: 1, 2, 3 ]

 

Velvet Ant

33

1404892

06/07/2023, 18:31

Orotrechus Vedi ultimo messaggio

Nessun messaggio da leggere
Allegato(i)
Mimesi, il primo documentario cinematografico sull’entomologia in Italia: casting
 

mazzeip

1

1096329

28/02/2019, 20:26

mazzeip Vedi ultimo messaggio

Questo argomento è bloccato, non puoi modificare o inviare ulteriori messaggi.
Allegato(i)
ISTRUZIONI PUBBLICAZIONE NUOVI ARGOMENTI E FOTO

 
Altri Ordini di Insetti

Julodis

4

2897621

13/05/2015, 19:37

Julodis Vedi ultimo messaggio

Nessun messaggio da leggere
Allegato(i)
Limitatore giornaliero di messaggi, uno strumento utile e ormai indispensabile

[ Vai alla paginaVai alla pagina: 1 ... 14, 15, 16 ]

 

Velvet Ant

233

12651054

25/09/2014, 14:31

Inachis Vedi ultimo messaggio

Nessun messaggio da leggere  
NORME PER I COLLABORATORI DEL FORUM

 
 

Velvet Ant

0

639080

02/06/2011, 12:05

Velvet Ant Vedi ultimo messaggio

Nessun messaggio da leggere
Allegato(i)
NORME PER GLI UTENTI DEL FORUM

[ Vai alla paginaVai alla pagina: 1, 2, 3 ]



 
 

Velvet Ant

30

3519897

23/09/2014, 23:54

Maurizio Bollino Vedi ultimo messaggio

Nessun messaggio da leggere  
Lista degli utenti del "Forum entomologi italiani" per campi di interesse e specializzazione

 
Altri Ordini di Insetti

Velvet Ant

13

1028441

07/09/2023, 17:14

Roberto-07 Vedi ultimo messaggio

Argomenti
Nessun messaggio da leggere
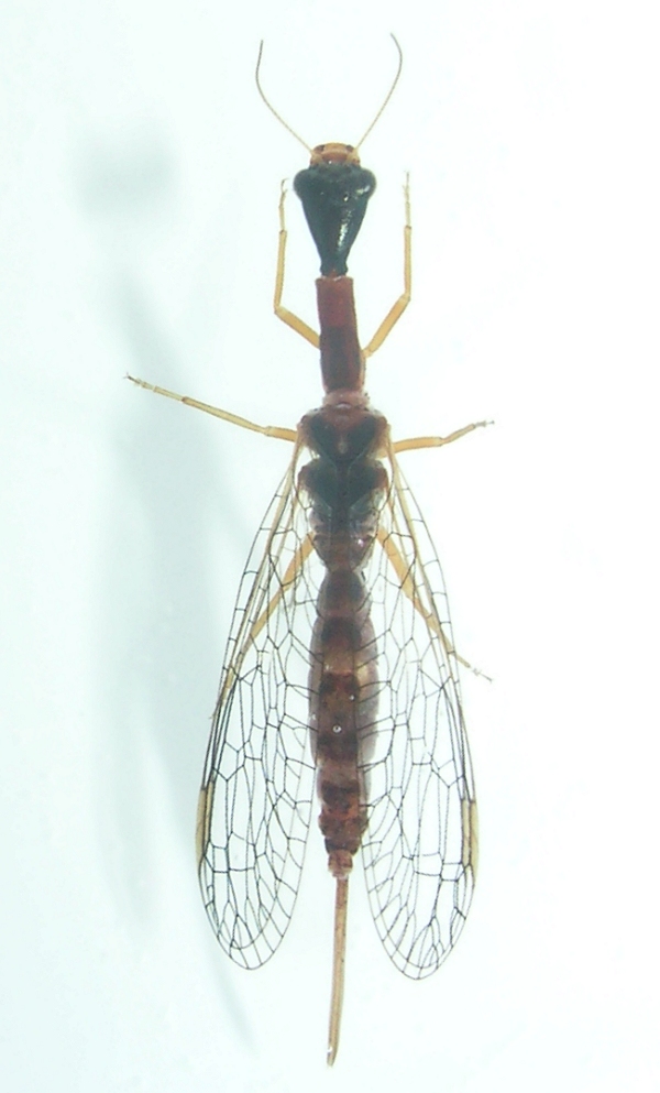
Dichrostigma flavipes (Stein, 1863) - Raphidiidae
19.VI.2024 - ITALIA - Trentino-Alto Adige - TN
Allegato(i)
Dichrostigma flavipes (Stein, 1863) - Raphidiidae

19.VI.2024 - ITALIA - Trentino-Alto Adige - TN
Altri Ordini di Insetti

Chalybion

2

11240

05/08/2025, 20:56

Hemerobius Vedi ultimo messaggio

Nessun messaggio da leggere
Allegato(i)
Parainocellia bicolor (Costa, 1855) - Raphidioptera Inocelliidae

2.VII.2023 - ITALIA - Marche - PU
Altri Ordini di Insetti

plumipes

2

3032

04/07/2023, 12:06

plumipes Vedi ultimo messaggio

Nessun messaggio da leggere
Raphidiidae sp.
14.V.2022 - TURCHIA - EE
Allegato(i)
Raphidiidae sp.

14.V.2022 - TURCHIA - EE
Neuroptera

Tekilay

2

1862

27/05/2022, 16:56

Tekilay Vedi ultimo messaggio

Nessun messaggio da leggere
Raphidioptera
30.V.2021 - ITALIA - Sardegna - OT
Allegato(i)
Raphidioptera

30.V.2021 - ITALIA - Sardegna - OT
Altri Ordini di Insetti

Mauro

2

1561

23/07/2021, 12:13

Mauro Vedi ultimo messaggio

Nessun messaggio da leggere
Allegato(i)
Larva di Parainocellia (Parainocellia) bicolor (Costa, 1855) - Inocellidae

2.II.2021 - ITALIA - Lazio - RM
Altri Ordini di Insetti

soken

6

1969

22/07/2021, 11:47

soken Vedi ultimo messaggio

Nessun messaggio da leggere
Raphidiidae sp.
12.VI.2021 - ITALIA - Trentino-Alto Adige - TN
Allegato(i)
Raphidiidae sp.

12.VI.2021 - ITALIA - Trentino-Alto Adige - TN
Altri Ordini di Insetti

Syrio

3

1375

14/06/2021, 19:53

Chalybion Vedi ultimo messaggio

Nessun messaggio da leggere
Dichrostigma flavipes (Stein, 1863) - Raphidiidae
22.V.2021 - ITALIA - Toscana - AR
Allegato(i)
Dichrostigma flavipes (Stein, 1863) - Raphidiidae

22.V.2021 - ITALIA - Toscana - AR
Altri Ordini di Insetti

stefano3

4

1459

23/05/2021, 7:37

stefano3 Vedi ultimo messaggio

Nessun messaggio da leggere
Raphidioptera sp.
2.V.2019 - ITALIA - Trentino-Alto Adige - TN
Allegato(i)
Raphidioptera sp.

2.V.2019 - ITALIA - Trentino-Alto Adige - TN
Neuroptera

Syrio

4

7306

10/07/2019, 11:51

neurottero Vedi ultimo messaggio

Nessun messaggio da leggere
Raphidioptera sp.
28.III.2009 - GRECIA - EE
Allegato(i)
Raphidioptera sp.

28.III.2009 - GRECIA - EE
Altri Ordini di Insetti

entzi

0

1957

29/08/2018, 15:18

entzi Vedi ultimo messaggio

Nessun messaggio da leggere
Allegato(i)
Parainocellia (Parainocellia) bicolor (Costa, 1855) (cf.) larva - Inocelliidae

27.V.2018 - ITALIA - Emilia-Romagna - BO
Coleoptera

emmebix

1

1984

28/05/2018, 21:08

TheWings Vedi ultimo messaggio

Nessun messaggio da leggere
Xanthostigma corsicum (Hagen, 1867) - Raphidiidae
28.IV.2017 - ITALIA - Toscana - GR
Allegato(i)
Xanthostigma corsicum (Hagen, 1867) - Raphidiidae

28.IV.2017 - ITALIA - Toscana - GR
Altri Ordini di Insetti

Chalybion

3

2632

22/09/2017, 19:18

Chalybion Vedi ultimo messaggio

Nessun messaggio da leggere
Allegato(i)
Parainocellia (Parainocellia) bicolor (Costa, 1855) (cf.) larva - Inocelliidae

31.I.2017 - ITALIA - Calabria - CS
Altri Ordini di Insetti

aiello antonio

2

2383

01/07/2017, 17:16

neurottero Vedi ultimo messaggio

Nessun messaggio da leggere
Raphidiidae sp.
19.V.2017 - ITALIA - Veneto - VE
Allegato(i)
Raphidiidae sp.

19.V.2017 - ITALIA - Veneto - VE
Altri Ordini di Insetti

ghebo

2

2112

19/05/2017, 20:39

ghebo Vedi ultimo messaggio

Nessun messaggio da leggere
Phaeostigma sp. - Rhaphidiidae
17.V.2017 - ITALIA - Molise - IS
Allegato(i)
Phaeostigma sp. - Rhaphidiidae

17.V.2017 - ITALIA - Molise - IS
Neuroptera

Franco ROSSI

3

2328

18/05/2017, 22:18

Franco ROSSI Vedi ultimo messaggio

Nessun messaggio da leggere
Xanthostigma corsicum (Hagen, 1867) - Raphidiidae
3.VI.2014 - ITALIA - Sardegna - OT
Allegato(i)
Xanthostigma corsicum (Hagen, 1867) - Raphidiidae

3.VI.2014 - ITALIA - Sardegna - OT
Altri Ordini di Insetti

Mauro

4

4418

30/06/2016, 14:07

gomphus Vedi ultimo messaggio

Nessun messaggio da leggere
Fibla (Fibla) maclachlani (Albarda, 1891) - Inocelliidae
7.V.2016 - ITALIA - Sardegna - OT
Allegato(i)
Fibla (Fibla) maclachlani (Albarda, 1891) - Inocelliidae

7.V.2016 - ITALIA - Sardegna - OT
Altri Ordini di Insetti

Mauro

2

2322

29/06/2016, 9:13

Mauro Vedi ultimo messaggio

Nessun messaggio da leggere
Allegato(i)
Phaeostigma (Phaeostigma) notatum (Fabricius, 1781) (cf.) - Raphidiidae

10.V.2016 - ITALIA - Emilia-Romagna - RE
Altri Ordini di Insetti

Sabrinabellelli

5

3849

15/05/2016, 23:08

Sabrinabellelli Vedi ultimo messaggio

Nessun messaggio da leggere
Raphidioptera sp.
7.V.2016 - ITALIA - Lombardia - BS
Allegato(i)
Raphidioptera sp.

7.V.2016 - ITALIA - Lombardia - BS
Altri Ordini di Insetti

Livio

8

3218

15/05/2016, 15:54

Hemerobius Vedi ultimo messaggio

Nessun messaggio da leggere
Fibla (Fibla) maclachlani (Albarda, 1891) - Inocelliidae
5.VI.2015 - ITALIA - Sicilia - PA
Allegato(i)
Fibla (Fibla) maclachlani (Albarda, 1891) - Inocelliidae

5.VI.2015 - ITALIA - Sicilia - PA
Altri Ordini di Insetti

carabus

1

2689

11/06/2015, 14:54

neurottero Vedi ultimo messaggio

Nessun messaggio da leggere
Parainocellia bicolor (A. Costa, 1855) - Inocelliidae
2.VI.2015 - ITALIA - Lombardia - PV
Allegato(i)
Parainocellia bicolor (A. Costa, 1855) - Inocelliidae

2.VI.2015 - ITALIA - Lombardia - PV
Altri Ordini di Insetti

Magma

2

2141

06/06/2015, 16:17

Magma Vedi ultimo messaggio

Nessun messaggio da leggere
Xanthostigma corsica (Hagen, 1867) (cf.) - Raphidiidae
24.V.2015 - ITALIA - Sicilia - PA
Allegato(i)
Xanthostigma corsica (Hagen, 1867) (cf.) - Raphidiidae

24.V.2015 - ITALIA - Sicilia - PA
Altri Ordini di Insetti

carabus

1

1976

25/05/2015, 23:55

Velvet Ant Vedi ultimo messaggio

Nessun messaggio da leggere
Raphidioptera sp.
17.V.2015 - ITALIA - Emilia-Romagna - PR
Allegato(i)
Raphidioptera sp.

17.V.2015 - ITALIA - Emilia-Romagna - PR
Altri Ordini di Insetti

fornaeffe

6

3299

20/05/2015, 15:58

Hemerobius Vedi ultimo messaggio

Nessun messaggio da leggere
Allegato(i)
Raphidia mediterranea Aspöck H., Aspöck U. & Raush, 1977 - Raphidiidae

15.V.2015 - ITALIA - Lazio - RM
Neuroptera

andreah

13

7590

19/05/2015, 9:32

Monarca Vedi ultimo messaggio

Nessun messaggio da leggere
Parainocellia (Parainocellia) bicolor (Costa, 1855) - Inocelliidae
30.XII.2014 - ITALIA - Emilia-Romagna - BO
Allegato(i)
Parainocellia (Parainocellia) bicolor (Costa, 1855) - Inocelliidae

30.XII.2014 - ITALIA - Emilia-Romagna - BO
Altri Ordini di Insetti

marco villa

5

3371

07/01/2015, 22:10

Chalybion Vedi ultimo messaggio

Nessun messaggio da leggere
Allegato(i)
Raphidia (Raphidia) ophiopsis Linnaeus, 1758 - Raphididae

V.2013 - ITALIA - Lazio - RM
Altri Ordini di Insetti

aesalus37

7

3877

12/07/2014, 6:49

aesalus37 Vedi ultimo messaggio

Nessun messaggio da leggere
Venustoraphidia nigricollis (Albarda, 1891) - Raphidiidae
5.VI.2014 - ITALIA - Veneto - VE
Allegato(i)
Venustoraphidia nigricollis (Albarda, 1891) - Raphidiidae

5.VI.2014 - ITALIA - Veneto - VE
Altri Ordini di Insetti

ghebo

2

2951

26/06/2014, 14:16

ghebo Vedi ultimo messaggio

Nessun messaggio da leggere
Xanthostigma corsicum (Hagen, 1867) (cf.) - Rhaphidiidae
31.V.2014 - ITALIA - Sicilia - SR
Allegato(i)
Xanthostigma corsicum (Hagen, 1867) (cf.) - Rhaphidiidae

31.V.2014 - ITALIA - Sicilia - SR
Altri Ordini di Insetti

Velvet Ant

1

2115

02/06/2014, 19:26

Hemerobius Vedi ultimo messaggio

Nessun messaggio da leggere
Xanthostigma corsica (Hagen, 1867) - Raphidiidae
17.V.2014 - ITALIA - Sardegna - SS
Allegato(i)
Xanthostigma corsica (Hagen, 1867) - Raphidiidae

17.V.2014 - ITALIA - Sardegna - SS
Altri Ordini di Insetti

Palaemonetes

6

3258

25/05/2014, 8:26

Palaemonetes Vedi ultimo messaggio

Nessun messaggio da leggere
Allegato(i)
Parainocellia (Parainocellia) bicolor (Costa, 1855) - Inocelliidae

27.IV.2014 - ITALIA - Campania - NA
Altri Ordini di Insetti

clido

1

2542

28/04/2014, 15:19

Hemerobius Vedi ultimo messaggio

Nessun messaggio da leggere
Xanthostigma corsica (Hagen, 1867) larva - Raphidiidae
3.XI.2013 - ITALIA - Toscana - LI
Allegato(i)
Xanthostigma corsica (Hagen, 1867) larva - Raphidiidae

3.XI.2013 - ITALIA - Toscana - LI
Neuroptera

FORBIX

9

5617

22/11/2013, 20:57

gigi58 Vedi ultimo messaggio

Nessun messaggio da leggere
Dichrostigma flavipes (Stein 1863) - Raphidiidae
13.VI.2013 - ITALIA - Friuli-Venezia Giulia - TS
Allegato(i)
Dichrostigma flavipes (Stein 1863) - Raphidiidae

13.VI.2013 - ITALIA - Friuli-Venezia Giulia - TS
Altri Ordini di Insetti

Bemisia

4

2764

17/06/2013, 19:15

Bemisia Vedi ultimo messaggio

Nessun messaggio da leggere
Ornatoraphidia flavilabris (A. Costa, 1855) - Raphidiidae
1.VI.2013 - ITALIA - Liguria - GE
Allegato(i)
Ornatoraphidia flavilabris (A. Costa, 1855) - Raphidiidae

1.VI.2013 - ITALIA - Liguria - GE
Altri Ordini di Insetti

Francesco Cassulo

8

4972

01/06/2013, 21:21

neurottero Vedi ultimo messaggio

Nessun messaggio da leggere
Parainocellia bicolor (Costa, 1855) - Inocelliidae
30.III.2013 - ITALIA - Marche - PU
Allegato(i)
Parainocellia bicolor (Costa, 1855) - Inocelliidae

30.III.2013 - ITALIA - Marche - PU
Neuroptera

marco paglialunga

13

6483

01/06/2013, 14:09

Daniele Maccapani Vedi ultimo messaggio

Nessun messaggio da leggere
Fibla (Fibla) maclachlani (Albarda, 1891) - Inocelliidae
28.IV.2013 - ITALIA - Sardegna - CA
Allegato(i)
Fibla (Fibla) maclachlani (Albarda, 1891) - Inocelliidae

28.IV.2013 - ITALIA - Sardegna - CA
Altri Ordini di Insetti

Palaemonetes

4

3245

30/04/2013, 11:15

Palaemonetes Vedi ultimo messaggio

Nessun messaggio da leggere
Parainocellia bicolor (Costa, 1855) - Inocellidae
24.IV.2013 - ITALIA - Lazio - RM
Allegato(i)
Parainocellia bicolor (Costa, 1855) - Inocellidae

[ Vai alla paginaVai alla pagina: 1, 2 ]



24.IV.2013 - ITALIA - Lazio - RM
Neuroptera

Fabio Turchetti

15

6551

27/04/2013, 10:47

Fabio Turchetti Vedi ultimo messaggio

Nessun messaggio da leggere
Phaeostigma sp. - Raphidiidae
21.V.2006 - FRANCIA - EE
Allegato(i)
Phaeostigma sp. - Raphidiidae

21.V.2006 - FRANCIA - EE
Altri Ordini di Insetti

D & JP Balmer

6

3247

07/02/2013, 21:29

Hemerobius Vedi ultimo messaggio

Nessun messaggio da leggere
Dichrostigma flavipes (Stein 1863) - Raphidiidae
VII.2010 - ITALIA - Toscana - FI
Allegato(i)
Dichrostigma flavipes (Stein 1863) - Raphidiidae

VII.2010 - ITALIA - Toscana - FI
Neuroptera

Bracco

1

2815

09/01/2013, 18:57

neurottero Vedi ultimo messaggio

Nessun messaggio da leggere
Raphidiidae sp.
19.VI.2012 - ITALIA - Basilicata - PZ
Allegato(i)
Raphidiidae sp.

19.VI.2012 - ITALIA - Basilicata - PZ
Altri Ordini di Insetti

Mimmo011

9

4413

01/11/2012, 17:46

Mimmo011 Vedi ultimo messaggio

Nessun messaggio da leggere
Xanthostigma aloysianum (A. Costa, 1855) - Raphidiidae
27.VII.2012 - ITALIA - Umbria - PG
Allegato(i)
Xanthostigma aloysianum (A. Costa, 1855) - Raphidiidae

27.VII.2012 - ITALIA - Umbria - PG
Altri Ordini di Insetti

Maura

5

4154

08/08/2012, 8:30

Maura Vedi ultimo messaggio

Nessun messaggio da leggere
Xanthostigma corsica (Hagen, 1867) - Rhaphidiidae
1.V.2012 - ITALIA - Toscana - LI
Allegato(i)
Xanthostigma corsica (Hagen, 1867) - Rhaphidiidae

1.V.2012 - ITALIA - Toscana - LI
Altri Ordini di Insetti

FORBIX

5

3814

19/05/2012, 7:30

neurottero Vedi ultimo messaggio

Nessun messaggio da leggere
Parainocellia bicolor (A. Costa, 1855) - Inocelliidae
11.V.2012 - ITALIA - Lazio - RM
Allegato(i)
Parainocellia bicolor (A. Costa, 1855) - Inocelliidae

11.V.2012 - ITALIA - Lazio - RM
Altri Ordini di Insetti

Julodis

1

2568

12/05/2012, 8:08

Dilar Vedi ultimo messaggio

Nessun messaggio da leggere
Phaeostigma sp. (cf.) larva - Raphidiidae
21.II.2012 - SLOVACCHIA - EE
Allegato(i)
Phaeostigma sp. (cf.) larva - Raphidiidae

21.II.2012 - SLOVACCHIA - EE
Coleoptera

Karol Ox

4

2841

22/02/2012, 11:12

Karol Ox Vedi ultimo messaggio

Nessun messaggio da leggere
Allegato(i)
Parainocellia bicolor (A. Costa, 1855) larva - Inocelliidae

15.I.2012 - ITALIA - Lazio - RM
Altri Ordini di Insetti

andreah

2

3058

16/01/2012, 12:38

andreah Vedi ultimo messaggio

Nessun messaggio da leggere
Parainocellia bicolor (A. Costa, 1855) larva - Inocelliidae
26.XII.2011 - ITALIA - Veneto - RO
Allegato(i)
Parainocellia bicolor (A. Costa, 1855) larva - Inocelliidae

26.XII.2011 - ITALIA - Veneto - RO
Coleoptera

Umbro

7

4064

29/12/2011, 17:48

Hemerobius Vedi ultimo messaggio

Nessun messaggio da leggere
Fibla maclachlani (Albarda, 1891) larva - Inocelliidae
19.XII.2011 - ITALIA - Sardegna - CA
Allegato(i)
Fibla maclachlani (Albarda, 1891) larva - Inocelliidae

19.XII.2011 - ITALIA - Sardegna - CA
Altri Ordini di Insetti

PierFrancescoMurgia

5

3463

19/12/2011, 20:45

Mikiphasmide Vedi ultimo messaggio

Nessun messaggio da leggere
Puncha ratzeburgi (Brauer, 1876) - Raphidiidae
14.VII.2011 - ITALIA - Lombardia - SO
Allegato(i)
Puncha ratzeburgi (Brauer, 1876) - Raphidiidae

14.VII.2011 - ITALIA - Lombardia - SO
Altri Ordini di Insetti

abraxas

7

4139

19/12/2011, 10:39

Dilar Vedi ultimo messaggio

Nessun messaggio da leggere
Allegato(i)
Raphidia mediterranea Aspöck H., Aspöck U. & Raush, 1977 - Raphidiidae

V.2011 - ITALIA - Lazio - VT
Altri Ordini di Insetti

Andricus

7

4092

18/12/2011, 18:53

Andricus Vedi ultimo messaggio

Nessun messaggio da leggere
Fibla maclachlani (Albarda, 1891) - Inocelliidae
2011 - ITALIA - Sicilia - ME
Allegato(i)
Fibla maclachlani (Albarda, 1891) - Inocelliidae

2011 - ITALIA - Sicilia - ME
Altri Ordini di Insetti

Lucanus tetraodon

1

2776

18/12/2011, 0:32

Dilar Vedi ultimo messaggio

Nessun messaggio da leggere
Parainocellia bicolor (A. Costa, 1855) larva - Inocelliidae
2.XII.2011 - ITALIA - Veneto - VE
Allegato(i)
Parainocellia bicolor (A. Costa, 1855) larva - Inocelliidae

2.XII.2011 - ITALIA - Veneto - VE
Coleoptera

ghebo

3

3103

03/12/2011, 16:06

ghebo Vedi ultimo messaggio

Nessun messaggio da leggere
Puncha ratzeburgi (Brauer, 1876) - Raphidiidae
7.VI.2011 - ROMANIA - EE
Allegato(i)
Puncha ratzeburgi (Brauer, 1876) - Raphidiidae

[ Vai alla paginaVai alla pagina: 1, 2 ]



7.VI.2011 - ROMANIA - EE
Altri Ordini di Insetti

alexaandru

20

7408

06/07/2011, 9:48

alexaandru Vedi ultimo messaggio

Visualizza ultimi argomenti:  Ordina per  Ordine:  
nuovo argomento
Vai alla pagina 1, 2  Prossimo
Pagina 1 di 2 [ 86 argomenti ]

Tutti gli orari sono UTC + 1 ora [ ora legale ]


Chi c’è in linea

Visitano il forum: Nessuno e 1 ospite


Legenda
Messaggi da leggere Messaggi da leggere Nessun messaggio da leggere Nessun messaggio da leggere Annuncio Annuncio
 
Specie indeterminata / discussione generica
Messaggi non letti [ Popolari ] Messaggi non letti [ Popolari ] Nessun messaggio da leggere [ Popolare ] Nessun messaggio da leggere [ Popolare ] Importante Importante
 
Specie determinata fino al genere o cf.
Messaggi non letti [ Bloccati ] Messaggi non letti [ Bloccati ] No messaggi non letti [ Bloccati ] No messaggi non letti [ Bloccati ] Argomento spostato Argomento spostato
 
Specie correttamente determinata
Permessi
Non puoi aprire nuovi argomenti
Non puoi rispondere negli argomenti
Non puoi modificare i tuoi messaggi
Non puoi cancellare i tuoi messaggi
Non puoi inviare allegati

Cerca per:
Vai a: