Benvenuto Ospite

Forum Entomologi Italiani

www.entomologiitaliani.net/forum
 
Oggi è 27/05/2026, 11:38

Tutti gli orari sono UTC + 1 ora [ ora legale ]

Hippoboscidae


[ AFROTROPICALE ] [ ANTARTICO ] [ AUSTRALASIANO ] [ NEARTICO ] [ NEOTROPICALE ] [ ORIENTALE ] [ PALEARTICO ]


nuovo argomento
Pagina 1 di 1 [ 31 argomenti ]
 Argomenti   Ordine   Autore   Risposte   Visite    Ultimo messaggio 
Annunci
Nessun messaggio da leggere
Allegato(i)
Incontri entomologici della Società Entomologica Italiana 2025-2026
 

Velvet Ant

0

66888

17/11/2025, 19:41

Velvet Ant Vedi ultimo messaggio

Nessun messaggio da leggere
Allegato(i)
Incontri entomologici telematici organizzati dalla Società Entomologica Italiana nel 2022 e nel 2023

[ Vai alla paginaVai alla pagina: 1, 2, 3 ]

 

Velvet Ant

44

2168117

03/03/2023, 15:55

Velvet Ant Vedi ultimo messaggio

Nessun messaggio da leggere  
Allegato(i)
Sondaggio sul declino dell'entomofauna in Italia

[ Vai alla paginaVai alla pagina: 1, 2, 3, 4 ]

 

Velvet Ant

52

2856697

22/10/2022, 19:18

Acquarius Vedi ultimo messaggio

Nessun messaggio da leggere  
Allegato(i)
Progetto: Bibliografia ragionata dei lavori entomologici nei quali sono citati reperti apparsi su FEI

[ Vai alla paginaVai alla pagina: 1, 2, 3 ]

 

Velvet Ant

33

1738686

06/07/2023, 18:31

Orotrechus Vedi ultimo messaggio

Nessun messaggio da leggere
Allegato(i)
Mimesi, il primo documentario cinematografico sull’entomologia in Italia: casting
 

mazzeip

1

1162322

28/02/2019, 20:26

mazzeip Vedi ultimo messaggio

Questo argomento è bloccato, non puoi modificare o inviare ulteriori messaggi.
Allegato(i)
ISTRUZIONI PUBBLICAZIONE NUOVI ARGOMENTI E FOTO

 
Altri Ordini di Insetti

Julodis

4

2989400

13/05/2015, 19:37

Julodis Vedi ultimo messaggio

Nessun messaggio da leggere
Allegato(i)
Limitatore giornaliero di messaggi, uno strumento utile e ormai indispensabile

[ Vai alla paginaVai alla pagina: 1 ... 14, 15, 16 ]

 

Velvet Ant

233

14473148

25/09/2014, 14:31

Inachis Vedi ultimo messaggio

Nessun messaggio da leggere  
NORME PER I COLLABORATORI DEL FORUM

 
 

Velvet Ant

0

690647

02/06/2011, 12:05

Velvet Ant Vedi ultimo messaggio

Nessun messaggio da leggere
Allegato(i)
NORME PER GLI UTENTI DEL FORUM

[ Vai alla paginaVai alla pagina: 1, 2, 3 ]



 
 

Velvet Ant

30

3853776

23/09/2014, 23:54

Maurizio Bollino Vedi ultimo messaggio

Nessun messaggio da leggere  
Lista degli utenti del "Forum entomologi italiani" per campi di interesse e specializzazione

 
Altri Ordini di Insetti

Velvet Ant

13

1182431

07/09/2023, 17:14

Roberto-07 Vedi ultimo messaggio

Argomenti
Nessun messaggio da leggere
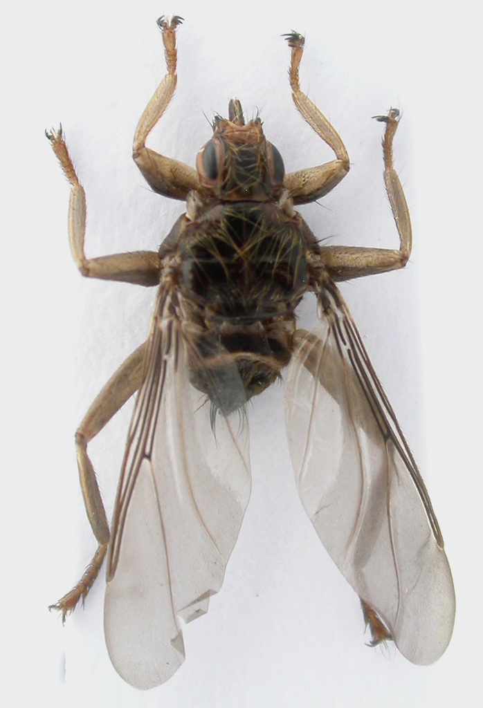
Melophagus rupicaprinus Rondani, 1879 (cf.) - Hippoboscidae
20.III.2025 - ITALIA - Friuli-Venezia Giulia - PN
Allegato(i)
Melophagus rupicaprinus Rondani, 1879 (cf.) - Hippoboscidae

20.III.2025 - ITALIA - Friuli-Venezia Giulia - PN
Diptera

Gabriele

4

1292

22/03/2025, 15:55

Gabriele Vedi ultimo messaggio

Nessun messaggio da leggere
Allegato(i)
Pseudolynchia canariensis (Macquart, 1839) (cf.) - Hippoboscidae

10.X.2023 - ITALIA - Toscana - LU
Diptera

Max10

2

870

15/03/2024, 11:12

Max10 Vedi ultimo messaggio

Nessun messaggio da leggere
Lipoptena cervi (Linnaeus, 1758) (cf.) - Hippoboscidae
19.II.2022 - ITALIA - Lombardia - LC
Allegato(i)
Lipoptena cervi (Linnaeus, 1758) (cf.) - Hippoboscidae

19.II.2022 - ITALIA - Lombardia - LC
Diptera

Davide Ambrosioni

5

1617

26/02/2022, 13:09

Davide Ambrosioni Vedi ultimo messaggio

Nessun messaggio da leggere
Hippobosca equina Linnaeus, 1758 - Hippoboscidae
11.VI.2005 - ITALIA - Toscana - FI
Allegato(i)
Hippobosca equina Linnaeus, 1758 - Hippoboscidae

11.VI.2005 - ITALIA - Toscana - FI
Diptera

Chalybion

8

3132

04/07/2020, 18:58

Chalybion Vedi ultimo messaggio

Nessun messaggio da leggere
Hippobosca equina Linnaeus, 1758 (cf.) - Hippoboscidae
18.V.2015 - ITALIA - Friuli-Venezia Giulia - GO
Allegato(i)
Hippobosca equina Linnaeus, 1758 (cf.) - Hippoboscidae

18.V.2015 - ITALIA - Friuli-Venezia Giulia - GO
Diptera

Chalybion

4

1933

02/07/2020, 20:30

Chalybion Vedi ultimo messaggio

Nessun messaggio da leggere
Hippoboscidae sp.
21.XI.2018 - ITALIA - Emilia-Romagna - FC
Allegato(i)
Hippoboscidae sp.

21.XI.2018 - ITALIA - Emilia-Romagna - FC
Diptera

Babbogigi

2

1855

03/12/2018, 9:08

Babbogigi Vedi ultimo messaggio

Nessun messaggio da leggere
Lipoptena cervi (Linnaeus, 1758) - Hippoboscidae
19.X.2018 - ITALIA - Liguria - GE
Allegato(i)
Lipoptena cervi (Linnaeus, 1758) - Hippoboscidae

19.X.2018 - ITALIA - Liguria - GE
Diptera

Antonio Pareto

2

1839

19/10/2018, 23:55

TheWings Vedi ultimo messaggio

Nessun messaggio da leggere
Hippoboscidae sp.
21.VII.2018 - ITALIA - Liguria - GE
Allegato(i)
Hippoboscidae sp.

21.VII.2018 - ITALIA - Liguria - GE
Diptera

fiocchino

1

1562

21/07/2018, 19:15

ruzzpa Vedi ultimo messaggio

Nessun messaggio da leggere
Lipoptena cervi (Linnaeus, 1758) (cf.) - Hippoboscidae
8.VIII.2017 - ITALIA - Piemonte - VB
Allegato(i)
Lipoptena cervi (Linnaeus, 1758) (cf.) - Hippoboscidae

8.VIII.2017 - ITALIA - Piemonte - VB
Diptera

Bantorp

5

2795

09/09/2017, 21:26

Bantorp Vedi ultimo messaggio

Nessun messaggio da leggere
Lipoptena cervi (Linnaeus, 1758) - Hippoboscidae
1.X.2016 - ITALIA - Marche - PU
Allegato(i)
Lipoptena cervi (Linnaeus, 1758) - Hippoboscidae

1.X.2016 - ITALIA - Marche - PU
Diptera

StagBeetle

1

1500

26/08/2017, 23:55

TheWings Vedi ultimo messaggio

Nessun messaggio da leggere
Pseudolynchia sp. - Hippoboscidae Ornithomyinae
2.VIII.2016 - SPAGNA - EE
Allegato(i)
Pseudolynchia sp. - Hippoboscidae Ornithomyinae

2.VIII.2016 - SPAGNA - EE
Diptera

Fumea crassiorella

0

1332

15/08/2016, 12:53

Fumea crassiorella Vedi ultimo messaggio

Nessun messaggio da leggere
Allegato(i)
Pseudolynchia canariensis (Macquaet in Webb & Berthelot, 1839 - Hippoboscidae

16.XII.2015 - ITALIA - Veneto - VE
Diptera

ghebo

4

1961

03/01/2016, 17:00

ghebo Vedi ultimo messaggio

Nessun messaggio da leggere
Lipoptena sp. - Hippoboscidae
13.XI.2015 - SVIZZERA - EE
Allegato(i)
Lipoptena sp. - Hippoboscidae

13.XI.2015 - SVIZZERA - EE
Diptera

luca.f

6

3592

16/11/2015, 22:20

Carlo Monari Vedi ultimo messaggio

Nessun messaggio da leggere
Allegato(i)
Crataerina pallida (Olivier in Latreille 1811) - Hippoboscidae

16.V.2014 - SPAGNA - EE
Diptera

Olaffio

2

1615

07/07/2015, 23:04

Olaffio Vedi ultimo messaggio

Nessun messaggio da leggere
Hippobosca equina Linnaeus 1758 - Hippoboscidae
11.VI.2005 - ITALIA - Toscana - FI
Allegato(i)
Hippobosca equina Linnaeus 1758 - Hippoboscidae

11.VI.2005 - ITALIA - Toscana - FI
Diptera

Chalybion

4

2119

02/05/2015, 21:28

Chalybion Vedi ultimo messaggio

Nessun messaggio da leggere
Hippoboscidae
10.X.2013 - ITALIA - Sicilia - SR
Allegato(i)
Hippoboscidae

10.X.2013 - ITALIA - Sicilia - SR
Diptera

corradocancemi

4

2212

03/05/2014, 11:57

corradocancemi Vedi ultimo messaggio

Nessun messaggio da leggere
Hippoboscidae
4.VIII.2013 - ITALIA - Sardegna - OT
Allegato(i)
Hippoboscidae

4.VIII.2013 - ITALIA - Sardegna - OT
Diptera

Mauro

2

1607

04/08/2013, 16:59

Mauro Vedi ultimo messaggio

Nessun messaggio da leggere
Crataerina sp. - Diptera Brachycera Hippoboscidae
9.V.2011 - ITALIA - Campania - SA
Allegato(i)
Crataerina sp. - Diptera Brachycera Hippoboscidae

9.V.2011 - ITALIA - Campania - SA
Diptera

FrancescoJr

8

3389

24/06/2013, 1:38

Giovanni82 Vedi ultimo messaggio

Nessun messaggio da leggere
Allegato(i)
Pseudolynchia canariensis (Macquart in Webb & Berthelot, 1839) - Hippoboscidae Ornithomyinae (da confermare)

22.X.2012 - ITALIA - Sardegna - CA
Diptera

Tenebrio

3

1883

23/10/2012, 8:41

Carlo Monari Vedi ultimo messaggio

Nessun messaggio da leggere
Hippoboscidae sp.
20.IX.2011 - ITALIA - Emilia-Romagna - BO
Allegato(i)
Hippoboscidae sp.

20.IX.2011 - ITALIA - Emilia-Romagna - BO
Diptera

Scutigera

3

2113

03/08/2012, 10:15

Scutigera Vedi ultimo messaggio

Nessun messaggio da leggere
Pseudolynchia ??
15.IV.2012 - ITALIA - Sicilia - PA
Allegato(i)
Pseudolynchia ??

15.IV.2012 - ITALIA - Sicilia - PA
Diptera

Marco Ferrante

2

1631

08/05/2012, 19:16

Marco Ferrante Vedi ultimo messaggio

Nessun messaggio da leggere
Crataerina melbae (Rondani, 1879) (cf.) - Hippoboscidae
19.IV.2012 - ITALIA - Sicilia - TP
Allegato(i)
Crataerina melbae (Rondani, 1879) (cf.) - Hippoboscidae

19.IV.2012 - ITALIA - Sicilia - TP
Diptera

gigi58

14

4991

24/04/2012, 0:12

Enrico Ruzzier Vedi ultimo messaggio

Nessun messaggio da leggere
Hippobosca equina Linnaeus, 1758 - Hippoboscidae
23.VIII.2011 - ITALIA - Lazio - RI
Allegato(i)
Hippobosca equina Linnaeus, 1758 - Hippoboscidae

23.VIII.2011 - ITALIA - Lazio - RI
Diptera

StagBeetle

6

3121

22/02/2012, 14:44

cosmln Vedi ultimo messaggio

Nessun messaggio da leggere
Lipoptena cervi (Linnaeus, 1758) (cf.) - Hippoboscidae
8.X.2011 - ITALIA - Sardegna - CA
Allegato(i)
Lipoptena cervi (Linnaeus, 1758) (cf.) - Hippoboscidae

8.X.2011 - ITALIA - Sardegna - CA
Diptera

Fumea crassiorella

1

1518

25/11/2011, 21:04

Andricus Vedi ultimo messaggio

Nessun messaggio da leggere
Lipoptena cervi (Linnaeus, 1758) - Hippoboscidae
VIII.2011 - ITALIA - Lombardia - LC
Allegato(i)
Lipoptena cervi (Linnaeus, 1758) - Hippoboscidae

VIII.2011 - ITALIA - Lombardia - LC
Diptera

aug

7

3697

05/09/2011, 12:35

Dilar Vedi ultimo messaggio

Nessun messaggio da leggere
Lipoptena cervi (Linnaeus 1758)- Hippoboscidae - Appennino Romagnolo
1.VII.2011 - ITALIA - Emilia-Romagna - FC
Allegato(i)
Lipoptena cervi (Linnaeus 1758)- Hippoboscidae - Appennino Romagnolo

1.VII.2011 - ITALIA - Emilia-Romagna - FC
Diptera

Isotomus

7

3150

07/07/2011, 9:07

Isotomus Vedi ultimo messaggio

Nessun messaggio da leggere
Allegato(i)
Lipoptena cervi (Linnaeus, 1758) - Hippoboscidae - Emilia Romagna, Sasso Marconi (BO)

27.VIII.2010 - ITALIA - Emilia-Romagna - BO
Diptera

Loriscola

7

3320

12/02/2011, 18:16

Loriscola Vedi ultimo messaggio

Nessun messaggio da leggere
Ornithomya avicularia (Linnaeus, 1758) cf. - Hippoboscidae
VIII.2009 - ITALIA - Sardegna - CA
Allegato(i)
Ornithomya avicularia (Linnaeus, 1758) cf. - Hippoboscidae

VIII.2009 - ITALIA - Sardegna - CA
Diptera

Daniele Sechi

5

1437

11/02/2011, 20:27

Enrico Ruzzier Vedi ultimo messaggio

Nessun messaggio da leggere
Allegato(i)
Pseudolynchia canariensis (Macquart in Webb & Berthelot 1839) - Hippoboscidae (da confermare)

8.X.2009 - ITALIA - Campania - NA
Diptera

clido

7

5417

26/02/2010, 14:47

Pietro Niolu Vedi ultimo messaggio

Nessun messaggio da leggere
Allegato(i)
Hippobosca cf. equina Linnaeus 1758 e Pseudolynchia sp. - Hippoboscidae

ITALIA - Marche - PU
Diptera

marco paglialunga

5

2943

12/12/2009, 22:47

Pietro Niolu Vedi ultimo messaggio

Nessun messaggio da leggere
Hippobosca equina Linnaeus, 1758 Hippoboscidae
25.VI.2007 - ITALIA - Sardegna - CA
Allegato(i)
Hippobosca equina Linnaeus, 1758 Hippoboscidae

25.VI.2007 - ITALIA - Sardegna - CA
Diptera

Daniele Sechi

0

1271

07/03/2009, 15:59

Daniele Sechi Vedi ultimo messaggio

Visualizza ultimi argomenti:  Ordina per  Ordine:  
nuovo argomento
Pagina 1 di 1 [ 31 argomenti ]

Tutti gli orari sono UTC + 1 ora [ ora legale ]


Chi c’è in linea

Visitano il forum: Nessuno e 1 ospite


Legenda
Messaggi da leggere Messaggi da leggere Nessun messaggio da leggere Nessun messaggio da leggere Annuncio Annuncio
 
Specie indeterminata / discussione generica
Messaggi non letti [ Popolari ] Messaggi non letti [ Popolari ] Nessun messaggio da leggere [ Popolare ] Nessun messaggio da leggere [ Popolare ] Importante Importante
 
Specie determinata fino al genere o cf.
Messaggi non letti [ Bloccati ] Messaggi non letti [ Bloccati ] No messaggi non letti [ Bloccati ] No messaggi non letti [ Bloccati ] Argomento spostato Argomento spostato
 
Specie correttamente determinata
Permessi
Non puoi aprire nuovi argomenti
Non puoi rispondere negli argomenti
Non puoi modificare i tuoi messaggi
Non puoi cancellare i tuoi messaggi
Non puoi inviare allegati

Cerca per:
Vai a: