Benvenuto Ospite

Forum Entomologi Italiani

www.entomologiitaliani.net/forum
 
Oggi è 25/04/2026, 17:03

Tutti gli orari sono UTC + 1 ora [ ora legale ]

Coreidae


[ AFROTROPICALE ] [ ANTARTICO ] [ AUSTRALASIANO ] [ NEARTICO ] [ NEOTROPICALE ] [ ORIENTALE ] [ PALEARTICO ]


nuovo argomento
Vai alla pagina 1, 2, 3, 4, 5  Prossimo
Pagina 1 di 5 [ 241 argomenti ]
 Argomenti   Ordine   Autore   Risposte   Visite    Ultimo messaggio 
Annunci
Nessun messaggio da leggere
Allegato(i)
Incontri entomologici della Società Entomologica Italiana 2025-2026
 

Velvet Ant

0

51901

17/11/2025, 19:41

Velvet Ant Vedi ultimo messaggio

Nessun messaggio da leggere
Allegato(i)
Incontri entomologici telematici organizzati dalla Società Entomologica Italiana nel 2022 e nel 2023

[ Vai alla paginaVai alla pagina: 1, 2, 3 ]

 

Velvet Ant

44

2027084

03/03/2023, 15:55

Velvet Ant Vedi ultimo messaggio

Nessun messaggio da leggere  
Allegato(i)
Sondaggio sul declino dell'entomofauna in Italia

[ Vai alla paginaVai alla pagina: 1, 2, 3, 4 ]

 

Velvet Ant

52

2701176

22/10/2022, 19:18

Acquarius Vedi ultimo messaggio

Nessun messaggio da leggere  
Allegato(i)
Progetto: Bibliografia ragionata dei lavori entomologici nei quali sono citati reperti apparsi su FEI

[ Vai alla paginaVai alla pagina: 1, 2, 3 ]

 

Velvet Ant

33

1626664

06/07/2023, 18:31

Orotrechus Vedi ultimo messaggio

Nessun messaggio da leggere
Allegato(i)
Mimesi, il primo documentario cinematografico sull’entomologia in Italia: casting
 

mazzeip

1

1141395

28/02/2019, 20:26

mazzeip Vedi ultimo messaggio

Questo argomento è bloccato, non puoi modificare o inviare ulteriori messaggi.
Allegato(i)
ISTRUZIONI PUBBLICAZIONE NUOVI ARGOMENTI E FOTO

 
Altri Ordini di Insetti

Julodis

4

2959876

13/05/2015, 19:37

Julodis Vedi ultimo messaggio

Nessun messaggio da leggere
Allegato(i)
Limitatore giornaliero di messaggi, uno strumento utile e ormai indispensabile

[ Vai alla paginaVai alla pagina: 1 ... 14, 15, 16 ]

 

Velvet Ant

233

13865385

25/09/2014, 14:31

Inachis Vedi ultimo messaggio

Nessun messaggio da leggere  
NORME PER I COLLABORATORI DEL FORUM

 
 

Velvet Ant

0

673590

02/06/2011, 12:05

Velvet Ant Vedi ultimo messaggio

Nessun messaggio da leggere
Allegato(i)
NORME PER GLI UTENTI DEL FORUM

[ Vai alla paginaVai alla pagina: 1, 2, 3 ]



 
 

Velvet Ant

30

3741482

23/09/2014, 23:54

Maurizio Bollino Vedi ultimo messaggio

Nessun messaggio da leggere  
Lista degli utenti del "Forum entomologi italiani" per campi di interesse e specializzazione

 
Altri Ordini di Insetti

Velvet Ant

13

1134078

07/09/2023, 17:14

Roberto-07 Vedi ultimo messaggio

Argomenti
Nessun messaggio da leggere
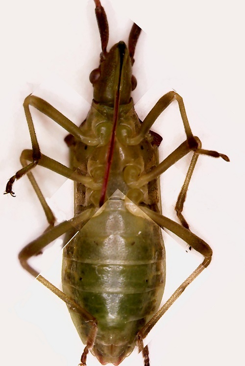
Coreus marginatus (Linnaeus, 1758) - Coreidae
25.VIII.2024 - ITALIA - Friuli-Venezia Giulia - UD
Allegato(i)
Coreus marginatus (Linnaeus, 1758) - Coreidae

25.VIII.2024 - ITALIA - Friuli-Venezia Giulia - UD
Hemiptera

Michele A

6

1524

16/12/2024, 16:15

Michele A Vedi ultimo messaggio

Nessun messaggio da leggere
Coreus marginatus (Linnaeus, 1758) - Coreidae
7.VII.2013 - ITALIA - Sicilia - TP
Allegato(i)
Coreus marginatus (Linnaeus, 1758) - Coreidae

7.VII.2013 - ITALIA - Sicilia - TP
Hemiptera

angelo.ditta

2

949

04/11/2023, 10:32

angelo.ditta Vedi ultimo messaggio

Nessun messaggio da leggere
Coreus marginatus (Linnaeus, 1758) - Coreidae
7.IX.2023 - ITALIA - Marche - PU
Allegato(i)
Coreus marginatus (Linnaeus, 1758) - Coreidae

7.IX.2023 - ITALIA - Marche - PU
Hemiptera

plumipes

3

829

08/09/2023, 13:39

plumipes Vedi ultimo messaggio

Nessun messaggio da leggere
Spathocera lobata (Herrich-Schäffer 1840) - Coreidae
22.V.2023 - ITALIA - Lazio - RM
Allegato(i)
Spathocera lobata (Herrich-Schäffer 1840) - Coreidae

22.V.2023 - ITALIA - Lazio - RM
Hemiptera

soken

1

732

01/09/2023, 9:44

soken Vedi ultimo messaggio

Nessun messaggio da leggere
Allegato(i)
Coreus marginatus (Linnaeus, 1758) (cf.) - Coreidae

7.VIII.2023 - FRANCIA - EE
Hemiptera

plumipes

1

761

13/08/2023, 12:21

Mauro Vedi ultimo messaggio

Nessun messaggio da leggere
Coriomeris alpinus (Horváth, 1895) (cf.) - Coreidae
25.VI.2023 - ITALIA - Lombardia - SO
Allegato(i)
Coriomeris alpinus (Horváth, 1895) (cf.) - Coreidae

25.VI.2023 - ITALIA - Lombardia - SO
Hemiptera

Davide Ambrosioni

0

1037

12/08/2023, 10:47

Davide Ambrosioni Vedi ultimo messaggio

Nessun messaggio da leggere
Allegato(i)
Gonocerus juniperi Herrich-Schaeffer, 1839 (cf.) - Coreidae

13.V.2023 - ITALIA - Molise - IS
Hemiptera

Franco ROSSI

1

1002

14/05/2023, 20:18

Mauro Vedi ultimo messaggio

Nessun messaggio da leggere
Leptoglossus occidentalis Heidemann, 1910 - Coreidae
26.XII.2022 - ITALIA - Friuli-Venezia Giulia - UD
Allegato(i)
Leptoglossus occidentalis Heidemann, 1910 - Coreidae

26.XII.2022 - ITALIA - Friuli-Venezia Giulia - UD
Hemiptera

Michele A

2

1059

10/03/2023, 10:10

Michele A Vedi ultimo messaggio

Nessun messaggio da leggere
Centrocoris variegatus Kolenati, 1845 - Coreidae
30.VIII.2022 - ITALIA - Molise - CB
Allegato(i)
Centrocoris variegatus Kolenati, 1845 - Coreidae

30.VIII.2022 - ITALIA - Molise - CB
Hemiptera

Franco ROSSI

4

1304

08/09/2022, 13:52

Franco ROSSI Vedi ultimo messaggio

Nessun messaggio da leggere
Coriomeris sp. - Coreidae
21.V.2022 - ITALIA - Friuli-Venezia Giulia - UD
Allegato(i)
Coriomeris sp. - Coreidae

21.V.2022 - ITALIA - Friuli-Venezia Giulia - UD
Hemiptera

Michele A

4

1236

13/06/2022, 11:45

Michele A Vedi ultimo messaggio

Nessun messaggio da leggere
Centrocoris variegatus (Kolenati, 1845) - Coreidae
26.V.2022 - ITALIA - Friuli-Venezia Giulia - GO
Allegato(i)
Centrocoris variegatus (Kolenati, 1845) - Coreidae

26.V.2022 - ITALIA - Friuli-Venezia Giulia - GO
Hemiptera

Agdistis

1

923

29/05/2022, 0:59

marsal Vedi ultimo messaggio

Nessun messaggio da leggere
Allegato(i)
Leptoglossus occidentalis Heidemann, 1910 - Coreidae

25.IV.2022 - AUSTRIA - EE
Hemiptera

Michele A

2

998

02/05/2022, 15:06

Michele A Vedi ultimo messaggio

Nessun messaggio da leggere
Spathocera sp. - Coreidae
22.II.2022 - ITALIA - Lombardia - MI
Allegato(i)
Spathocera sp. - Coreidae

22.II.2022 - ITALIA - Lombardia - MI
Altri Artropodi

fasmidi

2

1070

01/03/2022, 9:04

fasmidi Vedi ultimo messaggio

Nessun messaggio da leggere
Coreus sp. - Coreidae
12.VIII.2021 - ITALIA - Lombardia - BG
Allegato(i)
Coreus sp. - Coreidae

12.VIII.2021 - ITALIA - Lombardia - BG
Hemiptera

Giuseppe Zanetti

1

1003

03/02/2022, 0:03

gomphus Vedi ultimo messaggio

Nessun messaggio da leggere
Allegato(i)
Coriomeris denticulatus (Scopoli, 1763) - Coreidae

10.VII.2021 - ROMANIA - EE
Hemiptera

cosmln

1

951

14/11/2021, 11:23

marsal Vedi ultimo messaggio

Nessun messaggio da leggere
Gonocerus acuteangulatus (Goeze, 1778) - Coreidae
28.VII.2021 - ITALIA - Friuli-Venezia Giulia - UD
Allegato(i)
Gonocerus acuteangulatus (Goeze, 1778) - Coreidae

28.VII.2021 - ITALIA - Friuli-Venezia Giulia - UD
Hemiptera

Michele A

3

1170

26/10/2021, 9:25

Michele A Vedi ultimo messaggio

Nessun messaggio da leggere
Coriomeris hirticornis (Fabricius, 1794) - Coreidae
30.V.2021 - ITALIA - Friuli-Venezia Giulia - UD
Allegato(i)
Coriomeris hirticornis (Fabricius, 1794) - Coreidae

30.V.2021 - ITALIA - Friuli-Venezia Giulia - UD
Hemiptera

Chalybion

2

1123

27/06/2021, 19:10

Chalybion Vedi ultimo messaggio

Nessun messaggio da leggere
Coriomeris sp. - Coreidae
17.V.2021 - ITALIA - Friuli-Venezia Giulia - UD
Allegato(i)
Coriomeris sp. - Coreidae

17.V.2021 - ITALIA - Friuli-Venezia Giulia - UD
Hemiptera

Michele A

2

1060

16/06/2021, 18:30

Michele A Vedi ultimo messaggio

Nessun messaggio da leggere
Allegato(i)
Derepteryx lunata (Distant,1900) (cf.) - Coreidae

IV.2020 - VIETNAM - EE
Hemiptera

Apoderus

4

1668

07/12/2020, 12:55

gabrif Vedi ultimo messaggio

Nessun messaggio da leggere
Leptoglossus occidentalis Heidemann, 1910 - Coreidae
14.X.2020 - ITALIA - Basilicata - PZ
Allegato(i)
Leptoglossus occidentalis Heidemann, 1910 - Coreidae

14.X.2020 - ITALIA - Basilicata - PZ
Hemiptera

golfopolikayak

1

1248

28/10/2020, 0:39

Nicarinus Vedi ultimo messaggio

Nessun messaggio da leggere
Syromastus rhombeus Linnaeus, 1767 - Coreidae
8.IX.2020 - ITALIA - Friuli-Venezia Giulia - UD
Allegato(i)
Syromastus rhombeus Linnaeus, 1767 - Coreidae

8.IX.2020 - ITALIA - Friuli-Venezia Giulia - UD
Hemiptera

Michele A

2

1310

14/10/2020, 15:24

Michele A Vedi ultimo messaggio

Nessun messaggio da leggere
Leptoglossus occidentalis Heidemann, 1910 - Coreidae
13.XI.2018 - ITALIA - Marche - PU
Allegato(i)
Leptoglossus occidentalis Heidemann, 1910 - Coreidae

13.XI.2018 - ITALIA - Marche - PU
Hemiptera

coneshell

2

1844

18/04/2020, 21:53

coneshell Vedi ultimo messaggio

Nessun messaggio da leggere
Coriomeris denticulatus (Scopoli, 1763) - Coreidae
15.VII.2018 - ITALIA - Sardegna - NU
Allegato(i)
Coriomeris denticulatus (Scopoli, 1763) - Coreidae

15.VII.2018 - ITALIA - Sardegna - NU
Hemiptera

Adriana49

2

1831

28/03/2020, 9:39

Adriana49 Vedi ultimo messaggio

Nessun messaggio da leggere
Coreus marginatus (Linnaeus, 1758) - Coreidae
29.IX.2020 - ITALIA - Trentino-Alto Adige - TN
Allegato(i)
Coreus marginatus (Linnaeus, 1758) - Coreidae

29.IX.2020 - ITALIA - Trentino-Alto Adige - TN
Hemiptera

Syrio

2

1968

22/02/2020, 15:19

Syrio Vedi ultimo messaggio

Nessun messaggio da leggere
Coriomeris hirticornis (Fabricius, 1794) - Coreidae
4.I.2020 - ITALIA - Lazio - RM
Allegato(i)
Coriomeris hirticornis (Fabricius, 1794) - Coreidae

4.I.2020 - ITALIA - Lazio - RM
Hemiptera

elleelle

5

2506

14/01/2020, 19:22

giuseppe55 Vedi ultimo messaggio

Nessun messaggio da leggere
Homoeocerus sp. - Coreidae
6.XI.2006 - CINA - EE
Allegato(i)
Homoeocerus sp. - Coreidae

6.XI.2006 - CINA - EE
Hemiptera

Isidro

0

1603

22/10/2019, 21:31

Isidro Vedi ultimo messaggio

Nessun messaggio da leggere
Coriomeris sp. - Coreidae
6.X.2019 - ITALIA - Toscana - SI
Allegato(i)
Coriomeris sp. - Coreidae

6.X.2019 - ITALIA - Toscana - SI
Hemiptera

angelo.ditta

2

1724

20/10/2019, 10:02

angelo.ditta Vedi ultimo messaggio

Nessun messaggio da leggere
Ninfa di Coreus marginatus (Linnaeus, 1758) - Coreidae
13.X.2019 - ITALIA - Trentino-Alto Adige - TN
Allegato(i)
Ninfa di Coreus marginatus (Linnaeus, 1758) - Coreidae

13.X.2019 - ITALIA - Trentino-Alto Adige - TN
Hemiptera

Syrio

2

1604

13/10/2019, 19:01

Syrio Vedi ultimo messaggio

Nessun messaggio da leggere
Leptoglossus occidentalis Heidemann, 1910 - Coreidae
2.XII.2018 - ITALIA - Calabria - CS
Allegato(i)
Leptoglossus occidentalis Heidemann, 1910 - Coreidae

2.XII.2018 - ITALIA - Calabria - CS
Hemiptera

aiello antonio

5

2297

17/08/2019, 13:46

aiello antonio Vedi ultimo messaggio

Nessun messaggio da leggere
Gonocerus juniperi Herrich-Schäffer, 1839 - Coreidae
22.VII.2019 - ITALIA - Molise - IS
Allegato(i)
Gonocerus juniperi Herrich-Schäffer, 1839 - Coreidae

22.VII.2019 - ITALIA - Molise - IS
Hemiptera

Franco ROSSI

2

1736

02/08/2019, 8:26

Franco ROSSI Vedi ultimo messaggio

Nessun messaggio da leggere
Allegato(i)
Ninfa di Gonocerus juniperi Herrich-Schäffer, 1839 - Coreidae

29.VII.2019 - ITALIA - Molise - IS
Hemiptera

Franco ROSSI

2

1803

31/07/2019, 10:36

Franco ROSSI Vedi ultimo messaggio

Nessun messaggio da leggere
Gonocerus insidiator (Fabricius, 1787) - Coreidae
13.VII.2019 - ITALIA - Puglia - LE
Allegato(i)
Gonocerus insidiator (Fabricius, 1787) - Coreidae

13.VII.2019 - ITALIA - Puglia - LE
Hemiptera

martino

2

1678

21/07/2019, 12:39

martino Vedi ultimo messaggio

Nessun messaggio da leggere
Gonocerus juniperi Herrich-Schäffer, 1839 - Coreidae
4.V.2019 - ITALIA - Sardegna - OT
Allegato(i)
Gonocerus juniperi Herrich-Schäffer, 1839 - Coreidae

4.V.2019 - ITALIA - Sardegna - OT
Hemiptera

Mauro

2

1821

06/05/2019, 16:54

Mauro Vedi ultimo messaggio

Nessun messaggio da leggere
Allegato(i)
Phyllomorpha laciniata (Villers, 1789) - Coreidae

23.IV.2019 - TURCHIA - EE
Hemiptera

Tekilay

4

2137

28/04/2019, 0:00

Tekilay Vedi ultimo messaggio

Nessun messaggio da leggere
Leptoglossus occidentalis Heidemann, 1910 - Coreidae
16.III.2019 - ITALIA - Trentino-Alto Adige - TN
Allegato(i)
Leptoglossus occidentalis Heidemann, 1910 - Coreidae

16.III.2019 - ITALIA - Trentino-Alto Adige - TN
Hemiptera

Syrio

3

2092

17/03/2019, 18:22

Syrio Vedi ultimo messaggio

Nessun messaggio da leggere
Allegato(i)
Centrocoris variegatus Kolenati, 1845 (cf.) - Coreidae

 
Coleoptera

walter

3

1954

07/03/2019, 20:01

Baris99 Vedi ultimo messaggio

Nessun messaggio da leggere
Allegato(i)
Ninfa di Coreus marginatus marginatus (Linnaeus, 1758) - Coreidae

ITALIA - Liguria - GE
Hemiptera

Antonio Pareto

1

1587

11/02/2019, 10:51

Giuseppe Vedi ultimo messaggio

Nessun messaggio da leggere
Ninfa di Coreus marginatus (Linnaeus, 1758) (cf.) - Coreidae
13.X.2018 - ITALIA - Liguria - GE
Allegato(i)
Ninfa di Coreus marginatus (Linnaeus, 1758) (cf.) - Coreidae

13.X.2018 - ITALIA - Liguria - GE
Hemiptera

fiocchino

1

1783

15/10/2018, 5:43

Palaemonetes Vedi ultimo messaggio

Nessun messaggio da leggere
Gonocerus acuteangulatus (Goeze, 1778) - Coreidae
30.IX.2018 - ITALIA - Emilia-Romagna - PC
Allegato(i)
Gonocerus acuteangulatus (Goeze, 1778) - Coreidae

30.IX.2018 - ITALIA - Emilia-Romagna - PC
Hemiptera

Christianceruti

4

2345

01/10/2018, 18:40

Christianceruti Vedi ultimo messaggio

Nessun messaggio da leggere
Ninfa di Coreidae sp.
7.IX.2018 - ITALIA - Piemonte - NO
Allegato(i)
Ninfa di Coreidae sp.

7.IX.2018 - ITALIA - Piemonte - NO
Hemiptera

esakki

3

2080

08/09/2018, 11:32

esakki Vedi ultimo messaggio

Nessun messaggio da leggere
Ninfa di Gonocerus sp. (cf.) - Coreidae
9.VI.2018 - ITALIA - Veneto - VE
Allegato(i)
Ninfa di Gonocerus sp. (cf.) - Coreidae

9.VI.2018 - ITALIA - Veneto - VE
Hemiptera

ghebo

2

1863

17/08/2018, 13:51

ghebo Vedi ultimo messaggio

Nessun messaggio da leggere
Ceraleptus sp. (cf.) - Coreidae
17.V.2018 - ITALIA - Piemonte - AL
Allegato(i)
Ceraleptus sp. (cf.) - Coreidae

17.V.2018 - ITALIA - Piemonte - AL
Hemiptera

hectorinus

1

1745

03/06/2018, 17:47

Mauro Vedi ultimo messaggio

Nessun messaggio da leggere
Gonocerus insidiator (Fabricius, 1787) - Coreidae
27.IV.2018 - ITALIA - Sardegna - VS
Allegato(i)
Gonocerus insidiator (Fabricius, 1787) - Coreidae

27.IV.2018 - ITALIA - Sardegna - VS
Hemiptera

Berto

4

2430

29/04/2018, 22:10

Berto Vedi ultimo messaggio

Nessun messaggio da leggere
ninfa di Coreidae sp.
23.VI.2016 - ITALIA - Lazio - RM
Allegato(i)
ninfa di Coreidae sp.

23.VI.2016 - ITALIA - Lazio - RM
Altri Ordini di Insetti

Marco73

4

2506

16/02/2018, 19:19

Dioli Vedi ultimo messaggio

Nessun messaggio da leggere
Ninfa di Coreus marginatus (Linnaeus, 1758) (cf.) - Coreidae
6.VIII.2016 - ITALIA - Lazio - RI
Allegato(i)
Ninfa di Coreus marginatus (Linnaeus, 1758) (cf.) - Coreidae

6.VIII.2016 - ITALIA - Lazio - RI
Hemiptera

wgliinsetti

2

1949

22/12/2017, 11:47

wgliinsetti Vedi ultimo messaggio

Nessun messaggio da leggere
Ovatura e ninfa di Coreidae sp.
8.VIII.2015 - ITALIA - Veneto - PD
Allegato(i)
Ovatura e ninfa di Coreidae sp.

8.VIII.2015 - ITALIA - Veneto - PD
Hemiptera

Altair

2

2052

16/12/2017, 12:44

ff57 Vedi ultimo messaggio

Nessun messaggio da leggere
Gonocerus juniperi Herrich-Schäffer, 1839 - Coreidae
14.X.2017 - ITALIA - Toscana - MS
Allegato(i)
Gonocerus juniperi Herrich-Schäffer, 1839 - Coreidae

14.X.2017 - ITALIA - Toscana - MS
Hemiptera

ALEXBRAMO

2

1986

21/11/2017, 16:31

ALEXBRAMO Vedi ultimo messaggio

Nessun messaggio da leggere
Leptoglossus occidentalis Heidemann, 1910 - Coreidae
16.XI.2017 - ITALIA - Toscana - FI
Allegato(i)
Leptoglossus occidentalis Heidemann, 1910 - Coreidae

16.XI.2017 - ITALIA - Toscana - FI
Hemiptera

Dicomed

3

2238

17/11/2017, 20:25

Nicarinus Vedi ultimo messaggio

Nessun messaggio da leggere
Leptoglossus occidentalis Heidemann, 1910 - Coreidae
24.X.2017 - ITALIA - Trentino-Alto Adige - TN
Allegato(i)
Leptoglossus occidentalis Heidemann, 1910 - Coreidae

24.X.2017 - ITALIA - Trentino-Alto Adige - TN
Hemiptera

Syrio

5

2910

27/10/2017, 10:59

Gianfranco Vedi ultimo messaggio

Nessun messaggio da leggere
Allegato(i)
Ninfa di Leptoglossus occidentalis Heidemann, 1910 - Coreidae

25.IX.2016 - SLOVACCHIA - EE
Hemiptera

Karol Ox

2

2186

22/09/2017, 17:02

Karol Ox Vedi ultimo messaggio

Visualizza ultimi argomenti:  Ordina per  Ordine:  
nuovo argomento
Vai alla pagina 1, 2, 3, 4, 5  Prossimo
Pagina 1 di 5 [ 241 argomenti ]

Tutti gli orari sono UTC + 1 ora [ ora legale ]


Chi c’è in linea

Visitano il forum: Nessuno e 2 ospiti


Legenda
Messaggi da leggere Messaggi da leggere Nessun messaggio da leggere Nessun messaggio da leggere Annuncio Annuncio
 
Specie indeterminata / discussione generica
Messaggi non letti [ Popolari ] Messaggi non letti [ Popolari ] Nessun messaggio da leggere [ Popolare ] Nessun messaggio da leggere [ Popolare ] Importante Importante
 
Specie determinata fino al genere o cf.
Messaggi non letti [ Bloccati ] Messaggi non letti [ Bloccati ] No messaggi non letti [ Bloccati ] No messaggi non letti [ Bloccati ] Argomento spostato Argomento spostato
 
Specie correttamente determinata
Permessi
Non puoi aprire nuovi argomenti
Non puoi rispondere negli argomenti
Non puoi modificare i tuoi messaggi
Non puoi cancellare i tuoi messaggi
Non puoi inviare allegati

Cerca per:
Vai a: