Benvenuto Ospite

Forum Entomologi Italiani

www.entomologiitaliani.net/forum
 
Oggi è 23/01/2026, 13:42

Tutti gli orari sono UTC + 1 ora [ ora legale ]

Coreidae


[ AFROTROPICALE ] [ ANTARTICO ] [ AUSTRALASIANO ] [ NEARTICO ] [ NEOTROPICALE ] [ ORIENTALE ] [ PALEARTICO ]


nuovo argomento
Vai alla pagina Precedente  1, 2, 3, 4, 5  Prossimo
Pagina 3 di 5 [ 241 argomenti ]
 Argomenti   Ordine   Autore   Risposte   Visite    Ultimo messaggio 
Annunci
Nessun messaggio da leggere
Allegato(i)
Incontri entomologici della Società Entomologica Italiana 2025-2026
 

Velvet Ant

0

19315

17/11/2025, 19:41

Velvet Ant Vedi ultimo messaggio

Nessun messaggio da leggere
Allegato(i)
Incontri entomologici telematici organizzati dalla Società Entomologica Italiana nel 2022 e nel 2023

[ Vai alla paginaVai alla pagina: 1, 2, 3 ]

 

Velvet Ant

44

1748465

03/03/2023, 15:55

Velvet Ant Vedi ultimo messaggio

Nessun messaggio da leggere  
Allegato(i)
Sondaggio sul declino dell'entomofauna in Italia

[ Vai alla paginaVai alla pagina: 1, 2, 3, 4 ]

 

Velvet Ant

52

2380293

22/10/2022, 19:18

Acquarius Vedi ultimo messaggio

Nessun messaggio da leggere  
Allegato(i)
Progetto: Bibliografia ragionata dei lavori entomologici nei quali sono citati reperti apparsi su FEI

[ Vai alla paginaVai alla pagina: 1, 2, 3 ]

 

Velvet Ant

33

1404740

06/07/2023, 18:31

Orotrechus Vedi ultimo messaggio

Nessun messaggio da leggere
Allegato(i)
Mimesi, il primo documentario cinematografico sull’entomologia in Italia: casting
 

mazzeip

1

1096297

28/02/2019, 20:26

mazzeip Vedi ultimo messaggio

Questo argomento è bloccato, non puoi modificare o inviare ulteriori messaggi.
Allegato(i)
ISTRUZIONI PUBBLICAZIONE NUOVI ARGOMENTI E FOTO

 
Altri Ordini di Insetti

Julodis

4

2897592

13/05/2015, 19:37

Julodis Vedi ultimo messaggio

Nessun messaggio da leggere
Allegato(i)
Limitatore giornaliero di messaggi, uno strumento utile e ormai indispensabile

[ Vai alla paginaVai alla pagina: 1 ... 14, 15, 16 ]

 

Velvet Ant

233

12650741

25/09/2014, 14:31

Inachis Vedi ultimo messaggio

Nessun messaggio da leggere  
NORME PER I COLLABORATORI DEL FORUM

 
 

Velvet Ant

0

639066

02/06/2011, 12:05

Velvet Ant Vedi ultimo messaggio

Nessun messaggio da leggere
Allegato(i)
NORME PER GLI UTENTI DEL FORUM

[ Vai alla paginaVai alla pagina: 1, 2, 3 ]



 
 

Velvet Ant

30

3519784

23/09/2014, 23:54

Maurizio Bollino Vedi ultimo messaggio

Nessun messaggio da leggere  
Lista degli utenti del "Forum entomologi italiani" per campi di interesse e specializzazione

 
Altri Ordini di Insetti

Velvet Ant

13

1028371

07/09/2023, 17:14

Roberto-07 Vedi ultimo messaggio

Argomenti
Nessun messaggio da leggere
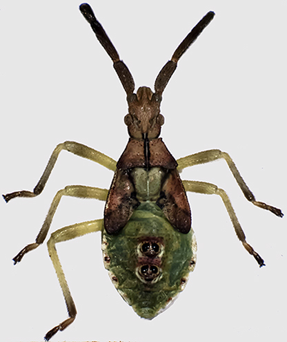
Sundarus inca Breddin, 1901 - Coreidae
9.XI.2014 - PERU - EE
Allegato(i)
Sundarus inca Breddin, 1901 - Coreidae

9.XI.2014 - PERU - EE
Hemiptera

venturini

9

3065

30/01/2015, 19:16

Dioli Vedi ultimo messaggio

Nessun messaggio da leggere
Allegato(i)
Coreus marginatus marginatus (Linnaeus, 1758) - Coreidae

19.VI.2011 - FRANCIA - EE
Hemiptera

matthew gandy

2

1263

06/01/2015, 21:30

matthew gandy Vedi ultimo messaggio

Nessun messaggio da leggere
Hypselonotus sp. - Coreidae
6.XI.2014 - PERU - EE
Allegato(i)
Hypselonotus sp. - Coreidae

6.XI.2014 - PERU - EE
Hemiptera

venturini

3

1635

05/01/2015, 17:24

Baris99 Vedi ultimo messaggio

Nessun messaggio da leggere
Allegato(i)
Coriomeris hirticornis (Fabricius, 1794) - Coreidae

2.IX.2014 - TURCHIA - EE
Hemiptera

Baris99

2

1268

05/12/2014, 17:06

Baris99 Vedi ultimo messaggio

Nessun messaggio da leggere
Allegato(i)
Coriomeris hirticornis (Fabricius, 1794) - Coreidae

22.VI.2014 - TURCHIA - EE
Hemiptera

Baris99

1

1030

03/12/2014, 20:21

eremicus Vedi ultimo messaggio

Nessun messaggio da leggere
Gonocerus insidiator (Fabricius 1787) - Coreidae
26.XI.2014 - ITALIA - Sicilia - TP
Allegato(i)
Gonocerus insidiator (Fabricius 1787) - Coreidae

26.XI.2014 - ITALIA - Sicilia - TP
Hemiptera

angelo.ditta

2

1214

27/11/2014, 21:28

angelo.ditta Vedi ultimo messaggio

Nessun messaggio da leggere
Coreus marginatus marginatus (Linnaeus, 1758) - Coreidae
11.VIII.2014 - ITALIA - Piemonte - TO
Allegato(i)
Coreus marginatus marginatus (Linnaeus, 1758) - Coreidae

11.VIII.2014 - ITALIA - Piemonte - TO
Hemiptera

umskiptar

2

1006

26/10/2014, 20:29

umskiptar Vedi ultimo messaggio

Nessun messaggio da leggere
Coreus marginatus marginatus (Linnaeus, 1758) - Coreidae
12.VI.2010 - ITALIA - Sicilia - PA
Allegato(i)
Coreus marginatus marginatus (Linnaeus, 1758) - Coreidae

12.VI.2010 - ITALIA - Sicilia - PA
Hemiptera

Gregorio

4

1419

14/10/2014, 12:07

Gregorio Vedi ultimo messaggio

Nessun messaggio da leggere
Coreus marginatus (Linnaeus, 1758) - Coreidae
9.VI.2014 - ITALIA - Abruzzo - AQ
Allegato(i)
Coreus marginatus (Linnaeus, 1758) - Coreidae

9.VI.2014 - ITALIA - Abruzzo - AQ
Hemiptera

Logoste

2

942

02/09/2014, 19:30

Logoste Vedi ultimo messaggio

Nessun messaggio da leggere
Ninfa di Coreidae sp.
18.VII.2014 - ITALIA - Umbria - PG
Allegato(i)
Ninfa di Coreidae sp.

18.VII.2014 - ITALIA - Umbria - PG
Hemiptera

MARIO LUNA

2

1053

18/07/2014, 22:45

MARIO LUNA Vedi ultimo messaggio

Nessun messaggio da leggere
Coreus marginatus (Linnaeus, 1758) - Coreidae
13.VII.2014 - ITALIA - Sicilia - CT
Allegato(i)
Coreus marginatus (Linnaeus, 1758) - Coreidae

13.VII.2014 - ITALIA - Sicilia - CT
Hemiptera

Lucanus tetraodon

0

817

13/07/2014, 17:27

Lucanus tetraodon Vedi ultimo messaggio

Nessun messaggio da leggere
Gonocerus acuteangulatus (Goeze, 1778) - Coreidae
17.VI.2014 - ITALIA - Lombardia - VA
Allegato(i)
Gonocerus acuteangulatus (Goeze, 1778) - Coreidae

17.VI.2014 - ITALIA - Lombardia - VA
Hemiptera

Holly

2

1062

06/07/2014, 12:12

Holly Vedi ultimo messaggio

Nessun messaggio da leggere
Coreus marginatus (Linnaeus, 1758) - Coreidae
2.VI.2014 - ITALIA - Liguria - SV
Allegato(i)
Coreus marginatus (Linnaeus, 1758) - Coreidae

2.VI.2014 - ITALIA - Liguria - SV
Hemiptera

fabio.aste

2

1094

05/06/2014, 10:31

fabio.aste Vedi ultimo messaggio

Nessun messaggio da leggere
Centrocoris spiniger (Fabricius, 1781) - Coreidae
7.VII.2013 - ITALIA - Emilia-Romagna - BO
Allegato(i)
Centrocoris spiniger (Fabricius, 1781) - Coreidae

7.VII.2013 - ITALIA - Emilia-Romagna - BO
Hemiptera

Olaffio

3

1122

17/05/2014, 11:20

Olaffio Vedi ultimo messaggio

Nessun messaggio da leggere
Plectropoda bicolor (Haglund, 1895) (cf.) - Coreidae
4.I.1991 - TANZANIA, REPUBBLICA UNITA DI - EE
Allegato(i)
Plectropoda bicolor (Haglund, 1895) (cf.) - Coreidae

4.I.1991 - TANZANIA, REPUBBLICA UNITA DI - EE
Hemiptera

Chalybion

6

1655

07/04/2014, 0:40

Chalybion Vedi ultimo messaggio

Nessun messaggio da leggere
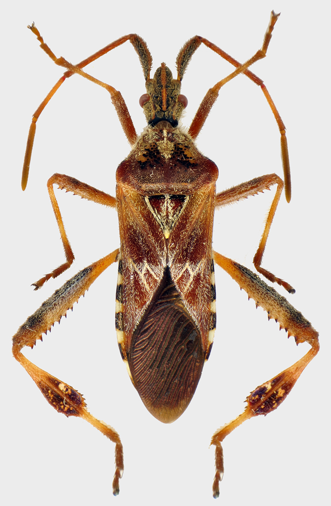
Leptoglossus occidentalis Heidemann, 1910 - Coreidae
16.III.2014 - ITALIA - Campania - CE
Allegato(i)
Leptoglossus occidentalis Heidemann, 1910 - Coreidae

16.III.2014 - ITALIA - Campania - CE
Hemiptera

f.izzillo

2

1210

16/03/2014, 18:30

f.izzillo Vedi ultimo messaggio

Nessun messaggio da leggere
Coreus marginatus (Linnaeus, 1758) - Coreidae
27.VII.2013 - ITALIA - Sicilia - ME
Allegato(i)
Coreus marginatus (Linnaeus, 1758) - Coreidae

27.VII.2013 - ITALIA - Sicilia - ME
Hemiptera

Lucanus tetraodon

5

1328

13/03/2014, 20:06

Lucanus tetraodon Vedi ultimo messaggio

Nessun messaggio da leggere
Allegato(i)
Acanthocephala (Metapodiessa) femorata (Fabricius, 1775) - Coreidae

6.I.2002 - VENEZUELA - EE
Hemiptera

Chalybion

3

1783

05/03/2014, 22:42

marsal Vedi ultimo messaggio

Nessun messaggio da leggere
Allegato(i)
Acanthocephala terminalis (Dallas, 1852) (cf.) - Coreidae

20.VI.2001 - GUATEMALA - EE
Hemiptera

Chalybion

1

1329

04/03/2014, 1:31

marsal Vedi ultimo messaggio

Nessun messaggio da leggere
Allegato(i)
Acantocephala alata (Burmeister, 1835) (cf.) - Coreidae

18.VII.2001 - GUATEMALA - EE
Hemiptera

Chalybion

4

1865

01/03/2014, 21:29

Chalybion Vedi ultimo messaggio

Nessun messaggio da leggere
Allegato(i)
Acanthocephala declivis (Say, 1832) ♀♂ - Coreidae

18.VII.2001 - GUATEMALA - EE
Hemiptera

Chalybion

2

1391

28/02/2014, 20:16

Chalybion Vedi ultimo messaggio

Nessun messaggio da leggere
Nematopus sp. - Coreidae
26.VIII.2013 - PERU - EE
Allegato(i)
Nematopus sp. - Coreidae

26.VIII.2013 - PERU - EE
Hemiptera

venturini

8

2349

27/02/2014, 11:23

marsal Vedi ultimo messaggio

Nessun messaggio da leggere
Allegato(i)
Ceraleptus gracilicornis (Herrich-Schäffer, 1835) - Coreidae

31.V.2013 - ROMANIA - EE
Hemiptera

GrzegorzG

3

1080

26/02/2014, 13:04

GrzegorzG Vedi ultimo messaggio

Nessun messaggio da leggere
Ceraleptus sp. - Coreidae
31.V.2013 - ROMANIA - EE
Allegato(i)
Ceraleptus sp. - Coreidae

31.V.2013 - ROMANIA - EE
Hemiptera

GrzegorzG

1

857

26/02/2014, 11:36

Dioli Vedi ultimo messaggio

Nessun messaggio da leggere
Allegato(i)
Odontorhopala callosa Stål, 1873 - Coreidae - Madagascar

7.IV.2008 - MADAGASCAR - EE
Hemiptera

Chalybion

5

1729

20/02/2014, 19:33

eremicus Vedi ultimo messaggio

Nessun messaggio da leggere
Allegato(i)
Plectropoda rothi (Dallas, 1852) - Coreidae (foto di un sintipo di Cypia rubra Lethierry, 1881 sinonimo di...)

5.VIII.1877 - ETIOPIA - EE
Hemiptera

Velvet Ant

1

1505

20/02/2014, 1:34

marsal Vedi ultimo messaggio

Nessun messaggio da leggere
Allegato(i)
Schroederia feana (Distant, 1902) - Coreidae - Sintipo

IV.1887 - MYANMAR - EE
Hemiptera

Velvet Ant

7

2557

18/02/2014, 9:07

Velvet Ant Vedi ultimo messaggio

Nessun messaggio da leggere
Allegato(i)
Coreus marginatus marginatus (Linnaeus, 1758) - Coreidae

5.VI.2013 - TURCHIA - EE
Hemiptera

ozgur70

3

1170

11/02/2014, 14:29

halobates Vedi ultimo messaggio

Nessun messaggio da leggere
Coreus marginatus (Linnaeus, 1758) - Coreidae
26.X.2013 - ITALIA - Emilia-Romagna - FE
Allegato(i)
Coreus marginatus (Linnaeus, 1758) - Coreidae

26.X.2013 - ITALIA - Emilia-Romagna - FE
Hemiptera

Luca Finetti

3

1129

06/11/2013, 18:16

Luca Finetti Vedi ultimo messaggio

Nessun messaggio da leggere
Phyllomorpha laciniata (Villers, 1789) - Coreidae
28.X.2013 - ITALIA - Abruzzo - AQ
Allegato(i)
Phyllomorpha laciniata (Villers, 1789) - Coreidae

28.X.2013 - ITALIA - Abruzzo - AQ
Hemiptera

Julodis

8

1395

04/11/2013, 22:22

Julodis Vedi ultimo messaggio

Nessun messaggio da leggere
Plinachtus imitator (Reuter, 1891) - Coreidae
31.X.2013 - ITALIA - Sardegna - CA
Allegato(i)
Plinachtus imitator (Reuter, 1891) - Coreidae

31.X.2013 - ITALIA - Sardegna - CA
Hemiptera

Palaemonetes

3

713

31/10/2013, 17:18

Palaemonetes Vedi ultimo messaggio

Nessun messaggio da leggere
Allegato(i)
Phyllomorpha laciniata (Villers, 1789) - Coreidae

14.VII.2011 - SPAGNA - EE
Hemiptera

matthew gandy

3

891

26/09/2013, 3:14

Dioli Vedi ultimo messaggio

Nessun messaggio da leggere
Leptoglossus occidentalis Heidemann, 1910 - Coreidae
22.IX.2013 - ITALIA - Piemonte - NO
Allegato(i)
Leptoglossus occidentalis Heidemann, 1910 - Coreidae

22.IX.2013 - ITALIA - Piemonte - NO
Hemiptera

Rik72

2

890

23/09/2013, 8:51

Rik72 Vedi ultimo messaggio

Nessun messaggio da leggere
Ninfa di Coreidae sp.
19.VIII.2013 - ITALIA - Valle d'Aosta - AO
Allegato(i)
Ninfa di Coreidae sp.

19.VIII.2013 - ITALIA - Valle d'Aosta - AO
Hemiptera

hectorinus

1

649

09/09/2013, 7:34

Palaemonetes Vedi ultimo messaggio

Nessun messaggio da leggere
Bathysolen nubilus (Fallen 1807) - Coreidae
30.VIII.2013 - ITALIA - Piemonte - NO
Allegato(i)
Bathysolen nubilus (Fallen 1807) - Coreidae

30.VIII.2013 - ITALIA - Piemonte - NO
Hemiptera

Rik72

3

1135

03/09/2013, 12:34

Rik72 Vedi ultimo messaggio

Nessun messaggio da leggere
Arenocoris sp. - Coreidae. Sardegna
13.V.2010 - ITALIA - Sardegna - CA
Allegato(i)
Arenocoris sp. - Coreidae. Sardegna

13.V.2010 - ITALIA - Sardegna - CA
Hemiptera

Palaemonetes

4

1469

26/08/2013, 19:50

giuseppe55 Vedi ultimo messaggio

Nessun messaggio da leggere
Ninfa di Coreidae sp.
23.VIII.2013 - ITALIA - Abruzzo - PE
Allegato(i)
Ninfa di Coreidae sp.

23.VIII.2013 - ITALIA - Abruzzo - PE
Hemiptera

D. Franco

3

1098

24/08/2013, 20:07

D. Franco Vedi ultimo messaggio

Nessun messaggio da leggere
Spathocera laticornis (Schilling, 1829) - Coreidae
15.VIII.2013 - ITALIA - Piemonte - NO
Allegato(i)
Spathocera laticornis (Schilling, 1829) - Coreidae

15.VIII.2013 - ITALIA - Piemonte - NO
Hemiptera

Rik72

2

882

20/08/2013, 21:41

Rik72 Vedi ultimo messaggio

Nessun messaggio da leggere
Arenocoris waltlii (Herrich-Schäffer, 1835) - Coreidae
8.VI.2013 - ITALIA - Sardegna - OR
Allegato(i)
Arenocoris waltlii (Herrich-Schäffer, 1835) - Coreidae

8.VI.2013 - ITALIA - Sardegna - OR
Hemiptera

Mauro

2

845

12/06/2013, 20:25

Mauro Vedi ultimo messaggio

Nessun messaggio da leggere
Ceraleptus obtusus (Brullé, 1839) - Coreidae
13.XI.2012 - ITALIA - Veneto - VR
Allegato(i)
Ceraleptus obtusus (Brullé, 1839) - Coreidae

13.XI.2012 - ITALIA - Veneto - VR
Hemiptera

Umbro

3

999

23/03/2013, 11:45

Umbro Vedi ultimo messaggio

Nessun messaggio da leggere
Allegato(i)
Ceraleptus gracilicornis (Herrich-Schäffer, 1835) - Coreidae

13.XI.2012 - ITALIA - Veneto - VR
Hemiptera

Umbro

2

980

20/03/2013, 21:28

Umbro Vedi ultimo messaggio

Nessun messaggio da leggere
Allegato(i)
Ceraleptus gracilicornis (Herrich-Schäffer, 1835) - Coreidae Pseudophloeinae

13.XI.2012 - ITALIA - Veneto - VR
Hemiptera

Umbro

1

754

20/03/2013, 21:08

giuseppe55 Vedi ultimo messaggio

Nessun messaggio da leggere
Gonocerus acuteangulatus (Goeze, 1778) - Coreidae
25.XII.2012 - ITALIA - Lazio - VT
Allegato(i)
Gonocerus acuteangulatus (Goeze, 1778) - Coreidae

25.XII.2012 - ITALIA - Lazio - VT
Hemiptera

Andricus

1

814

20/01/2013, 17:54

Julodis Vedi ultimo messaggio

Nessun messaggio da leggere
Leptoglossus occidentalis Heidemann, 1910 - Coreidae
10.X.2012 - ITALIA - Lombardia - LC
Allegato(i)
Leptoglossus occidentalis Heidemann, 1910 - Coreidae

10.X.2012 - ITALIA - Lombardia - LC
Hemiptera

stefanobona

3

1085

18/01/2013, 22:31

stefanobona Vedi ultimo messaggio

Nessun messaggio da leggere
Allegato(i)
Spathocera lobata (Herrich-Schäffer 1840) - Coreidae

4.VII.2012 - FRANCIA - EE
Hemiptera

Seraph

5

1195

20/12/2012, 15:12

Seraph Vedi ultimo messaggio

Nessun messaggio da leggere
Allegato(i)
Mygdonia tuberculosa (Signoret, 1851) - Coreidae

II.2012 - GABON - EE
Hemiptera

Sleepy Moose

8

1516

04/12/2012, 13:47

Sleepy Moose Vedi ultimo messaggio

Nessun messaggio da leggere
Coriomeris sp. - Coreidae Pseudophloeinae
9.VI.2012 - ITALIA - Abruzzo - AQ
Allegato(i)
Coriomeris sp. - Coreidae Pseudophloeinae

9.VI.2012 - ITALIA - Abruzzo - AQ
Hemiptera

clido

5

1552

30/11/2012, 1:53

marsal Vedi ultimo messaggio

Nessun messaggio da leggere
Leptoglossus occidentalis Heidemann, 1910 ninfa - Coreidae
5.XI.2012 - ITALIA - Veneto - VE
Allegato(i)
Leptoglossus occidentalis Heidemann, 1910 ninfa - Coreidae

5.XI.2012 - ITALIA - Veneto - VE
Hemiptera

ghebo

3

1091

05/11/2012, 18:03

ghebo Vedi ultimo messaggio

Nessun messaggio da leggere
Gonocerus acuteangulatus (Goeze, 1778) – Coreidae
24.X.2012 - ITALIA - Veneto - VE
Allegato(i)
Gonocerus acuteangulatus (Goeze, 1778) – Coreidae

24.X.2012 - ITALIA - Veneto - VE
Hemiptera

ghebo

2

847

25/10/2012, 16:29

ghebo Vedi ultimo messaggio

Nessun messaggio da leggere
Leptoglossus occidentalis Heidemann, 1910 - Coreidae
20.X.2012 - ITALIA - Puglia - LE
Allegato(i)
Leptoglossus occidentalis Heidemann, 1910 - Coreidae

20.X.2012 - ITALIA - Puglia - LE
Hemiptera

Maurizio Bollino

5

1588

22/10/2012, 19:24

Maurizio Bollino Vedi ultimo messaggio

Visualizza ultimi argomenti:  Ordina per  Ordine:  
nuovo argomento
Vai alla pagina Precedente  1, 2, 3, 4, 5  Prossimo
Pagina 3 di 5 [ 241 argomenti ]

Tutti gli orari sono UTC + 1 ora [ ora legale ]


Chi c’è in linea

Visitano il forum: Nessuno e 2 ospiti


Legenda
Messaggi da leggere Messaggi da leggere Nessun messaggio da leggere Nessun messaggio da leggere Annuncio Annuncio
 
Specie indeterminata / discussione generica
Messaggi non letti [ Popolari ] Messaggi non letti [ Popolari ] Nessun messaggio da leggere [ Popolare ] Nessun messaggio da leggere [ Popolare ] Importante Importante
 
Specie determinata fino al genere o cf.
Messaggi non letti [ Bloccati ] Messaggi non letti [ Bloccati ] No messaggi non letti [ Bloccati ] No messaggi non letti [ Bloccati ] Argomento spostato Argomento spostato
 
Specie correttamente determinata
Permessi
Non puoi aprire nuovi argomenti
Non puoi rispondere negli argomenti
Non puoi modificare i tuoi messaggi
Non puoi cancellare i tuoi messaggi
Non puoi inviare allegati

Cerca per:
Vai a:  
cron