Benvenuto Ospite

Forum Entomologi Italiani

www.entomologiitaliani.net/forum
 
Oggi è 23/01/2026, 13:42

Tutti gli orari sono UTC + 1 ora [ ora legale ]

Coreidae


[ AFROTROPICALE ] [ ANTARTICO ] [ AUSTRALASIANO ] [ NEARTICO ] [ NEOTROPICALE ] [ ORIENTALE ] [ PALEARTICO ]


nuovo argomento
Vai alla pagina Precedente  1, 2, 3, 4, 5  Prossimo
Pagina 2 di 5 [ 241 argomenti ]
 Argomenti   Ordine   Autore   Risposte   Visite    Ultimo messaggio 
Annunci
Nessun messaggio da leggere
Allegato(i)
Incontri entomologici della Società Entomologica Italiana 2025-2026
 

Velvet Ant

0

19315

17/11/2025, 19:41

Velvet Ant Vedi ultimo messaggio

Nessun messaggio da leggere
Allegato(i)
Incontri entomologici telematici organizzati dalla Società Entomologica Italiana nel 2022 e nel 2023

[ Vai alla paginaVai alla pagina: 1, 2, 3 ]

 

Velvet Ant

44

1748465

03/03/2023, 15:55

Velvet Ant Vedi ultimo messaggio

Nessun messaggio da leggere  
Allegato(i)
Sondaggio sul declino dell'entomofauna in Italia

[ Vai alla paginaVai alla pagina: 1, 2, 3, 4 ]

 

Velvet Ant

52

2380293

22/10/2022, 19:18

Acquarius Vedi ultimo messaggio

Nessun messaggio da leggere  
Allegato(i)
Progetto: Bibliografia ragionata dei lavori entomologici nei quali sono citati reperti apparsi su FEI

[ Vai alla paginaVai alla pagina: 1, 2, 3 ]

 

Velvet Ant

33

1404740

06/07/2023, 18:31

Orotrechus Vedi ultimo messaggio

Nessun messaggio da leggere
Allegato(i)
Mimesi, il primo documentario cinematografico sull’entomologia in Italia: casting
 

mazzeip

1

1096297

28/02/2019, 20:26

mazzeip Vedi ultimo messaggio

Questo argomento è bloccato, non puoi modificare o inviare ulteriori messaggi.
Allegato(i)
ISTRUZIONI PUBBLICAZIONE NUOVI ARGOMENTI E FOTO

 
Altri Ordini di Insetti

Julodis

4

2897592

13/05/2015, 19:37

Julodis Vedi ultimo messaggio

Nessun messaggio da leggere
Allegato(i)
Limitatore giornaliero di messaggi, uno strumento utile e ormai indispensabile

[ Vai alla paginaVai alla pagina: 1 ... 14, 15, 16 ]

 

Velvet Ant

233

12650741

25/09/2014, 14:31

Inachis Vedi ultimo messaggio

Nessun messaggio da leggere  
NORME PER I COLLABORATORI DEL FORUM

 
 

Velvet Ant

0

639066

02/06/2011, 12:05

Velvet Ant Vedi ultimo messaggio

Nessun messaggio da leggere
Allegato(i)
NORME PER GLI UTENTI DEL FORUM

[ Vai alla paginaVai alla pagina: 1, 2, 3 ]



 
 

Velvet Ant

30

3519784

23/09/2014, 23:54

Maurizio Bollino Vedi ultimo messaggio

Nessun messaggio da leggere  
Lista degli utenti del "Forum entomologi italiani" per campi di interesse e specializzazione

 
Altri Ordini di Insetti

Velvet Ant

13

1028371

07/09/2023, 17:14

Roberto-07 Vedi ultimo messaggio

Argomenti
Nessun messaggio da leggere
Homoeocerus sp. - Coreidae
27.VIII.2017 - GHANA - EE
Allegato(i)
Homoeocerus sp. - Coreidae

27.VIII.2017 - GHANA - EE
Hemiptera

Jonalexander

2

1892

09/09/2017, 23:21

marsal Vedi ultimo messaggio

Nessun messaggio da leggere
Allegato(i)
Coriomeris hirticornis (Fabricius, 1794) - Coreidae

4.VII.2017 - CROAZIA - EE
Hemiptera

gstalker

2

1749

12/08/2017, 16:30

gstalker Vedi ultimo messaggio

Nessun messaggio da leggere
Allegato(i)
Ninfa di Leptoglossus occidentalis Heidemann, 1910 - Coreidae

24.VI.2013 - ITALIA - Lazio - RM
Hemiptera

soken

1

1639

21/07/2017, 19:09

Nicarinus Vedi ultimo messaggio

Nessun messaggio da leggere
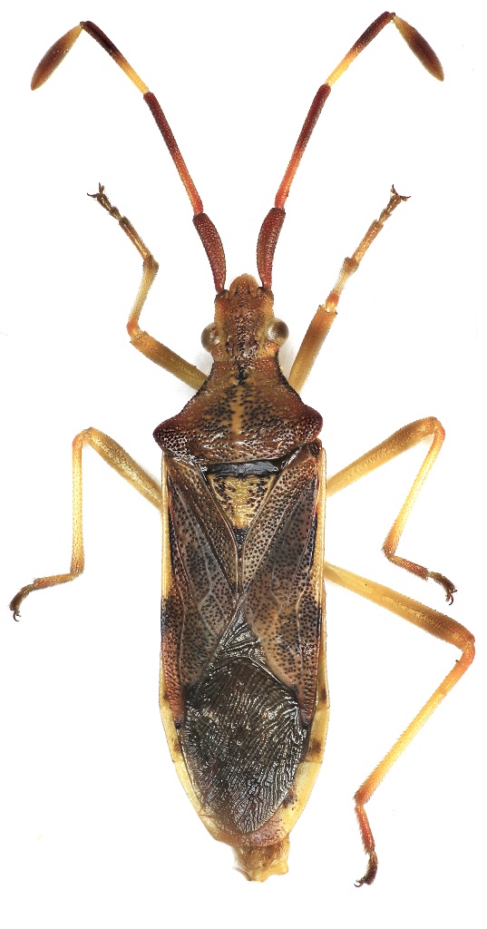
Coreus marginatus (Linnaeus, 1758) - Coreidae
8.VII.2017 - ITALIA - Trentino-Alto Adige - TN
Allegato(i)
Coreus marginatus (Linnaeus, 1758) - Coreidae

8.VII.2017 - ITALIA - Trentino-Alto Adige - TN
Hemiptera

Syrio

2

1743

10/07/2017, 12:36

Syrio Vedi ultimo messaggio

Nessun messaggio da leggere
Leptoglossus occidentalis Heidemann, 1910 - Coreidae
6.XI.2016 - ITALIA - Trentino-Alto Adige - TN
Allegato(i)
Leptoglossus occidentalis Heidemann, 1910 - Coreidae

6.XI.2016 - ITALIA - Trentino-Alto Adige - TN
Hemiptera

Syrio

2

1662

05/07/2017, 15:31

Syrio Vedi ultimo messaggio

Nessun messaggio da leggere
Leptoglossus occidentalis Heidemann, 1910 (cf.) - Coreidae
23.IV.2017 - ITALIA - Marche - PU
Allegato(i)
Leptoglossus occidentalis Heidemann, 1910 (cf.) - Coreidae

23.IV.2017 - ITALIA - Marche - PU
Hemiptera

matteobattisti

1

1515

11/06/2017, 14:36

Nicola Vedi ultimo messaggio

Nessun messaggio da leggere
Coriomeris alpinus (Horvath, 1895) - Coreidae Pseudophloeinae
27.V.2017 - ITALIA - Emilia-Romagna - BO
Allegato(i)
Coriomeris alpinus (Horvath, 1895) - Coreidae Pseudophloeinae

27.V.2017 - ITALIA - Emilia-Romagna - BO
Hemiptera

Loriscola

4

1928

07/06/2017, 13:06

marsal Vedi ultimo messaggio

Nessun messaggio da leggere
Coriomeris affinis (Herrich-Schäffer, 1839) - Coreidae
27.V.2017 - ITALIA - Sardegna - NU
Allegato(i)
Coriomeris affinis (Herrich-Schäffer, 1839) - Coreidae

27.V.2017 - ITALIA - Sardegna - NU
Hemiptera

Mauro

2

1789

04/06/2017, 17:11

Mauro Vedi ultimo messaggio

Nessun messaggio da leggere
Coreus marginatus (Linnaeus, 1758) - Coreidae
24.IV.2017 - ITALIA - Lombardia - MB
Allegato(i)
Coreus marginatus (Linnaeus, 1758) - Coreidae

24.IV.2017 - ITALIA - Lombardia - MB
Hemiptera

geppe

2

1761

08/05/2017, 6:48

geppe Vedi ultimo messaggio

Nessun messaggio da leggere
Ninfa di Gonocerus acuteangulatus (Goeze, 1778) - Coreidae
9.VII.2016 - ITALIA - Lazio - RM
Allegato(i)
Ninfa di Gonocerus acuteangulatus (Goeze, 1778) - Coreidae

9.VII.2016 - ITALIA - Lazio - RM
Hemiptera

wgliinsetti

1

1406

28/04/2017, 12:16

Mauro Vedi ultimo messaggio

Nessun messaggio da leggere
Gonocerus acuteangulatus (Goeze, 1778) - Coreidae
9.VII.2016 - ITALIA - Lazio - RM
Allegato(i)
Gonocerus acuteangulatus (Goeze, 1778) - Coreidae

9.VII.2016 - ITALIA - Lazio - RM
Hemiptera

wgliinsetti

1

1399

28/04/2017, 12:14

Mauro Vedi ultimo messaggio

Nessun messaggio da leggere
Coreus marginatus (Linnaeus, 1758) - Coreidae
21.III.2017 - ITALIA - Emilia-Romagna - PR
Allegato(i)
Coreus marginatus (Linnaeus, 1758) - Coreidae

21.III.2017 - ITALIA - Emilia-Romagna - PR
Altri Ordini di Insetti

b.fra77

2

1734

21/03/2017, 19:42

b.fra77 Vedi ultimo messaggio

Nessun messaggio da leggere
Allegato(i)
Haploprocta sulcicornis (Fabricius, 1794) - Coreidae

27.IX.2016 - SPAGNA - EE
Hemiptera

ruzzpa

1

1933

15/01/2017, 21:18

Baris99 Vedi ultimo messaggio

Nessun messaggio da leggere
Syromastus rhombeus (Linnaeus, 1767) - Coreidae
5.IV.2015 - ITALIA - Calabria - CS
Allegato(i)
Syromastus rhombeus (Linnaeus, 1767) - Coreidae

5.IV.2015 - ITALIA - Calabria - CS
Altri Ordini di Insetti

aiello antonio

2

1964

20/12/2016, 19:57

cosmln Vedi ultimo messaggio

Nessun messaggio da leggere
Acanthocephala sp. - Coreidae
15.IV.2016 - ECUADOR - EE
Allegato(i)
Acanthocephala sp. - Coreidae

15.IV.2016 - ECUADOR - EE
Hemiptera

venturini

3

2330

06/11/2016, 19:09

Dioli Vedi ultimo messaggio

Nessun messaggio da leggere
Allegato(i)
Leptoglossus occidentalis Heidemann, 1910 - Coreidae

ITALIA - Liguria - GE
Altri Artropodi

fradry

2

1970

16/10/2016, 16:13

fradry Vedi ultimo messaggio

Nessun messaggio da leggere
Coriomeris sp. - Coreidae
3.X.2016 - ITALIA - Veneto - VE
Allegato(i)
Coriomeris sp. - Coreidae

3.X.2016 - ITALIA - Veneto - VE
Hemiptera

ghebo

1

1496

05/10/2016, 7:44

ghebo Vedi ultimo messaggio

Nessun messaggio da leggere
Ulmicola spinipes (Fallén, 1807) - Coreidae
23.VI.2015 - MONTENEGRO - EE
Allegato(i)
Ulmicola spinipes (Fallén, 1807) - Coreidae

23.VI.2015 - MONTENEGRO - EE
Hemiptera

ivo

8

2672

03/10/2016, 17:36

ivo Vedi ultimo messaggio

Nessun messaggio da leggere
neanide di Coreidae sp.
VII.2016 - ITALIA - Toscana - SI
Allegato(i)
neanide di Coreidae sp.

VII.2016 - ITALIA - Toscana - SI
Hemiptera

Anillus

3

2163

15/09/2016, 16:47

Anillus Vedi ultimo messaggio

Nessun messaggio da leggere
Ninfa di Leptoglossus occidentalis Heidemann, 1910 - Coreidae
24.VIII.2016 - ITALIA - Lazio - LT
Allegato(i)
Ninfa di Leptoglossus occidentalis Heidemann, 1910 - Coreidae

24.VIII.2016 - ITALIA - Lazio - LT
Hemiptera

zefi

2

1773

15/09/2016, 11:41

zefi Vedi ultimo messaggio

Nessun messaggio da leggere
Coreus marginatus (Linnaeus, 1758) - Coreidae
3.VII.2016 - ITALIA - Lazio - RI
Allegato(i)
Coreus marginatus (Linnaeus, 1758) - Coreidae

3.VII.2016 - ITALIA - Lazio - RI
Hemiptera

wgliinsetti

1

1554

02/09/2016, 16:56

Giuseppe Vedi ultimo messaggio

Nessun messaggio da leggere
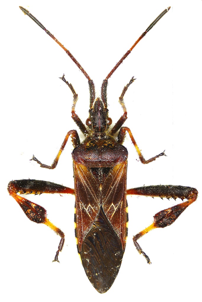
Gonocerus insidiator (Fabricius 1787) - Coreidae
VIII.2016 - ITALIA - Puglia
Allegato(i)
Gonocerus insidiator (Fabricius 1787) - Coreidae

VIII.2016 - ITALIA - Puglia
Hemiptera

donatella63

2

1620

29/08/2016, 22:21

Palaemonetes Vedi ultimo messaggio

Nessun messaggio da leggere
Coreus marginatus, (Linnaeus, 1758) - Coreidae
12.VIII.2016 - ITALIA - Liguria - GE
Allegato(i)
Coreus marginatus, (Linnaeus, 1758) - Coreidae

12.VIII.2016 - ITALIA - Liguria - GE
Hemiptera

Antonio Pareto

1

1398

13/08/2016, 13:54

Giuseppe Vedi ultimo messaggio

Nessun messaggio da leggere
Coriomeris hirticornis (Fabricius, 1794) - Coreidae
4.VI.2016 - ITALIA - Lazio - RI
Allegato(i)
Coriomeris hirticornis (Fabricius, 1794) - Coreidae

4.VI.2016 - ITALIA - Lazio - RI
Hemiptera

wgliinsetti

1

1440

09/08/2016, 16:13

Baris99 Vedi ultimo messaggio

Nessun messaggio da leggere
Coriomeris sp. - Coreidae
21.V.2016 - ITALIA - Veneto - TV
Allegato(i)
Coriomeris sp. - Coreidae

21.V.2016 - ITALIA - Veneto - TV
Hemiptera

stefano tasca

2

1311

24/05/2016, 20:48

stefano tasca Vedi ultimo messaggio

Nessun messaggio da leggere
Ceraleptus obtusus (Brullé, 1838) - Coreide
27.IV.2016 - ITALIA - Sardegna - CA
Allegato(i)
Ceraleptus obtusus (Brullé, 1838) - Coreide

27.IV.2016 - ITALIA - Sardegna - CA
Hemiptera

Palaemonetes

2

1314

29/04/2016, 8:22

Palaemonetes Vedi ultimo messaggio

Nessun messaggio da leggere
Coriomeris affinis (Herrich-Schäffer, 1839) - Coreidae
25.VI.2015 - ITALIA - Piemonte - TO
Allegato(i)
Coriomeris affinis (Herrich-Schäffer, 1839) - Coreidae

25.VI.2015 - ITALIA - Piemonte - TO
Hemiptera

rubber

7

2675

23/04/2016, 22:36

Baris99 Vedi ultimo messaggio

Nessun messaggio da leggere
Syromastus rhombeus (Linnaeus 1767) - Coreidae
18.IV.2016 - ITALIA - Veneto - TV
Allegato(i)
Syromastus rhombeus (Linnaeus 1767) - Coreidae

18.IV.2016 - ITALIA - Veneto - TV
Hemiptera

stefano tasca

2

1602

18/04/2016, 19:48

stefano tasca Vedi ultimo messaggio

Nessun messaggio da leggere
Allegato(i)
Syromastus rhombeus (Linnaeus 1767) - Coreidae

27.I.2016 - SPAGNA - EE
Hemiptera

Chalybion

1

1006

04/04/2016, 16:27

Baris99 Vedi ultimo messaggio

Nessun messaggio da leggere
Gonocerus insidiator (Fabricius, 1787) - Coreidae
11.X.2015 - ITALIA - Sicilia - SR
Allegato(i)
Gonocerus insidiator (Fabricius, 1787) - Coreidae

11.X.2015 - ITALIA - Sicilia - SR
Hemiptera

Gregorio

3

1275

30/03/2016, 22:13

Gregorio Vedi ultimo messaggio

Nessun messaggio da leggere
Allegato(i)
Centrocoris variegatus Kolenati, 1845 - Coreidae Coreinae Coreini

6.VI.2014 - GRECIA - EE
Hemiptera

ivo

4

1582

19/03/2016, 23:55

Dioli Vedi ultimo messaggio

Nessun messaggio da leggere
Allegato(i)
Strobilotoma typhaecornis (Fabricius, 1803) - Coreidae

14.III.2015 - MALTA - EE
Hemiptera

Palaemonetes

2

1035

10/02/2016, 18:32

Palaemonetes Vedi ultimo messaggio

Nessun messaggio da leggere
Allegato(i)
Arenocoris waltlii (Herrich-Schäffer, 1835) - Coreidae

16.III.2015 - MALTA - EE
Hemiptera

Palaemonetes

2

1165

09/02/2016, 21:12

Palaemonetes Vedi ultimo messaggio

Nessun messaggio da leggere
Enoplops scapha (Fabricius, 1803) - Coreidae
21.V.2010 - ITALIA - Lazio - RM
Allegato(i)
Enoplops scapha (Fabricius, 1803) - Coreidae

21.V.2010 - ITALIA - Lazio - RM
Hemiptera

Valerio

1

1368

02/01/2016, 15:53

Baris99 Vedi ultimo messaggio

Nessun messaggio da leggere
Centrocoris sp. - Coreidae
14.VIII.2015 - ITALIA - Campania - SA
Allegato(i)
Centrocoris sp. - Coreidae

14.VIII.2015 - ITALIA - Campania - SA
Hemiptera

Enzo.C

5

1966

09/12/2015, 20:44

Enzo.C Vedi ultimo messaggio

Nessun messaggio da leggere
Allegato(i)
Gonocerus juniperi Herrich-Schäffer, 1839 - Coreidae

1.IX.2008 - POLONIA - EE
Hemiptera

GrzegorzG

1

960

26/11/2015, 12:45

marsal Vedi ultimo messaggio

Nessun messaggio da leggere
Syromastus rhombeus (Linnaeus, 1767) - Coreidae
10.V.2013 - BULGARIA - EE
Allegato(i)
Syromastus rhombeus (Linnaeus, 1767) - Coreidae

10.V.2013 - BULGARIA - EE
Hemiptera

GrzegorzG

1

1000

25/11/2015, 14:01

marsal Vedi ultimo messaggio

Nessun messaggio da leggere
Coreus marginatus (Linnaeus, 1758) - Coreidae
29.VII.2015 - ITALIA - Veneto - VE
Allegato(i)
Coreus marginatus (Linnaeus, 1758) - Coreidae

29.VII.2015 - ITALIA - Veneto - VE
Hemiptera

gstalker

2

931

09/11/2015, 17:54

gstalker Vedi ultimo messaggio

Nessun messaggio da leggere
Gonocerus juniperi Herrich-Schäffer, 1839 - Coreidae
31.VII.2015 - ITALIA - Veneto - VE
Allegato(i)
Gonocerus juniperi Herrich-Schäffer, 1839 - Coreidae

31.VII.2015 - ITALIA - Veneto - VE
Hemiptera

gstalker

2

952

20/10/2015, 18:34

gstalker Vedi ultimo messaggio

Nessun messaggio da leggere
Allegato(i)
Leptoglossus occidentalis Heidemann, 1910 - Coreidae

26.IX.2015 - GERMANIA - EE
Hemiptera

gstalker

2

1177

30/09/2015, 9:18

gstalker Vedi ultimo messaggio

Nessun messaggio da leggere
Coreus marginatus marginatus (Linnaeus, 1758) - Coreidae
16.VII.2015 - ITALIA - Lombardia - LC
Allegato(i)
Coreus marginatus marginatus (Linnaeus, 1758) - Coreidae

16.VII.2015 - ITALIA - Lombardia - LC
Hemiptera

michelebutta

3

1352

27/09/2015, 18:21

Dioli Vedi ultimo messaggio

Nessun messaggio da leggere
ninfa - Coreidae
29.VII.2015 - ITALIA - Lazio - LT
Allegato(i)
ninfa - Coreidae

29.VII.2015 - ITALIA - Lazio - LT
Hemiptera

lamedelcaos

5

1691

11/09/2015, 14:30

lamedelcaos Vedi ultimo messaggio

Nessun messaggio da leggere
Leptoglossus sp. - Coreidae
23.VI.1990 - VENEZUELA - EE
Allegato(i)
Leptoglossus sp. - Coreidae

23.VI.1990 - VENEZUELA - EE
Hemiptera

Palaemonetes

3

1230

08/09/2015, 15:52

Baris99 Vedi ultimo messaggio

Nessun messaggio da leggere
Gonocerus juniperi Herrich-Schäffer, 1839 - Coreidae
2.IX.2015 - ITALIA - Veneto - VE
Allegato(i)
Gonocerus juniperi Herrich-Schäffer, 1839 - Coreidae

2.IX.2015 - ITALIA - Veneto - VE
Hemiptera

ghebo

4

1004

02/09/2015, 22:51

Creedence Vedi ultimo messaggio

Nessun messaggio da leggere
Coreus marginatus marginatus (Linnaeus, 1758) - Coreidae
27.VI.2015 - ITALIA - Liguria - GE
Allegato(i)
Coreus marginatus marginatus (Linnaeus, 1758) - Coreidae

27.VI.2015 - ITALIA - Liguria - GE
Hemiptera

venturini

3

1204

04/07/2015, 19:58

venturini Vedi ultimo messaggio

Nessun messaggio da leggere
Centrocoris sp. - Coreidae
17.VI.2015 - ITALIA - Lazio - RM
Allegato(i)
Centrocoris sp. - Coreidae

17.VI.2015 - ITALIA - Lazio - RM
Hemiptera

venturini

3

1010

21/06/2015, 16:22

venturini Vedi ultimo messaggio

Nessun messaggio da leggere
Clavigralla hystrix (Dallas, 1852) -Rep. dem. Congo, Mombasa-leg M. Porri
VI.1987 - CONGO, REPUBBLICA DEMOCRATICA DEL - EE
Allegato(i)
Clavigralla hystrix (Dallas, 1852) -Rep. dem. Congo, Mombasa-leg M. Porri

VI.1987 - CONGO, REPUBBLICA DEMOCRATICA DEL - EE
Hemiptera

marsal

1

1308

08/05/2015, 10:39

Baris99 Vedi ultimo messaggio

Nessun messaggio da leggere
Allegato(i)
Clavigralla wittei (Schouteden, 1928) -Tanzania, border Iringa-Morogoro prov. -Sforzi e Bartolotti leg.

15.VII.2004 - TANZANIA, REPUBBLICA UNITA DI - EE
Hemiptera

marsal

0

964

08/05/2015, 0:06

marsal Vedi ultimo messaggio

Nessun messaggio da leggere
Coreus marginatus marginatus (Linnaeus, 1758) - Coreidae
IX.2014 - ITALIA - Piemonte - AL
Allegato(i)
Coreus marginatus marginatus (Linnaeus, 1758) - Coreidae

IX.2014 - ITALIA - Piemonte - AL
Hemiptera

Massimo Salamano

2

1237

04/02/2015, 21:33

f.izzillo Vedi ultimo messaggio

Nessun messaggio da leggere
ninfa di Coreus marginatus (cf.) - Coreidae
29.IX.2014 - ITALIA - Trentino-Alto Adige - TN
Allegato(i)
ninfa di Coreus marginatus (cf.) - Coreidae

29.IX.2014 - ITALIA - Trentino-Alto Adige - TN
Hemiptera

gigilmozzi

1

906

02/02/2015, 18:35

Palaemonetes Vedi ultimo messaggio

Visualizza ultimi argomenti:  Ordina per  Ordine:  
nuovo argomento
Vai alla pagina Precedente  1, 2, 3, 4, 5  Prossimo
Pagina 2 di 5 [ 241 argomenti ]

Tutti gli orari sono UTC + 1 ora [ ora legale ]


Chi c’è in linea

Visitano il forum: Nessuno e 2 ospiti


Legenda
Messaggi da leggere Messaggi da leggere Nessun messaggio da leggere Nessun messaggio da leggere Annuncio Annuncio
 
Specie indeterminata / discussione generica
Messaggi non letti [ Popolari ] Messaggi non letti [ Popolari ] Nessun messaggio da leggere [ Popolare ] Nessun messaggio da leggere [ Popolare ] Importante Importante
 
Specie determinata fino al genere o cf.
Messaggi non letti [ Bloccati ] Messaggi non letti [ Bloccati ] No messaggi non letti [ Bloccati ] No messaggi non letti [ Bloccati ] Argomento spostato Argomento spostato
 
Specie correttamente determinata
Permessi
Non puoi aprire nuovi argomenti
Non puoi rispondere negli argomenti
Non puoi modificare i tuoi messaggi
Non puoi cancellare i tuoi messaggi
Non puoi inviare allegati

Cerca per:
Vai a:  
cron