Benvenuto Ospite

Forum Entomologi Italiani

www.entomologiitaliani.net/forum
 
Oggi è 26/04/2026, 20:00

Tutti gli orari sono UTC + 1 ora [ ora legale ]

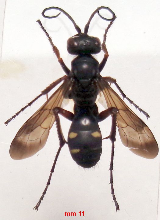
Cryptocheilus (Adonta) variabilis (Rossi, 1790) ♀ (cf.) - Pompilidae Pepsinae

5.VI.2024 - ITALIA - Emilia-Romagna - BO, val Sellustra, m 350


nuovo argomento
rispondi
Pagina 1 di 1 [ 1 messaggio ]
Autore Messaggio
MessaggioInviato: 13/06/2024, 18:29 
 

Iscritto il: 08/12/2013, 1:52
Messaggi: 7704
Località: Bagnacavallo (RA)
Nome: Giorgio Pezzi
Se confermabile devo dire che con mesosoma tutto nero non ne avevo ancora preso: anche la faccia è poco macchiata di bianco. Del resto questa femmina dovrà far fede al nome...
:hi:
DSC02277.JPG



DSC02278.JPG

DSC02280.JPG

Top
profilo
Visualizza ultimi messaggi:  Ordina per  
nuovo argomento
rispondi
Pagina 1 di 1 [ 1 messaggio ]

Tutti gli orari sono UTC + 1 ora [ ora legale ]


Chi c’è in linea

Visitano il forum: Nessuno e 1 ospite


Non puoi aprire nuovi argomenti
Non puoi rispondere negli argomenti
Non puoi modificare i tuoi messaggi
Non puoi cancellare i tuoi messaggi
Non puoi inviare allegati

Cerca per:
Vai a: