Benvenuto Ospite

Forum Entomologi Italiani

www.entomologiitaliani.net/forum
 
Oggi è 29/04/2026, 13:03

Tutti gli orari sono UTC + 1 ora [ ora legale ]

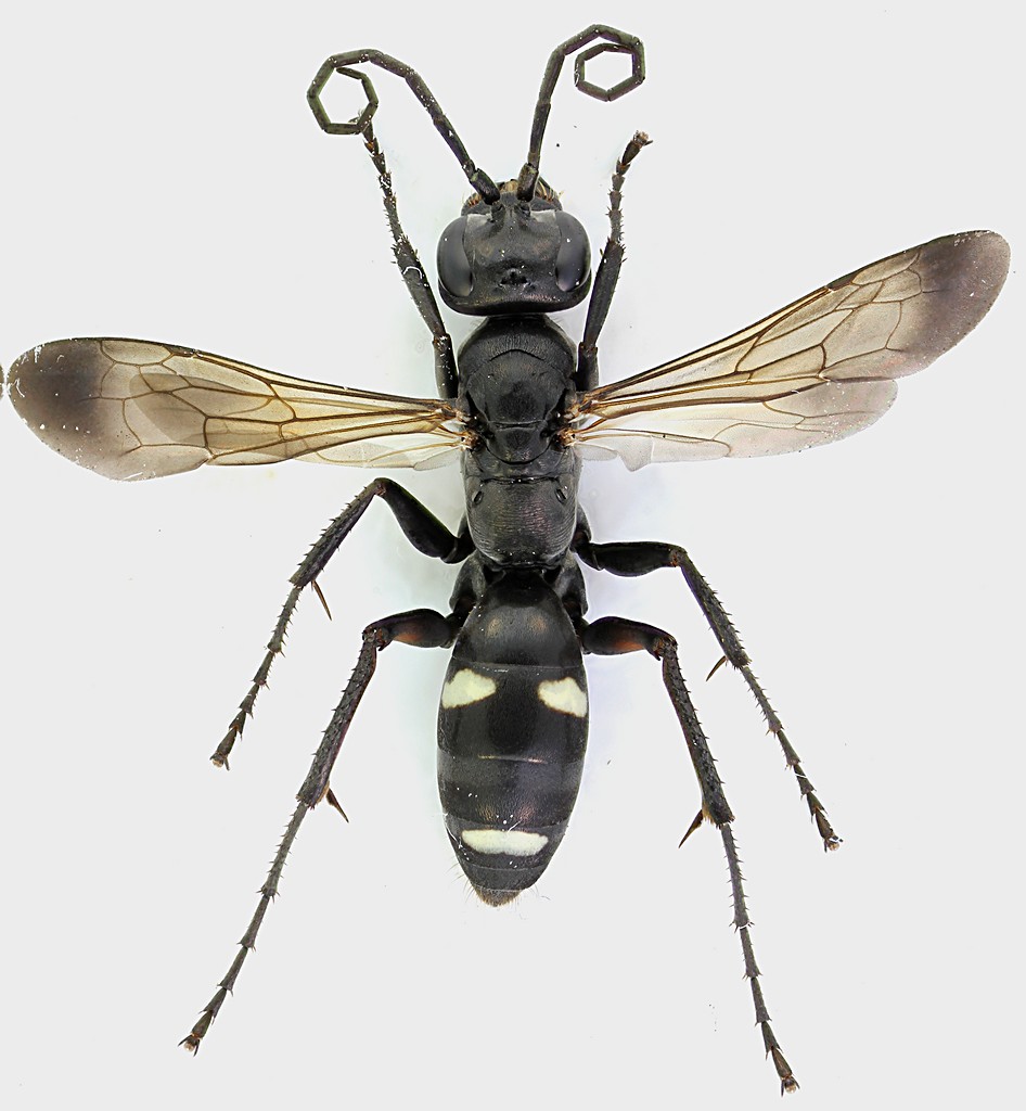
Cryptocheilus sp.? - Pompilidae - Insetti della città di Roma

24.VII.2011 - ITALIA - Lazio - RM, Roma, Montesacro


nuovo argomento
rispondi
Pagina 1 di 1 [ 1 messaggio ]
Autore Messaggio
MessaggioInviato: 17/08/2011, 15:05 
Avatar utente

Iscritto il: 30/12/2009, 22:20
Messaggi: 31564
Località: Roma
Nome: Maurizio Gigli
Visto che oggi sono rimasto a casa, qualcuno è venuto a trovarmi direttamente in camera.

Questo Pompilidae è entrato dalla finestra e non riusciva più a trovare l'uscita.
Mi sbilancio ad azzardare il genere, malgrado la mia totale ignoranza imenotterologica, solo in base a quanto vedo sul Forum.

Lazio, Roma, Montesacro, 15.VIII.2011, M. Gigli legit

11 mm
Pompilidae_Roma_15-VIII-2011_11mm.jpg


_________________
Maurizio Gigli
http://utenti.romascuola.net/bups
http://bup.xoom.it/


Top
profilo
Visualizza ultimi messaggi:  Ordina per  
nuovo argomento
rispondi
Pagina 1 di 1 [ 1 messaggio ]

Tutti gli orari sono UTC + 1 ora [ ora legale ]


Chi c’è in linea

Visitano il forum: Nessuno e 1 ospite


Non puoi aprire nuovi argomenti
Non puoi rispondere negli argomenti
Non puoi modificare i tuoi messaggi
Non puoi cancellare i tuoi messaggi
Non puoi inviare allegati

Cerca per:
Vai a: