Benvenuto Ospite

Forum Entomologi Italiani

www.entomologiitaliani.net/forum
 
Oggi è 18/11/2025, 12:33

Tutti gli orari sono UTC + 1 ora [ ora legale ]

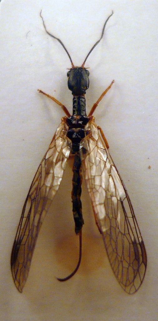
Parainocellia bicolor (A.Costa 1855) - Inocelliidae

V.2008 - ITALIA - Marche - PU, Pesaro


nuovo argomento
rispondi
Pagina 1 di 1 [ 8 messaggi ]
Autore Messaggio
MessaggioInviato: 22/01/2010, 17:54 
Avatar utente

Iscritto il: 11/11/2009, 20:54
Messaggi: 4850
Località: Pesaro
Nome: Marco Paglialunga
Dalla teca appena ho pronunciato i tre nomi Roberto-Davide-Agostino....ne è saltato fuori un'altro!!
Calmi con le Coronarie e la Pressione!! :birra:
Pesaro V-08
12,5 mm


P1010474.JPG

P1010475.JPG

P1010476.JPG

P1010477.JPG

P1010478.JPG

P1010481.JPG

P1010482.JPG

P1010483.JPG


_________________
O voi ch'avete li 'ntelletti sani, mirate la dottrina che s'asconde sotto 'l velame de li versi strani
(InfeRRno - canto IX - vv. 61-63)
Top
profilo
 Oggetto del messaggio: Re: Altro Raphi-dilar-idae
MessaggioInviato: 22/01/2010, 18:10 
Avatar utente

Iscritto il: 06/02/2009, 8:59
Messaggi: 305
Località: Sassari
Nome: Laura Loru
Per Davide dovrai aspettare! E' appena andato via da lavoro, dagli il tempo di arrivare a casa, circa una mezzora :lol1:

Ciao Laura


Top
profilo
 Oggetto del messaggio: Re: Altro Raphi-dilar-idae
MessaggioInviato: 22/01/2010, 20:39 
Avatar utente

Iscritto il: 06/02/2009, 9:07
Messaggi: 1706
Località: W-Mediterraneo
Nome: Davide Badano
A rapporto! Inocelliidae Parainocellia bicolor (A. Costa 1855).

:hi:


Top
profilo
 Oggetto del messaggio: Re: Altro Raphi-dilar-idae
MessaggioInviato: 22/01/2010, 22:15 
Avatar utente

Iscritto il: 02/02/2009, 23:32
Messaggi: 5645
Località: da Ferrara ad Alghero
Nome: Roberto A. Pantaleoni
:ok: :) !

Roberto :to:

_________________
verum stabile cetera fumus


Top
profilo
MessaggioInviato: 23/01/2010, 0:04 
Avatar utente

Iscritto il: 11/11/2009, 20:54
Messaggi: 4850
Località: Pesaro
Nome: Marco Paglialunga
Come, quì , niente esame dell'ala???
Mai e poi mai Roberto vorrei i tuoi occhi nella coscienza, queste avevo cercato di farle quasi perpendicolari, anche se non servono più :cry:
Comunque quante cose si imparano in questo bellissimo forum.....GRAZIE Roberto,Davide e Agostino :lov2:


P1010554.JPG

P1010553.JPG

P1010552.JPG

P1010551.JPG


_________________
O voi ch'avete li 'ntelletti sani, mirate la dottrina che s'asconde sotto 'l velame de li versi strani
(InfeRRno - canto IX - vv. 61-63)
Top
profilo
MessaggioInviato: 23/01/2010, 7:28 
Avatar utente

Iscritto il: 02/02/2009, 23:32
Messaggi: 5645
Località: da Ferrara ad Alghero
Nome: Roberto A. Pantaleoni
Si intravvedeva già :twisted: , però queste foto delle ali sono buone. Vuol dire che sono servite come prova per la prossima volta. Anzi la prossima volta inseriscine subito una, tanto serve ... almeno come confema!

Ciao Roberto :to:

_________________
verum stabile cetera fumus


Top
profilo
MessaggioInviato: 23/01/2010, 9:49 
Avatar utente

Iscritto il: 06/02/2009, 9:17
Messaggi: 1025
Località: Roma
Nome: Agostino Letardi
marco paglialunga ha scritto:
Dalla teca appena ho pronunciato i tre nomi Roberto-Davide-Agostino....ne è saltato fuori un'altro!!
Calmi con le Coronarie e la Pressione!! :birra:
Pesaro V-08
12,5 mm


Bon, vedrò di ricordarmi di scandire per benino P A G L I A L U N G A prima di retinare alla ricerca dell'Isoscelipteron :lol1:
Chissà che non funzioni, nonostante la mia desolante assoluta mancanza di superstiziosità...

Le coronarie sono ottime, per la pressione invece, se non butto giù qualche altra decina di kg in eccesso, mi tocca fare affidamento alla farmacologia :cry: :cry: :cry:
Ma non c'é pasticca che tenga quando si maneggiano Inocelliidae: la questione in Italia è attuale e scottante e in questi ultimi anni stiamo maneggiando reperti molto delicati. Prima o poi ci decideremo (ma sarà bene che lasci ai miei colleghi professionisti valutare bene la tempistica della cosa) di studiare a fondo la questione. Resta sempre il fatto che anche questi benedetti Neuropterida sono un vero e proprio "vaso di Pandora" e come sollevi una questione se ne scatenano una buriana di centinaia di altre.... Da neurotterofilo però ti assicuro che il piacere che mi hanno procurato la descrizione della Subilla sarda, il ritrovamento della Turcorafidia in Abruzzo, la presenza di Nevrorthus apatelios in Friuli e il Sympherobius trovato da Davide in Liguria (sperando che presto venga pubblicata 'sta nota :devil: ) - solo per dirne alcune - vale l'impresa di aver partecipato alla rottura di questo vaso pieno di turbolenze 8-)

Tutte 'ste chiacchiere solo per chiudere con una amichevole ;) tiratina d'orecchie

Vabbe' tutte le belle foto che ci hai messo degli ambienti di cattura, ma una specificazione un pochino più precisa dei vari reperti che posti, non potresti concedercela, pleeeeeease????? :hi:

Buone cose

_________________
agostino letardi
http://neurotteri.casaccia.enea.it


Top
profilo
MessaggioInviato: 23/01/2010, 10:54 
Avatar utente

Iscritto il: 06/02/2009, 9:07
Messaggi: 1706
Località: W-Mediterraneo
Nome: Davide Badano
Agostino dimentichi le due più interessanti novità della fauna Italiana (una se la gioca con la Subilla) devono ancora essere pubblicate! E quelle :p :p :p
Una è già nota ma la seconda per ora è top secret! Se qualcuno è curioso deve aspettare qualche mese :D

PS allora quando si va in Calabria? Primi di giugno? ;)


Top
profilo
Visualizza ultimi messaggi:  Ordina per  
nuovo argomento
rispondi
Pagina 1 di 1 [ 8 messaggi ]

Tutti gli orari sono UTC + 1 ora [ ora legale ]


Chi c’è in linea

Visitano il forum: Nessuno e 4 ospiti


Non puoi aprire nuovi argomenti
Non puoi rispondere negli argomenti
Non puoi modificare i tuoi messaggi
Non puoi cancellare i tuoi messaggi
Non puoi inviare allegati

Cerca per:
Vai a: