Benvenuto Ospite

Forum Entomologi Italiani

www.entomologiitaliani.net/forum
 
Oggi è 30/11/2025, 15:48

Tutti gli orari sono UTC + 1 ora [ ora legale ]

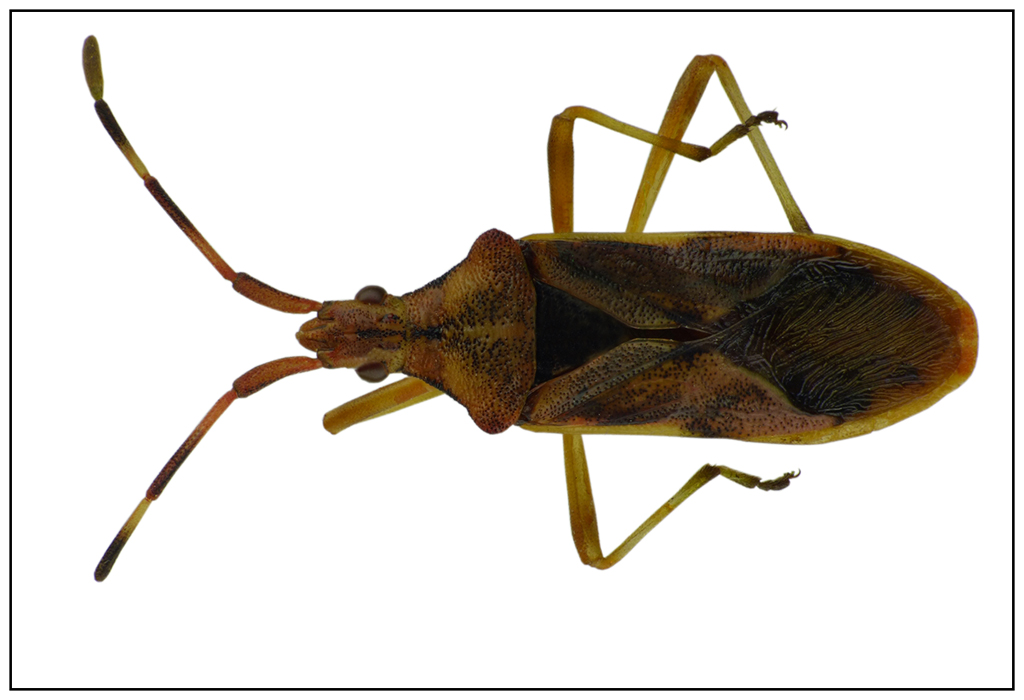
Gonocerus juniperi Herrich-Schäffer, 1839 - Coreidae

1.IX.2008 - POLONIA - EE, Bełchatów


nuovo argomento
rispondi
Pagina 1 di 1 [ 2 messaggi ]
Autore Messaggio
MessaggioInviato: 26/11/2015, 12:39 
 

Iscritto il: 02/03/2013, 21:22
Messaggi: 271
Nome: Gierlasinski Grzegorz
Hi,

Please, confirm my type :)

613 for.jpg



Best regards
Grzegorz

_________________
Papers in PDF format: https://www.researchgate.net/profile/Grzegorz_Gierlasinski3
My site: http://heteroptera.entomo.pl


Top
profilo
 Oggetto del messaggio: Re: Is that Gonocerus juniperi?
MessaggioInviato: 26/11/2015, 12:45 
Avatar utente

Iscritto il: 31/12/2009, 1:47
Messaggi: 907
Località: Bellano (LC)
Nome: Martino Salvetti
:ok:


Top
profilo
Visualizza ultimi messaggi:  Ordina per  
nuovo argomento
rispondi
Pagina 1 di 1 [ 2 messaggi ]

Tutti gli orari sono UTC + 1 ora [ ora legale ]


Chi c’è in linea

Visitano il forum: Nessuno e 3 ospiti


Non puoi aprire nuovi argomenti
Non puoi rispondere negli argomenti
Non puoi modificare i tuoi messaggi
Non puoi cancellare i tuoi messaggi
Non puoi inviare allegati

Cerca per:
Vai a: