Benvenuto Ospite

Forum Entomologi Italiani

www.entomologiitaliani.net/forum
 
Oggi è 21/11/2025, 15:38

Tutti gli orari sono UTC + 1 ora [ ora legale ]

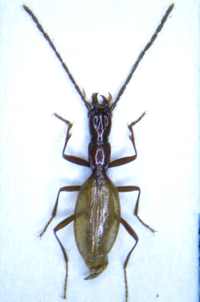
Orotrechus haraldi Daffner, 1990 - Carabidae

23.VI.2007 - AUSTRIA - EE, eisenkappel (K)


nuovo argomento
rispondi
Pagina 1 di 1 [ 7 messaggi ]
Autore Messaggio
MessaggioInviato: 21/03/2011, 21:43 
Avatar utente

Iscritto il: 14/03/2009, 15:34
Messaggi: 198
Località: Belluno
Nome: Andrea Fabbri
DSC_0557.jpg



Ho fatto delle prove con la macchina fotografica attaccata al trinoculare.
Chiedo consigli su come migliorare la messa a fuoco
Il trinoculare è un Optika SZM, la macchina è una Nikon D7000.

Il problema è che l'immagine non riesco a metterla a fuoco in modo migliore rispetto
a questa foto.

_________________
Andrea


Top
profilo
MessaggioInviato: 21/03/2011, 22:52 
Avatar utente

Iscritto il: 05/02/2009, 17:31
Messaggi: 9527
Località: milano
Nome: maurizio pavesi
ciao andrea

ti ho corretto il titolo, perché la parentesi non ci voleva

p.s. :sh: NON :p HO :p PAROLE :sh: !!!

_________________
*****************
Immagine maurizio


Top
profilo
MessaggioInviato: 22/03/2011, 4:48 
Avatar utente

Iscritto il: 19/09/2009, 22:25
Messaggi: 5913
Località: Brescia
Nome: Vinicio Salami
bella bestiola, ne ho una anche io... :ok: :ok:


Top
profilo
MessaggioInviato: 22/03/2011, 12:16 
Avatar utente

Iscritto il: 08/06/2009, 0:06
Messaggi: 3415
Località: Feltre(BL)
Nome: Nicola Dal Zotto
andreafabbri ha scritto:
DSC_0557.jpg


Ho fatto delle prove con la macchina fotografica attaccata al trinoculare.
Chiedo consigli su come migliorare la messa a fuoco
Il trinoculare è un Optika SZM, la macchina è una Nikon D7000.

Il problema è che l'immagine non riesco a metterla a fuoco in modo migliore rispetto
a questa foto.


Ciao Andrea!
Puoi darci qualche dettaglio in piu? Da dove effettui la messa a fuoco? Da quanti scatti è composta quest' immagine? Che programma usi per comporli?.
A vederla così sembra che sia un' singolo scatto fuori livello :oops:

_________________
Nicola Dal Zotto


Top
profilo
MessaggioInviato: 22/03/2011, 21:56 
Avatar utente

Iscritto il: 14/03/2009, 15:34
Messaggi: 198
Località: Belluno
Nome: Andrea Fabbri
In effetti si tratta di un unico scatto.

La messa a fuoco la faccio dal monitor della macchina ingrandendo l'immagine, visualizzando
la foto sul monitor sembra a fuoco e poi lo scatto viene così.

Le elitre (che sono piuttosto piatte) avrebbero dovuto essere a fuoco, questa è la migliore
di una serie di scatti fatti su più piani.

Qualche consiglio su cosa fare per migliorare?

Grazie

_________________
Andrea


Top
profilo
MessaggioInviato: 22/03/2011, 22:23 
Avatar utente

Iscritto il: 21/05/2009, 14:59
Messaggi: 6994
Località: Parigi
Nome: Riccardo Poloni
Ti cpnsiglierei, innanzi tutto, di dare un'occhiata qui: viewtopic.php?f=344&t=16369&hilit=combine :D :)

_________________
Riccardo Poloni
La dignità degli elementi
la libertà della poesia,
al di là dei tradimenti degli uomini
è magia, è magia, è magia...
Negrita, Rotolando verso sud


Top
profilo
MessaggioInviato: 22/03/2011, 22:52 
Avatar utente

Iscritto il: 14/03/2009, 15:34
Messaggi: 198
Località: Belluno
Nome: Andrea Fabbri
Grazie

adesso provo

_________________
Andrea


Top
profilo
Visualizza ultimi messaggi:  Ordina per  
nuovo argomento
rispondi
Pagina 1 di 1 [ 7 messaggi ]

Tutti gli orari sono UTC + 1 ora [ ora legale ]


Chi c’è in linea

Visitano il forum: Nessuno e 10 ospiti


Non puoi aprire nuovi argomenti
Non puoi rispondere negli argomenti
Non puoi modificare i tuoi messaggi
Non puoi cancellare i tuoi messaggi
Non puoi inviare allegati

Cerca per:
Vai a: