| Autore |
Messaggio |
|
Notoxus59
|
Inviato: 28/03/2011, 11:08 |
|
Iscritto il: 06/02/2009, 9:03 Messaggi: 6377 Località: Bubano di Mordano (Bologna)
Nome: Augusto Degiovanni
|
Dopo la fantastica cacciata di Sabato 26 con Maurizio (Gomphus), e vista la buona vena, più le condizioni ottimali, il giorno dopo, mi ero riproposto di andare a vagliare in cerca della Typhloreicheia mingazzinii, in una località in terra Toscana per pochissimi km, che avevo scoperto diversi anni fa. La località è il Colle di Canda (FI) 850m.
Il Monte di Canda da dove prende l' omonimo nome il Passo.
Con mia sorpresa ho trovato ancora chiazze di neve nei posti più esposti a Nord, oltre ad essercene anche lungo la strada.
Il luogo di ritrovamento
Il buchetto che ho fatto
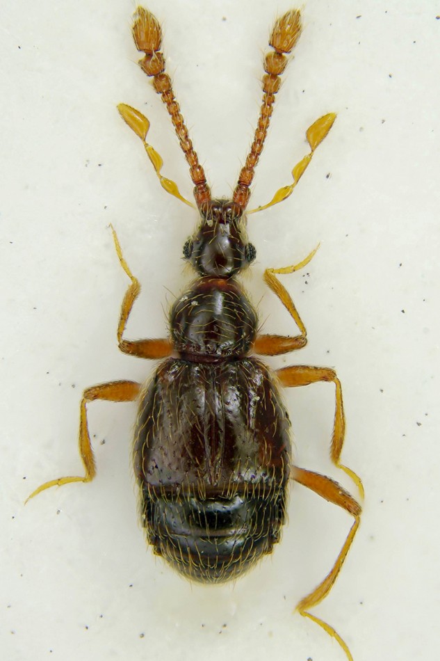
Queste condizioni mi hanno portato a catturare 6 esemplari di Typhloreicheia mingazzinii e anche con mia enorme sorpresa perchè inaspettata 2 esemplari di un Duvalius  che da subito avevo supposto fosse un Duvalius bianchi cycnus, presente in alcune grotte della zona distanti 4-5 km da questi reperti.
Typhloreicheia mingazzinii in natura 1
Typhloreicheia mingazzinii in natura 2
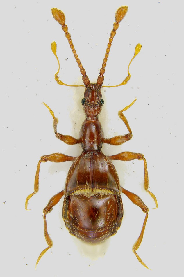
Giunto a casa invece ho appurato che i 2 esemplari un maschio e una femmina appartengono alla specie Duvalius jureceki maginianus (indubbiamente molto meglio  ) per cui sarebbe la seconda stazione di ritrovamento in ambiente endogeo della specie, la prima resta il Passo Sambuca (FI) che dista 20km in linea d'aria ma più a Est.
Duvalius jureceki maginianus in natura
Oltre alle succitate specie ho catturato anche vari esemplari di Anillus florentinus, una decina di esemplari tra Scydmaenidae e Pselafidae, per circa 6 specie. Per cui anche oggi non posso dire che mi sia andata male  . A giorni posterò le specie su cartellino. Scusate per le foto in natura per nulla belle, ma quando si trovano queste bestie di tempo per la messa a fuoco ce n'è veramente poco 
|
|
| Top |
|
 |
|
Loriscola
|
Inviato: 28/03/2011, 11:22 |
|
Iscritto il: 05/02/2009, 17:25 Messaggi: 4894 Località: Zola Predosa (BO)
Nome: Loris Colacurcio
|
 spettacolari !! Grazie mille anche per le foto dell'ambinete, utilissime per cercare di capire (ai profani come il sottoscritto) cosa devo cercare. In effetti se anche il sottobosco è simile, il terreno sottostante è tutt'altra cosa..... Complimenti anche per queste catture. Dai, fai le foto anche a uno o due pselafidi Una domanda, poi non ti tedio più: non hai fatto solo quel buchetto, vero ? Quanto terreno ti sei portato dietro ...e da quale profondità hai cominciato a conservarlo ? Grazie in anticipo e scusa ancora per la mia strabordante curiosità... 
_________________ Loris
|
|
| Top |
|
 |
|
Notoxus59
|
Inviato: 28/03/2011, 11:41 |
|
Iscritto il: 06/02/2009, 9:03 Messaggi: 6377 Località: Bubano di Mordano (Bologna)
Nome: Augusto Degiovanni
|
Loris di solito aspetto un paio di giorni per stendere il materiale, non so perchè ma si prepara molto ma molto meglio, quindi domani mattina li stendo e li fotografo. Non sono 2 specie gli Pselafidi, ma almeno 4 Il buchetto che vedi in pratica rende l'idea della profondità in cui sono stati rinvenuti gli esemplari di Duvalius, l'ho voluto fotografare perchè non mi è mai capitato di trovarli così superficialmente, sicuramente complice la neve sciolta nei giorni precedenti rendendo il terreno abbastanza zuppo d'acqua. Non ho insistito ad approfondire il buco primo, perchè come detto sopra pensavo fossero Duv. bianchi cycnus, per cui non mi interessavano molto, anzi per nulla, secondo, complice il terreno bagnato non si prestava alla vagliatura. Di terreno ne ho prelevato poco 3 sacchetti da Cagnotti (bigattini), noi usiamo quelli per contenere la vagliatura, sono robusti non esce nulla e sono praticissimi, per cui a buon intenditor.... Questa volta complice il terreno molto bagnato ho dovuto ripiegare su zone un po più elevate (solitamente vaglio come vedi nei pianetti), e sotto a grossi massi prelevando terra fino a circa 15-20 cm.
|
|
| Top |
|
 |
|
Maurizio Bollino
|
Inviato: 28/03/2011, 11:52 |
|
Iscritto il: 25/11/2009, 9:31 Messaggi: 8157 Località: Lecce
Nome: Maurizio Bollino
|
Notoxus59 ha scritto: aspetto un paio di giorni per stendere il materiale, non so perchè ma si prepara molto ma molto meglio Suppongo sia così perchè passa la fase del rigor mortis.
_________________ Maurizio Bollino
|
|
| Top |
|
 |
|
Notoxus59
|
Inviato: 28/03/2011, 11:59 |
|
Iscritto il: 06/02/2009, 9:03 Messaggi: 6377 Località: Bubano di Mordano (Bologna)
Nome: Augusto Degiovanni
|
Maurizio Bollino ha scritto: Notoxus59 ha scritto: aspetto un paio di giorni per stendere il materiale, non so perchè ma si prepara molto ma molto meglio Suppongo sia così perchè passa la fase del rigor mortis. Potrebbe essere 
|
|
| Top |
|
 |
|
Loriscola
|
Inviato: 28/03/2011, 12:13 |
|
Iscritto il: 05/02/2009, 17:25 Messaggi: 4894 Località: Zola Predosa (BO)
Nome: Loris Colacurcio
|
Grazie mille per le spiegazioni. Di terreno ne hai preso davvero poco  dipenderà dall'occhio  . Solo per fare un esempio io sabato ho prelevato 4 sporte della coop piene, non meno di 30-35 kg ti terreno da lavare  ...e tutto per una 40ina di Anillus una Ferreira ed un paio di Bryaxis. Avevo raccolto anche un carabide più grandino (scuro...forse uno Stomis), ma l'ho tagliato a mezzo con la pala Proverò a rivedere i miei metodi 
_________________ Loris
|
|
| Top |
|
 |
|
eurinomio
|
Inviato: 28/03/2011, 14:16 |
|
Iscritto il: 19/09/2009, 22:25 Messaggi: 5912 Località: Brescia
Nome: Vinicio Salami
|
Notoxus59 ha scritto: quello che hai scritto non è del tutto corretto...dovevi specificare "come al solito"... dovresti deciderti ad iniziare a giocare a carte... 
|
|
| Top |
|
 |
|
Notoxus59
|
Inviato: 28/03/2011, 15:24 |
|
Iscritto il: 06/02/2009, 9:03 Messaggi: 6377 Località: Bubano di Mordano (Bologna)
Nome: Augusto Degiovanni
|
Cita: Solo per fare un esempio io sabato ho prelevato 4 sporte della coop piene, non meno di 30-35 kg ti terreno da lavare Heeeeeeee, in macchina con me non vieni se ti porti così tanta roba Pensa se tu dovessi venire con noi quando andiamo in Sardegna o in Sicilia, una macchina solo per te non basterebbe P.S. Ma tu, usi i vagli Ceki Cita: dovresti deciderti ad iniziare a giocare a carte... Vinicio, pensa te che ho smesso perchè c'è solo da incazzarsi  .
|
|
| Top |
|
 |
|
Loriscola
|
Inviato: 28/03/2011, 15:31 |
|
Iscritto il: 05/02/2009, 17:25 Messaggi: 4894 Località: Zola Predosa (BO)
Nome: Loris Colacurcio
|
Te l'ho detto che devo fare l'occhio anche io ....poi mi basterà un cucchiaino di terra.... come capita a te 
_________________ Loris
|
|
| Top |
|
 |
|
eurinomio
|
Inviato: 28/03/2011, 20:22 |
|
Iscritto il: 19/09/2009, 22:25 Messaggi: 5912 Località: Brescia
Nome: Vinicio Salami
|
Notoxus59 ha scritto: ...Vinicio, pensa te che ho smesso perchè c'è solo da incazzarsi  . io invece sarei pronto ad assumerti in pianta stabile...avresti pot-odds del 99%...solo Gastone (Walt Disney) ci arriva. 
|
|
| Top |
|
 |
|
gomphus
|
Inviato: 28/03/2011, 22:22 |
|
Iscritto il: 05/02/2009, 17:31 Messaggi: 9527 Località: milano
Nome: maurizio pavesi
|
ciao loris Loriscola ha scritto: ...e tutto per una 40ina di Anillus ... Loriscola ha scritto: ... Avevo raccolto anche un carabide più grandino (scuro...forse uno Stomis), ma l'ho tagliato a mezzo con la pala  ... 
_________________ ***************** maurizio
|
|
| Top |
|
 |
|
Notoxus59
|
Inviato: 29/03/2011, 13:13 |
|
Iscritto il: 06/02/2009, 9:03 Messaggi: 6377 Località: Bubano di Mordano (Bologna)
Nome: Augusto Degiovanni
|
Ecco le immagini. Lunghezza: 9,5mm
Vulda o Lathrobium ?
Lunghezza: 1,87mm
Scidmaenidae
Lunghezza: 1,05mm
Pselafidae 1
Lunghezza: 1,6mm
Pselafidae 2
Lunghezza: 1,38mm
Pselafidae 3 lunghe setole
Lunghezza: 1,32mm
Pselafidae 4
manca ancora uno pselafidae che è caduto questa mattina, aveva perso il treno 
|
|
| Top |
|
 |
|
Loriscola
|
Inviato: 29/03/2011, 13:45 |
|
Iscritto il: 05/02/2009, 17:25 Messaggi: 4894 Località: Zola Predosa (BO)
Nome: Loris Colacurcio
|
Wow, che ricco carniere !! Parlo per primo così posso compromettermi ben benino....aspettiamo poi le mazzate dei veri esperti Il primo scommetterei per Vulda i Lathrobium me li ricordavo "meno specializzati" Il secondo è del genere Euconnus Il terzo è un Bythinus (credo), forse il reichenbachi Il quarto dovrebbe essere uno Pselahus heisei parvus (per sicurezza è meglio guardargli la testa di lato) Il quinto ed il sesto dovrebbero invece apartenere algenere Tychus o qualcosa lì vicino. Comunque sia, bravo !!
_________________ Loris
|
|
| Top |
|
 |
|
Velvet Ant
|
Inviato: 29/03/2011, 14:15 |
|
| Amministratore |
 |
Iscritto il: 02/02/2009, 23:30 Messaggi: 7105 Località: Capaci (Pa)
Nome: Marcello Romano
|
Ciao Augusto Bellissime foto e splendidi soggetti Vale proprio la pena che tu li riproponga, uno ad uno, nella sezione sistematica, per tentarne una determinazione più accurata 
_________________ Marcello Romano
|
|
| Top |
|
 |
|
Notoxus59
|
Inviato: 29/03/2011, 14:19 |
|
Iscritto il: 06/02/2009, 9:03 Messaggi: 6377 Località: Bubano di Mordano (Bologna)
Nome: Augusto Degiovanni
|
Ok Marcello provvedo subito Grazie 
|
|
| Top |
|
 |
|