Benvenuto Ospite

Forum Entomologi Italiani

www.entomologiitaliani.net/forum
 
Oggi è 24/11/2025, 6:21

Tutti gli orari sono UTC + 1 ora [ ora legale ]

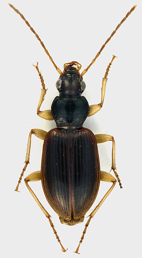
Paranchus albipes (Fabricius, 1796) - Platyninae, Platynini

17.III.2011 - ITALIA - Lazio - RM, Lido di Maccarese


nuovo argomento
rispondi
Pagina 1 di 1 [ 8 messaggi ]
Autore Messaggio
MessaggioInviato: 01/04/2011, 19:51 
Avatar utente

Iscritto il: 30/12/2009, 22:20
Messaggi: 31564
Località: Roma
Nome: Maurizio Gigli
Qualche esemplare di questo Carabidae stava sotto detriti spiaggiati presso la foce di un fosso.

Lazio, Roma, Lido di Maccarese, 17.III.2011, M. Gigli legit

7,5 mm
Carabidae_Maccarese_17-III-2011_7,5mm.jpg



Dopo aver scattato le foto mi sono accorto di aver fotografato proprio l'esemplare monco!

_________________
Maurizio Gigli
http://utenti.romascuola.net/bups
http://bup.xoom.it/


Top
profilo
 Oggetto del messaggio: Re: Carabidae psammicolo - Lazio
MessaggioInviato: 01/04/2011, 19:57 
Avatar utente

Iscritto il: 06/02/2009, 9:07
Messaggi: 1486
Località: Val Camonica (BS)
Nome: Davide Pedersoli
Paranchus albipes credo, se si chiama ancora così :roll:

_________________
Pedux Camuno


Top
profilo
 Oggetto del messaggio: Re: Carabidae psammicolo - Lazio
MessaggioInviato: 01/04/2011, 19:57 
Avatar utente

Iscritto il: 05/02/2009, 17:47
Messaggi: 7252
Località: Cagliari
Nome: Piero Leo
Paranchus albipes (Fabricius, 1796) - Platyninae, Platynini

:) Ciao
Piero


Top
profilo
 Oggetto del messaggio: Re: Carabidae psammicolo - Lazio
MessaggioInviato: 02/04/2011, 3:22 
Avatar utente

Iscritto il: 19/09/2009, 22:25
Messaggi: 5913
Località: Brescia
Nome: Vinicio Salami
Tenebrio ha scritto:
Paranchus albipes (Fabricius, 1796) - Platyninae, Platynini

:) Ciao
Piero


grazie. :ok: :ok:


Top
profilo
MessaggioInviato: 02/04/2011, 6:56 
Avatar utente

Iscritto il: 30/12/2009, 22:20
Messaggi: 31564
Località: Roma
Nome: Maurizio Gigli
Grazie a tutti per l'dentificazione.

Una domanda per voi carabidologi: questa specie, e qualche altro Carabidae che devo ancora preparare, le ho trovate su una lingua di sabbia tra il mare, un fosso e una specie di piccola palude costiera salmastra, fortemente antropizzata.
Si tratta di una specie ad ampia valenza ecologica o è caratteristica di ambienti di questo tipo? Dagli altri reperti sul Forum, mi pare che viva lungo i litorali sabbiosi e sulle sponde dei fiumi.

_________________
Maurizio Gigli
http://utenti.romascuola.net/bups
http://bup.xoom.it/


Top
profilo
MessaggioInviato: 02/04/2011, 8:58 
Avatar utente

Iscritto il: 06/02/2009, 9:07
Messaggi: 1486
Località: Val Camonica (BS)
Nome: Davide Pedersoli
questa specie se non sbaglio è pure citata come troglofila, anche se al momento la fonte non la ricordo :roll:

_________________
Pedux Camuno


Top
profilo
MessaggioInviato: 02/04/2011, 9:07 
Avatar utente

Iscritto il: 05/02/2009, 17:47
Messaggi: 7252
Località: Cagliari
Nome: Piero Leo
:) Ciao.
In base alle mie esperienze in Sardegna, Paranchus albipes è un ripicolo con valenza ecologica abbastanza ampia; è presente dal livello del mare alle zone montane del Gennargentu, fin quasi in cima, sia su greti sabbiosi, ghiaiosi o ciottolosi. In Marocco l'ho raccolto anche sull'Alto Atlante (Toubkal) a quasi 3000 metri di quota (ammesso che sia realmente la stessa specie, perché qualcosa non mi quadra).
Mi pare comunque che preferisca acque correnti e ossigenate, quindi la palude costiera salmastra in cui l'hai trovato non sembrerebbe proprio il suo ambiente d'elezione. Forse esemplari fluitati da stazioni più consone alla specie?

:) Ciao
Piero


Top
profilo
MessaggioInviato: 02/04/2011, 16:52 
Avatar utente

Iscritto il: 01/11/2010, 21:21
Messaggi: 2110
Località: Brescia
Nome: Mario Grottolo
Nelle mie zone è ampiamente diffuso vicino ai ruscelletti; per quanto riguarda le grotte l'ho trovato solo all'ingresso.
Ciao :hi:
Mario


Top
profilo
Visualizza ultimi messaggi:  Ordina per  
nuovo argomento
rispondi
Pagina 1 di 1 [ 8 messaggi ]

Tutti gli orari sono UTC + 1 ora [ ora legale ]


Chi c’è in linea

Visitano il forum: Nessuno e 8 ospiti


Non puoi aprire nuovi argomenti
Non puoi rispondere negli argomenti
Non puoi modificare i tuoi messaggi
Non puoi cancellare i tuoi messaggi
Non puoi inviare allegati

Cerca per:
Vai a:  
cron