Benvenuto Ospite

Forum Entomologi Italiani

www.entomologiitaliani.net/forum
 
Oggi è 30/03/2026, 17:35

Tutti gli orari sono UTC + 1 ora [ ora legale ]

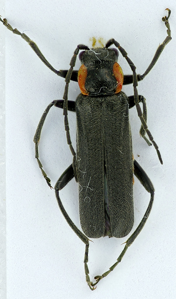
Cantharis (Cantharis) obscura Linnaeus, 1758

6.IV.2011 - ITALIA - Toscana - FI, Dicomano, pressi loc. Borghetto. m.430


nuovo argomento
rispondi
Pagina 1 di 1 [ 5 messaggi ]
Autore Messaggio
MessaggioInviato: 10/04/2011, 21:02 
Avatar utente

Iscritto il: 21/05/2010, 23:05
Messaggi: 2984
Località: San Godenzo (FI)
Nome: Carlo Massarone
Credo sia un Oedemeridae.

IT - TOSCANA m. 430
Dicomano (FI) - pressi loc. Borghetto
N. 43°54'02.6" E.11°32'22.2"
06.IV.2011 C. Massarone leg.

lungh. mm. 9 circa
Oedemeridae.jpg


_________________
Carlo Massarone


Top
profilo
 Oggetto del messaggio: Re: Oedemeride
MessaggioInviato: 10/04/2011, 22:07 
 

Iscritto il: 18/10/2009, 17:10
Messaggi: 1341
Località: Czech Republic
Nome: Petr Kresl
Cantharidae, probably genus Cantharis

_________________
Ciao Petr


Top
profilo
 Oggetto del messaggio: Re: Oedemeride
MessaggioInviato: 10/04/2011, 22:12 
Avatar utente

Iscritto il: 21/05/2010, 23:05
Messaggi: 2984
Località: San Godenzo (FI)
Nome: Carlo Massarone
Thank You, Petr. :birra:

_________________
Carlo Massarone


Top
profilo
 Oggetto del messaggio: Re: Oedemeride
MessaggioInviato: 11/04/2011, 8:54 
 
Cantharis obscura :hi:

semplice appassionato
Fabrizio


Top
 Oggetto del messaggio: Re: Oedemeride
MessaggioInviato: 11/04/2011, 13:32 
Avatar utente

Iscritto il: 21/05/2010, 23:05
Messaggi: 2984
Località: San Godenzo (FI)
Nome: Carlo Massarone
Grazie Fabrizio.
:birra:

_________________
Carlo Massarone


Top
profilo
Visualizza ultimi messaggi:  Ordina per  
nuovo argomento
rispondi
Pagina 1 di 1 [ 5 messaggi ]

Tutti gli orari sono UTC + 1 ora [ ora legale ]


Chi c’è in linea

Visitano il forum: Nessuno e 1 ospite


Non puoi aprire nuovi argomenti
Non puoi rispondere negli argomenti
Non puoi modificare i tuoi messaggi
Non puoi cancellare i tuoi messaggi
Non puoi inviare allegati

Cerca per:
Vai a: