Benvenuto Ospite

Forum Entomologi Italiani

www.entomologiitaliani.net/forum
 
Oggi è 30/03/2026, 12:19

Tutti gli orari sono UTC + 1 ora [ ora legale ]

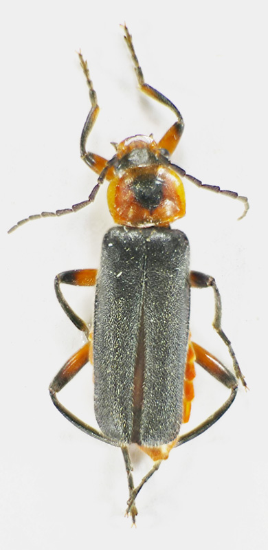
Cantharis rustica Fallén, 1807 - Cantharidae

21.IV.2011 - ITALIA - Umbria - PG, Magione circa 560 m slm


nuovo argomento
rispondi
Pagina 1 di 1 [ 5 messaggi ]
Autore Messaggio
MessaggioInviato: 23/04/2011, 19:01 
 

Iscritto il: 02/02/2011, 11:51
Messaggi: 275
Località: Magione (PG)
Nome: ilio rocchi
trovati alcuni esemplari su foglie di ciliegio e su erbacee

12 mm
out_998 r.jpg


out_993 r.jpg


_________________
_____________________
ilio rocchi


Ultima modifica di ilio il 24/04/2011, 23:43, modificato 1 volta in totale.

Top
profilo
 Oggetto del messaggio: Re: coleottero da determinare
MessaggioInviato: 23/04/2011, 19:07 
Avatar utente

Iscritto il: 09/06/2009, 13:19
Messaggi: 1229
Località: Modena
Nome: Omar Pacchioni
ah ma allora è un incubo!!! ahahah Non per te ilio, ma per questa bestia .... ehhehe
Tuttoggi a ombrellare alberi, falciare prati in cerca di cerambicidi e capitavano solo di questi!
E' un coleottero della famiglia dei cantaridae .... probabilmente Cantharis fusca.
Evidentemnete sta farfallando a numeri veramente consistenti in questi giorni! Qui a Modena e provincia di Reggio Emilia i biancospini ospitano solamente queste bestiole! :)
ciao ciao

_________________
..OOOO.......OOO.....OO......OOO......OOOO
OO.....OO....OO..O.O..O....OO....O....OO....O
OO.....OO....OO....O...O....OOOOO....OOOO
..OOOO.......OO.........O....OO....O....OO....O


Top
profilo
 Oggetto del messaggio: Re: coleottero da determinare
MessaggioInviato: 23/04/2011, 19:30 
 

Iscritto il: 02/02/2011, 11:51
Messaggi: 275
Località: Magione (PG)
Nome: ilio rocchi
effettivamente anche qui si trova praticamente ovunque
:hi:

_________________
_____________________
ilio rocchi


Top
profilo
 Oggetto del messaggio: Re: coleottero da determinare
MessaggioInviato: 23/04/2011, 19:37 
 
no si tratta diCantharis rustica

semplice appassionato
Fabrizio


Top
MessaggioInviato: 26/04/2014, 22:19 
Avatar utente

Iscritto il: 05/02/2009, 17:34
Messaggi: 894
Località: Sondrio - Lombardia - Italia
Nome: Paride Dioli
al moderatore della sezione:
Fallén 1807 va tolto dalle parentesi perché il genere Cantharis esisteva già da 50 anni e nella descrizione originale viene riportato dallo stesso autore.
:hi:

_________________
Link: https://www.ndsu.edu/pubweb/~rider/Pentatomoidea/Researchers/Dioli_Paride.htm
Papers in PDF format: https://www.researchgate.net/profile/Paride_Dioli/?ev=hdr_xprf/


Top
profilo
Visualizza ultimi messaggi:  Ordina per  
nuovo argomento
rispondi
Pagina 1 di 1 [ 5 messaggi ]

Tutti gli orari sono UTC + 1 ora [ ora legale ]


Chi c’è in linea

Visitano il forum: Nessuno e 0 ospiti


Non puoi aprire nuovi argomenti
Non puoi rispondere negli argomenti
Non puoi modificare i tuoi messaggi
Non puoi cancellare i tuoi messaggi
Non puoi inviare allegati

Cerca per:
Vai a: