Benvenuto Ospite

Forum Entomologi Italiani

www.entomologiitaliani.net/forum
 
Oggi è 28/05/2026, 21:43

Tutti gli orari sono UTC + 1 ora [ ora legale ]

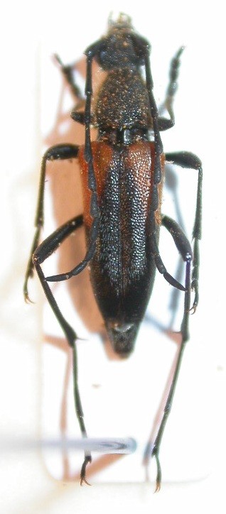
Anastrangalia montana montana Mulsant & Rey, 1863 - Cerambycidae

21.V.2011 - TURCHIA - EE, 5 km W Çamyuva 36.547 N, 30.505 E, leg. R. Rattu


nuovo argomento
rispondi
Pagina 1 di 1 [ 10 messaggi ]
Autore Messaggio
MessaggioInviato: 19/06/2011, 9:22 
Avatar utente

Iscritto il: 02/09/2009, 20:57
Messaggi: 8703
Località: Cagliari
Nome: Roberto Rattu
Su fiori di cisto rosa abbiamo raccolto alcuni cerambicidi tra cui questo, lungo circa 11 mm:
DSCN8002.JPG



Top
profilo
 Oggetto del messaggio: Re: Cerambycidae da id.
MessaggioInviato: 19/06/2011, 12:03 
Avatar utente

Iscritto il: 05/09/2009, 7:56
Messaggi: 3445
Località: Cesena
Nome: Gianfranco Sama
Anastrangalia montana montana Mulsant & Rey, 1863
Roberto che in che provincia è Çamyuva ?

_________________
Gianfranco Sama

"Benedetto colui che ti aiuta a correggere i tuoi errori invece di scagliarteli contro"
___________________________________
Gershom Sholem


Top
profilo
 Oggetto del messaggio: Re: Cerambycidae da id.
MessaggioInviato: 19/06/2011, 12:34 
Avatar utente

Iscritto il: 02/09/2009, 20:57
Messaggi: 8703
Località: Cagliari
Nome: Roberto Rattu
Grazie Gianfranco; si trova nella provincia di Antalya!

:hi:


Top
profilo
MessaggioInviato: 19/06/2011, 19:30 
Avatar utente

Iscritto il: 21/05/2009, 14:59
Messaggi: 6996
Località: Parigi
Nome: Riccardo Poloni
WOW, questa si che è bella :hp: :hp: :birra: :birra:

_________________
Riccardo Poloni
La dignità degli elementi
la libertà della poesia,
al di là dei tradimenti degli uomini
è magia, è magia, è magia...
Negrita, Rotolando verso sud


Top
profilo
MessaggioInviato: 19/06/2011, 19:55 
Avatar utente

Iscritto il: 02/09/2009, 20:57
Messaggi: 8703
Località: Cagliari
Nome: Roberto Rattu
Plagionotus ha scritto:
WOW, questa si che è bella :hp: :hp: :birra: :birra:


Grazie Ric :D : credo si tratti di un maschio ed è specie diffusa a Creta, in Turchia e Siria: confermi?


Top
profilo
MessaggioInviato: 19/06/2011, 20:48 
Avatar utente

Iscritto il: 21/05/2009, 14:59
Messaggi: 6996
Località: Parigi
Nome: Riccardo Poloni
Uppa se confermo :mrgreen: :mrgreen:

_________________
Riccardo Poloni
La dignità degli elementi
la libertà della poesia,
al di là dei tradimenti degli uomini
è magia, è magia, è magia...
Negrita, Rotolando verso sud


Top
profilo
MessaggioInviato: 19/06/2011, 20:53 
Avatar utente

Iscritto il: 05/09/2009, 7:56
Messaggi: 3445
Località: Cesena
Nome: Gianfranco Sama
Plagionotus ha scritto:
Uppa se confermo :mrgreen: :mrgreen:

Piano a confermare, ia Creta c'è la ssp. steineri :mrgreen:

_________________
Gianfranco Sama

"Benedetto colui che ti aiuta a correggere i tuoi errori invece di scagliarteli contro"
___________________________________
Gershom Sholem


Top
profilo
MessaggioInviato: 19/06/2011, 20:57 
Avatar utente

Iscritto il: 21/05/2009, 14:59
Messaggi: 6996
Località: Parigi
Nome: Riccardo Poloni
Ma la specie è la stessa!! :gh: :gh:

P.s. quell'uppa da dove è scappato fuori??

_________________
Riccardo Poloni
La dignità degli elementi
la libertà della poesia,
al di là dei tradimenti degli uomini
è magia, è magia, è magia...
Negrita, Rotolando verso sud


Top
profilo
MessaggioInviato: 07/02/2013, 10:28 
 
Hi all entomology, I would like to ask what is the difference between the species A. montana ssp. montana and A. montana ssp. steineri?


Top
MessaggioInviato: 27/12/2014, 10:22 
Avatar utente

Iscritto il: 26/03/2010, 14:55
Messaggi: 5993
Località: Romania
Nome: Cosmin-Ovidiu Manci
Giannis ha scritto:
Hi all entomology, I would like to ask what is the difference between the species A. montana ssp. montana and A. montana ssp. steineri?


Giannis ... you can find this information here.
Looking at this species now and found this old topic :)

:hi:

_________________
Cosmin-Ovidiu Manci
**********************
cosmln's place - my blog
just insects
Dragonflies of Romania


Top
profilo
Visualizza ultimi messaggi:  Ordina per  
nuovo argomento
rispondi
Pagina 1 di 1 [ 10 messaggi ]

Tutti gli orari sono UTC + 1 ora [ ora legale ]


Chi c’è in linea

Visitano il forum: Nessuno e 1 ospite


Non puoi aprire nuovi argomenti
Non puoi rispondere negli argomenti
Non puoi modificare i tuoi messaggi
Non puoi cancellare i tuoi messaggi
Non puoi inviare allegati

Cerca per:
Vai a:  
cron