Benvenuto Ospite

Forum Entomologi Italiani

www.entomologiitaliani.net/forum
 
Oggi è 30/04/2026, 17:31

Tutti gli orari sono UTC + 1 ora [ ora legale ]

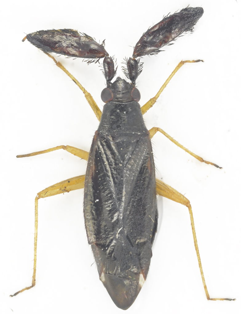
Heterotoma sp. - Miridae

4.VI.2011 - GRECIA - EE, Kalogria (Achaia)


nuovo argomento
rispondi
Pagina 1 di 1 [ 2 messaggi ]
Autore Messaggio
 Oggetto del messaggio: Heterotoma sp. - Miridae
MessaggioInviato: 26/06/2011, 23:50 
Avatar utente

Iscritto il: 25/11/2009, 9:31
Messaggi: 8159
Località: Lecce
Nome: Maurizio Bollino
Un titolo alla "Marco Paglialunga" per un eterottero che, almeno per me, è fuori dai canoni. Raccolto ombrellando lentisco.

Dimensioni: 4 mm (senza antenne)

Hetero-Kalogria.jpg


_________________
Maurizio Bollino


Top
profilo
 Oggetto del messaggio: Re: Hetero ..... Paussidae? - Grecia
MessaggioInviato: 27/06/2011, 0:08 
Amministratore
Avatar utente

Iscritto il: 02/02/2009, 23:30
Messaggi: 7107
Località: Capaci (Pa)
Nome: Marcello Romano
Dovrebbe trattarsi di un Miridae del genere Heterotoma.

_________________
:hi: Marcello Romano


Top
profilo
Visualizza ultimi messaggi:  Ordina per  
nuovo argomento
rispondi
Pagina 1 di 1 [ 2 messaggi ]

Tutti gli orari sono UTC + 1 ora [ ora legale ]


Chi c’è in linea

Visitano il forum: Nessuno e 0 ospiti


Non puoi aprire nuovi argomenti
Non puoi rispondere negli argomenti
Non puoi modificare i tuoi messaggi
Non puoi cancellare i tuoi messaggi
Non puoi inviare allegati

Cerca per:
Vai a: