Benvenuto Ospite

Forum Entomologi Italiani

www.entomologiitaliani.net/forum
 
Oggi è 24/01/2026, 19:59

Tutti gli orari sono UTC + 1 ora [ ora legale ]

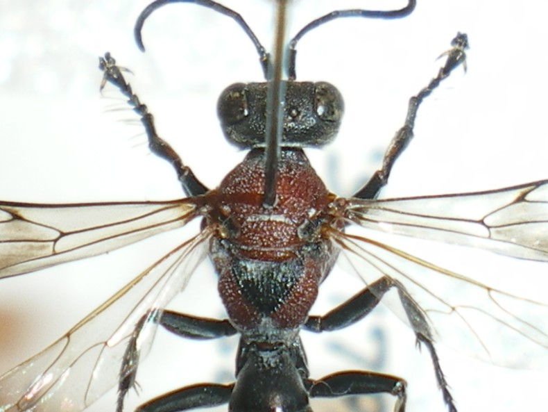
Oryttus concinnus (Rossi, 1790) - Crabronidae

30.VI.2011 - ITALIA - Marche - AN, Ancona


nuovo argomento
rispondi
Pagina 1 di 1 [ 3 messaggi ]
Autore Messaggio
MessaggioInviato: 05/07/2011, 14:52 
Avatar utente

Iscritto il: 10/05/2009, 15:30
Messaggi: 7182
Località: Ancona
Nome: Giacomo Giovagnoli
Questa meraviglia l'ho trovata morta sulle scale il 30-VI-2011.

Chi è? :roll:

Dimensioni: 10mm
IMGP1941.jpg


IMGP1942.jpg


IMGP1943.jpg


IMGP1946.jpg


IMGP1947.jpg


IMGP1951.jpg


IMGP1950.jpg


IMGP1953.jpg


IMGP1952.jpg



Ciao :)

_________________
Immagine Giacomo


Top
profilo
 Oggetto del messaggio: Re: Bell'imenottero da ID
MessaggioInviato: 05/07/2011, 15:32 
Avatar utente

Iscritto il: 05/02/2009, 17:31
Messaggi: 9527
Località: milano
Nome: maurizio pavesi
wow giacomo :sma: , è una bestiola tutt'altro che comune

Oryttus concinnus (Rossi, 1790) (Sphecidae)

_________________
*****************
Immagine maurizio


Top
profilo
MessaggioInviato: 05/07/2011, 16:07 
Avatar utente

Iscritto il: 10/05/2009, 15:30
Messaggi: 7182
Località: Ancona
Nome: Giacomo Giovagnoli
:birra:

Un pò ci speravo, perchè i sembrava inusuale!!! :D :D :D

_________________
Immagine Giacomo


Top
profilo
Visualizza ultimi messaggi:  Ordina per  
nuovo argomento
rispondi
Pagina 1 di 1 [ 3 messaggi ]

Tutti gli orari sono UTC + 1 ora [ ora legale ]


Chi c’è in linea

Visitano il forum: Nessuno e 0 ospiti


Non puoi aprire nuovi argomenti
Non puoi rispondere negli argomenti
Non puoi modificare i tuoi messaggi
Non puoi cancellare i tuoi messaggi
Non puoi inviare allegati

Cerca per:
Vai a: