| Autore |
Messaggio |
|
Maurizio Bollino
|
Inviato: 14/08/2011, 22:36 |
|
Iscritto il: 25/11/2009, 9:31 Messaggi: 8157 Località: Lecce
Nome: Maurizio Bollino
|
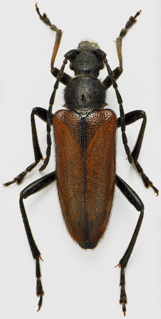
Raccolti alcuni esemplari su Centaurea. Dimensioni: 11 mm
_________________ Maurizio Bollino
|
|
| Top |
|
 |
|
zdeno
|
Inviato: 14/08/2011, 23:19 |
|
Iscritto il: 16/05/2010, 14:26 Messaggi: 761 Località: United Kingdom
Nome: Zdenko Lucbauer
|
finaly my friend !  Anyway, Pierpaolo has got them from me, so juts wait for his reply. 
|
|
| Top |
|
 |
|
Maurizio Bollino
|
Inviato: 14/08/2011, 23:22 |
|
Iscritto il: 25/11/2009, 9:31 Messaggi: 8157 Località: Lecce
Nome: Maurizio Bollino
|
zdeno ha scritto: finaly my friend !  Anyway, Pierpaolo has got them from me, so juts wait for his reply.  And I will wait for his opinion ....... 
_________________ Maurizio Bollino
|
|
| Top |
|
 |
|
Maurizio Bollino
|
Inviato: 15/08/2011, 11:48 |
|
Iscritto il: 25/11/2009, 9:31 Messaggi: 8157 Località: Lecce
Nome: Maurizio Bollino
|
|
Visto che Gianfranco circola sul Forum, spero che mi possa illuminare su questo.
_________________ Maurizio Bollino
|
|
| Top |
|
 |
|
Isotomus
|
Inviato: 15/08/2011, 12:36 |
|
Iscritto il: 05/09/2009, 7:56 Messaggi: 3445 Località: Cesena
Nome: Gianfranco Sama
|
|
Ciao Maurizio, ma visto che Pierpaolo è stato interessato volevo lasciare a lui la parola, dopo avere esaminato gli esemplari. Comunque mi sa tanto di Cortodera steineri. Ci sono anche esemplari neri ?
_________________ Gianfranco Sama
"Benedetto colui che ti aiuta a correggere i tuoi errori invece di scagliarteli contro" ___________________________________ Gershom Sholem
|
|
| Top |
|
 |
|
zdeno
|
Inviato: 15/08/2011, 12:55 |
|
Iscritto il: 16/05/2010, 14:26 Messaggi: 761 Località: United Kingdom
Nome: Zdenko Lucbauer
|
Isotomus ha scritto: Ci sono anche esemplari neri ? sì Gianfranco. Males and females as well.
|
|
| Top |
|
 |
|
Xylosteus
|
Inviato: 17/08/2011, 14:43 |
|
Iscritto il: 13/09/2009, 18:04 Messaggi: 881
Nome: Pierpaolo Rapuzzi
|
|
Scusate il ritardo.... confermo Cortodera steineri Sama, 1997 come gli esemplari che mi ha inviato Zdeno Pierpaolo
|
|
| Top |
|
 |
|
Maurizio Bollino
|
Inviato: 17/08/2011, 15:11 |
|
Iscritto il: 25/11/2009, 9:31 Messaggi: 8157 Località: Lecce
Nome: Maurizio Bollino
|
Grazie Pierpaolo. 
_________________ Maurizio Bollino
|
|
| Top |
|
 |
|
zdeno
|
Inviato: 17/08/2011, 15:59 |
|
Iscritto il: 16/05/2010, 14:26 Messaggi: 761 Località: United Kingdom
Nome: Zdenko Lucbauer
|
Interesting Pierpaolo ! What about those black specimens ? I havent seen black steineri from Peloponnese. Is that any local form ? Here were collected in ratio 50-50%. Thanks for confirmation, Mr. Xylosteus ! 
|
|
| Top |
|
 |
|
Xylosteus
|
Inviato: 17/08/2011, 16:58 |
|
Iscritto il: 13/09/2009, 18:04 Messaggi: 881
Nome: Pierpaolo Rapuzzi
|
|
Hi Zdeno, according the black specimens that you collected in continental Greece in my opinion they belong to steineri. The color of the different population can be different, for example we (Gianfranco and me) collected many specimens of Cortodera cfr umbripennis in eastern Turkey in different places and in different years. In some places we found only black specimens, in other places black and yellow together and so on. It is impossible that they are different animals but it is sure that they show local forms in quite any place. Ciao Pierpaolo
|
|
| Top |
|
 |
|
Isotomus
|
Inviato: 17/08/2011, 17:33 |
|
Iscritto il: 05/09/2009, 7:56 Messaggi: 3445 Località: Cesena
Nome: Gianfranco Sama
|
|
Hi Zdeno, I can confirm that the type series of C. steineri contains both reddish and black specimens. These dimorphic phenotypes are very common in Cortodera: you can find black and reddish specimens (often in the same locality and on the same flowers) in many species: C. discolor Fairmaire (whose reddish form was described under the name C. discolor “Var. b - elytris obscure rufis” and later named by Pic C. discolor var. differens “J'ai donné le nom differens aux individus à élytres d'un rouge acajou, indiqués brièvement par Fairmaire et qui ne me paraissent pas différer specifiquement de la race representant la forme type), or also in C. kochi Pic, 1935, C. cirsii Holzschuh, 1975, C. umbripennis, Reitter, 1890, C. colchica, Reitter 1890, ecc. I also have specimens of C. steineri from continental Greece: Konitza: Tymphi, Drakolimni (unpublished data). Furthermore, the occurrence of closely related species in NE Greece have recently been showed in our Forum by our friend Cosmin Manci, published from Romania (under the wrong name C. differens Pic) by Magda Dascalu, and mentioned from Bulgaria by M. Rejzek. All these populations need verification.
_________________ Gianfranco Sama
"Benedetto colui che ti aiuta a correggere i tuoi errori invece di scagliarteli contro" ___________________________________ Gershom Sholem
|
|
| Top |
|
 |
|
zdeno
|
Inviato: 17/08/2011, 18:09 |
|
Iscritto il: 16/05/2010, 14:26 Messaggi: 761 Località: United Kingdom
Nome: Zdenko Lucbauer
|
ooohhhh I didnt know that ! Thanks for the explanation, gentlemans !!! Gianfranco, I have carefully translated that discusion about discolor/differens/steineri. I`m more or less clear on that. I just never heard about black steineri. Ok, once again, thanks ! 1 more labelled species from this year trips 
|
|
| Top |
|
 |
|
Phytoecia
|
Inviato: 01/04/2012, 10:43 |
|
Iscritto il: 28/07/2010, 11:11 Messaggi: 235 Località: Poland
Nome: Jacek Kurzawa
|
Hi, I enclose some species of Cortodera with black and yellow coloured elytra. First C.steineri Sama, 1997 (Greece) C.cirsii Holzschuh, 1975 (TR, Hasanbeyli) 1:1 Cortodera syriaca Pic (TR, Nemrut Dagi) - black specimens are rare, ca. 1:6 Cortodera omophloides Holzschuh, 1975 (TR, Aydinlar) - black form is very rare ca 1:100
|
|
| Top |
|
 |
|