Benvenuto Ospite

Forum Entomologi Italiani

www.entomologiitaliani.net/forum
 
Oggi è 16/01/2026, 11:13

Tutti gli orari sono UTC + 1 ora [ ora legale ]

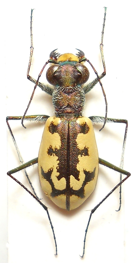
Cephalota (Taenidia) circumdata imperialis (Klug, 1834) - Carabidae Cicindelinae

3.VII.1995 - ITALIA - Sardegna - CA, Serdiana, Stagno di Serdiana, P. Leo leg.


nuovo argomento
rispondi
Pagina 1 di 1 [ 2 messaggi ]
Autore Messaggio
MessaggioInviato: 22/08/2011, 12:33 
Avatar utente

Iscritto il: 05/02/2009, 17:47
Messaggi: 7252
Località: Cagliari
Nome: Piero Leo
Cephalota (Taenidia) circumdata imperialis (Klug, 1834) è una bellissima cicindela, tipica degli ambienti di salina e degli stagni con alta concentrazione di sale.

Lunghezza 13 mm
circumdata imperialis 01.jpg


circumdata imperialis 02.jpg



:) Ciao
Piero


Top
profilo
MessaggioInviato: 22/08/2011, 13:15 
Avatar utente

Iscritto il: 10/05/2010, 22:31
Messaggi: 4372
Località: Gavorrano (GR)
Nome: marco bastianini
Tenebrio ha scritto:
è una bellissima cicindela

...e come darti torto :shock: :shock:

_________________
:to: Marco
"Le foreste a precedere le civiltà, i deserti a seguire."
François-René de Chateaubriand


Top
profilo
Visualizza ultimi messaggi:  Ordina per  
nuovo argomento
rispondi
Pagina 1 di 1 [ 2 messaggi ]

Tutti gli orari sono UTC + 1 ora [ ora legale ]


Chi c’è in linea

Visitano il forum: Calathus e 1 ospite


Non puoi aprire nuovi argomenti
Non puoi rispondere negli argomenti
Non puoi modificare i tuoi messaggi
Non puoi cancellare i tuoi messaggi
Non puoi inviare allegati

Cerca per:
Vai a: