Benvenuto Ospite

Forum Entomologi Italiani

www.entomologiitaliani.net/forum
 
Oggi è 20/04/2026, 1:50

Tutti gli orari sono UTC + 1 ora [ ora legale ]

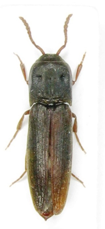
Nematodes filum (Fabricius, 1801) - Eucnemidae

VII.2011 - ITALIA - Emilia-Romagna - MO, Modena Guiglia 450m


nuovo argomento
rispondi
Pagina 1 di 1 [ 7 messaggi ]
Autore Messaggio
MessaggioInviato: 04/09/2011, 0:20 
Avatar utente

Iscritto il: 20/11/2009, 0:34
Messaggi: 571
Località: Vignola (Mo)
Nome: Claudio Sola
Mi è uscito da un ramo di Quercus Sp raccolto a terra , diametro 5\6 cm , dimensioni 7mm


Emilia Modena , Guiglia 450m ex larva da Quercus , VII-2011 leg Sola C. (7mm).JPG


_________________
merlino


Ultima modifica di Paradomorphus il 02/07/2019, 19:44, modificato 1 volta in totale.
Uniformazione titolo
Top
profilo
 Oggetto del messaggio: Re: Elateridae da det.
MessaggioInviato: 04/09/2011, 0:51 
 

Iscritto il: 18/10/2009, 17:10
Messaggi: 1341
Località: Czech Republic
Nome: Petr Kresl
My idea - some Eucnemidae :bln:

_________________
Ciao Petr


Top
profilo
 Oggetto del messaggio: Re: Elateridae da det.
MessaggioInviato: 04/09/2011, 15:29 
Avatar utente

Iscritto il: 24/09/2009, 20:40
Messaggi: 1956
Nome: Giuseppe Platia
:D :D Fam. Melasidae, Nematodes filum (F.)


Top
profilo
 Oggetto del messaggio: Re: Elateridae da det.
MessaggioInviato: 04/09/2011, 17:00 
Avatar utente

Iscritto il: 20/11/2009, 0:34
Messaggi: 571
Località: Vignola (Mo)
Nome: Claudio Sola
Malasidae ? Ma dove lo infilo ? tra i calambrucidi ? a che famiglia apprtiene ? :mrgreen: :mrgreen: :mrgreen:

_________________
merlino


Top
profilo
 Oggetto del messaggio: Re: Elateridae da det.
MessaggioInviato: 04/09/2011, 18:19 
 

Iscritto il: 18/10/2009, 17:10
Messaggi: 1341
Località: Czech Republic
Nome: Petr Kresl
Melasidae is now valid name for Eucnemidae? :roll: Thank you for information.

_________________
Ciao Petr


Top
profilo
 Oggetto del messaggio: Re: Elateridae da det.
MessaggioInviato: 04/09/2011, 18:52 
Avatar utente

Iscritto il: 24/09/2009, 20:40
Messaggi: 1956
Nome: Giuseppe Platia
:D :D Please see in www.elateridae.com

:hi: :hi:


Top
profilo
 Oggetto del messaggio: Re: Elateridae da det.
MessaggioInviato: 04/09/2011, 19:48 
 

Iscritto il: 18/10/2009, 17:10
Messaggi: 1341
Località: Czech Republic
Nome: Petr Kresl
I thank you :birra:

_________________
Ciao Petr


Top
profilo
Visualizza ultimi messaggi:  Ordina per  
nuovo argomento
rispondi
Pagina 1 di 1 [ 7 messaggi ]

Tutti gli orari sono UTC + 1 ora [ ora legale ]


Chi c’è in linea

Visitano il forum: Nessuno e 0 ospiti


Non puoi aprire nuovi argomenti
Non puoi rispondere negli argomenti
Non puoi modificare i tuoi messaggi
Non puoi cancellare i tuoi messaggi
Non puoi inviare allegati

Cerca per:
Vai a:  
cron