Benvenuto Ospite

Forum Entomologi Italiani

www.entomologiitaliani.net/forum
 
Oggi è 11/04/2026, 5:16

Tutti gli orari sono UTC + 1 ora [ ora legale ]

Phymatodes testaceus (Linnaeus, 1758) Dettagli della specie

ITALIA - Sardegna - OG, Ontaneti Cacuminali del Gennargentu


nuovo argomento
rispondi
Vai alla pagina 1, 2  Prossimo
Pagina 1 di 2 [ 19 messaggi ]
Autore Messaggio
MessaggioInviato: 31/03/2009, 19:36 
Avatar utente

Iscritto il: 02/02/2009, 23:32
Messaggi: 5645
Località: da Ferrara ad Alghero
Nome: Roberto A. Pantaleoni
Ho descritto l'ambiente di cattura in questa discussione. Adesso cominciamo a postare materiale.

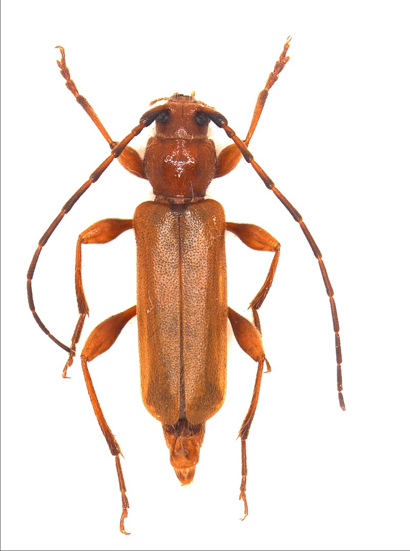
Desulo (sito 1); 19 giugno 2007; trappola a vino; 9-10 mm
Cer1_Desulo1_19Giu07_Vino_9-10.jpg



Roberto :to:

_________________
verum stabile cetera fumus


Top
profilo
MessaggioInviato: 31/03/2009, 19:38 
Avatar utente

Iscritto il: 02/02/2009, 23:32
Messaggi: 5645
Località: da Ferrara ad Alghero
Nome: Roberto A. Pantaleoni
Ho descritto l'ambiente di cattura in questa discussione.

Desulo (sito 1); 19 giugno 2007; trappola a vino; 9-10 mm
Cer2_Desulo1_19Giu07_Vino_9_10.jpg



Roberto :to:

Nota del 22.10.2009 - Questo esemplare è un Poecilium lividum (Rossi, 1794).

_________________
verum stabile cetera fumus


Top
profilo
MessaggioInviato: 31/03/2009, 19:41 
Avatar utente

Iscritto il: 02/02/2009, 23:32
Messaggi: 5645
Località: da Ferrara ad Alghero
Nome: Roberto A. Pantaleoni
Ho descritto l'ambiente di cattura in questa discussione.

Desulo (sito 2); 19 giugno 2007; trappola a vino; 14 mm
Cer4_Desulo2_19Giu07_Vino_14.jpg



Roberto :to:

_________________
verum stabile cetera fumus


Top
profilo
MessaggioInviato: 31/03/2009, 19:42 
Avatar utente

Iscritto il: 02/02/2009, 23:32
Messaggi: 5645
Località: da Ferrara ad Alghero
Nome: Roberto A. Pantaleoni
Ho descritto l'ambiente di cattura in questa discussione.

Fonni (sito 1); 1 luglio 2007; trappola a vino; 10-11 mm
Cer5_Fonni1_01Lugl07_Vino_10-11.jpg



Roberto :to:

_________________
verum stabile cetera fumus


Top
profilo
MessaggioInviato: 31/03/2009, 21:10 
Avatar utente

Iscritto il: 05/02/2009, 17:44
Messaggi: 2699
Località: Garbagnate Milanese
Nome: Augusto Franzini
Riferendosi all'ultima foto
aug ha scritto:
Salvo errore, è un Phymatodes testaceus (Linneo) che è molto variabile di colorazione.
Augusto (aug)


Riferendosi alla terza foto
aug ha scritto:
Anche questo, P. testaceus L.
aug


Riferendosi alla seconda foto
aug ha scritto:
Di nuovo lui, P. testaceus L. che si diverte a cambiare colore.
aug


Riferendosi alla prima foto
aug ha scritto:
E questo è il quarto P. testaceus. Se veramente sono tutti loro, c'è una collezione completa!
aug

_________________
Augusto (aug)
Prediction is very difficult, especially about the future (Niels Bohr, fisico)


Top
profilo
MessaggioInviato: 31/03/2009, 21:41 
Amministratore
Avatar utente

Iscritto il: 02/02/2009, 23:30
Messaggi: 7107
Località: Capaci (Pa)
Nome: Marcello Romano
Alcuni riferimenti sul web nel sito di Hoskovec & Rejzek
In BioLib.cz una buona galleria di alcune delle innumerevoli forme cromatiche con cui si presenta.

_________________
:hi: Marcello Romano


Top
profilo
MessaggioInviato: 01/04/2009, 19:31 
Amministratore
Avatar utente

Iscritto il: 02/02/2009, 23:30
Messaggi: 7107
Località: Capaci (Pa)
Nome: Marcello Romano
Su richiesta di Roberto, ho riunito in un'unica discussione le diverse foto di Phymatodes testaceus da lui presentate per la determinazione.
Lo stesso Roberto mi ha inviato un'immagine di insieme, attraverso cui ancor meglio si evidenzia la notevole variabilità cromatica di questa specie.


Immagine


Nota del 22.10.2009 - L'esemplare in alto a destra è un Poecilium lividum (Rossi, 1794).

_________________
:hi: Marcello Romano


Top
profilo
MessaggioInviato: 22/10/2009, 15:31 
Avatar utente

Iscritto il: 21/05/2009, 14:59
Messaggi: 6995
Località: Parigi
Nome: Riccardo Poloni
da un allevamento in primavera credo me ne siano usciti con dieci forme cromatiche diverse :sma: :)

_________________
Riccardo Poloni
La dignità degli elementi
la libertà della poesia,
al di là dei tradimenti degli uomini
è magia, è magia, è magia...
Negrita, Rotolando verso sud


Top
profilo
MessaggioInviato: 22/10/2009, 16:02 
Avatar utente

Iscritto il: 05/09/2009, 7:56
Messaggi: 3445
Località: Cesena
Nome: Gianfranco Sama
Scusate se mi cito, ma alcune varietà (8 per l'esattezza) potete trovarle anche nella tavola allegata.
Sama_2002_ Atlante_ tavola 20.jpg


_________________
Gianfranco Sama

"Benedetto colui che ti aiuta a correggere i tuoi errori invece di scagliarteli contro"
___________________________________
Gershom Sholem


Top
profilo
MessaggioInviato: 22/10/2009, 17:40 
 

Iscritto il: 13/09/2009, 18:04
Messaggi: 882
Nome: Pierpaolo Rapuzzi
Salve a tutti. A mio avviso il secondo è un Poecilium lividum (Rossi, 1794).
Pierpaolo


Top
profilo
MessaggioInviato: 22/10/2009, 18:06 
Amministratore
Avatar utente

Iscritto il: 02/02/2009, 23:30
Messaggi: 7107
Località: Capaci (Pa)
Nome: Marcello Romano
Xylosteus ha scritto:
Salve a tutti. A mio avviso il secondo è un Poecilium lividum (Rossi, 1794).
Pierpaolo


Caro Roberto, ho l'impressione che il paziente lavoro di ricomposizione delle quattro immagini, a nostro avviso, tutte relative al Phymatodes testaceus debba essere corretto ;)
Grazie a Pierpaolo per avere evidenziato la nostra svista :ok:
Qui un'immagine di confronto del Poecilium lividum (Rossi, 1794), che non lascia molti dubbi :no1:

_________________
:hi: Marcello Romano


Top
profilo
MessaggioInviato: 22/10/2009, 18:14 
Avatar utente

Iscritto il: 27/02/2009, 19:34
Messaggi: 857
Località: Belluno
Nome: Enzo GATTI
Inoltre la figura n. 408 postata d Sama del suo libro (Sama 2002) rappresenta anch'essa un Poecilium lividum

Enzo :) :)


Top
profilo
MessaggioInviato: 22/10/2009, 21:29 
Avatar utente

Iscritto il: 02/02/2009, 23:32
Messaggi: 5645
Località: da Ferrara ad Alghero
Nome: Roberto A. Pantaleoni
Scusate ragazzi, ma allora non è un Poecilium lividum femmina anche la terza ? Figura 412 della tavola.

Ciao Roberto :to:

_________________
verum stabile cetera fumus


Top
profilo
MessaggioInviato: 22/10/2009, 21:53 
Amministratore
Avatar utente

Iscritto il: 02/02/2009, 23:30
Messaggi: 7107
Località: Capaci (Pa)
Nome: Marcello Romano
Hemerobius ha scritto:
Scusate ragazzi, ma allora non è un Poecilium lividum femmina anche la terza ? Figura 412 della tavola.

Ciao Roberto :to:


Lasciando perdere tutto il resto, Roberto, devi fissare la tua attenzione, nei quattro esemplari, sul primo articolo dei tarsi posteriori e sulla sua lunghezza assoluta ed in rapporto con i due successivi.
Noterai che negli esemplari 1,3 e 4 è molto lungo, molto più lungo del secondo e terzo presi insieme.
Nel Poecilum lividum (foto 2) è invece lungo quanto o poco più dei due successivi insieme.

_________________
:hi: Marcello Romano


Top
profilo
MessaggioInviato: 22/10/2009, 23:40 
Avatar utente

Iscritto il: 02/02/2009, 23:32
Messaggi: 5645
Località: da Ferrara ad Alghero
Nome: Roberto A. Pantaleoni
Fortuna che ci sono questi tarsi :D ! Altrimenti come si farebbe :? Ed io che dicevo che i Crisopidi erano difficili :gh: .

Ciao Roberto :to:

_________________
verum stabile cetera fumus


Top
profilo
Visualizza ultimi messaggi:  Ordina per  
nuovo argomento
rispondi
Vai alla pagina 1, 2  Prossimo
Pagina 1 di 2 [ 19 messaggi ]

Tutti gli orari sono UTC + 1 ora [ ora legale ]


Chi c’è in linea

Visitano il forum: Google [Bot] e 2 ospiti


Non puoi aprire nuovi argomenti
Non puoi rispondere negli argomenti
Non puoi modificare i tuoi messaggi
Non puoi cancellare i tuoi messaggi
Non puoi inviare allegati

Cerca per:
Vai a: