Benvenuto Ospite

Forum Entomologi Italiani

www.entomologiitaliani.net/forum
 
Oggi è 18/01/2026, 5:07

Tutti gli orari sono UTC + 1 ora [ ora legale ]

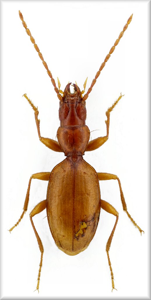
Orotrechus targionii ganglbaueri Jeannel, 1928 Dettagli della specie

8.X.2011 - ITALIA - Trentino-Alto Adige - TN, Lavarone 1000 m/slm


nuovo argomento
rispondi
Vai alla pagina 1, 2  Prossimo
Pagina 1 di 2 [ 17 messaggi ]
Autore Messaggio
MessaggioInviato: 18/10/2011, 22:23 
Avatar utente

Iscritto il: 22/05/2009, 21:00
Messaggi: 2780
Località: Pergine Valsugana (TN)
Nome: Andrea Carlin
:hi: Vorrei cercare di contribuire a far luce sul quesito posto da Vinicio (eurinomio) in questa discussione.
Per ora inserisco alcune immagini relative a Orotrechus targionii ganglbaueri Jeannel 1928

lunghezza: 4,15 mm
Orotrechus targionii ganglbaueri.jpg



edeago:
edeago visione laterale.jpg


apice:
edeago visione ventrale.jpg


parameri:
parameri.jpg



:hi: :hi: :hi: :hi: :hi:

_________________
Andrea Carlin, Pergine Valsugana (TN) carlin.andrea(AT)gmail.com

Nota: tutti gli esemplari inseriti nelle discussioni aperte da me sono da ritenere "Andrea Carlin legit" se non diversamente specificato.


Top
profilo
MessaggioInviato: 18/10/2011, 22:29 
Avatar utente

Iscritto il: 26/03/2010, 14:55
Messaggi: 5989
Località: Romania
Nome: Cosmin-Ovidiu Manci
:o :o :o , che belloooooooo :lov3: :lov3: !!!!

_________________
Cosmin-Ovidiu Manci
**********************
cosmln's place - my blog
just insects
Dragonflies of Romania


Top
profilo
MessaggioInviato: 18/10/2011, 22:55 
Avatar utente

Iscritto il: 10/05/2010, 22:31
Messaggi: 4372
Località: Gavorrano (GR)
Nome: marco bastianini
Bravo Andrea
belle foto e bella bestiolina :p :p

_________________
:to: Marco
"Le foreste a precedere le civiltà, i deserti a seguire."
François-René de Chateaubriand


Top
profilo
MessaggioInviato: 18/10/2011, 23:44 
Avatar utente

Iscritto il: 19/09/2009, 22:25
Messaggi: 5912
Località: Brescia
Nome: Vinicio Salami
grazie Andrea.

:birra: :birra: :birra:


Top
profilo
MessaggioInviato: 19/10/2011, 12:13 
Avatar utente

Iscritto il: 04/02/2009, 17:49
Messaggi: 5543
Località: Cagliari
Nome: Daniele Sechi
Bello Andrea, però la prossima volta estrai l'edeago dal'apice dell'addome invece che dall'elitra destra :lol:

_________________
:hi:
Daniele


Top
profilo
MessaggioInviato: 19/10/2011, 14:24 
Avatar utente

Iscritto il: 19/09/2009, 22:25
Messaggi: 5912
Località: Brescia
Nome: Vinicio Salami
Daniele Sechi ha scritto:
Bello Andrea, però la prossima volta estrai l'edeago dal'apice dell'addome invece che dall'elitra destra :lol:


che malizioso... :mrgreen: :mrgreen: :mrgreen:


Top
profilo
MessaggioInviato: 19/10/2011, 14:37 
Avatar utente

Iscritto il: 22/05/2009, 21:00
Messaggi: 2780
Località: Pergine Valsugana (TN)
Nome: Andrea Carlin
:lol: :lol: :lol: bella questa Daniele!!! :lol1: :lol1: :lol1:

Purtroppo questa povera bestiola ha subito qualche duro attacco prima di arrivare nelle mie mani, magari proprio all'interno della trappola! Peccato! :cry:

P.S: Grazie a Cosmin e Marco! :lov2:

...sto lavorando per inserire altre immagini per il confronto... ;)

:hi: :hi: :hi: :hi: :hi:

_________________
Andrea Carlin, Pergine Valsugana (TN) carlin.andrea(AT)gmail.com

Nota: tutti gli esemplari inseriti nelle discussioni aperte da me sono da ritenere "Andrea Carlin legit" se non diversamente specificato.


Top
profilo
MessaggioInviato: 20/10/2011, 22:24 
Avatar utente

Iscritto il: 22/05/2009, 21:00
Messaggi: 2780
Località: Pergine Valsugana (TN)
Nome: Andrea Carlin
:hi: Eccomi qui! Inizio col dire che la discussione da qui potrebbe essere eventualmente divisa in quanto andrò ad inserire immagini di confronto fra le sottospecie di Orotrechus targionii ganglbaueri e Orotrechus targionii concii.

Inserisco subito qualcosa di molto importante per la valutazione in questione: le immagini dell'edeago! Se per l'Orotrechus targionii concii qualche disegno si può trovare sul lavoro di descrizione di Tamanini, per l'Orotrechus targionii ganglbaueri è molto più difficile (almeno per me...) trovare qualche schizzo dell'edeago (vale quanto scritto da Riccardo per la descrizione di Jeannel...
ricdoc57 ha scritto:
La descrizione del ganglbaueri non serve praticamente a nulla, perché Jeannel lo descrive come sottospecie del fiorii e ne fornisce una breve descrizione comparativa in poche righe di tabella. Facile: è una specie completamente diversa! :no:


confronto edeagi concii e ganglbaueri.jpg

confronto apice edeago.jpg



Ora, in attesa di inserire altre immagini, attendo curioso i vostri autorevoli pareri! :bln:

:hi: :hi: :hi: :hi: :hi:

_________________
Andrea Carlin, Pergine Valsugana (TN) carlin.andrea(AT)gmail.com

Nota: tutti gli esemplari inseriti nelle discussioni aperte da me sono da ritenere "Andrea Carlin legit" se non diversamente specificato.


Top
profilo
MessaggioInviato: 21/10/2011, 13:29 
Avatar utente

Iscritto il: 10/05/2010, 22:31
Messaggi: 4372
Località: Gavorrano (GR)
Nome: marco bastianini
Ciao Andrea
ancora complimenti pe la tue foto e per la preparazione dell'edeago;su quest'ultimo mi permetto di d :hi: arti un consiglio.Senza l'aria all'interno dell'edeago la tua foto sarebbe spettacolare e le strutture interne sarebbero perfettamente visibili.Io mi regolo così:dopo aver staccato i parameri e liberato l'edeago dalle membrane gli faccio fare un passaggio in xilolo, che per edeagi di piccole dimensioni come quello in questione può voler dire anche poco, da mezzora ad un paio d'ore.Quindi con una gocciolina di euparal lo si preleva dallo xilolo e lo si mette sul cartellino trasparente, senza che l'edeago possa assumere nuovamente delle bollicine d'aria.Quando poi è nell'includente puoi tranquillamente fotografarlo ed i risultati saranno sicuramente molto soddisfacenti. :hi:

_________________
:to: Marco
"Le foreste a precedere le civiltà, i deserti a seguire."
François-René de Chateaubriand


Top
profilo
MessaggioInviato: 21/10/2011, 14:14 
Avatar utente

Iscritto il: 01/11/2010, 21:21
Messaggi: 2110
Località: Brescia
Nome: Mario Grottolo
Bellissime foto, complimenti.
Le fotografie dimostrano due edeagi differenti, quindi due specie o sottospecie diverse.
Ora occorrerebbe controllare le località degli esemplari esaminati:
O. targioni concii viene dal Bus dei Fortini? o dal Gobo Onzera.
Siamo sicuri che gli esemplari raccolti nella grotta del Gobo Onzera siano ascrivibili a O. targioni concii, e quindi con un areale che si sovrappone con quello di O. targioni ganglbaueri.
Quindi poichè due sottospecie non possono convivere non si dovrebbe parlare di sottospecie, ma di specie ben distinte, come personalmente ho sempre sostenuto.
Inoltre l'esemplare di Lavarone dovrebbe essere al limite dell'areale di O. targioni ganglbaueri, che forse si sovrappone con quello di O. targioni alticola.
Ciao
Mario


Top
profilo
MessaggioInviato: 21/10/2011, 15:04 
Avatar utente

Iscritto il: 22/05/2009, 21:00
Messaggi: 2780
Località: Pergine Valsugana (TN)
Nome: Andrea Carlin
:hi: Grazie Marco, non ho mai provato la soluzione che mi proponi! Proverò senz'altro! :lov2:
L'idea che mi ero prefissato per queste foto era quella di mettere a confronto la sagoma o meglio il profilo esterno dei due edeagi non di certo il sacco interno (sarà opportuno provare a farlo? :roll: ).
Certo che per fare un bel lavoro, scientificamente corretto, bisognerebbe esaminare un cospicuo numero di esemplari però, prendendone due a caso è emerso quanto si evince dalle immagini! Anzi, gli edeagi proposti per O.targionii ganglbaueri sono di due esemplari diversi!

Grazie mille anche a te, Mario! :birra:
L'esemplare di O.targionii concii proviene da Serrada (ambiente cavernicolo) mentre O.targionii ganglbaueri proviene da Lavarone nei pressi di Malga Laghetto (trappole interrate).
A me, finora, non risulta che i due convivano... hai notizie più dettagliate in merito?
Certo che interessante sarebbe confrontare anche O.targionii alticola, O.targionii pasubianus ed infine, già che ci siamo anche O.targionii galvagnii e O.targioni targionii. (piano piano potremmo anche farlo....) ;)

:hi: :hi: :hi: :hi: :hi:

_________________
Andrea Carlin, Pergine Valsugana (TN) carlin.andrea(AT)gmail.com

Nota: tutti gli esemplari inseriti nelle discussioni aperte da me sono da ritenere "Andrea Carlin legit" se non diversamente specificato.


Top
profilo
MessaggioInviato: 21/10/2011, 15:23 
Avatar utente

Iscritto il: 18/02/2009, 0:24
Messaggi: 3909
Località: Asciano (Siena)
Nome: Andrea Petrioli
Andrea Pergine ha scritto:
:hi: Grazie Marco, non ho mai provato la soluzione che mi proponi! Proverò senz'altro! :lov2:
L'idea che mi ero prefissato per queste foto era quella di mettere a confronto la sagoma o meglio il profilo esterno dei due edeagi non di certo il sacco interno (sarà opportuno provare a farlo? :roll: ).


Non conosco bene gli edeagi degli Orotrechus, ma nei Duvalius l'osservazione della lamella copulatrice è fondamentale per una corretta identificazione della specie (tant'è che spesso viene "estratta" dall'edeago e montata sotto euparal accanto allo stesso).


Andrea Pergine ha scritto:
Certo che per fare un bel lavoro, scientificamente corretto, bisognerebbe esaminare un cospicuo numero di esemplari però, prendendone due a caso è emerso quanto si evince dalle immagini! Anzi, gli edeagi proposti per O.targionii ganglbaueri sono di due esemplari diversi!



Anche questo è vero; sarebbe necessario esaminare un po' di esemplari per ogni località conosciuta per ciascuna ssp. al fine di verificare l'eventuale variabilità intraspecifica; non sarebbe la prima volta che studi del genere portano a interessanti sorprese ;)

Sicuramente è un lavoro certosino che richiede abbondante materiale (e tempo :D ).

_________________
:hi:
______
Andrea


Top
profilo
MessaggioInviato: 21/10/2011, 21:32 
Avatar utente

Iscritto il: 01/11/2010, 21:21
Messaggi: 2110
Località: Brescia
Nome: Mario Grottolo
Ciao Andrea,
a Serrada ci sono due grotte dove ho preso O. concii, quindi se non è del Gobo Onzera è dell'altra, dove se non erro ti avevo portato.
Malga Parisa da dove è stato descritto O. ganglbaueri è a pochi km (circa 3) dalle due grotte e sempre sullo stesso monte, quindi a mio parere convivono.

Mario


Top
profilo
MessaggioInviato: 21/10/2011, 23:07 
Avatar utente

Iscritto il: 22/05/2009, 21:00
Messaggi: 2780
Località: Pergine Valsugana (TN)
Nome: Andrea Carlin
:ok: Grazie del consiglio Andrea! :birra:

Mario è proprio quella grotta che intendi tu! ;)
Però a questo punto mi viene il dubbio se l'Orotrechus di Malga Parisa descritto da Jeannel "sommariamente" sia effettivamente il vero ganglbaueri e non, ad esempio, il concii!
Comunque, per curiosità, a passo Coe che è anch'esso a pochi km da Serrada, che Orotrechus hai raccolto?
E la linea di "confine" fra O.targionii concii e O.targionii pasubianus dove potrebbe essere? :roll:

:hi: :hi: :hi: :hi: :hi:

_________________
Andrea Carlin, Pergine Valsugana (TN) carlin.andrea(AT)gmail.com

Nota: tutti gli esemplari inseriti nelle discussioni aperte da me sono da ritenere "Andrea Carlin legit" se non diversamente specificato.


Top
profilo
MessaggioInviato: 22/10/2011, 8:25 
Avatar utente

Iscritto il: 01/11/2010, 21:21
Messaggi: 2110
Località: Brescia
Nome: Mario Grottolo
A Passo Coe non ho trovato Orotrechus, ma Duvalius baldensis pasubianus quindi è possibile che sia la "linea di confine".
Ciao
Mario


Top
profilo
Visualizza ultimi messaggi:  Ordina per  
nuovo argomento
rispondi
Vai alla pagina 1, 2  Prossimo
Pagina 1 di 2 [ 17 messaggi ]

Tutti gli orari sono UTC + 1 ora [ ora legale ]


Chi c’è in linea

Visitano il forum: Nessuno e 1 ospite


Non puoi aprire nuovi argomenti
Non puoi rispondere negli argomenti
Non puoi modificare i tuoi messaggi
Non puoi cancellare i tuoi messaggi
Non puoi inviare allegati

Cerca per:
Vai a: