Benvenuto Ospite

Forum Entomologi Italiani

www.entomologiitaliani.net/forum
 
Oggi è 26/01/2026, 11:04

Tutti gli orari sono UTC + 1 ora [ ora legale ]

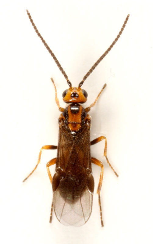
Bracon hebetor Say, 1836 (Braconidae), parassitoide di Plodia interpunctella (Hübner, 1813) (Pyralidae, Phycitinae)

24.X.2009 - ITALIA - Sicilia - PA, Palermo in urbe


nuovo argomento
rispondi
Pagina 1 di 1 [ 6 messaggi ]
Autore Messaggio
MessaggioInviato: 24/10/2009, 20:19 
Avatar utente

Iscritto il: 05/02/2009, 17:36
Messaggi: 780
Nome: Attilio Carapezza
Oggi, sul vetro della cucina di casa, su cui una decina di giorni fa avevo notato gli Exochus trattati in un precedente argomento, ho trovato una decina di esemplari di questo piccolo imenottero (2,4 mm). La domanda è la stessa della scorsa volta: chi sono e che cosa ci facevano dentro casa?


Palermo in urbe, 24.X.2009
vespina2.jpg

vespina1.jpg

Top
profilo
 Oggetto del messaggio: Re: Piccoli imenotteri domestici
MessaggioInviato: 24/10/2009, 20:23 
Avatar utente

Iscritto il: 02/02/2009, 23:32
Messaggi: 5645
Località: da Ferrara ad Alghero
Nome: Roberto A. Pantaleoni
Questi sono Braconidi!

Roberto :to:

_________________
verum stabile cetera fumus


Top
profilo
 Oggetto del messaggio: Re: Piccoli imenotteri domestici
MessaggioInviato: 24/10/2009, 22:38 
Amministratore
Avatar utente

Iscritto il: 02/02/2009, 23:30
Messaggi: 7105
Località: Capaci (Pa)
Nome: Marcello Romano
Se si inseriscono su Google le due parole chiave: Braconidae e Plodia (che è il Piralide trovato in casa da Attilio), la prima specie indicata come parassitoide è il Bracon hebetor Say, 1836.
Non so se si tratti proprio di questa specie, ma dall'unico disegno che ho fino ad ora trovato in rete, penso che ci siamo comunque assai vicini ;)
Attilio, sulle tue Plodia interpunctella e relativi parassitoidi, puoi scriverci un contributo senza muoverti da casa :mrgreen:

_________________
:hi: Marcello Romano


Top
profilo
 Oggetto del messaggio: Re: Piccoli imenotteri domestici
MessaggioInviato: 25/10/2009, 9:56 
Avatar utente

Iscritto il: 06/02/2009, 9:05
Messaggi: 112
Località: Napoli
Nome: Francesco Nugnes
E' lui...Bracon hebetor, lo trovai anche io nel mio allevamento "volontario" :lol: di Plodia

_________________
--------------------------------------------------------------------
Dicett o pappic vicin a noce: "ramm o tiemp che te spertoso"


Ogni scarrafon è bell a'mamma sua


Top
profilo
 Oggetto del messaggio: Re: Piccoli imenotteri domestici
MessaggioInviato: 25/10/2009, 10:46 
Amministratore
Avatar utente

Iscritto il: 02/02/2009, 23:30
Messaggi: 7105
Località: Capaci (Pa)
Nome: Marcello Romano
Bud the Bug ha scritto:
E' lui...Bracon hebetor, lo trovai anche io nel mio allevamento "volontario" :lol: di Plodia


:hp:

_________________
:hi: Marcello Romano


Top
profilo
 Oggetto del messaggio: Re: Piccoli imenotteri domestici
MessaggioInviato: 25/10/2009, 11:17 
Avatar utente

Iscritto il: 06/02/2009, 9:02
Messaggi: 1429
Località: Verona - Roma - Foggia e sporadicamente Padova
Nome: Filippo Di Giovanni
Velvet Ant ha scritto:
Attilio, sulle tue Plodia interpunctella e relativi parassitoidi, puoi scriverci un contributo senza muoverti da casa :mrgreen:


io mi riservo ancora il dubbio sull'identità dell'icneumonide... Voglio vedere se riesco a procurarmi una revisione su Hypsicera usando il servizio di richiesta periodici di cui parlavi l'altro giorno. E' una vitaccia...

_________________
"Non posso separare il piacere estetico che provo nel vedere una farfalla dal piacere scientifico di sapere che cosa è" (V.Nabokov)


Top
profilo
Visualizza ultimi messaggi:  Ordina per  
nuovo argomento
rispondi
Pagina 1 di 1 [ 6 messaggi ]

Tutti gli orari sono UTC + 1 ora [ ora legale ]


Chi c’è in linea

Visitano il forum: Nessuno e 0 ospiti


Non puoi aprire nuovi argomenti
Non puoi rispondere negli argomenti
Non puoi modificare i tuoi messaggi
Non puoi cancellare i tuoi messaggi
Non puoi inviare allegati

Cerca per:
Vai a: