Benvenuto Ospite

Forum Entomologi Italiani

www.entomologiitaliani.net/forum
 
Oggi è 28/03/2026, 15:57

Tutti gli orari sono UTC + 1 ora [ ora legale ]

Lessinodytes caoduroi Vigna Taglianti, 1982 Dettagli della specie

VII.2011 - ITALIA - Veneto - VR, monti Lessini


nuovo argomento
rispondi
Vai alla pagina Precedente  1, 2, 3  Prossimo
Pagina 2 di 3 [ 33 messaggi ]
Autore Messaggio
MessaggioInviato: 11/11/2011, 21:49 
Avatar utente

Iscritto il: 01/11/2010, 21:21
Messaggi: 2111
Località: Brescia
Nome: Mario Grottolo
Prima però voglio vedervi calare nei vari pozzi :lol: e superare i vari laminatoi :mrgreen: e ovviamente dopo due giorni risalire.
:hi: Mario


Top
profilo
MessaggioInviato: 11/11/2011, 22:33 
Avatar utente

Iscritto il: 08/11/2010, 12:40
Messaggi: 1722
Località: Brescia
Nome: Mauro Agosti
Beh, arrrivati al cancello potete provare a chiamare. Chissà che non venga lui ad aprirvi :lol1: :lol1: :lol1: :lol1:


Top
profilo
MessaggioInviato: 12/11/2011, 2:01 
Avatar utente

Iscritto il: 09/11/2010, 19:52
Messaggi: 4518
Località: Brescia
Nome: Luca Bodei
magosti ha scritto:
Beh, arrrivati al cancello potete provare a chiamare. Chissà che non venga lui ad aprirvi :lol1: :lol1: :lol1: :lol1:



Sempre che abbia la chiave..... :mrgreen: :mrgreen: :mrgreen:

_________________
Tc70


Top
profilo
MessaggioInviato: 12/11/2011, 10:31 
Avatar utente

Iscritto il: 27/02/2009, 19:34
Messaggi: 857
Località: Belluno
Nome: Enzo GATTI
Tc70 scrive:
Ora mancan foto dei suoi fratelli...L.pivai anche lui in zona Lessinia e L.glacialis

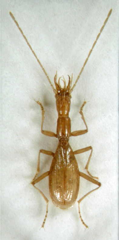
Per il glacialis non posso fare niente, ma per il pivai eccovi la sua foto inviatami dallo stesso Erminio Piva, biospeleo a cui è stata dedicata la specie. Purtroppo non posseggo i dati (luogo, data, raccoglitore) relativi a questo esemplare.
Splendido endogeo :hp: :hp: :hp:


Lessinodytes pivai.jpg

Top
profilo
MessaggioInviato: 12/11/2011, 11:19 
 

Iscritto il: 30/07/2010, 8:40
Messaggi: 596
Nome: vittorino.monzini
Non c'è che dire!! sono l'uno più incredibile dell'altro. Possiamo proprio dire, senza tema di smentita, che abbiamo una fauna entomologica fra le più ricche e interessanti al mondo :birra:


Top
profilo
MessaggioInviato: 12/11/2011, 12:33 
Avatar utente

Iscritto il: 25/11/2009, 9:31
Messaggi: 8158
Località: Lecce
Nome: Maurizio Bollino
vittorino monzini ha scritto:
Non c'è che dire!! sono l'uno più incredibile dell'altro. Possiamo proprio dire, senza tema di smentita, che abbiamo una fauna entomologica fra le più ricche e interessanti al mondo :birra:


Beh, tra le più interessanti, forse, ma tra le più ricche ..... permettimi di dissentire.

_________________
Maurizio Bollino


Top
profilo
MessaggioInviato: 12/11/2011, 12:49 
Avatar utente

Iscritto il: 01/11/2010, 21:21
Messaggi: 2111
Località: Brescia
Nome: Mario Grottolo
La località dovrebbe essere: Monti Lessini, Grotta dell’Arena 476 V/VR (ora chiusa), è il locus classicus, dove anch'io l'ho trovato.
In ordine di rarià di ritrovamenti:
Lessinodytes glacialis: un solo esemplare conosciuto
Lessinodytes caoduroi: circa 7 esemplari conosciuti
Lessinodytes pivai: più di 10 esemplari conosciuti

:hi: Mario


Top
profilo
MessaggioInviato: 12/11/2011, 13:48 
Avatar utente

Iscritto il: 09/11/2010, 19:52
Messaggi: 4518
Località: Brescia
Nome: Luca Bodei
L'unica immagine attutalmente conosciuta del Lessinodytes glacialis è questo bel disegno dell'amico collega Dante Vailati,che spero non se la prenderà se la posto,cosi almeno abbiamo per il momento le immagini di tutti e 3,per la foto credo che bisognerà aspettare non poco,visto l'estrema difficoltà del luogo di ritrovamento e l'estremissima rarità della specie... :hi: :birra:


Lessinodytes glacialis.jpg


_________________
Tc70
Top
profilo
MessaggioInviato: 12/11/2011, 13:57 
Avatar utente

Iscritto il: 10/05/2010, 22:31
Messaggi: 4375
Località: Gavorrano (GR)
Nome: marco bastianini
vittorino monzini ha scritto:
abbiamo una fauna entomologica fra le più ricche e interessanti al mondo

Maurizio Bollino ha scritto:
Beh, tra le più interessanti, forse, ma tra le più ricche ..... permettimi di dissentire.

Immagino che Vittorino si riferisse alla nostra fauna sotterranea ed in quel caso probabilmente non ha tutti i torti.

_________________
:to: Marco
"Le foreste a precedere le civiltà, i deserti a seguire."
François-René de Chateaubriand


Top
profilo
MessaggioInviato: 14/11/2011, 16:46 
 

Iscritto il: 30/07/2010, 8:40
Messaggi: 596
Nome: vittorino.monzini
a proposito di Lessinodytes glacialis, l'Omber en banda ha colpito ancora, non so se avete sentito il notiziario: una speleologa è bloccata da due giorni in fondo alla grotta con una gamba rotta, sta cercando di tirarla fuori il soccorso speleologico


Top
profilo
MessaggioInviato: 14/11/2011, 16:55 
Avatar utente

Iscritto il: 05/02/2009, 17:25
Messaggi: 4894
Località: Zola Predosa (BO)
Nome: Loris Colacurcio
...e sembra una triste coincidenza, nello stesso momento o quasi, uno speleologo bolognese è rimasto bloccato in una grotta delle Apuane, con gamba ed anca rotta :( .

Se ho ben capito, in questo secondo caso, l'infortunato è già stato tratto in salvo. :ok:

_________________
Loris


Top
profilo
MessaggioInviato: 14/11/2011, 19:21 
Avatar utente

Iscritto il: 01/11/2010, 21:21
Messaggi: 2111
Località: Brescia
Nome: Mario Grottolo
E' il terzo caso di frattura che si verifica all' "Omber en banda al Bus del zel", e da parte di persone esperte. E qualcuno in questa discussione voleva farci un salto!
Per fortuna la grotta è chiusa dopo i primi due pozzi.
Mario


Top
profilo
MessaggioInviato: 14/11/2011, 21:39 
Avatar utente

Iscritto il: 09/11/2010, 19:52
Messaggi: 4518
Località: Brescia
Nome: Luca Bodei
Io che ci sono stato posso confermare che è dura come grotta,e bisogna essere molto preparati per affrontare la via del fondo,cosa che personalmente ho evitato seguendo il consiglio dei miei ex istruttori,la ragazza in questione ha da poco finito il corso di speleologia quindi discretamente preparata,è stata proprio una sfortuna è scivolata e si è rotta tibia e perone,diverso invece il caso del 2010,anche lui un corsista durante una risalita di un pozzo gli si ruppe la corda e fece un volo di qualche metro fratturandosi....del primo incidente non so dire nulla...
Le grotte di qualunque entità esse siano è meglio affrontarle con buona preparazione psico/fisica e sopratutto mai in solitaria,perchè anche se non ci sono pozzi, meandri ecc. potrebbe esserci per esempio un crollo che potrebbe risultare fatale,quindi se qualcuno avesse la possibilità di poter uscire ad avvisare i soccorsi sarebbe una cosa da coscienziosi e per ultimo avvisare sempre dove si stà per andare...
Con questo non tendo a demoralizzare nessun giovane con in mente buoni propositi (e qui nel forum pare che ci siano...),dico solo di stare sempre e molto attenti,là sotto se si sbaglia bene che vada ci si fa inevitabilmente male se non peggio.... ;) :hi:

_________________
Tc70


Top
profilo
MessaggioInviato: 14/11/2011, 22:51 
Avatar utente

Iscritto il: 05/02/2009, 17:31
Messaggi: 9527
Località: milano
Nome: maurizio pavesi
Orotrechus ha scritto:
E' il terzo caso di frattura che si verifica all' "Omber en banda al Bus del zel", e da parte di persone esperte. E qualcuno in questa discussione voleva farci un salto!...

guarda che il qualcuno :D ... o meglio i qualcuni :to: in questione non sono mica matti!

cioè... magari un tantino sì... ma non fino a quel punto :mrgreen: !

_________________
*****************
Immagine maurizio


Top
profilo
MessaggioInviato: 14/11/2011, 23:08 
Avatar utente

Iscritto il: 10/05/2010, 22:31
Messaggi: 4375
Località: Gavorrano (GR)
Nome: marco bastianini
gomphus ha scritto:
i qualcuni :to: in questione non sono mica matti!

...si, però....per una bestiolina....conosciuta in un unico esemplare :p :p :p :p ...insomma io più di un pensierino ce l'avrei fatto, il problema è che per me è un pò fuorimano....ed anche l'età forse comincia a farsi sentire :no: :no: :no:
Rimane il fatto che è la bestiolina sotterranea più straordinaria di ogni altra :hp: :hp: :hp:

_________________
:to: Marco
"Le foreste a precedere le civiltà, i deserti a seguire."
François-René de Chateaubriand


Top
profilo
Visualizza ultimi messaggi:  Ordina per  
nuovo argomento
rispondi
Vai alla pagina Precedente  1, 2, 3  Prossimo
Pagina 2 di 3 [ 33 messaggi ]

Tutti gli orari sono UTC + 1 ora [ ora legale ]


Chi c’è in linea

Visitano il forum: Nessuno e 3 ospiti


Non puoi aprire nuovi argomenti
Non puoi rispondere negli argomenti
Non puoi modificare i tuoi messaggi
Non puoi cancellare i tuoi messaggi
Non puoi inviare allegati

Cerca per:
Vai a: