Benvenuto Ospite

Forum Entomologi Italiani

www.entomologiitaliani.net/forum
 
Oggi è 16/01/2026, 10:56

Tutti gli orari sono UTC + 1 ora [ ora legale ]

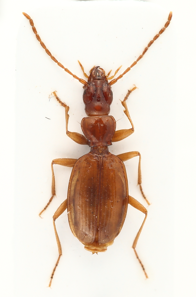
Duvalius (Duvalius) breiti (Ganglbauer, 1900) Dettagli della specie

10.VI.2010 - ITALIA - Veneto - BL, Belluno


nuovo argomento
rispondi
Pagina 1 di 1 [ 15 messaggi ]
Autore Messaggio
MessaggioInviato: 11/11/2011, 23:31 
Avatar utente

Iscritto il: 17/02/2009, 0:05
Messaggi: 8521
Località: Isola d'Elba - Arcipelago Toscano
Nome: Leonardo Forbicioni
Calma e gesso!!! Ovviamente non viene dall'Elba! :lol: :lol: :lol:
Questo è un regalino da parte di un amico! :lov3: :lov3:
Non avendoli mai visti non sono assolutamente certo neanche del genere. :oops: :oops:

Carabidae Belluno4.JPG


_________________
"Stay hungry, stay foolish".
Steve Jobs, 2005
___________________
jjuniper8(at)gmail.com
Twitter: @weevil_forbix
cell. 339/5275910
___________________


Top
profilo
MessaggioInviato: 11/11/2011, 23:37 
Avatar utente

Iscritto il: 14/03/2009, 15:34
Messaggi: 198
Località: Belluno
Nome: Andrea Fabbri
Se non vedo male è microftalmo, quindi è un Duvalius cfr. breiti
la località è un po' vaga, però nel comune di Belluno il Duvalius
si trova :mrgreen:

_________________
Andrea


Top
profilo
MessaggioInviato: 11/11/2011, 23:50 
Avatar utente

Iscritto il: 17/02/2009, 0:05
Messaggi: 8521
Località: Isola d'Elba - Arcipelago Toscano
Nome: Leonardo Forbicioni
Grazie Andrea!! :lov2: :lov2:

_________________
"Stay hungry, stay foolish".
Steve Jobs, 2005
___________________
jjuniper8(at)gmail.com
Twitter: @weevil_forbix
cell. 339/5275910
___________________


Top
profilo
MessaggioInviato: 12/11/2011, 9:38 
Avatar utente

Iscritto il: 01/11/2010, 21:21
Messaggi: 2110
Località: Brescia
Nome: Mario Grottolo
purtroppo è una femmina, :ok:
Mario


Top
profilo
MessaggioInviato: 13/11/2011, 0:50 
Avatar utente

Iscritto il: 19/09/2009, 22:25
Messaggi: 5912
Località: Brescia
Nome: Vinicio Salami
quale altro Duvalius vive in quella zona?

:to: :to:


Top
profilo
MessaggioInviato: 13/11/2011, 0:54 
Avatar utente

Iscritto il: 17/02/2009, 0:05
Messaggi: 8521
Località: Isola d'Elba - Arcipelago Toscano
Nome: Leonardo Forbicioni
eurinomio ha scritto:
quale altro Duvalius vive in quella zona?

:to: :to:

Ah!! Io non lo so davvero! :lol: :lol: :lol:
Comunque ho un altro esemplare (stesso luogo e data di cattura), magari controllo se è maschio! ;)

_________________
"Stay hungry, stay foolish".
Steve Jobs, 2005
___________________
jjuniper8(at)gmail.com
Twitter: @weevil_forbix
cell. 339/5275910
___________________


Top
profilo
MessaggioInviato: 13/11/2011, 1:07 
Avatar utente

Iscritto il: 01/11/2010, 21:21
Messaggi: 2110
Località: Brescia
Nome: Mario Grottolo
Nel bellunese c'e Duvalius breiti e Duvalius sphaeti, con le loro sottospecie più o meno valide.
Mario


Top
profilo
MessaggioInviato: 13/11/2011, 2:14 
Avatar utente

Iscritto il: 19/09/2009, 22:25
Messaggi: 5912
Località: Brescia
Nome: Vinicio Salami
l'unico breiti del bellunese credo sia il tipico...le altre forme sono del Grappa (montisgrappae Agazzi,1960) e del Cesen (gattoi Dafner, 1984); il D. spaethi invece si dovrebbe trovare più a est, sul monte Cavallo, in Cansiglio, nel Bus del Gias e nelle Buse Longhe.
non mi sembra ci siano grossi dubbi.


Top
profilo
MessaggioInviato: 13/11/2011, 11:28 
Avatar utente

Iscritto il: 08/11/2010, 12:40
Messaggi: 1722
Località: Brescia
Nome: Mauro Agosti
Mah, queste bestie una volta estratte mi hanno a volte riservato delle sorprese. Senza indicazione precisa della località e soprattutto senza un maschio, personalmente qualche dubbio continuerei ad averlo... ;)
Facci sapere Leonardo, che in caso ti facciamo lavorare un po' :mrgreen: :mrgreen:


Top
profilo
MessaggioInviato: 13/11/2011, 12:49 
Avatar utente

Iscritto il: 01/11/2010, 21:21
Messaggi: 2110
Località: Brescia
Nome: Mario Grottolo
Certo che non ci sono dubbi che sia Duvalius breiti, ma poichè è stato chiesto quali altri Duvalius possono essere presenti nel bellunese ho inserito anche il Duvalius sphaeti, di cui ho un paio di esemplari raccolti molti anni fa a Casera Palantina in Provincia di Belluno (D. sphaeti rosai sinonimo di D. sphaeti).
E poichè sono state pubblicate varie sottospecie del Duvalius breiti, come dicevo più o meno valide, tra cui ricordo Duvalius pavionis Jeannel 1926 (sicuramente sinonimo di D. breiti), sempre del Bellunese, mi sembra corretto, in assenza di località certa ascrivere a Duvalius cfr breiti, l'esemplare fotografato, come giustamente aveva riportato Andrea.
:hi:
Mario


Top
profilo
MessaggioInviato: 13/11/2011, 16:21 
Avatar utente

Iscritto il: 05/02/2009, 17:31
Messaggi: 9527
Località: milano
Nome: maurizio pavesi
Orotrechus ha scritto:
Certo che non ci sono dubbi che sia Duvalius breiti, ma poichè è stato chiesto quali altri Duvalius possono essere presenti nel bellunese ho inserito anche il Duvalius sphaeti ...

spaethi e non sphaeti ;)

cmq prima di affermare che è il breiti e non lo spaethi, io a questo punto aspetterei di sapere cosa vuol dire realmente l'indicazione "belluno" :D ...

_________________
*****************
Immagine maurizio


Top
profilo
MessaggioInviato: 13/11/2011, 16:59 
Avatar utente

Iscritto il: 01/11/2010, 21:21
Messaggi: 2110
Località: Brescia
Nome: Mario Grottolo
Hai ragione Maurizio, è colpa della solita fretta e la brutta abitudine di non ricontrollare.
Ciao
Mario


Top
profilo
MessaggioInviato: 13/11/2011, 17:06 
Avatar utente

Iscritto il: 17/02/2009, 0:05
Messaggi: 8521
Località: Isola d'Elba - Arcipelago Toscano
Nome: Leonardo Forbicioni
L'indicazione sul cartellino, riporta solo "Vette di Belluno". Non credo sia di molto aiuto. Semmai proverò a contattare il gentile donatore! ;) ;)

_________________
"Stay hungry, stay foolish".
Steve Jobs, 2005
___________________
jjuniper8(at)gmail.com
Twitter: @weevil_forbix
cell. 339/5275910
___________________


Top
profilo
MessaggioInviato: 13/11/2011, 18:33 
Avatar utente

Iscritto il: 14/03/2009, 15:34
Messaggi: 198
Località: Belluno
Nome: Andrea Fabbri
Ciao,

l'indicazione "Vette di Belluno" è molto generica, mi viene da pensare che sia la zona del massiccio dello Schiara, per cui si può parlare di vette vere e proprie, escluderei il Nevegal che è un semplice colle. Un'altra ipotesi è che si tratti delle "Vette feltrine".
Comunque se è stato preso proprio sopra Belluno e hai un maschio sarebbe il caso di darci un occhio, come dice bene Mario potrebbe riservare sorprese. Io come ho già detto il Duvalius sopra a Belluno l'ho preso ma siccome sono sfortunato ho attirato solo femmine (forse sono troppo affascinante :lol: )

Riguardo al Duvalius spaethi, io l'ho raccolto anche sul Monte Raut che dovrebbe essere proprio il locus tipico.

_________________
Andrea


Top
profilo
MessaggioInviato: 13/11/2011, 20:16 
Avatar utente

Iscritto il: 09/11/2010, 19:52
Messaggi: 4518
Località: Brescia
Nome: Luca Bodei
FORBIX ha scritto:
L'indicazione sul cartellino, riporta solo "Vette di Belluno". Non credo sia di molto aiuto. Semmai proverò a contattare il gentile donatore! ;) ;)



Ma il gentile donatore ha un nome :? Se entomologo lo si potrebbe convincere a partecipare a questa bella discussione... ;) :hi: :birra:

_________________
Tc70


Top
profilo
Visualizza ultimi messaggi:  Ordina per  
nuovo argomento
rispondi
Pagina 1 di 1 [ 15 messaggi ]

Tutti gli orari sono UTC + 1 ora [ ora legale ]


Chi c’è in linea

Visitano il forum: Bing [Bot] e 0 ospiti


Non puoi aprire nuovi argomenti
Non puoi rispondere negli argomenti
Non puoi modificare i tuoi messaggi
Non puoi cancellare i tuoi messaggi
Non puoi inviare allegati

Cerca per:
Vai a: