Benvenuto Ospite

Forum Entomologi Italiani

www.entomologiitaliani.net/forum
 
Oggi è 24/11/2025, 19:22

Tutti gli orari sono UTC + 1 ora [ ora legale ]

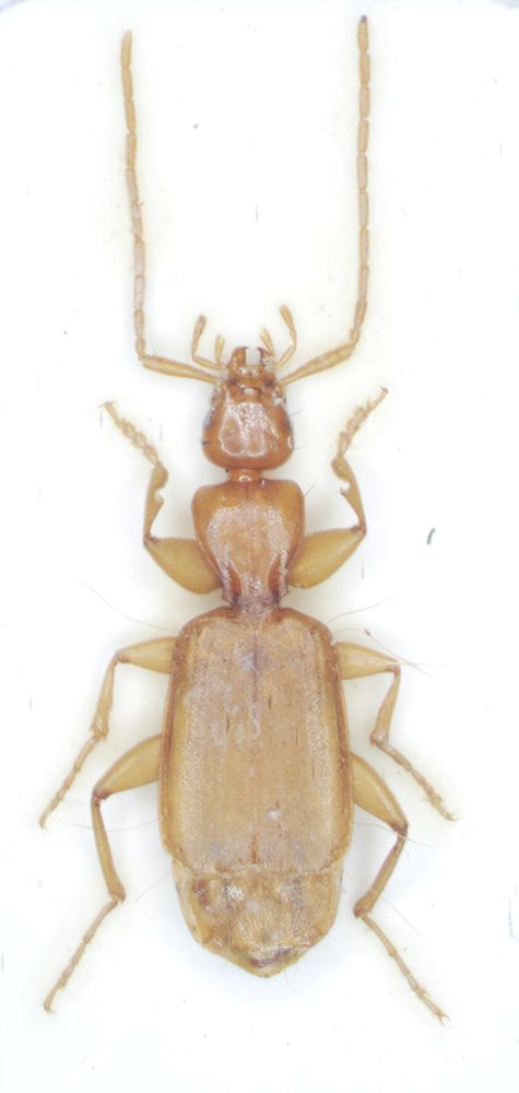
Parazuphium (Parazuphium) baeticum (K. Daniel & J. Daniel, 1898) - Carabidae

3.I.2007 - ITALIA - Sicilia - PA, Piana Albanesi, quota circa 600m


nuovo argomento
rispondi
Pagina 1 di 1 [ 5 messaggi ]
Autore Messaggio
MessaggioInviato: 16/11/2011, 0:29 
Avatar utente

Iscritto il: 18/02/2009, 0:24
Messaggi: 3909
Località: Asciano (Siena)
Nome: Andrea Petrioli
Durante un uscita in Sicilia con gli amici Bastianini, Degiovanni e Magrini, mi è capitato di raccogliere presso Piana Albanesi alcuni Parazuphium che io avevo determinato come Parazuphium (Parazuphium) baeticum (K. Daniel & J. Daniel, 1898) anche se, secondo l'ultima checklist per i Carabidi della fauna italiana questa specie non viene più segnalata di tale isola.

Ora visto che i Parazuphium non sono mai bestiole troppo comuni e che in collezione non ho troppo materiale di confronto, propongo sul forum l'immagine di un maschietto con tanto di edeago diafanizzato.

Questo (assieme ad altri quattro esemplari) l'ho raccolto sotto pietre profondamente interrate in un substrato estremamente umido.

Lunghezza dell'esemplare: circa 5 mm



parazuphiumrid2.jpg



edeagorid.jpg


_________________
:hi:
______
Andrea


Top
profilo
MessaggioInviato: 16/11/2011, 12:46 
Avatar utente

Iscritto il: 08/05/2010, 22:25
Messaggi: 1463
Località: Milano
Nome: Riccardo Sciaky
Caro Andrea, si tratta proprio di Parazuphium baeticum. Questo è un interessante caso di "sincronicità", in quanto l'amico Davide Castelli non più tardi di ieri chiedeva se fossero note catture recenti di questa specie, dato che il suo esemplare sembrava essere l'ultimo raccolto in ordine di tempo dopo parecchi anni. Il suo esemplare l'ho estratto io personalmente e l'edeago è identico a questo qui raffigurato, quindi non ci sono dubbi.

Mi domando invece quale sia la checklist della fauna italiana su cui questa specie non sarebbe riportata, dato che su quella di Vigna Taglianti è perfettamente presente.

Un caro saluto ;)

_________________
Riccardo


Top
profilo
MessaggioInviato: 16/11/2011, 14:43 
Avatar utente

Iscritto il: 18/02/2009, 0:24
Messaggi: 3909
Località: Asciano (Siena)
Nome: Andrea Petrioli
Ciao Riccardo,

mi riferisco a "APPENDICE B" (pagg. 186-225) "Checklist e corotipi delle specie di carabidi della fauna italiana"

a cura di Augusto Vigna Taglianti posto alla fine di

"Brandmayr P. , Zetto T. , Pizzolotto R. , I coleotteri carabidi per la valutazione ambientale e la conservazione della biodiversità, Manuali e linee guida Vol. 34, Roma: Agenzia Nazionale Protezione Ambiente e Servizi Tecnici, 2005"

Come puoi controllare il Parazuphium baeticum è riportato per l'Italia ma non più citato per la Sicilia.

....una svista?

_________________
:hi:
______
Andrea


Top
profilo
MessaggioInviato: 16/11/2011, 15:13 
Avatar utente

Iscritto il: 08/05/2010, 22:25
Messaggi: 1463
Località: Milano
Nome: Riccardo Sciaky
In effetti credo si tratti di un lapsus, dato che, a mia conoscenza, nessuno ha mai messo in dubbio la presenza di questa specie in Sicilia. Grazie per avermi ricordato questa importante fonte (anche se, evidentemente, non perfetta...).

Buona giornata ;)

_________________
Riccardo


Top
profilo
MessaggioInviato: 16/11/2011, 15:51 
Avatar utente

Iscritto il: 18/02/2009, 0:24
Messaggi: 3909
Località: Asciano (Siena)
Nome: Andrea Petrioli
ricdoc57 ha scritto:
In effetti credo si tratti di un lapsus, dato che, a mia conoscenza, nessuno ha mai messo in dubbio la presenza di questa specie in Sicilia. Grazie per avermi ricordato questa importante fonte (anche se, evidentemente, non perfetta...).

Buona giornata ;)



Grazie a te per la conferma della specie :birra:

_________________
:hi:
______
Andrea


Top
profilo
Visualizza ultimi messaggi:  Ordina per  
nuovo argomento
rispondi
Pagina 1 di 1 [ 5 messaggi ]

Tutti gli orari sono UTC + 1 ora [ ora legale ]


Chi c’è in linea

Visitano il forum: Nessuno e 10 ospiti


Non puoi aprire nuovi argomenti
Non puoi rispondere negli argomenti
Non puoi modificare i tuoi messaggi
Non puoi cancellare i tuoi messaggi
Non puoi inviare allegati

Cerca per:
Vai a: