Benvenuto Ospite

Forum Entomologi Italiani

www.entomologiitaliani.net/forum
 
Oggi è 24/11/2025, 6:53

Tutti gli orari sono UTC + 1 ora [ ora legale ]

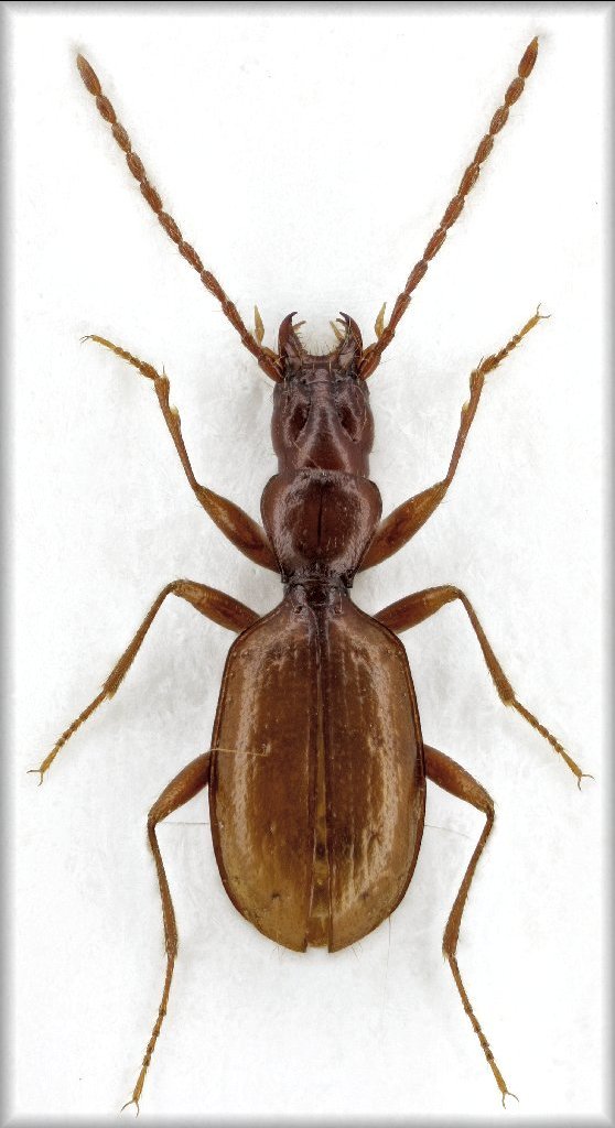
Orotrechus targionii concii Tamanini, 1953 Dettagli della specie

15.II.2008 - ITALIA - Trentino-Alto Adige - TN, Serrada di Folgaria 1200m/slm


nuovo argomento
rispondi
Pagina 1 di 1 [ 10 messaggi ]
Autore Messaggio
MessaggioInviato: 24/11/2011, 23:38 
Avatar utente

Iscritto il: 22/05/2009, 21:00
Messaggi: 2777
Località: Pergine Valsugana (TN)
Nome: Andrea Carlin
:hi: Per continuare la discussione proposta da Vinicio qui riportata inserisco un'immagine di questa interessante sottospecie.

lunghezza: 3,95 mm
Orotrechus targionii concii.jpg



:hi: :hi: :hi: (seguiranno altri dettagli)

_________________
Andrea Carlin, Pergine Valsugana (TN) carlin.andrea(AT)gmail.com

Nota: tutti gli esemplari inseriti nelle discussioni aperte da me sono da ritenere "Andrea Carlin legit" se non diversamente specificato.


Top
profilo
MessaggioInviato: 24/11/2011, 23:46 
Avatar utente

Iscritto il: 10/05/2010, 22:31
Messaggi: 4371
Località: Gavorrano (GR)
Nome: marco bastianini
Bravo Andrea, non ti confondere con le Bathysciola :mrgreen: :mrgreen: :mrgreen: .... questa si che è una bella bestiola :hp: :hp:


P.S.La rima non era voluta :oops:

_________________
:to: Marco
"Le foreste a precedere le civiltà, i deserti a seguire."
François-René de Chateaubriand


Top
profilo
MessaggioInviato: 24/11/2011, 23:57 
Avatar utente

Iscritto il: 22/05/2009, 21:00
Messaggi: 2777
Località: Pergine Valsugana (TN)
Nome: Andrea Carlin
...per facilitare il confronto degli "habitus" inserisco questa tavola. :hi: :hi: :hi:

tavola confronto Orotrechus targionii ganglbaueri-concii.jpg


_________________
Andrea Carlin, Pergine Valsugana (TN) carlin.andrea(AT)gmail.com

Nota: tutti gli esemplari inseriti nelle discussioni aperte da me sono da ritenere "Andrea Carlin legit" se non diversamente specificato.


Top
profilo
MessaggioInviato: 25/11/2011, 0:39 
Avatar utente

Iscritto il: 19/09/2009, 22:25
Messaggi: 5913
Località: Brescia
Nome: Vinicio Salami
145_fbc2161dfbdd9e46bca5601748bdd4a5.jpg


una differenza occhiometrica che ho potuto individuare tra le due ssp. è la disposizione (credo abbastanza costante) dei primi 3 pori setigeri...nella foto si vede bene.


Top
profilo
MessaggioInviato: 25/11/2011, 1:00 
Avatar utente

Iscritto il: 22/05/2009, 21:00
Messaggi: 2777
Località: Pergine Valsugana (TN)
Nome: Andrea Carlin
:hi: Ciao Vinicio, la cosa strana è che dall'altro lato sono tutti molto vicini al bordo... :roll:

Comunque ben vengano le osservazioni al riguardo! :hp: :hp: :hp: Fatevi avanti! :birra:

A me il ganglbaueri sembra più slanciato nella metà posteriore delle elitre più ristretto (o meglio che restringe più vistosamente procedendo verso l'apice) ; il pronoto più arrotondato e più largo nelle parte anteriore e con gli angoli posteriori più sporgenti; i solchi frontali con curvatura più regolare.
Sto analizzando anche la microscultura del capo e del pronoto ma è un lavoraccio... :cry:

:hi: :hi: :hi:

_________________
Andrea Carlin, Pergine Valsugana (TN) carlin.andrea(AT)gmail.com

Nota: tutti gli esemplari inseriti nelle discussioni aperte da me sono da ritenere "Andrea Carlin legit" se non diversamente specificato.


Top
profilo
MessaggioInviato: 25/11/2011, 1:18 
Avatar utente

Iscritto il: 19/09/2009, 22:25
Messaggi: 5913
Località: Brescia
Nome: Vinicio Salami
questa differenza l'ho riscontrata su tutti i pochi (purtroppo) esemplari che ho potuto visionare...magari può anche essere che sia casuale.

:birra:


Top
profilo
MessaggioInviato: 25/11/2011, 10:56 
Avatar utente

Iscritto il: 01/11/2010, 21:21
Messaggi: 2110
Località: Brescia
Nome: Mario Grottolo
Andrea dovresti essere più preciso sulla località di raccolta perchè secondo me l'Orotrechus targioni concii l'hai raccolto in grotta.
Come mi sembra di aver già detto precedentemente le differenze andrebbero verificate su più esemplari possibilmente provenienti da altre località tipiche e quindi ti consiglierei di confrontarli con gli esemplari provenienti dal Bus dei Fortini. Qui le differenze sono ben visibili.
Secondo punto: siamo tutti convinti che si tratti di due sottospecie del targioni? A quanto mi risulta non c'è una pubblicazione in merito e le sinonimie compaiono improvvisamente sulla chek list.
Se così fosse Orotrechus targioni concii, Orotrechus targioni alticola, Orotrechus targioni ganglbaueri risulterebbero simpatrici il che mi lascia molto ma molto perplesso.
Ciao
Mario


Top
profilo
MessaggioInviato: 25/11/2011, 11:43 
Avatar utente

Iscritto il: 22/05/2009, 21:00
Messaggi: 2777
Località: Pergine Valsugana (TN)
Nome: Andrea Carlin
:ok: Grazie Mario, come dicevo anch'io precedentemente in qualche altra discussione, i "lavori sono ancora in corso"...
Non ho ancora molti esemplari e le località che ho battuto maggiormente vanno da Serrada a Vezzena per intenderci.
Poi, fra la nascita di Denis ( :lov3: :lov3: :lov3: ) e i miei problemi di salute ho dovuto rallentare parecchio il ritmo delle uscite ultimamente: quest'anno poi..... :x :devil: :cry:
Comunque, resta inteso che il mio voleva essere solo un piccolo contributo, senza arrivare a conclusioni definitive!
Sarebbe sicuramente interessante riuscire a concentrare gli sforzi (anche comuni, perchè no!) ed arrivare a fare chiarezza! :ok:
Un paio di uscite al Bus dei Fortini (da un lato) e un altro paio ai contrafforti ed al fondovalle della Valsugana centrale (dall'altra) sarebbero veramente interessanti!
Mettiamo in cantiere pure questo, per la prossima primavera s'intende! :bln:

:hi: :hi: :hi: :hi: :hi:

_________________
Andrea Carlin, Pergine Valsugana (TN) carlin.andrea(AT)gmail.com

Nota: tutti gli esemplari inseriti nelle discussioni aperte da me sono da ritenere "Andrea Carlin legit" se non diversamente specificato.


Top
profilo
MessaggioInviato: 25/11/2011, 16:02 
Avatar utente

Iscritto il: 19/09/2009, 22:25
Messaggi: 5913
Località: Brescia
Nome: Vinicio Salami
Andrea Pergine ha scritto:
:ok: Grazie Mario, come dicevo anch'io precedentemente in qualche altra discussione, i "lavori sono ancora in corso"...


ma probabilmente non li sta portando avanti nessuno seriamente.
dopo un accurato controllo sulle checklist che conosco, su faunaeur ed Apat, ho potuto riscontrare che tutto è rimasto immutato (a parte il dallarmii che dovrebbe essere ssp di gigas e che sulla checklist non viene modificato)...niente sinonimie...tutto come prima.


Top
profilo
MessaggioInviato: 25/11/2011, 17:10 
Avatar utente

Iscritto il: 22/05/2009, 21:00
Messaggi: 2777
Località: Pergine Valsugana (TN)
Nome: Andrea Carlin
Ok Vinicio, ma io mi riferivo alle mie ricerche che sono ancora in corso in quelle zone e per quelle ssp. ;)
Speriamo diano frutti l'anno prossimo! :p

:hi: :hi: :hi:

_________________
Andrea Carlin, Pergine Valsugana (TN) carlin.andrea(AT)gmail.com

Nota: tutti gli esemplari inseriti nelle discussioni aperte da me sono da ritenere "Andrea Carlin legit" se non diversamente specificato.


Top
profilo
Visualizza ultimi messaggi:  Ordina per  
nuovo argomento
rispondi
Pagina 1 di 1 [ 10 messaggi ]

Tutti gli orari sono UTC + 1 ora [ ora legale ]


Chi c’è in linea

Visitano il forum: Nessuno e 10 ospiti


Non puoi aprire nuovi argomenti
Non puoi rispondere negli argomenti
Non puoi modificare i tuoi messaggi
Non puoi cancellare i tuoi messaggi
Non puoi inviare allegati

Cerca per:
Vai a:  
cron