Benvenuto Ospite

Forum Entomologi Italiani

www.entomologiitaliani.net/forum
 
Oggi è 26/12/2025, 23:36

Tutti gli orari sono UTC + 1 ora [ ora legale ]

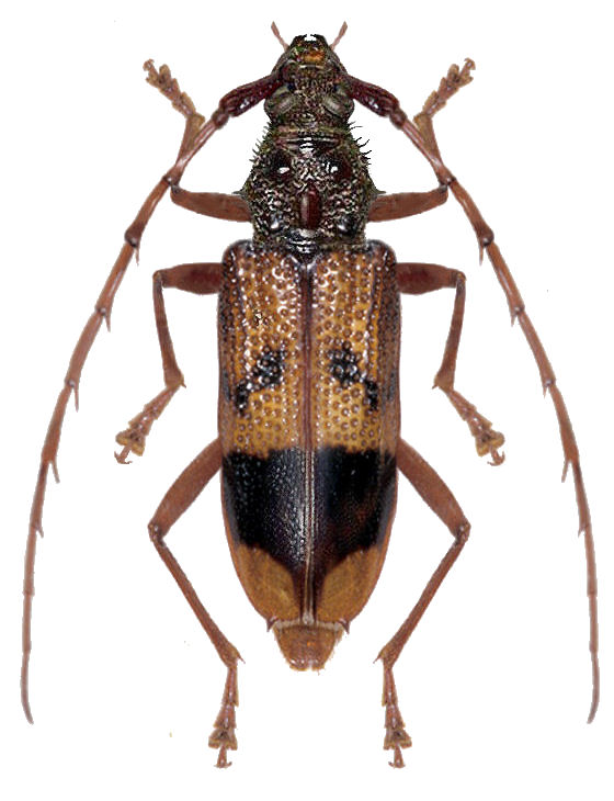
Coptocercus biguttatus (Donovan, 1805) (cf.) - Cerambycidae

8.XI.2011 - TIMOR EST - EE, Hato Builico, Ramelau Mts, 1950m


nuovo argomento
rispondi
Pagina 1 di 1 [ 7 messaggi ]
Autore Messaggio
MessaggioInviato: 29/11/2011, 23:02 
Avatar utente

Iscritto il: 16/05/2010, 14:26
Messaggi: 761
Località: United Kingdom
Nome: Zdenko Lucbauer
Could anyone help me with determination of this eucalyptus feeder ?

Thanks !

Zdeno


Hato Builico 015.JPG

Top
profilo
 Oggetto del messaggio: Re: Phoracantha sp
MessaggioInviato: 30/11/2011, 0:37 
Avatar utente

Iscritto il: 29/08/2011, 17:35
Messaggi: 129
Località: Israel
Nome: Yuri Ptashkovsky
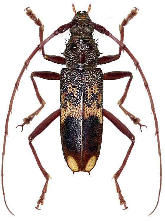
У меня две: - Phoracanta semipunctata и Phoracanta recurva


Phoracanta semipunctata Fabricius,1775 18-26mm
Phoracanta semipunctata Fabricius,1775  18-26mm.jpg

Phoracantha recurva Newman, 1840 14-30mm
Phoracantha recurva Newman, 1840 14-30mm.jpg

Top
profilo
 Oggetto del messaggio: Re: Phoracantha sp
MessaggioInviato: 30/11/2011, 0:43 
Avatar utente

Iscritto il: 30/12/2009, 22:20
Messaggi: 31564
Località: Roma
Nome: Maurizio Gigli
Dear Yuri, this is surely a different species, perhaps another genus!

_________________
Maurizio Gigli
http://utenti.romascuola.net/bups
http://bup.xoom.it/


Top
profilo
 Oggetto del messaggio: Re: Phoracantha sp
MessaggioInviato: 30/11/2011, 0:49 
Avatar utente

Iscritto il: 17/02/2009, 0:05
Messaggi: 8521
Località: Isola d'Elba - Arcipelago Toscano
Nome: Leonardo Forbicioni
A mio modesto avviso credo che non si tratti di una Phoracantha! :? :?
Forse, darei una occhiata al genere Coptocercus ! :oops: :oops: :oops:

_________________
"Stay hungry, stay foolish".
Steve Jobs, 2005
___________________
jjuniper8(at)gmail.com
Twitter: @weevil_forbix
cell. 339/5275910
___________________


Top
profilo
 Oggetto del messaggio: Re: Phoracantha sp
MessaggioInviato: 30/11/2011, 0:53 
Avatar utente

Iscritto il: 30/12/2009, 22:20
Messaggi: 31564
Località: Roma
Nome: Maurizio Gigli
FORBIX ha scritto:
A mio modesto avviso credo che non si tratti di una Phoracantha! :? :?
Forse, darei una occhiata al genere Coptocercus ! :oops: :oops: :oops:

Sono d'accordo con te. Penserei a Coptocercus biguttatus (Donovan, 1805).

_________________
Maurizio Gigli
http://utenti.romascuola.net/bups
http://bup.xoom.it/


Top
profilo
 Oggetto del messaggio: Re: Phoracantha sp
MessaggioInviato: 30/11/2011, 11:46 
Avatar utente

Iscritto il: 16/05/2010, 14:26
Messaggi: 761
Località: United Kingdom
Nome: Zdenko Lucbauer
Good morning Gents. It looks like you are right !

Thanks a lot !

:hi:


Top
profilo
 Oggetto del messaggio: Re: Phoracantha sp
MessaggioInviato: 30/11/2011, 12:03 
Avatar utente

Iscritto il: 18/02/2009, 0:24
Messaggi: 3909
Località: Asciano (Siena)
Nome: Andrea Petrioli
....non so se esistono specie simili :oops:

In attesa di conferme o smentite rinomino così:

Coptocercus (cf.) biguttatus (Donovan, 1805).

_________________
:hi:
______
Andrea


Top
profilo
Visualizza ultimi messaggi:  Ordina per  
nuovo argomento
rispondi
Pagina 1 di 1 [ 7 messaggi ]

Tutti gli orari sono UTC + 1 ora [ ora legale ]


Chi c’è in linea

Visitano il forum: Nessuno e 0 ospiti


Non puoi aprire nuovi argomenti
Non puoi rispondere negli argomenti
Non puoi modificare i tuoi messaggi
Non puoi cancellare i tuoi messaggi
Non puoi inviare allegati

Cerca per:
Vai a: