Benvenuto Ospite

Forum Entomologi Italiani

www.entomologiitaliani.net/forum
 
Oggi è 18/01/2026, 5:22

Tutti gli orari sono UTC + 1 ora [ ora legale ]

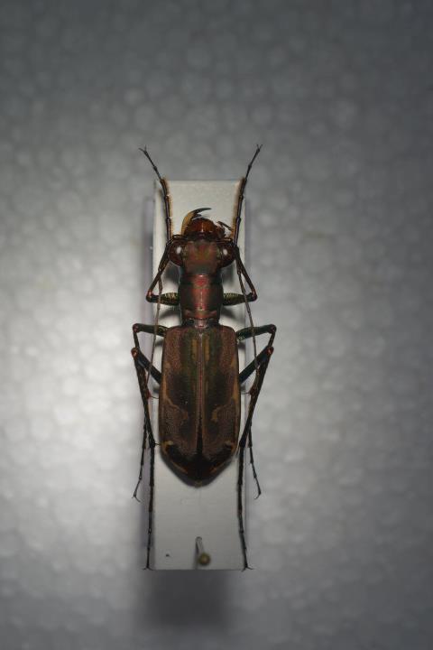
Hipparidium heros (Fabricius, 1801) - Carabidae Cicindelinae

XII.1998 - EE, Celebes, Palopo


nuovo argomento
rispondi
Pagina 1 di 1 [ 6 messaggi ]
Autore Messaggio
MessaggioInviato: 03/12/2011, 11:54 
Avatar utente

Iscritto il: 22/09/2009, 20:44
Messaggi: 384
Nome: Leonardo Platania
Continua la serie di Cicindele da determinare... scusate per le foto che non sono un granchè... ma devo fare pratica con le luci :?

cicindonesi.jpg


cicindonesi1.jpg


_________________
"Considerate la vostra semenza:
fatti non foste a viver come bruti
ma per seguir virtute e conoscenza."

Dante Inf. XXVI 118-120


Immagine


Top
profilo
 Oggetto del messaggio: Re: ID cicindelide
MessaggioInviato: 04/12/2011, 0:25 
Avatar utente

Iscritto il: 28/05/2011, 21:10
Messaggi: 1981
Nome: Umberto Devincenzo
Potrebbe essere Cicindela (Hipparidium) heros (Fabricius, 1801) ??? mi sembra sia lui..
Aspetta conferme da esperti che è meglio!! ;)

_________________
"La compassione e l'empatia per il più piccolo degli animali, è una delle più nobili virtù che un uomo possa ricevere in dono."
Charles Darwin


Top
profilo
 Oggetto del messaggio: Re: ID cicindelide
MessaggioInviato: 04/12/2011, 0:37 
Avatar utente

Iscritto il: 05/02/2009, 17:31
Messaggi: 9527
Località: milano
Nome: maurizio pavesi
ci avevo pensato anch'io :oops: ... puoi indicare le dimensioni?

p.s. la tassonomia del nostro forum segue l'orientamento oggi considerato valido dalla maggioranza degli studiosi, ossia lo smembramento del vecchio mega-genere onnicomprensivo Cicindela... in quest'ottica, trattare Hipparidium come sottogenere di Cicindela, anziché come genere a sé, non ha senso

ricordo che il genere Cicindela, così inteso, non è presente nelle regioni tropicali (indoaustraliana, afrotropicale, neotropica), è solo oloartico

_________________
*****************
Immagine maurizio


Top
profilo
 Oggetto del messaggio: Re: ID cicindelide
MessaggioInviato: 04/12/2011, 11:15 
Avatar utente

Iscritto il: 22/09/2009, 20:44
Messaggi: 384
Nome: Leonardo Platania
oggi non ho la possibilità di misurarla comunque è abbastanza grande... diciamo all'incirca tanto per avere un idea un po' più grande di Cicindela chinensis

_________________
"Considerate la vostra semenza:
fatti non foste a viver come bruti
ma per seguir virtute e conoscenza."

Dante Inf. XXVI 118-120


Immagine


Top
profilo
 Oggetto del messaggio: Re: ID cicindelide
MessaggioInviato: 04/12/2011, 15:15 
Avatar utente

Iscritto il: 05/02/2009, 17:31
Messaggi: 9527
Località: milano
Nome: maurizio pavesi
Thaumatomyrmex ha scritto:
oggi non ho la possibilità di misurarla comunque è abbastanza grande... diciamo all'incirca tanto per avere un idea un po' più grande di Cicindela chinensis

:ok:

confermo Hipparidium heros (Fabricius, 1801)

_________________
*****************
Immagine maurizio


Top
profilo
MessaggioInviato: 04/12/2011, 21:41 
Avatar utente

Iscritto il: 22/09/2009, 20:44
Messaggi: 384
Nome: Leonardo Platania
ok grazie!!!

_________________
"Considerate la vostra semenza:
fatti non foste a viver come bruti
ma per seguir virtute e conoscenza."

Dante Inf. XXVI 118-120


Immagine


Top
profilo
Visualizza ultimi messaggi:  Ordina per  
nuovo argomento
rispondi
Pagina 1 di 1 [ 6 messaggi ]

Tutti gli orari sono UTC + 1 ora [ ora legale ]


Chi c’è in linea

Visitano il forum: Nessuno e 2 ospiti


Non puoi aprire nuovi argomenti
Non puoi rispondere negli argomenti
Non puoi modificare i tuoi messaggi
Non puoi cancellare i tuoi messaggi
Non puoi inviare allegati

Cerca per:
Vai a: